Titel Logo
Kalbacher Nachrichten
Ausgabe 34/2022
Amtliche Bekanntmachungen
Zurück zur vorigen Seite
Zurück zur ersten Seite der aktuellen Ausgabe

Amtliche Bekanntmachung Aufstellungsbeschluss und Bürgerbeteiligung nach §3Abs.2 BauGB B-Plan Oberhalb der Mariengrotte

Amtliche Bekanntmachung der Gemeinde Kalbach

Aufstellung Bebauungsplan „Oberhalb der Mariengrotte“ im Ortsteil Mittelkalbach

(im beschleunigten Verfahren gemäß § 13b Baugesetzbuch)

a)

Bekanntmachung des Aufstellungsbeschlusses gemäß § 2 Abs. 1 BauGB

b)

Beteiligung der Öffentlichkeit gemäß § 3 Abs. 2 BauGB

a)

Die Gemeindevertretung der Gemeinde Kalbach hat in ihrer Sitzung am 14.07.2022 den Beschluss zur Aufstellung des Bebauungsplans „Oberhalb der Mariengrotte“ im Ortsteil Mittelkalbach gefasst. Der Aufstellungsbeschluss wird hiermit gemäß § 2 Abs.1 Baugesetzbuch (BauGB) bekannt gemacht.

Der Bebauungsplan dient der Ausweisung eine Allgemeinen Wohngebietes zur Schaffung von Baurecht für neue Wohnbebauung im Ortsteil Mittelkalbach. Das Plangebiet befindet sich im direkten Siedlungsanschluss des Ortsteils Mittelkalbach, durch die vorhandene Straße (Bornhecke), die bestehenden Kanal- und Mischwasserleitungen ist eine Erschließung des Gebietes bereits gesichert.

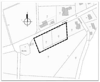
Der Geltungsbereich hat eine Größe von ca. 0,43 ha (4.299 m²) und umfasst die Grundstücke in der Gemarkung Mittelkalbach, Flur 18, Flurstücke 35/2, 35/3 und Flurstück 35/7 teilweise und ist der anliegenden Abbildung zu entnehmen.

b)

Das Verfahren erfolgt nach § 13b BauGB zur Einbeziehung von Außenbereichsflächen in das beschleunigte Verfahren. Die Bestimmungen des § 13a BauGB sind entsprechend anzuwenden.

Gemäß § 13a Abs. 2 Nr. 1 BauGB i.V.m. § 13 Abs. 2 Nr. 1 BauGB wird von der frühzeitigen Unterrichtung der Öffentlichkeit und der Behörden und der sonstigen Träger öffentlicher Belange gemäß § 3 Abs. 1 und § 4 Abs. 1 BauGB abgesehen. Der Öffentlichkeit sowie den Behörden und den sonstigen Trägern öffentlicher Belange wird Gelegenheit zur Stellungnahme gemäß § 13 Abs. 2 Satz 1 Nr. 2 und Nr. 3 BauGB i.V.m. § 3 Abs. 2 und § 4 Abs. 2 BauGB gegeben.

Es wird darauf hingewiesen, dass gemäß § 13a Abs. 2 Nr. 1 BauGB i.V.m. § 13 Abs. 3 Nr. 1 BauGB von der Umweltprüfung (§ 2 Abs. 4 BauGB), vom Umweltbericht (§ 2a BauGB), von der Angabe, welche Arten umweltbezogener Informationen verfügbar sind (§ 3 Abs. 2 Satz 2 BauGB) sowie von der zusammenfassenden Erklärung (§ 10a Abs. 1 BauGB) abgesehen wird.

Der Planentwurf einschließlich der zugehörigen Begründung sowie bereits vorliegende umweltbezogene Stellungnahmen werden öffentlich zu jedermanns Einsicht

vom 05.09.2022 bis einschließlich 05.10.2022

im Rathaus der Gemeinde Kalbach, Bau- und Umweltamt, Hauptstraße 12, 36148 Kalbach aus und werden während folgender Dienststunden bereitgehalten, sofern nicht auf einen der genannten Tage ein gesetzlicher oder ortsüblicher Feiertag fällt:

Mo - Fr

08.00 Uhr bis 12.00 Uhr

Mo & Fr

13.00 Uhr bis 16.00 Uhr

Mi

13.00 Uhr bis 18.00 Uhr

Der Planentwurf sowie alle wichtigen Informationen und Unterlagen können während der Auslegungsfrist auch über die lnternetportale:

Gemeinde Kalbach:

www.gemeinde-kalbach.de

Land Hessen:

www.bauleitplanung.hessen.de

Büro KH Planwerk GmbH

https://www.kh-planwerk.de/aktuelles

gemäß § 4a Absatz 4 BauGB eingesehen und heruntergeladen werden.

Stellungnahmen können innerhalb der Auslegungsfrist schriftlich oder zur Niederschrift beim Gemeindevorstand der Gemeinde Kalbach, Hauptstraße 12, 36148 Kalbach, innerhalb der Dienststunden der Gemeindeverwaltung vorgebracht werden.

Sollten während des Beteiligungszeitraums aufgrund der Corona-Pandemie Zugangsbeschränkungen ganz oder zeitweise bestehen, gilt hier, dass bis zur Aufhebung der Zugangsbeschränkungen aufgrund der Corona-Pandemie eine Einsichtnahme nur nach telefonischer Vereinbarung möglich sein dürfte. Die Zugangsbeschränkungen und die Vereinbarung zur Einsichtnahme sind telefonisch unter folgender Nummer zu erfragen: 06655 / 9654-0.

Gemäß § 4a Abs. 6 BauGB wird darauf hingewiesen, dass nicht innerhalb der Auslegungsfrist abgegebene Stellungnahmen bei der Beschlussfassung über den Bebauungsplan unberücksichtigt bleiben können, sofern die Gemeinde deren Inhalt nicht kannte und nicht hätte kennen müssen und deren Inhalt für die Rechtmäßigkeit des Bebauungsplanes nicht von Bedeutung ist.

Ein Antrag nach § 47 der Verwaltungsgerichtsordnung (VwGO) ist unzulässig, wenn mit ihm nur Einwendungen geltend gemacht werden, die im Rahmen der Auslegung nicht oder verspätet geltend gemacht wurden, aber hätten geltend gemacht werden können.

Es wird darauf hingewiesen, dass die Vorbereitung und Durchführung von Verfahrensschritten gemäß § 4b BauGB an ein Planungsbüro übertragen wurde.

Hinweis:

Die Bekanntmachung erfolgt am 26.08.2022 zusätzlich auf der Internetseite der Gemeinde Kalbach unter www.gemeinde-kalbach.de.

hier: räumlicher Geltungsbereich B-Plan „Oberhalb der Mariengrotte“ OT Mittelkalbach, Plan genordet, ohne Maßstab

Kalbach, 26. August 2022

Der Gemeindevorstand der Gemeinde Kalbach
Mark Bagus
Bürgermeister