Titel Logo
Mitteilungsblatt für die Gemeinde Hosenfeld
Ausgabe 29/2025
Amtliche Bekanntmachungen
Zurück zur vorigen Seite
Zurück zur ersten Seite der aktuellen Ausgabe

Amtliche Bekanntmachung Bebauungsplan Nr. 11 „Freiflächenphotovoltaikanlage Schläberig“ Gemeinde Hosenfeld, Gemarkungen Hainzell und Blankenau und Flächennutzungsplanänderung in diesem Bereich

Abb. 1: Geltungsbereich Bebauungsplan Nr. 11 „Freiflächenphotovoltaikanlage Schläberig“.

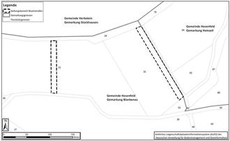
Abb. 2: Lage und Abgrenzung der Zusatzgeltungsbereiche des Bebauungsplans Nr.11 „Freiflächenphotovoltaikanlage Schläberig“.

Abb. 3: Geltungsbereich der FNP- Änderung zum Bebauungsplan Nr. 11 „Freiflächenphotovoltaikanlage Schläberig“.

Veranlassung und Ziele

Die Firma Gebrüder Hosenfeld Sägewerk GmbH beabsichtigt, auf einem ca. 2,8 ha großen Areal südlich von Hainzell eine Freiflächenphotovoltaikanlage zur Eigenversorgung des Sägewerks zu realisieren. Die in der Photovoltaikanlage gewonnene elektrische Energie soll in das firmeneigene Versorgungsnetz eingespeist und direkt im Betrieb genutzt werden. Der erhebliche Strombedarf des Betriebs soll damit langfristig gesichert bzw. selbst gedeckt werden. Mit der Eigenstromversorgung soll riskanten Strompreisschwankungen entgegengewirkt werden. Mit dem Bau der Anlage wird somit ein substanzieller Baustein zur langfristigen Standortsicherung gelegt. Das geplante Vorhaben entspricht damit den Grundsätzen des § 1 (6) Nr. 8a und 8c BauGB, wonach die Gemeinde bei ihrer Planung dem Erhalt, der Sicherung und Schaffung von Arbeitsplätzen sowie den Erfordernissen der Wirtschaft und auch ihrer mittelständischen Struktur Rechnung zu tragen hat.

Die Planung der Gemeinde Hosenfeld sieht die Bereitstellung einer landwirtschaftlichen Fläche für die Realisierung der Freiflächenphotovoltaikanlage vor und möchte an dieser Stelle dazu ein sonstiges Sondergebiet gem. § 11 (2) BauNVO mit der Zweckbestimmung „Erneuerbare Energien - Photovoltaikanlage“ ausweisen.

Das Plangebiet liegt ca. 700 m südlich von Hainzell sowie etwa 250 m südöstlich des Sägewerks und erstreckt sich auf mehrere Parzellen, die alle als Ackerfläche bewirtschaftet werden.

Der Geltungsbereich des sonstigen Sondergebiets mit der Zweckbestimmung: „Erneuerbaren Energien- Photovoltaikanlage“ hat eine Gesamtgröße von ca. 2,8 ha und beinhaltet die folgenden Flurstücke: Gemarkung Hainzell, Flur 8, Flst. 22, 23, 39 und 40. Der Planbereich ist in der nachstehenden Übersichtskarte dargestellt.

Der artenschutzrechtliche Ausgleich der mit der Umsetzung des Bebauungsplans einhergehenden Eingriffe ist durch CEF-Maßnahmen innerhalb von Zusatzgeltungsbereichen vorgesehen. Diese befinden sich in der Gemarkung Blankenau, Flur 1 und umfassen Teilflächen der Flurstücke 31 und 32. Innerhalb der Zusatzgeltungsbereiche ist die Anlage von Blühstreifen mit angrenzender Schwarzbrache auf einer Fläche von insg. ca. 0,36 ha geplant. Der Planbereich ist in der nachstehenden Übersichtskarte dargestellt.

