Titel Logo
Lahnau Nachrichten
Ausgabe 2/2026
Amtliche Bekanntmachungen
Zurück zur vorigen Seite
Zurück zur ersten Seite der aktuellen Ausgabe

Gesamte Niederschrift der Gemeindevertretersitzung 11.12.2025

Gemeindevertretung der Gemeinde Lahnau

GESAMTE NIEDERSCHRIFT

der 48. Sitzung XI. Wahlperiode der Gemeindevertretung der Gemeinde Lahnau

am Donnerstag, 11.12.2025, 18:32 Uhr bis 20:05 Uhr

im Bürgerhaus Atzbach, großer und kleiner Saal.

Anwesenheiten

Vorsitz:

Vorsitzender der Gemeindevertretung Döpp, Ronald (CDU)

Anwesend:

stellv. Vorsitzende der Gemeindevertretung Mandler, Birgit (FWG Lahnau)

stellv. Vorsitzender der Gemeindevertretung Perkitny, Ulf (SPD)

stellv. Vorsitzender der Gemeindevertretung Velten, Markus (4U)

Gemeindevertreter Adam, Markus (4U)

Gemeindevertreter Beitz, Michael (CDU)

Gemeindevertreter Bepler, Eberhard (FWG Lahnau)

Gemeindevertreterin Bittorf, Anika (SPD)

Gemeindevertreterin Cengiz, Selda (SPD)

Gemeindevertreter Ehrhard, Timo (CDU)

Gemeindevertreter Eichhorn, Roland (SPD)

Gemeindevertreterin Fay, Anja (SPD)

Gemeindevertreter Feiling, Otfried (SPD)

Gemeindevertreterin Hoffer-Lorisch, Monika (4U)

Gemeindevertreter Koch, Norbert (CDU)

Gemeindevertreter Prof. Dr. Rauber, Klaus (SPD)

Gemeindevertreterin Dr. Roozbeh, Nikoo (CDU)

Gemeindevertreter Sauter, Dennis (CDU)

Gemeindevertreter Schmidt, Dieter (SPD)

Gemeindevertreterin Seliger, Alexandra (FWG Lahnau)

Gemeindevertreterin Prof. Dr. Volkmann, Christine (CDU)

Gemeindevertreter Volkmann, Johannes (CDU)

Gemeindevertreter Weber, Karl-Heinz (SPD)

Gemeindevorstand:

Bürgermeister Walendsius, Christian (SPD)

Erste Beigeordnete Claudi, Ursula (SPD)

Beigeordneter Brandl, Stefan (SPD)

Beigeordneter Groh, Manuel (SPD)

Beigeordneter Jung, Ulrich (SPD)

Beigeordnete Rost, Erika (CDU)

Beigeordneter Schleenbecker, Roland (CDU)

Beigeordneter Seliger, Heinz (FWG Lahnau)

Beigeordneter Steinraths, Daniel (CDU)

Beigeordnete Velten, Petra (4U)

Schriftführer:

Schriftführerin Böttcher, Alena

Schriftführer Scharmann, Klaus

Entschuldigt fehlten:

Kraft, Thomas

Seip, Stefanie (4U)

Von der Verwaltung waren anwesend:

Abteilungsleiterin Schmitt-Zizka, Emanuela

Abteilungsleiter Veit, Lars

Beiräte:

Gäste:

Tagesordnung

öffentliche Sitzung

1.

Begrüßung

2.

Feststellung der form- und fristgerechten Einladung sowie der Beschlussfähigkeit

3.

Änderungen zur Tagesordnung

4.

Verwaltungsbericht des Gemeindevorstandes

5.

Vorstellung neue Betriebsassistentin Frau Melina Miedtke - HessenForst

6.

Haushalt 2026

hier: Investitionsprogramm

6.1

Anträge der Fraktionen

6.2

Haushalt 2026

hier: Investitionsprogramm

(VL-227/2025)

7.

Haushalt 2026

hier: Stellenplan

7.1

Anträge der Fraktionen

7.2

Haushalt 2026

hier: Stellenplan

(VL-228/2025)

8.

Haushalt 2026

hier: Entwurf der Haushaltssatzung und des Haushaltsplans

8.1

Anträge der Fraktionen

8.2

Anträge des Gemeindevorstandes

8.2.1

Haushalt 2026

hier: Bereitstellung von Mitteln für die Verkehrsführung

(VL-231/2025)

8.3

Notwendige Änderungen nach Einbringung des Haushalts 2026

Antrag von Bürgermeister Walendsius

(AT-10/2025

1. Ergänzung)

8.4

Haushalt 2026

hier: Entwurf und Erlass der Haushaltssatzung 2026

(VL-229/2025)

9.

Vergaberichtlinien für Bauland in der Gemeinde Lahnau

(VL-187/2025)

9.1

Änderungsantrag der SPD-Fraktion zur Vergaberichtlinie

(AT-9/2025)

10.

Digitalisierung der kommunalen Liegenschaften im Bereich Energie

hier: Einstellung von Haushaltsmitteln zur Erstellung eines smarten Energiemonitorings

(VL-216/2025

1. Ergänzung)

11.

Bauleitplanung der Gemeinde Lahnau; Ortsteil Dorlar

Bebauungsplan Nr.9 Gewerbegebietserweiterung „Eberacker“ - 3.Änderung und Erweiterung

Aufstellungsbeschluss gemäß § 2 Abs.1 BauGB

(VL-225/2025)

12.

Zukünftige Nutzung des Heimatmuseums Waldgirmes

hier: Antrag der SPD-Fraktion vom 28.08.2018

(AT-35/2018)

12.1

Geeinter Beschlussvorschlag des SFK-Ausschusses gem. § 29 abs. 1 GO“ zum SPD-Antrag AT (35/2018) vom 28.08.2018 - Zukünftige Nutzung des Heimatmuseums Waldgirmes

(AT-35/2018

1. Ergänzung)

13.

Neufassung des öffentlich-rechtlichen Vertrages zum Betrieb eines Wertstoffhofes und zur Bereitstellung von Glas-Depotcontainerstandplätzen zwischen dem Lahn-Dill-Kreis/Eigenbetrieb Abfallwirtschaft Lahn-Dill und der Gemeinde Lahnau

(VL-237/2025

1. Ergänzung)

14.

Überprüfung der Baukostenschätzung von Hessen Mobil zur B49 Wetzlar- Umfahrungslösung

hier: Beauftragung des Büros RegioConsult, Marburg

(VL-245/2025)

15.

Verwaltungskostensatzung der Gemeinde Lahnau

(VL-239/2025)

16.

(weitere) Mitteilungen

16.1

a) des Vorsitzenden

16.2

b) des Gemeindevorstandes

16.3

c) aus der Gemeindevertretung

16.4

Anpassungen des Vertrags mit der Fa. Qair nach Beschlussfassung durch die Gemeindevertretung am 06.11.2025

(MI-24/2025)

17.

Anfragen an den Gemeindevorstand

Sitzungsverlauf

öffentliche Sitzung

1.

Begrüßung

Der Vorsitzende eröffnet die Sitzung der Gemeindevertretung Lahnau und begrüßt die anwesenden Gemeindevertreter, die Mitglieder des Gemeindevorstandes, die Vertreterin der Presse, die Mitarbeiter der Gemeindeverwaltung sowie die Bürgerinnen und Bürger.

Weiter Begrüßt er den Forstamtsleiter Herrn Ambraß sowie die Betriebsassistentin Frau Melina Miedke.

2.

Feststellung der form- und fristgerechten Einladung sowie der Beschlussfähigkeit

Seitens des Vorsitzenden wird festgestellt, dass die Einladung form- und fristgerecht ergangen und Beschlussfähigkeit gegeben ist.

3.

Änderungen zur Tagesordnung

Zur Tagesordnung werden keine Änderungsanträge gestellt; somit ist diese in der vorliegenden Fassung genehmigt.

4.

Verwaltungsbericht des Gemeindevorstandes

-

Zu den Ereignissen des 29.11.2025 möchte ich zunächst auf unsere Pressemitteilung verweisen und auf die Verlautbarungen der Polizei. Die Gemeinde Lahnau bedankt sich für die Informationen seitens des Krisenstabs der Leitstelle des Lahn-Dill-Kreises als auch für die Augenzeugenschilderungen der Feuerwehrkameradinnen und -kameraden sowie unseres Ordnungsamtes. Für die Unterstützung bei der Lagebewältigung möchte ich sehr herzlich auch unserem Gemeindebrandinspektor und seinem Team danken, sowie Herrn Bornhäußer und unserem Ortspolizeibeamten Benjamin Alt. Ganz besonderer Dank gilt dem Verständnis der Gemeinschaft der Ortsvereine Waldgirmes für die Absage des Waldgirmeser Winterzerzaubers. Mangelhaft war an diesem Tag die Kommunikation und der Informationsfluss der Polizei, sowie die Tatsache, dass die Gemeinde Lahnau überhaupt nicht im Vorfeld eingebunden war. Da auch die Gemeinde Heuchelheim sehr unzufrieden mit dieser Situation ist, haben Bürgermeister Steinz und ich ein Schreiben an Herrn Staatsminister Poseck versandt, in dem wir eine Aufarbeitung im Nachgang einfordern.

