Titel Logo
Mitteilungsblatt für die Gemeinde Hosenfeld
Ausgabe 39/2024
Amtliche Bekanntmachungen
Zurück zur vorigen Seite
Zurück zur ersten Seite der aktuellen Ausgabe

Bebauungsplan Nr. 19 „Im Feld“ Gemeinde Hosenfeld, Gemarkung Hosenfeld und Flächennutzungsplanänderung in diesem Bereich

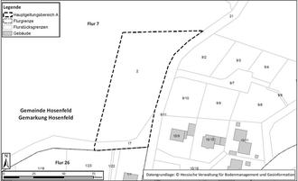
Abb. 1: Geltungsbereich Bebauungsplan Nr.19 „Im Feld“ (Hauptgeltungsbereich A)

Abb. 2: Geltungsbereich Bebauungsplan Nr. 19 „Im Feld“ (Zusatzgeltungsbereich B)

Bekanntmachung des Aufstellungsbeschlusses gem. § 2 (1) BauGB

Die Gemeindevertretung der Gemeinde Hosenfeld hat in ihrer Sitzung am 25.01.2024 den Beschluss zur Aufstellung des Bebauungsplanes Nr. 19 „Im Feld“ gem. § 2 (1) Baugesetzbuch (BauGB) gefasst. In o. g. Sitzung wurde von der Gemeindevertretung der Gemeinde Hosenfeld ebenfalls beschlossen, parallel zur Aufstellung des Bebauungsplanes Nr. 19 „Im Feld“ die Änderung des Flächennutzungsplanes in dem erforderlichen Teilbereich durchzuführen.

Der Aufstellungsbeschluss wird hiermit ortsüblich bekanntgemacht.

Frühzeitige Beteiligung gem. § 3 (1) BauGB

Die Gemeinde Hosenfeld beabsichtigt, auf einem ca. 0,5 ha großen Areal (Hauptgeltungsbereich A) am nördlichen Siedlungsrand der Gemeinde Hosenfeld ein ca. 0,4 ha großes Wohngebiet zu realisieren. Mit der geplanten Ausweisung soll nicht nur das Angebot an Bauplätzen für das Wohnen in der Gemeinde Hosenfeld erweitert werden, sondern auch zur Eigentumsbildung in der Bevölkerung beigetragen werden. Das geplante Vorhaben entspricht dem Grundsatz des § 1 (6) Nr. 2 Baugesetzbuch (BauGB), wonach den Wohnbedürfnissen der Bevölkerung Rechnung zu tragen ist. Ziel des Bebauungsplanes ist es, ein neues Wohngebiet zu entwickeln. Hierfür soll ein „Allgemeines Wohngebiet“ gem. § 4 Baunutzungsverordnung (BauNVO) ausgewiesen werden.

Die Planung der Gemeinde Hosenfeld sieht die Bereitstellung einer landwirtschaftlichen Fläche für die Entwicklung des Wohngebietes vor. Das geplante Wohngebiet wird erschlossen durch die Straße „Stümpferweg“, die sich in diesem Bereich derzeit im Ausbau befindet, mit Anbindung an die „Fuldaer Straße“.

Um dem Entwicklungsgebot zu entsprechen, wird im Zuge der Aufstellung des Bebauungsplanes der Flächennutzungsplan in dem erforderlichen Bereich gem. § 8 (3) S 1 BauGB im Parallelverfahren geändert. Inhalt der Änderung des Flächennutzungsplanes ist, den bisher als „Fläche für die Landwirtschaft“ dargestellten Bereich in eine „Wohnbaufläche““ umzuwidmen.

Das Plangebiet des Bebauungsplans (Hauptgeltungsbereich A) liegt am nördlichen Siedlungsrand der Ortslage Hosenfeld in der Gemarkung Hosenfeld. Im Osten grenzt ein befestigter landwirtschaftlicher Weg an, der an die Straße „Stümpferweg“ anschließt. Im Zuge der Erschließung des Wohngebietes „Alte Wiese“ (Bebauungsplan Nr. 17 „Alte Wiese) wird der landwirtschaftliche Weg bis zur dort geplanten Stichstraße ausgebaut. Im Norden grenzt das Plangebiet an landwirtschaftlich genutzte Flächen. Im Süden schließen ein unbefestigter Fußweg und gemischte Bauflächen mit überwiegend Wohnbebauung an.

Insgesamt umfasst der räumliche Geltungsbereich des Bebauungsplans (Hauptgeltungsbereich A) eine Gesamtgröße von ca. 4.595 m2 und beinhaltet die folgenden Flurstücke: Gemarkung Hosenfeld, Flur 7, die Flurstücke mit den Nummern 2 tlw. und 17 tlw.

