Titel Logo
Kirchheimer Nachrichten
Ausgabe 28/2022
Amtliche Bekanntmachungen
Zurück zur vorigen Seite
Zurück zur ersten Seite der aktuellen Ausgabe

Bauleitplanung der Gemeinde Kirchheim, Gemarkung Kirchheim

genordet, ohne Maßstab

genordet, ohne Maßstab

17. Änderung des Flächennutzungsplanes im Bereich „Heiliger Acker / Eichäcker“

Bekanntmachung der Beteiligung der Öffentlichkeit gemäß § 3 Abs. 2 Baugesetzbuch (BauGB)

Die Gemeindevertretung der Gemeinde Kirchheim hat in ihrer Sitzung am 29.10.2020 die Aufstellung der 17. Änderung des Flächennutzungsplanes im Bereich „Heiliger Acker / Eichäcker“ und am 30.06.2022 die Offenlegung des Entwurfs der Flächennutzungsplan-Änderung beschlossen. Mit der 17. Änderung des Flächennutzungsplanes soll im Bereich des Plangebietes ein im Flächennutzungsplan der Gemeinde Kirchheim bislang als „Flächen für die Landwirtschaft“ dargestellter Bereich umgewidmet werden, um somit auf Ebene der vorbereitenden Bauleitplanung die planungsrechtlichen Voraussetzungen für die geplante Errichtung einer Freiflächen-Photovoltaikanlage im Zuge der Aufstellung des Bebauungsplanes Nr. 34 Freiflächen-Photovoltaikanlage „Heiliger Acker / Eichäcker“ zu schaffen. Das Planziel der 17. Änderung des Flächennutzungsplanes ist die Darstellung von Sonderbauflächen gemäß § 1 Abs. 1 Nr. 4 Baunutzungsverordnung (BauNVO) mit der Zweckbestimmung „Photovoltaik“ zulasten der bisherigen Darstellungen.

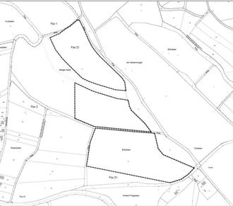
Der räumliche Geltungsbereich der 17. Änderung des Flächennutzungsplanes umfasst Flächen in der Gemarkung Kirchheim, Flur 21. Die Lage des Plangebietes sowie die Abgrenzung des räumlichen Geltungsbereiches kann den nachfolgenden Übersichtskarten entnommen werden.

Der Entwurf der 17. Änderung des Flächennutzungsplanes mit Begründung und Umweltbericht sowie die im bisherigen Verfahren eingegangenen umweltrelevanten Stellungnahmen liegen in der Zeit von

Montag, dem 25.07.2022 bis einschließlich Freitag, dem 02.09.2022

im Rathaus der Gemeinde Kirchheim, Bauamt, Hauptstraße 20, 36275 Kirchheim, Zimmer 13, während der allgemeinen Dienststunden der Verwaltung zu jedermanns Einsicht öffentlich aus. Die Öffnungszeiten der Gemeindeverwaltung sind:

Montag bis Freitag

08.00 Uhr bis 12.00 Uhr

Montag bis Mittwoch

14.00 Uhr bis 16.00 Uhr

Donnerstag

14.00 Uhr bis 18.00 Uhr

In Ausnahmefällen sind auch andere Termine nach vorheriger Vereinbarung möglich. Aufgrund der anhaltenden COVID-19-Pandemie ist der Besuch des Rathauses grundsätzlich nur nach vorheriger telefonischer Terminabsprache unter Einhaltung der aktuellen Hygienevorschriften möglich. Termine vereinbaren Sie bitte unter der Rufnummer 06625-9200-0.

Während des oben genannten Zeitraums der Offenlegung können von jedermann Stellungnahmen abgegeben werden. Es wird darauf hingewiesen, dass nicht fristgerecht abgegebene Stellungnahmen bei der Beschlussfassung über den Bauleitplan unberücksichtigt bleiben können.