-

Am 17.11. haben wir als örtliche Straßenverkehrsbehörde die Anwohnerversammlung bezüglich der Verkehrssituation in der Kreuzer- und Schulstr. durchgeführt. Wie schon mehrfach berichtet, hatten wir bei der Ausfahrt mit der Feuerwehr im Mai mehrere Stellen in Lahnau festgestellt, wo es durch parkende Fahrzeuge zu Behinderungen der Einsatzkräfte kommen kann, da die Mindestfahrbahnbreite von 3,05 m nicht eingehalten wird. Es wurden nun verschiedene Konzepte mit den Anwohnern diskutiert, wie man das Problem in den Griff bekommen kann. Am schlüssigsten erschien letztlich die Ausweisung einer kleinen Be- und Entladezone in der Schulstraße sowie die Parkzeitbeschränkung an Werktagen bei den im Bereich der Bäckerei gelegenen eingezeichneten Parkplätzen, sowie die Markierung von Sperrflächen. Außerdem wurde festgestellt, dass der nördliche Gehweg in der Kreuzerstraße von der Einmündung Friedenstraße bis Einmündung Schulstraße und der südliche Gehweg Schulstraße ab Hausnummer 17 bis Einmündung Friedenstraße faktisch nicht als Gehweg genutzt wird, sondern als Schrammbord für parkende Autos. Dieses Schrammbord ist teilweise sehr schmal und unterschreitet die Mindestgehwegbreite von 1,3 Meter. Der seit Jahrzehnten vorliegende Befund ist, dass regelmäßig auf dem Schrammbord geparkt wird und parallel auch auf der Straße. Der Gemeindevorstand hat daher entschieden, diese Flächen gemäß §§ 6 Hessischem Straßenverkehrsgesetzt zu entwidmen und das faktische vorhandene Parken auch rechtlich zu ermöglichen. Eine entsprechende Entziehungsverfügung wird veranlasst und bekanntgemacht. Gleichzeitig werden wir nochmals auf die Einhaltung der Mindestfahrbahnbreite hinweisen und die neue Regelung auch mit unserer Ordnungspolizei begleiten, so dass wir damit eine bessere Situation erreichen, als dies aktuell der Fall ist.

-

Wir haben die Fassade des Backhauses Atzbach einem neuen Anstrich unterzogen. Das Ergebnis kann sich sehen lassen und nun wirkt dieses schöne Gebäude wieder frisch und ordentlich.

-

Im Rahmen der Kanalbefahrung am 9. Dezember 2025 wurden Schäden am bestehenden Kanal betreffend des Hauptabwassersystems des Bürgerhauses Atzbach festgestellt. Aufgrund dieses Problems ist es während der geplanten Instandsetzungsmaßnahmen des Kanals nicht möglich, das Bürgerhaus weiterhin für die üblichen Nutzungen zu verwenden. Wir versuchen diese Maßnahme mit den ohnehin anstehenden Bautätigkeiten durch den Umbau der Gastronomie zu kombinieren, so dass Einschränkungen möglichst minimiert werden.

-

Der soziale Ort für Alle - kurz SOFA - im Bürgerhaus Atzbach ist fertiggestellt und eingerichtet. Einige von Ihnen waren ja eben bei der Begehung mit dabei. Am 17.12.2025 findet die öffentliche Einweihung statt, zu der die Öffentlichkeit herzlich eingeladen ist.

-

Auch haben wir die Gruppen- und Wickelräume in der Kita „Das Nest“ renoviert und mit einem Neuanstrich versehen. Die alten Holzvertäfelungen wurden entfernt und neu tapeziert. Die Räume wirken jetzt deutlich heller und freundlicher. Auch die Mitarbeitenden der Kita haben selbst bei der Gestaltung mitgewirkt. Im Flur laden neue Spieleecken zum Entdecken und Spielen ein. Mein Dank gilt unserer Bauverwaltung sowie dem Team von der Kita „Das Nest“.

-

Wir haben einen neuen Hausmeister für das BGH Atzbach und die Lahnauhalle gefunden und eingestellt. Herr Michael Bittorf wird in Kürze seinen Dienst bei der Gemeinde beginnen und wird dann für die beiden Liegenschaften und vertretungsweise auch für die Gemeinschaftshäuser in Waldgirmes und Dorlar zuständig sein.

-

Ein sogenanntes Wanderhindernis im Atzbacher Wehr am Mühlgraben wurde beseitigt. Der Gewässerverlauf wurde naturnah wieder hergestellt.

-

Die Fläche für das Netzersatzaggregat am Hebewerk Atzbach wurde hergestellt, aktuell wird der Unterstand aufgebaut um dass das Aggregat dort geschützt aufstellen und in Betrieb nehmen zu können. Es dient der Erhaltung der kritischen Infrastruktur sowie der Sicherheit der Bewohner des Unterdorfs im Ortsteil Atzbach im Fall eines längeren Stromausfalls.

-

Aktuell laufen die Vorbereitungen für den eigenwirtschaftlichen Glasfaserausbau durch die UGG in der Gemeinde auf Hochtouren. Geplant ist im 1.Quartal mit den Bauarbeiten zu beginnen.

-

Der Planungsauftrag für die Calisthenicsanlage und den Pumptrack wurden submittiert und die Auftragsvergabe wurde am Dienstag vom Gemeindevorstand beschlossen an das Planungsbüro Rollspiel aus Düren vergeben.

-

Nachdem die beschränkte Ausschreibung für die Brücke Hofstatt kein wirtschaftliches Angebot hervorgebracht hatte, wurde die Sanierung nun öffentlich ausgeschrieben. Die Submission findet in der kommenden Woche statt.

-

Im Hallenbad wurde nach der Schließung unverzüglich mit der Filtersanierung begonnen. Aktuell ist der Filter geräumt und wird sandgestrahlt und neu beschichtet.

-

Am 08.12.2025 beginnen die Renovierungsarbeiten in der Lahnauhalle. Dazu muss die Halle bis zum 19.12.25 gesperrt werden. Alle Nutzer wurden diesbezüglich rechtzeitig informiert.

-

Für die Kommunale Wärmeplanung erhalten wir 40.754,28 € als finanziellen Ausgleich durch das Land Hessen. Wir werden nun eine beschränkte Ausschreibung durchführen, um ein entsprechendes Fachbüro mit der kommunalen Wärmeplanung beauftragen zu können.

-

Die Kitas kooperieren nun mit dem Haus Auengarten für kleine gemeinsame Aktionen, wie beispielsweise gemeinsames Spielen, Singen, Plätzchen backen. Wir haben den Eindruck, dass sowohl Kinder als auch Senioren von dem gegenseitigen Besuchen profitieren.

-

Wir haben nun fast ein Jahr in jeder Kita eine Alltagshelferin eingesetzt. Wir empfinden dies als große Bereicherung und Unterstützung für unser pädagogisches Fachpersonal und auch für die Kinder.

Im Anschluss an den Verwaltungsbericht des Bürgermeisters, gratuliert Gemeindevertretervorsitzender Ronald Döpp dem anwesenden Bundestagsabgeordneten Johannes Volkmann im Namen aller zu seinem heutigen Geburtstag und überreicht ein kleines Präsent.

5.

Vorstellung neue Betriebsassistentin Frau Melina Miedtke - HessenForst

Frau Melina Miedtke stellt sich als neue Betriebsassistentin für den Lahnauer Wald vor. Herr Ambraß erklärt, dass es mit Frau Miedtke lediglich eine vorübergehende Lösung bezüglich der Revierleitung in Lahnau ist, dass Frau Miedke voraussichtlich ab 01.02. eine andere Stelle übernimmt. Die Stelle der Revierleitung Lahnau/Heuchelheim wird in einem Bündel zunächst intern ausgeschrieben. Sollte die Stelle intern nicht besetzt werden können erfolgt anschließend eine externe Stellenausschreibung. Sobald es eine Veränderung gibt wird die Gemeinde Lahnau informiert.

6.

Haushalt 2026

hier: Investitionsprogramm

Die Fraktionsvorsitzenden halten ihre jeweiligen Haushaltsreden zum Gesamthaushalt.

