Titel Logo
Kalbacher Nachrichten
Ausgabe 8/2024
Amtliche Bekanntmachungen
Zurück zur vorigen Seite
Zurück zur ersten Seite der aktuellen Ausgabe

Bauleitplanung Oberkalbach

Bebauungsplan „Bocksacker“

Bekanntgabe des Aufstellungsbeschlusses gemäß § 2 Abs. 1 Baugesetzbuch
Frühzeitige Beteiligung der Öffentlichkeit gemäß § 3 Abs. 1 Baugesetzbuch

Die Gemeindevertretung hat am 01.02.2024 beschlossen, den Bebauungsplan "Bocksacker" im OT Oberkalbach aufzustellen.

Der Bebauungsplan soll einen bestehenden Baubetrieb planungsrechtlich sichern und eine geringfügige Siedlungserweiterung ermöglichen, die sich in die bestehende Bebauungsstruktur am Ortsrand einfügt. Der Bebauungsplan wird im "Normalverfahren" mit Durchführung einer Umweltprüfung nach § 2 Abs. 4 BauGB und Eingriffsausgleich aufgestellt.

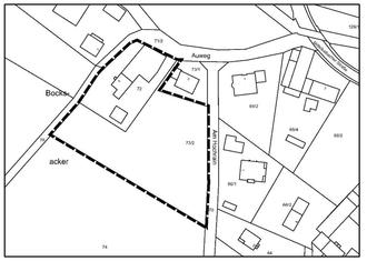
Das Plangebiet hat eine Größe von ca. 6.300 qm und umfasst die Flurstücke Gemarkung Oberkalbach, Flur 1, Flurstück 72 und 73/2. Die Lage ist aus untenstehender Skizze ohne Maßstab ersichtlich:

Die Bauleitplanung kann im Vorentwurf im Rahmen der frühzeitigen Öffentlichkeitsbeteiligung nach § 3 Abs. 1 BauGB in der Zeit vom

26.02.2024 bis einschließlich 22.03.2024

während der allgemeinen Dienststunden (Mo bis Fr 8.00 bis 12.00 Uhr; Mo & Fr 13.00 bis 16.00 Uhr; Mi 13.00 bis 18.00 Uhr) eingesehen werden, sofern nicht auf die genannten Tage ein gesetzlicher oder ortsüblicher Feiertag fällt. Der Vorentwurf kann auch auf der Internetseite der Gemeinde eingesehen und heruntergeladen werden: www.gemeinde-kalbach.de

Anregungen können innerhalb der Frist schriftlich oder zur Niederschrift beim Gemeindevorstand der Gemeinde Kalbach, Hauptstraße 12, 36148 Kalbach, oder auch per Email: bauamt@kalbach.de abgegeben werden. Es wird darauf hingewiesen, dass Dritte (Privatpersonen) mit der Abgabe einer Stellungnahme der Verarbeitung ihrer angegebenen Daten, wie z.B. Name, Anschrift, Telefonnummer, E-Mail-Adresse etc. zustimmen. Gemäß Artikel 6 Abs. 1c und 1e der Datenschutz-Grundverordnung (DSGVO) werden die Daten im Rahmen des Bauleitplanverfahrens für die gesetzlich bestimmten Dokumentationspflichten und für die Informationspflicht ihnen gegenüber genutzt.

Kalbach, den 23.02.2024