Titel Logo
Kalbacher Nachrichten
Ausgabe 30/2025
Amtliche Bekanntmachungen
Zurück zur vorigen Seite
Zurück zur ersten Seite der aktuellen Ausgabe

Bebauungsplan „Heiligenwiese“ im OT Mittelkalbach

Beteiligung der Öffentlichkeit gemäß § 3 Abs. 2 BauGB

Die Gemeindevertretung der Gemeinde Kalbach hat in ihrer Sitzung am 03.07.2025 über die Auswertung der im Rahmen der Beteiligung der Öffentlichkeit gemäß § 3 Abs.1 BauGB und der Beteiligung der Behörden und Träger öffentlicher Belange gemäß § 4 Abs 1 BauGB beraten und den vorliegenden Entwurf des Bebauungsplanes „Heiligenwiese“ im Ortsteil Mittelkalbach gebilligt. Weiterhin wurde die Durchführung der formellen Öffentlichkeitsbeteiligung gemäß § 3 Abs.2 BauGB und der Behörden und Träger Öffentlicher Belange gemäß § 4 Abs.2 BauGB beschlossen.

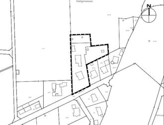
Der räumliche Geltungsbereich des Bebauungsplans „Heiligenwiese“ im Ortsteil Mittelkalbach befindet sich am nordöstlichen Ortsrand im Anschluss an die Straße „Bornhecke“. Der Geltungsbereich umfasst das Flurstück 26/18 teilweise, Flur 5 der Gemarkung Mittelkalbach mit einer Größe von rund 4.650 m² (0,46 ha) und ist der anliegenden Abbildung zu entnehmen.

Gemäß § 3 Abs. 2 BauGB (formelle Beteiligung der Öffentlichkeit) liegt der Entwurf des Bebauungsplans „Heiligenwiese“ einschließlich der Begründung und dem Umweltbericht zu jedermanns Einsicht

vom 28.07.2025 bis einschließlich 01.09.2025

im Rathaus der Gemeinde Kalbach, Bau- und Umweltamt, Hauptstraße 12, 36148 Kalbach aus und wird werden während folgender Dienststunden bereitgehalten, sofern nicht auf einen der genannten Tage ein gesetzlicher oder ortsüblicher Feiertag fällt:

Mo - Fr

8.00 Uhr bis 12.00 Uhr

Mo & Fr

13.00 Uhr bis 16.00 Uhr

Mi

13.00 Uhr bis 18.00 Uhr

Der Planentwurf sowie alle wichtigen Informationen und Unterlagen können während der Auslegungsfrist auch über die lnternetportale:

Gemeinde Kalbach:

www.gemeinde-kalbach.de

Land Hessen:

www.bauleitplanung.hessen.de

Büro KH Planwerk GmbH

www.kh-planwerk.de/aktuelles

gemäß § 4a Absatz 4 BauGB eingesehen und heruntergeladen werden.

Stellungnahmen können innerhalb der Auslegungsfrist schriftlich oder zur Niederschrift beim Gemeindevorstand der Gemeinde Kalbach, Hauptstraße 12, 36148 Kalbach, innerhalb der Dienststunden der Gemeindeverwaltung oder dem Planungsbüro KH Planwerk GmbH, Bahnhofstraße 6 in 99084 Erfurt, vorgebracht werden oder per Mail an oliver.kottik@kalbach.de und info@kh-planwerk.de gesendet werden.

Es liegen Informationen zu folgenden umweltrelevanten Aspekten vor:

1. Begründung mit Umweltsteckbrief zur 54. Änderung des Flächennutzungsplans im OT Mittelkalbach sowie der Umweltbericht zum Bebauungsplan „Heiligenweg“ im OT Mittelkalbach mit Beschreibung von:
  • Inhalten und Zielen der Planung
  • Umweltbelangen und –schutzziele, Berücksichtigung bei der Aufstellung
  • Standortbeschreibung mit vorsorgendem Bodenschutz, Bewertung der Bodenfunktionen sowie des Grundwassers
  • Informationen zu folgenden Themen:
    Boden und Fläche; Wasser; Klima und Luft; Tier, Pflanzen und biologische Vielfalt; Landschaft; Mensch, Gesundheit und Bevölkerung; Kultur- und sonstige Sachgüter, kulturelles Erbe; Wechselwirkungen zwischen den einzelnen Belangen des Umweltschutzes; grenzüberschreitende Auswirkungen des Vorhabens; Vermeidungs-, Minderungs- und Ausgleichsmaßnahmen sowie der naturschutzfachlichen Eingriffs-/Ausgleichsbilanzierung
2. Stellungnahmen aus der frühzeitigen Beteiligung nach § 4 (1) BauGB:
  • Bundesamt für Infrastruktur, Umweltschutz und Dienstleistungen der Bundeswehr: Hinweise zum vom Truppenübungsplatz Wildflecken ausgehenden Emissionen
  • DB Service Immobilien GmbH NL Frankfurt a. Main: Hinweise zu der von der Bahnstrecke 1733 Hannover – Kassel – Würzburg ausgehenden Emissionen, zur Einhaltung der Funktionstüchtigkeit der Strecke, Umgang mit Oberleitungen, Baukränen, Photovoltaikanlagen, Beleuchtungsanlagen, Vegetation sowie allgemeine Hinweise und Auflagen für die späteren Bauarbeiten
  • Hessisch. Gesellschaft für Ornithologie und Naturschutz e.V.: Hinweise und Anregungen zum Umweltsteckbrief – Planungsrelevanter Arten, Vermeidungs- und Ausgleichsmaßnahmen
  • Landkreis Fulda – FD Gefahrenabwehr / Brandschutz: Hinweise zur Löschwasserversorgung und Aufstellflächen der Feuerwehr
  • Landkreis Fulda – FD Bauen und Wohnen – Bauaufsicht: Hinweis zur Festsetzung der baulichen Maße und Bauordnungsrechten Festsetzungen, hier Beleuchtung
  • Landkreis Fulda – FD Wasser und Bodenschutz: Hinweise zur Entwässerung des Gebietes und Abwasserbeseitigung
  • Landkreis Fulda – FD Natur und Landschaft: Hinweise zur Erhaltung von Gehölzbeständen sowie zur aktuellen Nutzung und noch durchzuführenden Eingriffs-/Ausgleichsbilanzierung und Beachtung der Bestandsgehölze
  • Landkreis Fulda – Gesundheitsamt: Hinweise zur Beachtung der Allgemeinen Technischen Regeln zur Trinkwasserinstallation
  • Regierungspräsidium Kassel - Grundwasserschutz, Wasserversorgung: Hinweis, dass sich der Geltungsbereich außerhalb von amtlich festgesetzten Wasserschutz- bzw. Heilquellenschutzgebieten befindet.
  • Regierungspräsidium Kassel - Altlasten, Bodenschutz: es sind weder Altablagerungen oder Altstandorte noch Grundwasserschadensfälle (Gewässerverunreinigungen im Sinne von § 57 des HWG) bekannt; Hinweise zu betrachtenden Bodenfunktionen im Umweltbericht sowie deren Auswirkung auf das Schutzgut Boden und das keine Altlastenverdachtsflächen etc. im Geltungsbereich bekannt sind sowie Verweis auf die Durchführung einer boden-funktionalen Kompensationsbetrachtung im Zuge der Erstellung des Umweltberichtes
  • Regierungspräsidium Kassel – Naturschutz: Hinweise zur Erstellung des Umweltberichtes und Beachtung der Bestandsgehölze
  • Regierungspräsidium Kassel – Oberirdische Gewässer, Hochwasserschutz: Hinweis das keine natürliche Gewässer sowie Überschwemmungsgebiete innerhalb des Geltungsbereiches liegen,
  • Regierungspräsidium Kassel – Immissionsschutz: immissionsschutzrechtliche Belange sind nicht betroffen
  • Regierungspräsidium Kassel – Regionalplanung: aus regionalplanerischer Sicht entsteht keine Betroffenheit
  • Regierungspräsidium Kassel – Bergaufsicht: es stehen keine Belange des Bergbaus dem Vorhaben entgegen
  • Regierungspräsidium Kassel – Forsten und Jagd: es stehen keine forstrechtlichen Belange dem Vorhaben entgegen

Die entsprechenden Unterlagen können während der Auslegung eingesehen werden.

Gemäß § 4a Abs. 6 BauGB wird darauf hingewiesen, dass nicht innerhalb der Auslegungsfrist abgegebene Stellungnahmen bei der Beschlussfassung über den Bebauungsplan unberücksichtigt bleiben können, sofern die Gemeinde deren Inhalt nicht kannte und nicht hätte kennen müssen und deren Inhalt für die Rechtmäßigkeit des Bebauungsplanes nicht von Bedeutung ist.

Weiterhin wird darauf hingewiesen, dass Dritte (Privatpersonen) mit der Abgabe einer Stellungnahme der Verarbeitung ihrer angegebenen Daten, wie z.B. Name, Anschrift, Telefonnummer, E-Mail-Adresse etc. zustimmen. Gemäß Artikel 6 Abs. 1c und 1e der Datenschutz-Grundverordnung (DSGVO) werden die Daten im Rahmen des Bauleitplanverfahrens für die gesetzlich bestimmten Dokumentationspflichten und für die Informationspflicht ihnen gegenüber genutzt.

Ein Antrag nach § 47 der Verwaltungsgerichtsordnung (VwGO) ist unzulässig, wenn mit ihm nur Einwendungen geltend gemacht werden, die im Rahmen der Auslegung nicht oder verspätet geltend gemacht wurden, aber hätten geltend gemacht werden können.

Es wird darauf hingewiesen, dass die Vorbereitung und Durchführung von Verfahrensschritten gemäß § 4b BauGB an ein Planungsbüro übertragen wurde.

hier: räumlicher Geltungsbereich B-Plan „Heiligenwiese“, OT Mittelkalbach, Gemeinde Kalbach genordet, ohne Maßstab

Kalbach, 25. Juli 2025

Der Gemeindevorstand

der Gemeinde Kalbach

gez. Mark Bagus

Bürgermeister