Haushaltsrede des SPD-Fraktionsvorsitzenden, Ulf Perkitny:

Liebe Kollegen und Kolleginnen, auch von Vorstand und Verwaltung, liebe Gäste, sehr geehrte Frau Hess

Der Haushalt 2025 liegt uns vor, und er weist ein Rekorddefizit von voraussichtlich über 2 Millionen € (obwohl es ja noch die ein oder andere Aussicht auf geringfügige Entlastung gibt) aus.

Trotz allem benötigt Lahnau erneut kein Haushaltssicherungskonzept. Dies ist dem Umstand geschuldet, dass keine Kassenkredite benötigt werden, Lahnau also liquide ist, und der Möglichkeit der buchhalterischen Deckung des Defizites aus Rücklagen.

Viele Kosten bzw. Einnahmerückgänge, die zu diesem Zustand führen, können wir leider gar nicht beeinflussen, zum Beispiel die Schlüsselzuweisungen und die Kreis- und Schulumlage.

Unsere wichtigste Einnahmequelle, die Gewerbesteuer, ist nämlich der allgemeinen Wirtschaftslage zum Trotz in einem guten Bereich, hierfür unser Dank und unsere Anerkennung an unsere leistungsfähigen einheimischen Gewerbetreibenden.

Das erste Mal, seit ich Mitglied der Gemeindevertretung bin, also seit 2007, liegen keine Haushaltsanträge vor, dies ist zum einen Beleg für das Vertrauen aller Fraktionen in die gute Arbeit von Bürgermeister, Gemeindevorstand und Verwaltung, zum anderen natürlich der prekären Haushaltslage geschuldet, daher ein herzliches Dankeschön an alle Fraktionen für diese Disziplin.

Es ist aber auch ein Alarmsignal!

Die Demokratie wird zwischenzeitlich nicht mehr am Hindukusch, sondern zum Beispiel auch an den Hessenhallen in Gießen verteidigt, und wenn Bund und Land es in einer solchen Situation zulassen, dass die Demokratie an Ihren Wurzeln, also in den Kommunen, aufgrund von Finanznot mehr und mehr handlungsunfähig wird (und Lahnau geht es ja noch vergleichsweise gut, das muss man sich einmal vorstellen!), halte ich dies für eine gefährliche Entwicklung!

Demokratie lebt vom Mitmachen, und wenn sich engagierte Menschen frustriert abwenden, weil aufgrund dieses Zustandes zunehmend nur noch verwaltet und nicht mehr gestaltet werden kann, wird dies unserem Gemeinwesen sehr schaden!

Ich kündige daher jetzt schon an, dass wir als SPD-Fraktion zur kommenden Sitzungsrunde eine Resolution zur Finanzausstattung der Kommunen einbringen werden, die dieses Problem zum Ausdruck bringt.

Dies soll keine Geplänkel im Kommunalwahlkampf sein, sondern ein Signal, dass es in den hessischen Kommunen finanziell inzwischen 5 nach 12 ist. Daher laden wir auch alle anderen Fraktionen heute schon ein sich hier zu beteiligen und diesen Apell gemeinsam zu gestalten.

Positiv herausheben möchte ich noch die vielfältigen Fördermittel, die eingeworben werden konnten, und zwar nicht nur im Bereich der Dorferneuerung, sondern auch in diversen anderen Bereichen.

Sowohl die Gewerbegebietsentwicklung am Polstück als auch die Baugebietserschließeung am Hünstein werden konkreter, beides wichtige Themen um die Entwicklung unserer Gemeinde zu gestalten.

Ebenso nehmen die Zukunftsthemen Windkraft und flächendeckende Versorgung mit Glasfaseranschlüssen Gestalt an.

Somit ist glaube ich der Ausblick für unsere Heimatkommune insgesamt schon vorsichtig optimistisch, wenn denn die eben genannten Probleme angegangen werden.

Bedanken möchte ich mich insbesondere beim Gemeindevorstand und bei Herrn Veit und seinen Mitarbeitern für die frühzeitige und akkurate Aufstellung des Haushaltsplanes, sowie beim Bürgermeister und nochmals bei Herrn Veit für die in dieser Form neue Einbringung desselben, ich glaube nicht nur meine Fraktion war von der Art und Weise der Erläuterungen sehr angetan.

Ich wünsche im Namen der SPD-Fraktion allen Anwesenden, allen verhinderten Kolleginnen und Kollegen, allen Mitarbeiterinnen und Mitarbeitern der Gemeinde Lahnau und natürlich allen Bürgerinnen und Bürgern Lahnaus schon jetzt eine frohes und gesundes Weichnachtsfest und hoffentlich einen ebenso guten Start ins neue Jahr 2026.

Vielen Dank!

Haushaltsrede des 4U-Fraktionsvorsitzenden, Markus Velten:

Sehr geehrter Herr Vorsitzender,

verehrter Herr Bürgermeister,

geschätzte Beigeordnete,

liebe Kolleginnen und Kollegen,

werte Gäste,

bitte gestatten Sie mir, mit einem Blick in die Vergangenheit zu beginnen, bevor ich auf den heute zu beschließenden Haushaltsplan eingehe.

Ich bin seit April 2016 Mitglied der Gemeindevertretung, und der erste Haushalt, mit dem ich mich zu befassen hatte, war für das Haushaltsjahr 2016. Heute diskutieren wir den Entwurf für das Jahr 2026. In diesen zehn Jahren dazwischen hat sich in Bezug auf unsere Haushalte einiges verändert, und ein Rückblick ist durchaus lohnend.

Der Haushalt von 2016 umfasste ein Volumen von etwa 16 Millionen Euro. In Erinnerung ist mir die Aussage des damaligen Bürgermeisters Eckhard Schultz geblieben, der betonte, wie bemerkenswert dieser Betrag für eine Gemeinde wie Lahnau doch sei. Viele Gemeindevertreter waren damals von diesem Betrag beeindruckt.

Nun, nach nur 10 Jahren, hat sich das Volumen unseres Haushalts auf etwa 28 Millionen Euro erhöht.

Die Erträge der Gemeinde sind in dieser Zeit um ca. 68 % gestiegen, von 16.110.147 Euro auf 27.182.389 Euro.

Leider sind jedoch die Aufwendungen im gleichen Zeitraum sogar um 76 % angestiegen - von 16.110.693 Euro auf 28.462.713 Euro.

Während wir 2016 noch mit einem kleinen Überschuss von 496 Euro planen konnten, ist dies heute bedauerlicherweise nicht mehr möglich.

Die erwarteten Aufwendungen übersteigen die mutmaßlichen Erträge deutlich, und der Entwurf des aktuellen Haushalts zeigt infolgedessen einen Fehlbetrag von 1.274.324 Euro.

Hauptursächlich sind die erheblichen Steigerungen im Bereich der Sach- und Dienstleistungen, die heute ca. 79 % höher sind als in 2016, sowie die Personalkosten und Versorgungsaufwendungen, die seither um ca. 80 % angewachsen sind.

Vor 10 Jahren waren die Rahmenbedingungen für die kommunalen Haushalte insgesamt besser, dennoch war es auch schon damals eine Herausforderung, einen soliden Haushalt zu erstellen und Defizite zu vermeiden.

Im Unterschied zu vielen anderen Kommunen hat Lahnau dies dann aber noch lange Zeit recht gut gemeistert.

Mittlerweile geht es uns allerdings wie den meisten anderen Kommunen.

Fast jede Kommune in unserer Umgebung kämpft derzeit mit defizitären Haushalten. Einige Gemeinden diskutieren sogar über erhebliche Grundsteuererhöhungen und andere einschneidende Maßnahmen.

Die Gründe für diese unhaltbare Situation sind kein Geheimnis: Es sind nicht etwa Verschwendung oder Ungeschick im Umgang mit Geld, die Gemeinden in die Notlage bringen. Vielmehr sind es allgemeine Preissteigerungen und vor allem die Vielzahl an öffentlichen Aufgaben, die den Kommunen auferlegt wurden, ohne dass ihnen dafür auch die ausreichenden Finanzmittel zur Verfügung gestellt werden.

Der Bürgermeister hat diese Problematik bereits bei der Einbringung des Haushalts ausführlich dargestellt, daher möchte ich darauf nicht weiter eingehen. Es war jedenfalls überfällig, dass die Bürgermeister sich diesbezüglich klar und deutlich an das Land Hessen gewandt haben. Ich hoffe, dass sie damit Gehör finden und auch rasch Abhilfe geschaffen wird.

Letztmals befassten wir uns für das Haushaltsjahr 2023 mit einem Entwurf, der noch einen Überschuss von 156.750 Euro vorsah.