Insgesamt (mit Zusatzgeltungsbereich der Blühstreifen) umfasst der räumliche Geltungsbereich eine Gesamtgröße von 3,16 ha.

Um dem Entwicklungsgebot zu entsprechen, wird im Zuge der Aufstellung des Bebauungsplanes der Flächennutzungsplan in dem erforderlichen Bereich gem. § 8 (3) S 1 BauGB im Parallelverfahren geändert. Inhalt der Änderung des Flächennutzungsplans ist, den bisher als „Fläche für die Landwirtschaft“ dargestellten Bereich in eine „Sonderbaufläche Photovoltaik“ umzuwidmen.

Bekanntmachung der Offenlage gem. § 3 (2) BauGB

Die Gemeindevertretung der Gemeinde Hosenfeld hat in ihrer Sitzung am 12.06.2025 die Entwürfe des Bebauungsplans Nr. 11 „Freiflächenphotovoltaikanlage Schläberig“ Gemeinde Hosenfeld, Gemarkungen Hainzell und Blankenau sowie der entsprechenden Flächennutzungsplanänderung einschließlich Begründungen und Umweltbericht mit integriertem Landschaftspflegerischen Fachbeitrag gebilligt und beschlossen, diese nach § 3 (2) BauGB im Internet zu veröffentlichen und öffentlich auszulegen.

Zur Unterrichtung der Öffentlichkeit werden der Inhalt dieser Bekanntmachung sowie die Planunterlagen zu den oben genannten Bauleitplanverfahren im Veröffentlichungszeitraum von Dienstag, den 22.07.2025 bis einschließlich Freitag, den 22.08.2025 auf der Homepage der Gemeinde Hosenfeld unter der folgenden Adresse: https://www.gemeinde-hosenfeld.de/site-wurzel/de/aktuelles-infos/amtliche-bekanntmachungen/ zur Einsicht bereitgestellt. Ein entsprechender Verweis auf diese Seite erfolgt auch über das zentrale Internetportal Bauleitplanung des Landes Hessen unter https://bauleitplanung.hessen.de/bebauungsplaene-in-hessen-a-z/g-i.

Die Planunterlagen zu oben genannten Bauleitplanverfahren liegen zusätzlich

von Dienstag, den 22.07.2025 bis einschließlich Freitag, den 22.08.2025

im Bauamt der Gemeindeverwaltung Hosenfeld, Hainzeller Straße 1, 36154 Hosenfeld während der allgemeinen Dienststunden sowie nach Vereinbarung zu jedermanns Einsicht öffentlich aus.

Montag bis Freitag

8:00 Uhr bis 12:00 Uhr

Mittwoch

14:00 Uhr bis 19:00 Uhr

Während der Auslegungsfrist können Stellungnahmen zu der Planung mündlich, schriftlich oder zur Niederschrift vorgebracht werden. Bevorzugt sollen die Stellungnahmen elektronisch unter bauleitplanung@gemeinde-hosenfeld.de und/ oder verfahren@regiokonzept.de übermittelt werden. Über den Inhalt wird auf Verlangen telefonisch unter der Rufnummer 06650 9620-0 oder über E-Mail an bauleitplanung@gemeinde-hosenfeld.de Auskunft gegeben. Zudem wird angeboten, die Planunterlagen elektronisch zur Einsicht zu verschicken.

Es wird darauf hingewiesen, dass nicht fristgerecht abgegebene Stellungnahmen bei der Beschlussfassung über den Bebauungsplan Nr.11 „Freiflächenphotovoltaikanlage Schläberig“ in der Gemeinde Hosenfeld, Gemarkungen Hainzell und Blankenau sowie die Flächennutzungsplanänderung in diesem Bereich gem. § 4a (5) BauGB unberücksichtigt bleiben können, sofern die Gemeinde Hosenfeld deren Inhalt nicht kannte und nicht hätte kennen müssen und deren Inhalt für die Rechtmäßigkeit der Bauleitplanung nicht von Bedeutung ist. Außerdem wird darauf hingewiesen, dass mit der Durchführung des Bauleitplanverfahrens ein Planungsbüro beauftragt wurde (§ 4b BauGB).

