Titel Logo
Mitteilungsblatt für die Gemeinde Hosenfeld
Ausgabe 28/2022
Amtliche Bekanntmachungen
Zurück zur vorigen Seite
Zurück zur ersten Seite der aktuellen Ausgabe

Bekanntmachung - Einziehung öffentlicher Wege in der Gemarkung Hosenfeld

Einziehung öffentlicher Wege in der Gemarkung Hosenfeld

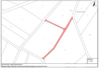
Für die beiden öffentlichen Wirtschaftswege in der Gemarkung Hosenfeld, Flur 9, Flurstück 9 (408 m²) und Flurstück 10 (1370 m²) Lage „Am Sieberzer Berg“, auf der jeweiligen gesamten Länge, besteht keine öffentliche Verwendung mehr und werden daher zum 15.07.2022 eingezogen.

Mit dem Tag des Wirksamwerdens der Einziehungsverfügung endet die Eigenschaft als öffentlicher Weg.

Die Ankündigung der Einziehung erfolgte gemäß des Hessischen Straßengesetzes (HStrG) in der Ausgabe Nr. 18/2022 des Mitteilungsblattes der Gemeinde Hosenfeld vom 06.05.2022.

Der nachstehende Planauszug mit der genauen Abgrenzung der betroffenen Fläche ist Bestandteil dieser Verfügung.

Rechtsbehelfsbelehrung:

Gegen diese Verfügung kann innerhalb eines Monats nach deren Bekanntgabe Widerspruch schriftlich oder zur Niederschrift beim Gemeindevorstand der Gemeinde Hosenfeld, Hainzeller Str. 1, 36154 Hosenfeld, erhoben werden.

Peter Malolepszy
Bürgermeister