Doch schon die Haushaltspläne für 2024 und 2025 wiesen Fehlbeträge von 897.634 Euro (2024) bzw. 1.007.900 Euro (2025) aus, die jeweils aus der Rücklage ausgeglichen werden mussten. Diese Defizite haben unser bilanzielles Eigenkapital verringert faktisch also schon unsere Substanz berührt.

In Anbetracht der schon erwähnten Ursachen ist es nicht überraschend, dass wir uns für 2026 nun wieder mit einem defizitären Haushaltsplan auseinandersetzen müssen. Der Entwurf weist bereits einen Fehlbetrag von 1.274.324 Euro auf, was noch einmal deutlich höher ist als im Vorjahr. Wichtige Änderungen, die nach der Einbringung des Haushalts erforderlich wurden, sind dabei noch nicht einmal berücksichtigt.

Dieser erhebliche Fehlbetrag von rund 1,3 Millionen Euro wird rechnerisch erneut aus der Rücklage ausgeglichen, was bedeutet, dass unser Vermögen erneut weiter reduziert wird.

Trotz allem steht die Gemeinde Lahnau im Vergleich zu vielen anderen Kommunen nach wie vor dennoch gut da und kann die Folgen der bisherigen Defizite noch beherrschen.

Auch wenn wir durch den Ausgleich des neuen Fehlbetrags voraussichtlich „nur“ etwas ärmer werden, sprich etwas weniger vermögend sein werden, ist klar, dass dies auf Dauer trotzdem nicht tragbar ist.

Momentan ist unsere Vermögenslage noch nicht besorgniserregend, und unsere Bilanz verkraftet diesen Ausgleich. Jedoch darf sich der Trend nicht fortsetzen.

Früher oder später werden die Auswirkungen dann nicht mehr kompensiert werden können, was neben der Gefahr von Liquiditätsengpässen auch die Problematik einer Überschuldung mit sich bringen könnte.

Um diesen drohenden Risiken wirksam zu begegnen, benötigen die Kommunen dringend eine sachgerechte Finanzausstattung, die eine kostendeckende Erfüllung der übernommenen staatlichen Aufgaben gewährleistet. Alles andere ist schlichtweg unverantwortlich.

Aber wie steht es abgesehen vom zu erwartenden Defizit mit dem Entwurf des Haushaltsplans für 2026? Ist dieser Entwurf kritikwürdig?

Sollte man als Kommunalpolitiker gar beklagen, dass auch dieser Haushaltsplan erneut keine Gestaltungsfreiheiten in Form von Anträgen zulässt?

Hierzu sage ich klar: Nein!

Ich halte den Entwurf des Haushaltsplans für 2026 grundsätzlich nicht für kritikwürdig!

Ganz im Gegenteil, in Anbetracht der herrschenden Situation betrachte ich den Entwurf sogar als sehr gut gelungen!

Es findet die höchste Anerkennung meiner Fraktion, dass uns unser Bürgermeister trotz der widrigen Umstände und des unvermeidbaren Defizits einen Haushaltsentwurf präsentieren konnte, der die Handlungsfähigkeit der Gemeinde sicherstellt.

Ein Haushaltsplan, der auf zurzeit nicht Leistbares verzichtet, sich jedoch gleichzeitig nicht nur auf die Pflichtaufgaben der Gemeinde Lahnau beschränkt.

Trotz und der insgesamt schwierigen Situation ermöglicht dieser Haushaltsplan zusätzlich, auch die wichtigsten Investitionen in unsere Liegenschaften und in unsere Infrastruktur, wie beispielsweise die Sanierung der Kanalisation. Wir können auch weiter unser Schwimmbad finanzieren - ein Aspekt, um den uns viele andere Gemeinden beneiden dürften.

Auch die angemessene Vereins- und Ehrenamtsförderung bleibt gewährleistet, zahlreiche soziale und kulturelle Projekte können fortgeführt werden.

Doch vor allem können alle für unsere Bürgerinnen und Bürger ganz besonders wichtigen Vorhaben konsequent weiterverfolgt und umgesetzt werden.

So bleibt durch die kluge und vorausschauende Teilnahme an der Dorfentwicklung beispielsweise die Sanierung des Bürgerhauses in Atzbach und die Umgestaltung des Heimatmuseums in Waldgirmes möglich.

Auch ist die Gemeinde weiterhin dazu in der Lage, aktiv gegen die Nachteile vorzugehen, die für Lahnau durch den Wegfall der Hochstraße in Wetzlar zu befürchten sind.

Aus meiner Sicht, eines der wichtigsten Themen, denen wir uns in Zukunft kontinuierlich und konsequent weiter widmen müssen!

Diese und einige andere, für meine Fraktion besonders wichtigen Vorhaben werden durch den geplanten Haushalt ermöglicht, wodurch für uns Änderungsanträge entbehrlich sind.

In der aktuellen Situation betrachten wir als Fraktion 4U es als notwendig, alle politischen Anträge mit besonderer Sorgfalt abzuwägen, insbesondere hinsichtlich ihrer finanziellen Verantwortbarkeit.

Wie in den vergangenen beiden Jahren werden wir unsere Ideen und Anträge auch im Jahr 2026 so ausrichten, dass sie entweder aus bereits im Haushalt vorgesehenen Mitteln finanziert werden können oder in einem späteren Haushaltsjahr umgesetzt und eingeplant werden sollen.

Aus diesen Gründen haben wir als Fraktion 4U in diesem Jahr keine Änderungsanträge zum Haushalt für 2026 eingereicht und freuen uns, dass auch alle anderen Fraktionen auf Haushaltsanträge verzichtet haben.

In diesem Jahr war es erneut eine bedeutende Herausforderung, einen solchen Haushaltsplan zu entwickeln. Im Namen meiner Fraktion möchte ich daher dem Bürgermeister, dem Gemeindevorstand sowie allen Mitarbeitenden der Gemeinde Lahnau, die an diesem Prozess mitgewirkt haben, unseren herzlichen Dank aussprechen. Besonderer Dank gebührt natürlich Herrn Veit und seinem Team!

Ich danke Ihnen für Ihre Aufmerksamkeit!

Haushaltsrede des CDU-Fraktionsvorsitzenden, Michael Beitz:

Liebe Kolleginnen und Kollegen aus der Kommunalpolitik, liebe Mitarbeiterinnen und Mitarbeiter der Verwaltung, liebe Gäste.

Ich möchte zu diesem konkreten Haushalt nicht viel sagen. Letztlich gibt es auch nicht viel zu sagen, denn es gibt keine Spielräume mehr. Die Mittel sind hessenweit knapp, das merken wir in der Landesverwaltung, das merken wir in den Kommunen. Sondervermögen können uns auch nicht darüber hinwegtäuschen, dass sich die Bedingungen für die Wirtschaft nicht positiv entwickelt haben, dass die Coronajahre länger wirken und Folgen spüren lassen, und dass Gewerbesteuer nicht garantiert ist. Und, Sondervermögen sind Schulden. Irgendwann wirken diese auch sehr spürbar.

Lahnau war es nicht gewohnt, sparen zu müssen. Die Betriebe haben gute Erfolge erzielt, der Standort ist grundsätzlich günstig gelegen, die Gewerbesteuer hat niemanden verschreckt, und so standen Mittel zur Verfügung, um auch die ein oder anderen Leistungen oder Gestaltungswünsche über kommunale Pflichtleistungen hinaus zu erfüllen.

Das ist in Ordnung, solange die Politik echte Bedarfe erfüllt, Bürgerinnen und Bürger sieht, die eigenen Wählerinnen und Wähler versteht und in den guten Zeiten investiert. Das haben wir alle versucht umzusetzen, und es gelang mal besser und mal schlechter. Dass Vereine unterstützt werden ist gut für die Gemeinschaft und das Leben in Lahnau, dass wir in Klimaschutz vor Ort investieren ist sinnvoll, dass wir unsere Infrastruktur erhalten und ausbauen ist notwendige Grundversorgung. Bei anderen Investitionen und Ausgaben fragte man sich, ob das nun wirklich nützlich, sinnvoll oder maßvoll ist, denn wir geben nicht unser Geld aus, sondern das der Lahnauer Bürgerinnen und Bürger und anderer Steuerzahler, auch wenn es nur eine unbeachtete Uhr an einer Fassade ist.

Ich habe mittlerweile aber wirklich Bedenken, ob das alle immer im Blick haben: Dass wir eine Verantwortung tragen für die ganze Gemeinde, für alle Bürgerinnen und Bürger, auch für die, die unsere jeweilige Partei nicht gewählt haben.