Gem. § 3 (3) BauGB wird bezüglich der Flächennutzungsplanänderung darauf hingewiesen, dass eine Vereinigung im Sinne des § 4 (3) S. 1 Nr. 2 Umwelt-Rechtsbehelfsgesetz (UmwRG) in einem Rechtsbehelfsverfahren nach § 7 (2) UmwRG gem. § 7 (3) S. 1 UmwRG mit allen Einwendungen ausgeschlossen ist, die sie im Rahmen der Auslegungsfrist nicht oder nicht rechtzeitig geltend gemacht hat, aber hätte geltend machen können.

Im Zusammenhang mit dem Datenschutz weisen wir ausdrücklich darauf hin, dass ein Bauleitplanverfahren ein öffentliches Verfahren ist und daher in der Regel alle dazu eingehenden Stellungnahmen in öffentlichen Sitzungen beraten und entschieden werden, sofern sich nicht aus der Art der Einwände oder der betroffenen Personen ausdrückliche oder offensichtliche Einschränkungen ergeben. Soll eine Stellungnahme nur anonym behandelt werden, ist dies auf derselben eindeutig zu vermerken.

Folgende umweltbezogene Informationen sind verfügbar und Bestandteil der Offenlageunterlagen:

Umweltbericht mit integriertem Landschaftspflegerischen Fachbeitrag (Regiokonzept 2025): Der Umweltbericht ist nach Maßgabe der Anlage 1 zum BauGB gegliedert und enthält Informationen zu den wesentlichen Auswirkungen auf die einzelnen Schutzgüter: Pflanzen, Tiere und biologische Vielfalt, Boden, Fläche, Wasser, Klima und Luft, Landschaftsbild, Mensch und Erholung sowie Kultur- und Sachgüter. Zudem wird im Rahmen des Umweltberichts (integrierter Landschaftspflegerischer Fachbeitrag) auf die Eingriffsregelungen eingegangen.

Artenschutzrechtlicher Fachbeitrag (Regiokonzept 2025): Artenschutzrechtlicher Fachbeitrag mit Informationen zu den Auswirkungen auf die gemeinschaftlich geschützten Arten des Anhangs IV der FFH- Richtlinie und die europäischen Vogelarten sowie die Prüfung, ob Verbotstatbestände nach § 44 Abs. 1 i. V. m. Abs. 5 BNatSchG erfüllt werden.

Im Rahmen des Beteiligungsverfahrens gem. §§ 3 (1) und 4 (1) BauGB sind zudem folgende umweltrelevante Stellungnahmen eingegangen:

Natur und Landschaft:

Regierungspräsidium Kassel - Dezernat Regionalplanung, Bauleitplanung (20.12.2024)

-

Der erforderliche Antrag auf Abweichung vom Regionalplan hat u. a. Aussagen zur Kompensation, die möglichst keine weiteren landwirtschaftlichen Flächen beanspruchen sollte, zu beinhalten.

Regierungspräsidium Kassel - Dezernat Grundwasserschutz, Wasserversorgung (11.12.2024)

-

Unter und zwischen den Solarmodulen soll extensives Grünland entwickelt werden. Es wird angeregt, hierbei auf eine Schafbeweidung zu verzichten oder zumindest die Besatzdichte auszuwählen und in den Unterlagen anzusprechen.

Regierungspräsidium Kassel - Dezernat Landwirtschaft, Fischerei (21.11.2024)

-

Eine Freiflächenphotovoltaikanlage (PV-FFA) stellt ein Gewerbe dar und ist kein landwirtschaftliches Vorhaben.

-

In Vorranggebieten für Landwirtschaft sind Nutzungen und Maßnahmen nicht zulässig, die die landwirtschaftliche Bodennutzung einschließlich Tierhaltung ausschließen oder wesentlich erschweren.

