Titel Logo
Mitteilungsblatt für die Gemeinde Hosenfeld
Ausgabe 25/2025
Amtliche Bekanntmachungen
Zurück zur vorigen Seite
Zurück zur ersten Seite der aktuellen Ausgabe

Bebauungsplan Nr. 19 „Im Feld“ Gemeinde Hosenfeld, Gemarkung Hosenfeld und Flächennutzungsplanänderung in diesem Bereich

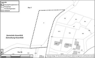
Abb. 1: FNP-Änderung zum Bebauungsplan Nr. 19 „Im Feld“.

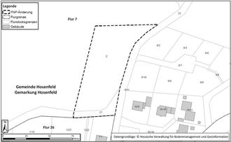
Abb. 2: Geltungsbereich Bebauungsplan Nr.19 „Im Feld“ (Hauptgeltungsbereich A).

Abb. 3: Geltungsbereich Bebauungsplan Nr.19 „Im Feld“ (Zusatzgeltungsbereich B).

Genehmigung der FNP-Änderung und Satzungsbeschluss des Bebauungsplans

Die Gemeinde Hosenfeld beabsichtigt, auf einem ca. 0,5 ha großen Areal (Hauptgeltungsbereich A) am nördlichen Siedlungsrand des Ortsteils Hosenfeld ein ca. 0,4 ha großes Wohngebiet zu realisieren. Mit der geplanten Ausweisung soll nicht nur das Angebot an Bauplätzen für das Wohnen in der Gemeinde Hosenfeld erweitert werden, sondern auch zur Eigentumsbildung in der Bevölkerung beigetragen werden. Hierfür wird ein „Allgemeines Wohngebiet“ gem. § 4 Baunutzungsverordnung (BauNVO) ausgewiesen.

Mit dem Bebauungsplanverfahren ist zugleich eine Änderung des Flächennutzungsplans der Gemeinde Hosenfeld im Parallelverfahren erforderlich. Inhalt der Änderung des Flächennutzungsplanes ist, den bisher als „Fläche für die Landwirtschaft“ dargestellten Bereich in eine „Wohnbaufläche““ umzuwidmen.

Das Plangebiet des Bebauungsplans (Hauptgeltungsbereich A) liegt am nördlichen Siedlungsrand der Ortslage Hosenfeld in der Gemarkung Hosenfeld. Im Osten grenzt ein befestigter landwirtschaftlicher Weg an, der an die Straße „Stümpferweg“ anschließt. Im Norden grenzt das Plangebiet an landwirtschaftlich genutzte Flächen. Im Süden schließen ein unbefestigter Fußweg und gemischte Bauflächen mit überwiegend Wohnbebauung an. Das Wohngebiet wird erschlossen durch die Straße „Stümpferweg“, die sich in diesem Bereich derzeit im Ausbau befindet, mit Anbindung an die „Fuldaer Straße“.

Insgesamt umfasst der räumliche Geltungsbereich des Bebauungsplans (Hauptgeltungsbereich A) eine Gesamtgröße von ca. 4.595 m2 und beinhaltet die folgenden Flurstücke: Gemarkung Hosenfeld, Flur 7, die Flurstücke mit den Nummern 2 tlw. und 17 tlw.

Hier: Bekanntmachung der Genehmigung der Änderung des Flächennutzugsplans gem. § 6 (5) Baugesetzbuch (BauGB)

Die Gemeindevertretung der Gemeinde Hosenfeld hat in ihrer Sitzung am 27.03.2025 den Feststellungsbeschluss zu der Flächennutzungsplanänderung zum Bebauungsplan Nr. 19 „Im Feld“ beschlossen und die Begründung einschließlich Umweltbericht mit integriertem Landschaftspflegerischem Fachbeitrag gebilligt.

Die Genehmigung der Flächennutzungsplanänderung, erteilt am 04.06.2025 (Geschäftszeichen 0030-21-061a10.02.14-00004#2025-00001) durch das Regierungspräsidium Kassel, wird hiermit gem. § 6 (5) BauGB bekannt gegeben.