Unser Bürgermeister hat die Ressourcen im Blick und bemüht sich rege um Fördermittel. Das ist lobenswert. Fördermittel alleine dürfen aber nicht die Prüfung ersetzen, ob eine Ausgabe sinnvoll, nötig oder wirklich im Sinne der Bürgerinnen und Bürger ist. Mehr noch: wenn wir etwas tun, nur weil es gefördert wird, und wir würden es nicht tun, gäbe es die Förderung nicht, dann sollte die Investition wirklich kritisch geprüft werden. Aber das, liebe Kolleginnen und Kollegen, wurde nicht immer getan.

Das berüchtigte Haus am Dorlarer Kreisel wurde gekauft aufgrund einer Aussicht auf Fördermittel. Da wurde von verschiedenen Seiten argumentiert, Lahnau müsse quasi nichts bezahlen, und man könne hier eine Ecke, die nicht so schön ist, endlich verbessern. Dazu habe ich zwei Sachen anzumerken.

Erstens: Es ist nicht Aufgabe einer Gemeinde, ein baufälliges Haus zu kaufen, um es dann abreißen zu lassen, damit die betreffende Ecke „schöner“ ist. Wenn das gemacht würde, um Platz für dringend benötigtes Neues zu gewinnen, wie neue Wohnungen, könnte ich das noch nachvollziehen. Das ist aber nicht der Fall. Verschiedene mögliche Nutzungen wurden in den Raum gestellt, die man dann erwägen könne. Ich hörte von einem kleinen Park, den man dort einrichten könne. Nun, wer mag nicht gerne auf einem Flecken kleiner als dieser Raum an der Hauptverkehrsstraße flanieren und im munteren Verkehrslärm verweilen? Ein anderer Aspekt waren Umbaumöglichkeiten am so gefährlichen Kreisel, an dem die Fußgänger täglich nur knapp dem Unfalltod entrinnen. In Sachen Verkehrsunfälle mag ich behaupten mich auszukennen, diesen Schwerpunkt gibt es dort nicht. Schließlich hieß es, es findet sich sicher eine gute Idee. Also, warum wurde das Haus nun gekauft, welchen Zweck verfolgt die Gemeinde? Die Antwort ist: Sieht dann ja vielleicht besser aus. Sehen wir dann noch. Es tut mir leid, aber dieser Kauf, der noch dazu völlig falsche Signale setzt, erfüllt keinen Zweck, welcher im Auftrag der Gemeinde läge.

Es ist aber noch eine zweite Sache anzumerken. Geld fällt nicht vom Himmel. Wir haben nicht nur die Verantwortung für die Lahnauer Politik, sondern sind als ehrenamtliche Politiker auch in der Verantwortung für unsere freiheitlich demokratische Grundordnung, durch unser Handeln. Und ebenso haben wir eben nicht nur die Verantwortung für die Lahnauer Haushaltsmittel, sondern analog auch für die Mittel aus anderen Haushaltstöpfen, derer wir uns bedienen. Wir nehmen Geld und werfen es jemandem vor, der sein Haus und Grundstück verkommen ließ, der seiner Sicherungspflicht nicht nachkommen will. Für einen späteren Zweck, der nicht genau benannt werden kann. Weil der Ort vielen optisch ein Dorn im Auge ist. Das, liebe Kolleginnen und Kollegen, ist nichts anderes als fahrlässiger Umgang mit Steuergeldern, egal, ob es eigene Haushaltsmittel sind oder Fördermittel, egal ob sie hier entrichtet wurden oder andernorts im Bundesgebiet oder im Europäischen Raum.

Das ist ein prominentes Beispiel, und ich frage mich, ob andere Besitzer nicht auch noch auf die Idee kommen, sich auf diese Weise von einer Schrott-Immobilie zu trennen. Zumindest würde ich keine ernstzunehmende Aufforderung der Gemeinde erwarten, die mich in meine Sicherungspflicht nimmt. Wundern würde mich eine solche Einstellung nicht.

Ihr wisst, dass unsere Gesellschaft immer tiefere Risse aufweist. Extreme Positionen werden stärker, sichtbarer, Bürgerinnen und Bürger aus der Mitte der Gesellschaft stellen staatliches Handeln vermehrt in Frage. Lagerpolitik, dörfliche Klüngel, fehlende Kompromissbereitschaft, unverständliche Entscheidungen, starre Dogmen, wilde Wechsel in politischen Schwerpunkten abhängig von der Frage des Tages, das alles nährt die extremen Ränder. Wir sollten unsere jeweiligen Ansichten natürlich vertreten, dafür werden wir gewählt. Aber Interessen müssen abgewogen werden, und wenn die Mittel knapper und der gesellschaftliche Zusammenhalt fragiler werden, sollte der gute Kompromiss, das ehrliche Aushandeln von Interessen, Transparenz, Akzeptanz von über die vermeintlichen Interessen der eigenen Wählerschaft hinausgehenden Ansichten, definierte Ziele der politischen Debatte sein.

Damit will ich nicht sagen, dass wir das nicht auch tun. Es hat sich viel verbessert, und der Umgang untereinander ist nicht mehr wie vor 4 Jahren. Ich nehme dennoch wahr, nach wie vor, dass die politischen Lager hier in der Gemeinde dogmatisch vorgehen. Über allem steht eine politische Grundausrichtung, und je nachdem, welche Frage gerade zu klären ist, positioniert man sich. Das ist erstmal nicht verwerflich. Aber, liebe Kolleginnen und Kollegen der Gemeindevertretung und des Gemeindevorstands, wenn es dann damit aufhört, werden wir unserer Verantwortung nicht gerecht. Und leider hört es dort zu häufig auf. Mit etwas Geschick findet man genug Stimmen, weil die Ziele gut klingen oder man sich nahesteht, und dann werden Ideen und Anträge durchgesetzt, immer mit dem Pathos, man repräsentiert die Mehrzahl der Bürgerinnen und Bürger und wolle das Beste für Lahnau. Das kann Stilblüten treiben, wenn man intern keine Prioritäten zu setzen vermag und heute für Wohnungsbau und morgen gegen Flächenversiegelung ist, oder wenn ein Ziel gegenüber allen anderen legitimen Ziele völlig überbewertet wird. Wer politisch anders denkt wird teilweise immer noch belächelt, ignoriert, wortgewandt negiert. Ich will damit den politischen Diskurs und eine Entscheidung der Mehrheit gar nicht kritisieren. Aber der Weg dahin muss transparent und Argumenten zugänglich sein, er muss nachvollziehbar sein und verlässlich.

Als kleines Beispiel dafür sehe ich die Straßenbeleuchtung. Es gibt in der Gemeindevertretung eine Mehrheit dafür, diese auszuschalten. Das ist in Ordnung, so ist das mit Mehrheiten. Es gibt dazu auch Bürgerbefragungen, die ein eher indifferentes Bild zeichnen; vor allem aufgrund der geringen Beteiligung. Man kann das mit verschiedenen Perspektiven sehen. Früher war das Licht auch nicht die ganze Nacht an - aber früher waren andere Sicherheitsstandards auch niedriger und Bedürfnisse entwickeln sich weiter. Heute arbeiten die Laternen wesentlich energieeffizienter, aber natürlich - jede Kilowattstunde ist eine Kilowattstunde. Soweit, so gut. Wenn aber in einer Abwägung und Entscheidungsfindung Argumente schlicht ignoriert werden, nicht einbezogen, nicht abgewogen werden, dann, werte Kolleginnen und Kollegen, ist das handwerklich schlecht gearbeitet und schlecht für die Außenwirkung.

Wisst ihr, ich hätte es verstanden, wenn aus Euren Überlegungen hervor gegangen wäre, dass ihr auch die Sicherheitsbedenken der Bürgerinnen und Bürger, das subjektive Sicherheitsempfinden und in Teilen die Verkehrssicherheit, als Argumente wahrnehmt, aber in der Abwägung zu Energieeffizienz, Klima- und Insektenschutz zu einem anderen Ergebnis kommt. Dann hätte ich gewusst, dass Ihr Eure Verantwortung für alle Bedarfe der Bürgerinnen und Bürger ernst nehmt und Entscheidungen abwägt. Vielleicht habt ihr das sogar getan. In der Debatte aber war davon nichts zu spüren, und für mich zumindest entstand der Eindruck, hier herrscht wenig freier Austausch und Würdigung von Argumenten, vielmehr muss der politisch andere Schwerpunkte setzende Gedanke bekämpft werden.

Und das ist das Schlagwort. Bekämpft. Denn man steht scheinbar dann als starke Fraktion dar, wenn man starke Ansichten hat. Wenn wir uns mit unliebsamen Perspektiven auseinandersetzen, indem wir sie auseinandernehmen. Und ihr letztlich das Recht nehmen, eine Perspektive zu sein. So habe ich das empfunden, in der Sache mit den Straßenlaternen, aber auch früher in anderen Bereichen. Sei es die Erbpacht, sei es die Aufgabe von Neubaugebieten in der Regionalplanung, nur um weitere Beispiele zu nennen.