Der Inhalt dieser Bekanntmachung sowie die ausliegenden Unterlagen stehen während der Auslegungsfrist auch online unter der Adresse www.kirchheim.de/seite/347468/bebauungs-flächennutzungspläne-im-verfahren.html zur Verfügung.

Folgende Arten umweltbezogener Informationen liegen vor:

a) Umweltbericht mit integriertem landschaftspflegerischem Planungsbeitrag: Kapitel zu den standörtlichen Rahmenbedingungen, Inhalten, Zielen und Festsetzungen des Planes, der Einordnung des Plangebietes und den in einschlägigen Fachgesetzen und Fachplänen festgelegten Zielen des Umweltschutzes, zu Emissionen, Abfällen und Abwässern, zur Nutzung von Energie sowie zum Umgang mit Fläche, Grund und Boden. Beschreibung und Bewertung der voraussichtlichen erheblichen Umweltauswirkungen der Planung einschließlich der Maßnahmen zu ihrer Vermeidung, Verhinderung, Verringerung bzw. ihrem Ausgleich. Die Betrachtung der umweltrelevanten Schutzgüter umfasst dabei:

  • Boden und Fläche: Bestandsbeschreibung, Bodenentwicklungsprognose, Altlasten und Bodenbelastungen, Kampfmittel, Vermeidungs- und Minimierungsmaßnahmen, Eingriffsbewertung.
  • Wasser: Bestandsbeschreibung, Vermeidungs- und Minimierungsmaßnahmen, Eingriffsbewertung.
  • Luft, Klima und Folgen des Klimawandels: Bestandsbeschreibung und Eingriffsbewertung.
  • Pflanzen, Biotop- und Nutzungstypen: Beschreibung der Biotop- und Nutzungsstrukturen (Vegetationsaufnahme) und deren naturschutzfachlicher Wertigkeit, Bestands- und Eingriffsbewertung.
  • Tiere und artenschutzrechtliche Belange: Zusammenfassung der faunistischen Erhebungen und der Ergebnisse der artenschutzrechtlichen Prüfung im Artenschutzrechtlichen Fachbeitrag. Vorkommen artenschutzrechtlich relevanter Vogelarten, Benennung und Beschreibung von Vermeidungs- und Kompensationsmaßnahmen, Bestands- und Eingriffsbewertung.
  • Natura-2000-Gebiete und sonstige Schutzgebiete: Benennung der nächstgelegenen Natura-2000-Gebiete. Natura-2000-Prognose bezüglich des Vogelschutzgebietes Nr. 5022-401 „Knüll“ mit Benennung der Erhaltungsziele und Beurteilung der Auswirkungen durch das Planvorhaben.
  • Gesetzlich geschützte Biotope und Flächen mit rechtlichen Bindungen: Benennung bekannter gesetzlich geschützter Biotope und Eingriffsbewertung.
  • Biologische Vielfalt: Wirkungen der Planung auf die biologische Vielfalt, Eingriffsbewertung.
  • Landschaft: Auswirkungen auf das Landschaftsbild, Eingriffsbewertung.
  • Mensch, Wohn- und Erholungsqualität: Bestandsbeschreibung und Eingriffsbewertung.
  • Kulturelles Erbe und Denkmalschutz: Verweis auf gesetzliche Regelungen zum Umgang mit Bodendenkmalen.
  • Risiken für die menschliche Gesundheit, das kulturelle Erbe oder für planungsrelevante Schutzgüter durch Unfälle und Katastrophen
  • Wechselwirkungen: Wirkungen der Planung auf die umweltrelevanten Schutzgüter und Eingriffsbewertung.