-

Auf der landwirtschaftlichen Nutzfläche sollte die Nahrungsmittelproduktion grundsätzlich Vorrang vor einer Flächennutzung durch PV-FFA haben.

-

Umwandlung von Ackerland in Grünland bewirkt nicht nur eine Wertminderung der Flächen, sondern erfüllt somit nach Jahren keine grundhafte Ernährungs- und Versorgungsfunktion mehr.

-

Entzug von Nährstoffen führt zu extremer Nährstoffverarmung der Fläche.

-

Durch die „integrierte“ Kompensation auf der PV-FFA Fläche könnten sich natur- und artenschutzrechtlich geschützte Pflanzen und Tiere ansiedeln.

Landkreis Fulda- Fachdienst Natur und Landschaft (19.12.2024)

-

Es sollte zumindest eine Kartierung der Feldlerche erfolgen.

Boden:

Regierungspräsidium Kassel - Dezernat Altlasten, Bodenschutz (11.12.2024)

-

Für den Planungsraum sind weder Altablagerungen, Altstandorte oder Grundwasserschadensfälle bekannt.

Landkreis Fulda- Fachdienst Wasser und Bodenschutz (19.12.2024)

-

Im Bauantragsverfahren sind die Angaben zu Wassergefährdungsklasse, Mengen. Sicherheits- und Rückhalteeinrichtungen hinsichtlich des verwendeten Kühlmittels für den Betrieb von Trafoanlagen vorzulegen.

Wasser:

Regierungspräsidium Kassel - Dezernat Grundwasserschutz, Wasserversorgung (11.12.2024)

-

Der Geltungsbereich befindet sich außerhalb amtlich festgesetzter und geplanter Wasser- und Heilquellenschutzgebiete und in keinem „Vorbehaltsgebiet für den Grundwasserschutz“.

-

Extensivierung trägt zum Schutz des Grundwassers bei.

Regierungspräsidium Kassel - Dezernat Oberirdische Gewässer, Hochwasserschutz (11.12.2024)

-

Im Vorhabengebiet sind keine Oberflächengewässer betroffen. Ein Überschwemmungsgebiet ist nicht vorhanden.

-

Der Graben, der östlich des südlichen Teils des Geltungsbereichs verläuft, ist zu erhalten und keiner Beeinträchtigung auszusetzen.

Landkreis Fulda- Fachdienst Wasser und Bodenschutz (19.12.2024)

-

Das Plangebiet entwässert aufgrund der Hanglage das Niederschlagswasser überwiegend über Wege- und Straßenseitengräben in Richtung Ortsteil Hainzell. Bei Starkregenereignissen kam es in der Vergangenheit zu Überflutungen.

-

Um die Niederschlagswasserversickerung „ortsnah“ zu fördern, wird die Ausbildung von Regenwassersickermulden/ -speichermulden unterhalb eines jeweiligen Modultisches empfohlen.

Sonstige Hinweise:

Regierungspräsidium Kassel - Dezernat Immissionsschutz (18.12.2024)

-

Keine relevanten Konflikte in Bezug auf den gewerblichen Immissionsschutz.

Regierungspräsidium Kassel - Dezernat Bergaufsicht (04.12.2024)

-

Das Vorhabengebiet wird von den Berechtigungsfeldern „Oberrode“ und „Himmelsberger-Salz“ (Steinsalz) überdeckt.

Regierungspräsidium Kassel - Dezernat Forsten, Jagd (21.11.2024)

-

Forstrechtliche Belange werden nicht berührt.

Regierungspräsidium Darmstadt – Kampfmittelräumdienst (11.12.2024)

-

Mit dem Auffinden von Bombenblindgängern ist nicht zu rechnen.

Landkreis Fulda- Fachdienst Immissionsschutz (19.12.2024)

-

Zur Ortslage hin kann keine Blendwirkung erfolgen.

Hosenfeld, den 18.07.2025

Peter Malolepszy

Bürgermeister