Für mich habe ich Konsequenzen gezogen. Das Ehrenamt kostet Zeit zulasten anderer Lebensbereiche. Wer, wie viele in meiner Fraktion, voll im Berufsleben steht, Kinder in Kita und Schule hat, muss sich seine Zeit gut einteilen, und weiß, dass man sie immer jemandem wegnimmt. Ich habe nach der Legislatur nicht das Gefühl, dass meine persönlichen Ansprüche an den Austausch von Argumenten, das Erreichen des besten Kompromisses für die meisten und an verantwortungsvolle Entscheidungsfindung nicht vereinbar sind mit den Gepflogenheiten hier. Wenn ich versuche, Interessen auszuhandeln, unter begrenzten Ressourcen, und zum Beispiel Fragen stelle, ab welchem Kosten-NutzenFaktor der Invest in Klimamaßnahmen vielleicht zugunsten einer anderen Maßnahme zurückgestellt werden soll, dann möchte ich das verstanden wissen als Aushandeln verschiedener wichtiger Aufgaben. Stattdessen werden wir als Klimagegner oder Leugner des Klimawandels dargestellt. Nur ein Beispiel dafür, wie einem Engagement, dass ich immer wieder versucht habe mit breiter Perspektive und Akzeptanz für andere Meinungen auszufüllen, begegnet wird. Aber ich komme zu dem Ergebnis, dass ich die Zeit für die Kommunalpolitik in Lahnau, die ich den Menschen wegnehme, die mir nahestehen, diesen Menschen gegenüber nicht mehr begründen kann. Diese haben Sie auf jeden Fall eher verdient.

Ich bedanke mich für dennoch viele gute Gespräche und gutes Streiten um den besten Weg, für viele Perspektiven, auch wenn es nicht meine sind, sie haben mich bereichert. Vieles konnte ich aus meiner Sicht dennoch bewirken, dafür mag es sich gelohnt haben. Ich danke Euch allen für Euer Engagement und wünsche jedem von Euch das Beste.

Ich kann nur hoffen, dass ihr in der nächsten Legislatur den Bogen raus habt. Streiten heißt nicht Kämpfen. Eine Mehrheit finden oder einen Kompromiss erreichen heißt nicht Siegen oder Verlieren. Wenn wir auf Kosten von Meinungen, Bedarfen, Wünschen und Ängsten eines Teiles der Lahnauer Bürgerinnen und Bürger in einer Abstimmung unser Ziel erreichen, dann ist das kein Sieg. Es ist ein weiteres Risiko, Menschen zu verlieren. Wer in seinen politischen Entscheidungen diejenigen mitdenkt, die eine andere Perspektive haben, sei sie schwarz, rot, gelb oder grün, muss sich später nicht mit so vielen verdächtig braunen Blautönen auseinandersetzen.

Vielen Dank.

Haushaltsrede der FWG-Fraktionsvorsitzenden, Birgit Mandler:

Sehr geehrter Herr Vorsitzender,

sehr geehrter Herr Bürgermeister,

sehr geehrte Kolleginnen und Kollegen,

sehr geehrte Anwesende,

namens der Freien Wähler Gemeinschaft Lahnau bedanke ich mich bei Herrn Veit und Herrn BM Walendsius für die Moderation des Haushaltentwurfes. Den beteiligten Mitarbeiterinnen und Mitarbeitern im Rathaus sowie den Abteilungsleitern Bornhäuser und Scharmann und der Abteilungsleiterin Schmitt-Ziska gilt unser Dank für die entsprechenden Zuarbeiten.

In einer der letzten Sitzungen der Gremien wurde darauf hingewiesen und der Wunsch geäußert, keine Haushaltsreden zu halten bzw. diese nicht nötig seien - auch in Anbetracht der Länge dieser heutigen Gemeindevertretersitzung.

Ich bin dann mal in mich gegangen - wie oftmals gewünscht.

Prima - keine Haushaltsrede - das ist doch genau mein Ding!

Aber - bin ich Wunscherfüllerin?

Nein - ebenso wenig wie meine Fraktionskollegen.

Deshalb folgen hier an dieser Stelle nun doch einige wenige Worte und Gedanken.

Den vorgelegten Haushaltsentwurf und Investitionsplan haben wir alle verinnerlicht, sodass ich uns allen Erläuterungen zum Zahlenwerk erspare.

Grundsätzliche Fragen gibt es dennoch wie z. B.:

-

was können/was dürfen wir uns leisten?

-

welche Folgekosten werden wir haben?

Die FWG fragt sich weiterhin:

Ist bei der derzeitigen klammen Haushaltslage ein Prestigeobjekt „Trendsportanlage“ wirklich erforderlich?

Im Investitionsplan 2026 sind 350.000,-€ dafür eingestellt. Die Gesamtkosten belaufen sich bis 2027 lt. Schätzung auf 600.000.-€ und werden Folgekosten von 58.000,-€ jährlich nach sich ziehen - bei einer evtl. einmaligen maximalen Förderung von 250.000,-€

Notwendige Ausgabe?

Ist die geplante Baumaßnahme für das BGH in Atzbach in diesem Ausmaß von 2.350.000,-€, auch wenn es voraussichtlich einen Förderung von 650.000,-€ geben wird, wirklich erforderlich?

Sinnvolle Ausgabe?

Gedanken zur politischen Arbeit:

Die Arbeiten in allen politischen Gremien haben sich in 2025 methodisch etwas anders gestaltet - nicht unbedingt zum Positiven

Das Zauberwort 2025 - die Politik frühzeitig einbinden - durch Veränderungen der Prioritäten

Das bedeutet aber auch - Entscheidungen auf die Politik abwälzen

Einwände und Nachfragen akzeptieren? - nun ja - da kommen schon mal so Erinnerungen in mir hoch an unschöne Kommentare von Kollegen wie

-

das liebe ich, darauf habe ich gewartet

-

ich auch, war zu erwarten

-

gut, dass sie das nicht gehört hat -

aber ich hatte es gehört!

Respekt im kollegialen Miteinander? - jedes Jahr von mir gewünscht - fehlt noch immer „Manchmal komme ich mir vor wie das 5. Rad am Wagen, das nicht wie gewünscht rund läuft, sondern für Unwuchten im wahrsten Sinne des Wortes sorgt.“

… und dann soll ich auch noch in mich gehen!

Ich bin in mich gegangen!

Mandatsträger tragen die Verantwortung und müssen auch die Finanzen im Auge behalten!

Wir von der FWG hinterfragen nun mal Dinge und Ausgaben!

Sparen ist wie Diät halten -

einfach zu verstehen, schwer umzusetzen.

(wie man an mir sieht)

Dem vorgelegten Entwurf des Haushaltsplanes sowie dem Investitionsplan werde ich aus vorgenannten Gründen nicht zustimmen.

Meine Fraktionsmitglieder sind an meine Entscheidung nicht gebunden.

Ihnen überlasse ich selbstverständlich wie bei allen Abstimmungen die freie Entscheidung.

Wir wünschen uns 2026 weiterhin eine angenehme Zusammenarbeit.

DANKE!

Gemeindevertreter Prof. Dr. Klaus Rauber berichtet aus dem Haupt- u. Finanzausschuss und gibt dessen einstimmige Beschlussempfehlung bekannt.

6.1

Anträge der Fraktionen

Anträge der Fraktionen liegen nicht vor.

6.2

Haushalt 2026

hier: Investitionsprogramm

VL-227/2025

Das Investitionsprogramm befindet sich wie immer im Entwurf des Haushalts 2026 ab Seite 90.

Beschluss:

Das Investitionsprogramm für die Jahre 2025 bis 2029 wird in der vorgelegten Form beschlossen.

Abstimmungsergebnis:

( 20 ) Ja-Stimmen (9 SPD, 8 CDU, 3 4U)

( 3 ) Nein-Stimmen (3 FWG)

( / ) Enthaltungen

7.

Haushalt 2026

hier: Stellenplan

7.1

Anträge der Fraktionen

Anträge der Fraktionen liegen nicht vor.

7.2

Haushalt 2026

hier: Stellenplan

VL-228/2025

Der Stellenplan und die Erläuterungen zum Stellenplan sind ab Seite 281 im Entwurf des Haushalts 2026 zu finden.

Beschluss:

Der Stellenplan für das Haushaltsjahr 2026 wird in der vorliegenden Form beschlossen.