Ferner umfasst der Umweltbericht Aussagen zur Berücksichtigung der Eingriffsregelung auf Ebene der verbindlichen Bauleitplanung, eine Prognose der voraussichtlichen Entwicklung des Umweltzustands bei Nicht-Durchführung der Planung, Angaben zu den in Betracht kommenden anderweitigen Planungsmöglichkeiten und wesentlichen Gründen für die Standortwahl sowie Ausführungen zur Überwachung der erheblichen Umweltauswirkungen (Monitoring) und eine allgemeinverständliche Zusammenfassung sowie eine Bestandkarte zu den Biotop- und Nutzungstypen.

b) Im Rahmen der frühzeitigen Beteiligung der Öffentlichkeit gemäß § 3 Abs. 1 BauGB sowie der Behörden und sonstigen Träger öffentlicher Belange gemäß § 4 Abs. 1 BauGB sind folgende Stellungnahmen mit umweltrelevanten Informationen eingegangen bzw. umweltrelevante Themen angesprochen worden:

  • HessenForst, Forstamt Bad Hersfeld (26.04.2021): Angrenzende Lage von Waldflächen mit forstrechtlicher Bewertung und Bestandsbeschreibung. Forderung Waldabstand und Erhalt bestehender Waldflächen (Hinweise wurden zur Kenntnis genommen; der Anregung zur Einhaltung eines Waldabstandes wurde auf Ebene der verbindlichen Bauleitplanung nicht entsprochen).
  • Kreisausschuss des Landkreises Hersfeld-Rotenburg, Landwirtschaft und Forsten (21.04.2021): Betroffenheit von Ackerflächen, Hinweise zur Umwandlung von intensivem Ackerland in extensives Grünland (Hinweise wurden zur Kenntnis genommen).
  • Regierungspräsidium Kassel, Naturschutz und Landschaftspflege (26.04.2021): Hinweise und Anregungen zur Eingriffs- und Ausgleichsplanung (Hinweise wurden zur Kenntnis genommen; Anregungen wurde auf Ebene der verbindlichen Bauleitplanung entsprochen). Hinweise und Anregungen zu den beabsichtigten Vermeidungs- und Minimierungsmaßnahmen (Hinweise wurden zur Kenntnis genommen; Anregungen wurde auf Ebene der verbindlichen Bauleitplanung zum Teil entsprochen), Hinweise und Anregungen zur Berücksichtigung der artenschutzrechtlichen Belange und des gesetzlichen Artenschutzes in der Planung (Hinweise wurden zur Kenntnis genommen; der erforderliche artenschutzrechtliche Ausgleich wird im Zuge der Schaffung eines Ersatzhabitats erbracht und auf Ebene der verbindlichen Bauleitplanung im Bebauungsplan geregelt). Anregung zur Prüfung der Natura-2000-Verträglichkeit (Anregung wurde entsprochen).
  • Regierungspräsidium Kassel, Regionalplanung (13.04.2021): Hinweise zu Klimafunktionen (Hinweise wurden zur Kenntnis genommen).
  • Regierungspräsidium Kassel, Grundwasserschutz, Wasserversorgung, Altlasten, Bodenschutz (26.04.2021): Grundwasserschutz, nachsorgender und vorsorgender Bodenschutz.

Es wird darauf hingewiesen, dass nach § 4b BauGB ein Planungsbüro mit der Durchführung des Verfahrens beauftragt worden ist. Zudem wird darauf hingewiesen, dass eine Vereinigung i.S.d. § 4 Abs. 3 Satz 1 Nr. 2 Umwelt-Rechtsbehelfsgesetz (UmwRG) in einem Rechtsbehelfsverfahren nach § 7 Abs. 2 UmwRG gemäß § 7 Abs. 3 Satz 1 UmwRG mit allen Einwendungen ausgeschlossen ist, die sie im Rahmen der Auslegungsfrist nicht oder nicht rechtzeitig geltend gemacht hat, aber hätte geltend machen können.

Kirchheim, den 11.07.2022

Der Gemeindevorstand
Manfred Koch
Bürgermeister
Übersichtskarte zur Lage des Plangebietes

Räumlicher Geltungsbereich der 17. Änderung des Flächennutzungsplanes