Der Planbereich ist in der nachstehenden Übersichtskarte dargestellt.

Für den Ausgleich der mit der Umsetzung des Bebauungsplans einhergehenden Eingriffe ist eine externe Kompensationsmaßnahme innerhalb eines Zusatzgeltungsbereichs vorgesehen. Die Ausgleichsfläche liegt ca. 325 m westlich des geplanten Baugebietes. Sie wird westlich von der „Hainzeller Straße“ und östlich von der Jossa und einem Gehölzbestand begrenzt.

Der räumliche Geltungsbereich der Ausgleichsfläche (Zusatzgeltungsbereich B) umfasst eine Größe von ca. 6.000 m2 und beinhaltet das folgende Flurstück: Gemarkung Hosenfeld, Flur 6, Flurstück 15 (tlw.).

Insgesamt umfasst der Bebauungsplan Nr. 19 „Im Feld“ (Hauptgeltungsbereich A sowie Zusatzgeltungsbereich B) eine Gesamtfläche von ca. 10.595 m2.

Bekanntmachung der Offenlage gem. § 3 (1) BauGB

Zur frühzeitigen Unterrichtung der Öffentlichkeit werden der Inhalt dieser Bekanntmachung sowie die Planunterlagen zu den oben genannten Bauleitplanverfahren im Veröffentlichungszeitraum von Montag, den 07.10.2024 bis einschließlich Freitag, den 08.11.2024 auf der Homepage der Gemeinde Hosenfeld unter der folgenden Adresse: https://www.gemeinde-hosenfeld.de/site-wurzel/de/aktuelles-infos/amtliche-bekanntmachungen/ zur Einsicht bereitgestellt. Ein entsprechender Verweis auf diese Seite erfolgt auch über das zentrale Internetportal Bauleitplanung des Landes Hessen unter https://bauleitplanung.hessen.de/bebauungsplaene-in-hessen-a-z/g-i

Die Planunterlagen zu oben genannten Bauleitplanverfahren liegen zusätzlich

von Montag, den 07.10.2024 bis einschließlich Freitag, den 08.11.2024

im Bauamt der Gemeindeverwaltung Hosenfeld, Hainzeller Straße 1, 36154 Hosenfeld, während der allgemeinen Dienststunden sowie nach Vereinbarung zu jedermanns Einsicht öffentlich aus.

Montag bis Freitag

8:00 Uhr bis 12:00 Uhr

Mittwoch

14:00 Uhr bis 19:00 Uhr

Während der Auslegungsfrist können Stellungnahmen zu der Planung mündlich, schriftlich oder zur Niederschrift vorgebracht werden. Über den Inhalt wird auf Verlangen telefonisch unter der Rufnummer 06650/9620-27 oder über E-Mail an sum@gemeinde-hosenfeld.de Auskunft gegeben. Zudem wird angeboten, die Planunterlagen elektronisch zur Einsicht zu verschicken.

Es wird darauf hingewiesen, dass nicht fristgerecht abgegebene Stellungnahmen bei der Beschlussfassung über den Bebauungsplan Nr.19 „Im Feld“ gem. § 4a (5) BauGB unberücksichtigt bleiben können, sofern die Gemeinde Hosenfeld deren Inhalt nicht kannte und nicht hätte kennen müssen und deren Inhalt für die Rechtmäßigkeit der Bauleitplanung nicht von Bedeutung ist. Außerdem wird darauf hingewiesen, dass mit der Durchführung des Bauleitplanverfahrens ein Planungsbüro beauftragt wurde (§ 4b BauGB).

Gem. § 3 (3) BauGB wird bezüglich der Flächennutzungsplanänderung darauf hingewiesen, dass eine Vereinigung im Sinne des § 4 (3) S. 1 Nr. 2 Umwelt-Rechtsbehelfsgesetz (UmwRG) in einem Rechtsbehelfsverfahren nach § 7 (2) UmwRG gem. § 7 (3) S. 1 UmwRG mit allen Einwendungen ausgeschlossen ist, die sie im Rahmen der Auslegungsfrist nicht oder nicht rechtzeitig geltend gemacht hat, aber hätte geltend machen können.

Im Zusammenhang mit dem Datenschutz weisen wir ausdrücklich darauf hin, dass ein Bauleitplanverfahren ein öffentliches Verfahren ist und daher in der Regel alle dazu eingehenden Stellungnahmen in öffentlichen Sitzungen beraten und entschieden werden, sofern sich nicht aus der Art der Einwände oder der betroffenen Personen ausdrückliche oder offensichtliche Einschränkungen ergeben. Soll eine Stellungnahme nur anonym behandelt werden, ist dies auf derselben eindeutig zu vermerken.

Hosenfeld, den 27.09.2024

gez. Peter Malolepszy
Bürgermeister