Abstimmungsergebnis:

( 20 ) Ja-Stimmen (9 SPD, 8 CDU, 3 4U)

( 3 ) Nein-Stimmen (3 FWG)

( / ) Enthaltungen

8.

Haushalt 2026

hier: Entwurf der Haushaltssatzung und des Haushaltsplans

8.1

Anträge der Fraktionen

Anträge der Fraktionen liegen nicht vor.

8.2

Anträge des Gemeindevorstandes

8.2.1

Haushalt 2026

hier: Bereitstellung von Mitteln für die Verkehrsführung

VL-231/2025

Gemeindevertreter Roland Eichhorn berichtet aus dem Haupt- u. Finanzausschuss und gibt dessen Beschlussempfehlung bekannt.

Beschluss:

Für die dringende Verbesserung der Verkehrssicherheit (Fußgängerüberwege, Lichtsignalanlagen, bauliche Verbesserungen einschließlich Planungsleistungen usw.) werden im Ergebnishaushalt 2026 214.900 Euro zur Verfügung gestellt. Die Deckung erfolgt vollständig durch die zugewiesenen Mittel der Landes-Soforthilfe für die Gemeinde Lahnau.

Abstimmungsergebnis:

( 23 ) Ja-Stimmen (9 SPD, 8 CDU, 3 4U, 3 FWG)

( / ) Nein-Stimmen

( / ) Enthaltungen

8.3

Notwendige Änderungen nach Einbringung des Haushalts 2026

Antrag von Bürgermeister Walendsius

AT-10/2025

1. Ergänzung

Bürgermeister Christian Walendsius erläutert die notwendigen Änderungen welche sich nach der Haushaltseinbringung ergeben haben.

Gemeindevertreterin Birgit Mandler berichtet aus dem Haupt- und Finanzausschuss und gibt dessen Beschlussempfehlung bekannt.

Beschluss:

Die notwendige Änderungen nach Einbringung des Haushalts 2026 werden in der vorgelegten Form beschlossen.

Abstimmungsergebnis:

( 23 ) Ja-Stimmen (9 SPD, 8 CDU, 3 4U, 3 FWG)

( / ) Nein-Stimmen

( / ) Enthaltungen

8.4

Haushalt 2026

hier: Entwurf und Erlass der Haushaltssatzung 2026

VL-229/2025

Gemeindevertreter Markus Adam berichtet aus dem Haupt- und Finanzausschuss und gibt die Beschlussempfehlung des Ausschuss bekannt.

Fachbereichsleiter II, Lars Veit weist nochmals ausdrücklich auf die mit dieser Vorlage vorgelegte Folgenkostenberechnung sowie den Rechenschaftsbericht 2024 hin.

Beschluss:

Die Haushaltssatzung und der Haushaltsplan 2026 wird in der vorgelegten Form beschlossen.

Daraus ergibt sich folgender Wortlaut der Haushaltssatzung:

Haushaltssatzung der Gemeinde Lahnau für das Haushaltsjahr 2026

Aufgrund des § 94 ff. der Hessischen Gemeindeordnung (HGO) in der Fassung vom 1. April 2005 (GVBl. 2005 I S. 142), zuletzt geändert durch Artikel 1 des Gesetzes vom 1. April 2025 (GVBl. 2025 Nr. 24), hat die Gemeindevertretung Lahnau am 11.12.2025 folgende Haushaltssatzung beschlossen:

§ 1

Der Haushaltsplan für das Haushaltsjahr 2026 wird

im Ergebnishaushalt

im ordentlichen Ergebnis

mit dem Gesamtbetrag der Erträge auf

27.218.860,-- €

mit dem Gesamtbetrag der Aufwendungen auf

29.127.545,-- €

mit einem Saldo von

-1.908.685,-- €

im außerordentlichen Ergebnis

mit dem Gesamtbetrag der Erträge auf

6.000,-- €

mit dem Gesamtbetrag der Aufwendungen auf

0,-- €

mit einem Saldo von

6.000,-- €

Entnahme aus Rücklagen (§ 24 (2) GemHVO)

-1.902.685,-- €

Zuführung zu Rücklagen (§ 24 (1) GemHVO)

0,-- €

ausgeglichen

im Finanzhaushalt

mit dem Saldo aus Einzahlungen und Auszahlungen

aus laufender Verwaltungstätigkeit auf

-553.565,-- €

und dem Gesamtbetrag der

Einzahlungen aus Investitionstätigkeit auf

3.739.790,-- €

Auszahlungen aus Investitionstätigkeit auf

8.909.300,-- €

mit einem Saldo von

-5.169.510,-- €

Einzahlungen aus Finanzierungstätigkeit auf

5.000.000,-- €

Auszahlungen aus Finanzierungstätigkeit auf

545.110,-- €

mit einem Saldo von

4.454.890,-- €

mit einem Zahlungsmittelbedarf des Haushaltsjahres von

-1.268.185,-- €

festgesetzt.

Ein Haushaltssicherungskonzept gem. § 92a Abs. 1 Nr. 1 HGO entfällt gemäß II 2. des Finanzplanungserlasses vom 30.09.2025 in den Fällen, in denen der Saldo des Zahlungsmittelflusses aus laufender Verwaltungstätigkeit zwar nicht so hoch ist, dass daraus die Auszahlungen zur ordentlichen Tilgung von Krediten geleistet werden können, jedoch ausreichend ungebundene Liquidität für die Tilgungsleistungen zur Verfügung steht.

Für das Jahr 2026 steht ungebundene Liquidität in ausreichender Höhe zur Verfügung.

§ 2

Der Gesamtbetrag der Kredite, deren Aufnahme im Haushaltsjahr 2026 zur Finanzierung von Investitionen und Investitionsförderungsmaßnahmen erforderlich ist, wird auf 5.000.000,00 EUR festgesetzt.

§ 3

Es werden keine Verpflichtungsermächtigungen festgesetzt

§ 4

Liquiditätskredite werden nicht beansprucht.

§ 5 (nachrichtlich)

1.

Grundsteuer

a)

für land- und forstwirtschaftliche Betriebe

(Grundsteuer A)

332 v.H.

b)

für Grundstücke (Grundsteuer B)

365 v.H.

2.

Gewerbesteuer nach Gewerbeertrag

399 v.H.

§ 6

Es gilt der von der Gemeindevertretung als Teil des Haushaltsplans am 11.12.2025 beschlossene Stellenplan.

§ 7

Ein Haushaltssicherungskonzept wurde nicht beschlossen.

§ 8

Festlegung von Wertgrenzen für unbestimmte Begriffe und Betragsgrenzen in der Haushaltswirtschaft.

1.)

Der erhebliche Umfang bisher nicht veranschlagter oder zusätzlicher Aufwendungen oder Auszahlungen im Sinne von § 98 Abs. 2 Nr. 3 HGO wird auf 5 % des veranschlagten Gesamtbetrags der Aufwendungen (Ergebnishaushalt) bzw. der gesamten Auszahlungen (Finanzhaushalt) festgesetzt.

2.)

Überplanmäßige Aufwendungen und Auszahlungen gemäß § 100 HGO bis zu einem Betrag von 30.000 € sowie außerplanmäßige Aufwendungen und Auszahlungen bis zu einem Betrag von 15.000 € gelten als unerheblich. In diesen Fällen wird der Gemeindevorstand ermächtigt, die Genehmigung zur Leistung dieser Aufwendungen und Auszahlungen zu erteilen. Der Gemeindevorstand hat der Gemeindevertretung davon alsbald Kenntnis zu geben.

3.)

Investitionen gemäß § 12 GemHVO gelten ab einem Betrag von 150.000 € als Vorhaben von erheblicher finanzieller Bedeutung.

Lahnau, den 12.12.2025

Der Gemeindevorstand
der Gemeinde Lahnau
Walendsius
Bürgermeister

Abstimmungsergebnis:

( 20 ) Ja-Stimmen (9 SPD, 8 CDU, 3 4U)

( 3 ) Nein-Stimmen (3 FWG)

( / ) Enthaltungen

9.

Vergaberichtlinien für Bauland in der Gemeinde Lahnau

VL-187/2025

Gemeindevertreterin Anika Bittorf berichtet aus dem Sozial- Familien und Kulturausschuss und gibt dessen Beschlussempfehlung bekannt.

Gemeindevertreterin Birgit Mandler erklärt für die FWG-Fraktion, das diese dem Beschlussvorschlag nicht zustimmen wird, da sie Einschränkungen für Lahnauer Bürgerinnen und Bürger befürchtet.

Gemeindevertretervorsitzender Ronald Döpp gibt die Beschlussempfehlung des Haupt- und Finanzausschuss bekannt.

Aufgrund des Änderungsantrages der SPD-Fraktion wird unter dem TOP 9.1. abgestimmt.

