Titel Logo
Kalbacher Nachrichten
Ausgabe 19/2024
Amtliche Bekanntmachungen
Zurück zur vorigen Seite
Zurück zur ersten Seite der aktuellen Ausgabe

Bauleitplanung der Gemeinde Kalbach, OT Mittelkalbach

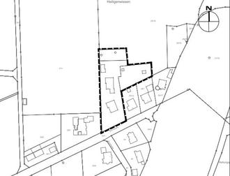
Bebauungsplan „Heiligenwiese“, Gemeinde Kalbach im OT Mittelkalbach

-

Bekanntmachung des Aufstellungsbeschlusses nach § 2 Abs. 1 BauGB

-

Durchführung der frühzeitigen Bürgerbeteiligung gemäß § 3 Abs. 1 BauGB

Die Gemeindevertretung der Gemeinde Kalbach hat am 14.07.2022 den Beschluss zur Aufstellung des Bebauungsplans „Heiligenwiese“ im OT Mittelkalbach gefasst. Der Aufstellungsbeschluss wird hiermit gemäß § 2 Abs.1 Baugesetzbuch (BauGB) bekannt gemacht.

Des Weiteren wurde in der Sitzung am 14.07.2022 die Durchführung der frühzeitigen Öffentlichkeitsbeteiligung gemäß §3 Abs. 1 BauGB und der Träger öffentlicher Belange §4 Abs. 1 BauGB beschlossen.

Planziel ist die Ausweisung einer Mischgebietsfläche, um Baurecht für die geplante Erweiterung des hier bestehenden Stukateurbetriebes - Firma Heil, im OT Mittelkalbach zu schaffen und so die wirtschaftliche Entwicklung des Familienbetriebes zu unterstützen.

Der Geltungsbereich umfasst das Flurstück 26/18 teilweise, Flur 5 der Gemarkung Mittelkalbach mit einer Größe von rund 4.650 m² (0,46 ha) und ist der anliegenden Übersichtskarte zu entnehmen.

Die Aufstellung des Bebauungsplans „Heiligenwiese“ erfolgt im Regelverfahren. Im Rahmen der Verfahren ist eine Umweltprüfung gem. § 2 Abs. 4 BauGB durchzuführen.

Da Bebauungspläne aus dem Flächennutzungsplan zu entwickeln sind, wird hier im Parallelverfahren zur Aufstellung des Bebauungsplans „Heiligenwiese“ auch die 54. Änderung des Flächennutzungsplans im Bereich des Geltungsbereichs des Bebauungsplans eingeleitet (§8 Abs. 3 BauGB).

Gemäß § 3 Abs. 1 BauGB (frühzeitige Beteiligung der Öffentlichkeit) liegt der Vorentwurf des Bebauungsplans „Heiligenwiese“ einschließlich der zugehörigen Begründung öffentlich zu jedermanns Einsicht in der Zeit

vom 13.05.2024 bis einschließlich 14.06.2024

im Rathaus der Gemeinde Kalbach, Bau- und Umweltamt, Hauptstraße 12, 36148 Kalbach aus und wird während folgender Dienststunden bereitgehalten, sofern nicht auf einen der genannten Tage ein gesetzlicher oder ortsüblicher Feiertag fällt:

Mo - Fr

8.00 Uhr bis 12.00 Uhr

Mo & Fr

13.00 Uhr bis 16.00 Uhr

Mi

13.00 Uhr bis 18.00 Uhr

Der Bebauungsplan kann während der Auslegungsfrist auch über die lnternetportale:

Gemeinde Kalbach:

www.gemeinde-kalbach.de

Land Hessen:

www.bauleitplanung.hessen.de

Büro KH Planwerk GmbH

https://www.kh-planwerk.de/aktuelles

gemäß § 4a Absatz 4 BauGB eingesehen und heruntergeladen werden.

Stellungnahmen können innerhalb der Auslegungsfrist schriftlich oder zur Niederschrift beim Gemeindevorstand der Gemeinde Kalbach, Hauptstraße 12, 36148 Kalbach, innerhalb der Dienststunden der Gemeindeverwaltung oder dem Planungsbüro KH Planwerk GmbH, Bahnhofstraße 6 in 99084 Erfurt, vorgebracht werden.

Gemäß § 4a Abs. 6 BauGB wird darauf hingewiesen, dass nicht innerhalb der Auslegungsfrist abgegebene Stellungnahmen bei der Beschlussfassung über den Bebauungsplan unberücksichtigt bleiben können, sofern die Gemeinde deren Inhalt nicht kannte und nicht hätte kennen müssen und deren Inhalt für die Rechtmäßigkeit des Bebauungsplanes nicht von Bedeutung ist.

Ein Antrag nach § 47 der Verwaltungsgerichtsordnung (VwGO) ist unzulässig, wenn mit ihm nur Einwendungen geltend gemacht werden, die im Rahmen der Auslegung nicht oder verspätet geltend gemacht wurden, aber hätten geltend gemacht werden können.

Es wird darauf hingewiesen, dass die Vorbereitung und Durchführung von Verfahrensschritten gemäß § 4b BauGB an ein Planungsbüro übertragen wurde.

Hinweis:

Die Bekanntmachung erfolgt am 10.05.2024 zusätzlich auf der Internetseite der Gemeinde Kalbach unter www.gemeinde-kalbach.de.

hier: räumlicher Geltungsbereich B-Plan „Heiligenwiese“ OT Mittelkalbach, Plan genordet, ohne Maßstab

Kalbach, den 10. Mai 2024

Der Gemeindevorstand
der Gemeinde Kalbach
Mark Bagus
Bürgermeister