Mit dieser Bekanntmachung wird die vorgenannte Änderung des Flächennutzungsplans wirksam.

Die Abgrenzung des Änderungsbereiches ist in der nachstehenden Übersichtskarte dargestellt.

Hier: Inkrafttreten des Bebauungsplans gem. 10 (3) Baugesetzbuch (BauGB)

Die Gemeindevertretung der Gemeinde Hosenfeld hat in ihrer Sitzung am 27.03.2025 den Bebauungsplan Nr. 19 „Im Feld“ gem. § 10 BauGB als Satzung beschlossen und die Begründung einschließlich Umweltbericht mit integriertem Landschaftspflegerischem Fachbeitrag gebilligt.

Der Satzungsbeschluss wird hiermit ortsüblich bekannt gemacht. Gem. § 10 (3) BauGB tritt der Bebauungsplan Nr. 19 „Im Feld“ mit dieser Bekanntmachung in Kraft.

Der Planbereich des Bebauungsplans Nr. 19 „Im Feld“ und der Ausgleichsflächen ist in den nachstehenden Übersichtskarten dargestellt.

Einsichtnahme und Hinweise

Die Planunterlagen zu den oben genannten Bauleitplanverfahren mit den zugehörigen Unterlagen sowie den zusammenfassenden Erklärungen nach § 6a (1) bzw. § 10a (1) BauGB werden ab sofort im Bauamt der Gemeindeverwaltung Hosenfeld, Hainzeller Straße 1, 36154 Hosenfeld während der allgemeinen Dienststunden:

Montag bis Freitag

8:00 Uhr bis 12:00 Uhr

Mittwoch

14:00 Uhr bis 19:00 Uhr

für jede Person zur Einsicht bereitgehalten. Über den Inhalt wird auf Verlangen Auskunft erteilt. Die Dauer der Auslegung ist zeitlich nicht begrenzt.

Die Unterlagen zur Bauleitplanung können auch auf der Homepage der Gemeinde Hosenfeld unter folgendem Link https://www.gemeinde-hosenfeld.de/rathaus-politik/verwaltung/bebauungsplaene/ eingesehen und heruntergeladen werden. Ein entsprechender Verweis auf diese Seite erfolgt darüber hinaus im zentralen Internetportal des Landes Hessen unter https://bauleitplanung.hessen.de.

Gem. § 215 (1) BauGB werden

-

eine nach § 214 (1) S. 1 Nr.1 bis 3 BauGB beachtliche Verletzung der dort bezeichneten Verfahrens- und Formvorschriften,

-

eine unter Berücksichtigung des § 214 (2) BauGB beachtliche Verletzung der Vorschriften über das Verhältnis des Bebauungsplanes und des Flächennutzungsplanes und

-

nach § 214 (3) S. 2 BauGB beachtliche Mängel des Abwägungsvorganges

unbeachtlich, wenn sie nicht innerhalb eines Jahres seit dieser Bekanntmachung des Flächennutzungsplans oder der Satzung schriftlich gegenüber der Gemeinde Hosenfeld unter Darlegung des die Verletzung begründeten Sachverhalts geltend gemacht worden sind.

Gem. § 44 (5) BauGB wird darauf hingewiesen, dass der Entschädigungsberechtigte nach § 44 (3) BauGB Entschädigung verlangen kann, wenn die in den §§ 39 – 42 BauGB bezeichneten Vermögensnachteile eingetreten sind. Er kann die Fälligkeit des Anspruchs dadurch herbeiführen, dass er die Leistung der Entschädigung schriftlich bei dem Entschädigungspflichtigen beantragt. Nach § 44 (4) BauGB erlischt der Entschädigungsanspruch, wenn nicht innerhalb von drei Jahren nach Ablauf des Kalenderjahres, in dem die o. g. Vermögensnachteile eingetreten sind, die Fälligkeit des Anspruchs herbeigeführt wird.

Hosenfeld, den 20.06.2025

gez. Peter Malolepszy
Bürgermeister