Titel Logo
Kalbacher Nachrichten
Ausgabe 24/2024
Amtliche Bekanntmachungen
Zurück zur vorigen Seite
Zurück zur ersten Seite der aktuellen Ausgabe

Bauleitplanung Oberkalbach

Bebauungsplan „Bocksacker

Öffentliche Auslegung gemäß § 3 Abs. 2 Baugesetzbuch

Die Gemeindevertretung der Gemeinde Kalbach hat in ihrer Sitzung am 16.05.2024 beschlossen, den Bebauungsplan "Bocksacker" im OT Oberkalbach öffentlich auszulegen und die Beteiligung der Behörden und Träger öffentlicher Belange gem. § 4 Abs. 2 Baugesetzbuch durchzuführen.

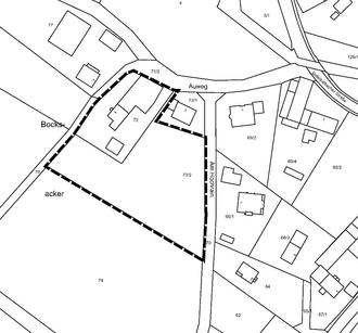
Der Bebauungsplan wird einen bestehenden Baubetrieb planungsrechtlich sichern und eine geringfügige Siedlungserweiterung ermöglichen, die sich in die bestehende Bebauungsstruktur am Ortsrand einfügt. Das Plangebiet hat eine Größe von ca. 6.300 qm und umfasst die Flurstücke Gemarkung Oberkalbach, Flur 1, Flurstück 72 und 73/2. Die Fläche der Ausgleichsmaßnahme entspricht dem Flurstück 19 in der Flur 12 der Gemarkung Oberkalbach. Die Lage des Baugebietes ist aus untenstehender Skizze ohne Maßstab ersichtlich:

Der Entwurf des Bebauungsplans liegt mit Begründung gem. § 3 Abs. 2 BauGB öffentlich aus in der Zeit vom

17.06.2024 bis einschließlich 19.07.2024

und kann während der allgemeinen Dienststunden (Mo bis Fr 8.00 bis 12.00 Uhr; Mo & Fr 13.00 bis 16.00 Uhr; Mi 13.00 bis 18.00 Uhr), eingesehen werden, sofern nicht auf die genannten Tage ein gesetzlicher oder ortsüblicher Feiertag fällt.

Der Entwurf kann mit weiteren Unterlagen auch über die Internetportale der Gemeinde Kalbach www.gemeinde-kalbach.de und des Landes Hessen www.bauleitplanung.hessen.de eingesehen und heruntergeladen werden.

Stellungnahmen können innerhalb der Auslegungsfrist schriftlich oder zur Niederschrift beim Gemeindevorstand der Gemeinde Kalbach, Hauptstraße 12, 36148 Kalbach, innerhalb der Dienststunden der Gemeindeverwaltung oder auch per Email: oliver.kottik@kalbach.de abgegeben werden.

Es wird darauf hingewiesen, dass nicht innerhalb der Auslegungsfrist abgegebene Stellungnahmen bei der Beschlussfassung über den Bebauungsplan unberücksichtigt bleiben können, sofern die Gemeinde Eichenzell deren Inhalt nicht kannte und nicht hätte kennen müssen und deren Inhalt für die Rechtmäßigkeit des Bauleitplans nicht von Bedeutung ist (§ 4 a Abs. 6 BauGB). Es wird weiterhin darauf hingewiesen, dass Dritte (Privatpersonen) mit der Abgabe einer Stellungnahme der Verarbeitung ihrer angegebenen Daten, wie z.B. Name, Anschrift, Telefonnummer, E-Mail-Adresse etc. zustimmen. Gemäß Artikel 6 Abs. 1c und 1e der Datenschutz-Grundverordnung (DSGVO) werden die Daten im Rahmen des Bauleitplanverfahrens für die gesetzlich bestimmten Dokumentationspflichten und für die Informationspflicht ihnen gegenüber genutzt.

Die Durchführung von Verfahrensschritten wurde einem Planungsbüro übertragen.

Für den Bebauungsplan wurde eine Umweltprüfung gemäß § 2 Abs. 4 BauGB durchgeführt. Auf Grundlage vorhandener Informationen und vollzogener Beteiligung der Öffentlichkeit und der Behörden sowie sonstiger Träger öffentlicher Belange liegen folgende, nach Einschätzung der Gemeinde Kalbach wesentlichen, umweltbezogenen Unterlagen zur Einsichtnahme vor:

1. Gemeindliche und übergeordnete Planungen:
  • Flächennutzungsplan der Gemeinde Kalbach
  • Regionalplan Nordhessen 2009
  • Landschaftsrahmenplan Nordhessen 2000
2. Umweltbericht zu der Planung im Vorentwurf mit Beschreibung von:
  • Inhalte und Ziele der Planung
  • Umweltbelange und –schutzziele, Berücksichtigung bei der Aufstellung
  • Standortbeschreibung mit vorsorgendem Bodenschutz, Bewertung der Bodenfunktionen im Sinne des Bundesbodenschutzgesetzes sowie des Grundwassers
  • Informationen zu folgenden Themen:
    Fläche, Boden und Geologie, Wasser, Arten und Biotope, Klima und Luft, Orts- und Landschaftsbild, Kulturgüter und sonstige Sachgüter, Mensch und menschliche Gesundheit, Erholung und entspr. Wechselwirkungen, Umweltentwicklung bei Nichtdurchführung der Planung, Planungsalternativen, Umweltschutz-Maßnahmen zur Eingriffsvermeidung und -minimierung sowie zum Ausgleich / Ersatz
3. Stellungnahmen aus der frühzeitigen Behörden-Beteiligung nach § 4(1)BauGB:
  • RP Kassel, Grundwasser-, Bodenschutz: Hinweis Minderungsmaßnahmen
  • LK Fulda, Immissionsschutz: Hinweis Baubetriebsemissionen
  • LK Fulda, Natur + Landschaft: Ausgleichsmaßnahme anpassen

Kalbach, den 14. Juni 2024

Mark Bagus

Bürgermeister