9.1

Änderungsantrag der SPD-Fraktion zur Vergaberichtlinie

AT-9/2025

Der Vorsitzende der Gemeindevertretung lässt über den Änderungsantrag der SPD-Fraktion abstimmen.

Beschluss:

Der beigefügte Entwurf für eine Vergaberichtlinie für Bauland in der Gemeinde Lahnau wird zur Anwendung mit folgenden Änderungen beschlossen:

1.

Aufnahme von „eheähnlichen Partnerschaften“ im Kriterium Familienstand

In Abschnitt A, III.1 Nr. 1 wird nach „Verheiratet; eingetragene Lebenspartnerschaft“ ergänzt:

„oder in einer auf Dauer angelegten eheähnlichen Lebensgemeinschaft mit mindestens einem gemein-samen minderjährigen Kind.“

Damit erhalten unverheiratete Elternpaare dieselbe Punktzahl wie verheiratete Paare.

2.

Begrenzung der Kumulierung bei Ortsbezug und Erwerbstätigkeit

Die Formulierungen „kumuliert berücksichtigt“ in den Kriterien:

A, III.2 Nr. 1 (Zeitdauer des Hauptwohnsitzes)

A, III.2 Nr. 2 (Erwerbstätigkeit)

werden wie folgt geändert:

„Die Zeitdauer wird nicht kumuliert, sondern richtet sich ausschließlich nach dem höheren Einzelwert eines der beiden Partner.“

Hierdurch zählen nicht mehr zwei parallele Lebensläufe additiv, sondern der höchste Wert innerhalb des Haushalts.

3.

Vereinheitlichung der Punkte zum Ehrenamt

In Abschnitt A, III.2 Nr. 3 wird das gestufte Punktesystem ersetzt durch:

„Für nachgewiesenes ehrenamtliches Engagement in der Gemeinde Lahnau (Verein, gemeindliches Gremium, Einsatzabteilung Feuerwehr, kirchliches Gremium, Rettungsorganisation) werden pauschal 4 Punkte vergeben.

Abstimmungsergebnis:

( 20 ) Ja-Stimmen (9 SPD, 8 CDU, 3 4U)

( 3 ) Nein-Stimmen (3 FWG)

( / ) Enthaltungen

10.

Digitalisierung der kommunalen Liegenschaften im Bereich Energie

hier: Einstellung von Haushaltsmitteln zur Erstellung eines smarten Energiemonitorings

VL-216/2025

1. Ergänzung

Bürgermeister Christian Walendsius erläutert die Vorlage.

Gemeindevertreterin Birgit Mandler erklärt, dass Sie der Beschlussvorlage nicht zustimmt, da es sich zunächst um einen kleinen Betrag uns in den weiteren Jahren um eine Summe 284 tsd€ handelt und Sie der Auffassung ist, dass die Ersparnis diese Investition nicht rechtfertigt.

Beschluss:

Zur Umsetzung eines smarten Energiemonitorings in kommunalen Liegenschaften der Gemeinde Lahnau sowie die Vernetzung der kommunalen Liegenschaften über ein LoRaWAN-System, werden für den Falle einer Förderzusage im Rahmen des Programmes „Starke Heimat Hessen - Förderung smarter Kommunen und Regionen“ Finanzmittel in Höhe von 25.000,00 € in den Haushaltsplan 2026 eingestellt.

Abstimmungsergebnis:

( 17 ) Ja-Stimmen (9 SPD, 5 CDU, 3 4U))

( 1 ) Nein-Stimmen (1 FWG)

( 5 ) Enthaltungen (3 CDU, 2 FWG)

11.

Bauleitplanung der Gemeinde Lahnau; Ortsteil Dorlar

Bebauungsplan Nr.9 Gewerbegebietserweiterung „Eberacker“ - 3.Änderung und Erweiterung

Aufstellungsbeschluss gemäß § 2 Abs.1 BauGB

VL-225/2025

Zu Beginn der Diskussion verlässt der Gemeindevertreter Dennis Sauter aufgrund von Befangenheit den Saal und nimmt nicht an der Abstimmung teil.

Aus dem Bau- und Verkehrsausschuss berichtet Herr Karl-Heinz Weber. Der Ausschuss empfiehlt die Annahme mit 5 Ja-Stimmen und einer Enthaltung.

Es gibt kein Wortmeldungen.

Der Vorsitzende lässt über den Tagesordnungspunkt abstimmen und bittet Herrn Sauter anschließend wieder in den Saal.

Beschluss:

Aufstellungsbeschluss gemäß § 2 Abs.1 BauGB

(1)

Die Gemeindevertretung der Gemeinde Lahnau beschließt gemäß § 2 Abs.1 BauGB die Aufstellung des Bebauungsplanes Nr.9 Gewerbegebietserweiterung „Eberacker“ - 3.Änderung und Erweiterung im Ortsteil Dorlar.

(2)

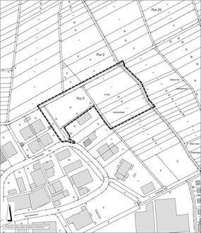
Der Geltungsbereich des Bebauungsplanes ist der nachfolgenden Übersichtskarte zu entnehmen. Betroffen sind die Flurstücke 96tlw., 97tlw. und 98/1tlw. in der Flur 2 sowie die Flurstücke 74, 75, 77, 78, 184/1tlw., 185tlw., 196tlw., 210/76, 211/76, 315/1, 316/1, 317/5, 317/6 und 317/7 in der Flur 5.

Die Flurbezeichnung ist In der Leinemkaut.

(3)

Der Aufstellungsbeschluss für den Bebauungsplan ist gemäß § 2 Abs.1 Satz 2 BauGB ortsüblich bekannt zu machen.

(4)

Ziel der Aufstellung des Bebauungsplanes ist die Erweiterung des bestehenden Gewerbegebietes nach Osten hin für die dort ansässige Firma Sauter. Der heutige Firmenstandort und die Arbeitsplätze sollen durch den Aufbau einer neuen Produktionslinie gesichert und entwickelt werden. Der Bebauungsplan ist aus dem wirksamen Flächennutzungsplan entwickelt. Die Belange von Natur und Landschaft sind gemäß §§ 1a und 2a BauGB im Rahmen der Bauleitplanung zu behandeln. Neben der Ausweisung von Eingrünungsflächen werden grünordnerische Maßnahmen im Plangebiet und externe Ausgleichsflächen ausgewiesen.

(5)

Die Aufstellung des o.g. Bauleitplanverfahrens erfordert eine Umweltprüfung i.S. des § 2 Abs.4 BauGB, in der die voraussichtlichen erheblichen Umwelteinwirkungen ermittelt und in einem Umweltbericht beschrieben und bewertet werden. Der Umweltbericht ist gemäß § 2a BauGB in die Begründung des Bebauungsplanes zu integrieren.

(6)

Die frühzeitige Beteiligung der Öffentlichkeit gemäß § 3 Abs.1 BauGB wird durch Auslegung der Planung in der Verwaltung und/oder durch eine Bürgerversammlung durchgeführt. Gleichzeitig wird die Beteiligung der Behörden und sonstiger Träger öffentlicher Belange gemäß § 4 Abs.1 BauGB durchgeführt.

Übersichtskarte

Bebauungsplan Nr.9 Gewerbegebietserweiterung „Eberacker“ - 3.Änderung und Erweiterung

Abstimmungsergebnis:

( 20 ) Ja-Stimmen (8 SPD, 7 CDU, 2 4U, 3 FWG)

( 1 ) Nein-Stimmen (1 SPD)

( 1 ) Enthaltungen (1 4U)

12.

Zukünftige Nutzung des Heimatmuseums Waldgirmes

hier: Antrag der SPD-Fraktion vom 28.08.2018

AT-35/2018

Die Abstimmung erfolgt unter dem TOP 12.1.

12.1

Geeinter Beschlussvorschlag des SFK-Ausschusses gem. § 29 abs. 1 GO“ zum SPD-Antrag AT (35/2018) vom 28.08.2018 - Zukünftige Nutzung des Heimatmuseums Waldgirmes

AT-35/2018 1. Ergänzung

Aus dem Sozial-, Familien-, und Kulturausschuss berichtet Herr Ulf Perkitny. Der Ausschuss hat das Thema in seiner Sitzung am 24.11.2025 beraten und folgenden Beschlussvorschlag formuliert:

Das Heimatmuseum in Waldgirmes soll in den nächsten Jahren auf Grundlage der Ergebnisse der Dorfentwicklung zu einem der attraktiven kulturellen Mittelpunkte von Lahnau weiterentwickelt werden. Der Gemeindevorstand wird beauftragt gemeinsam mit den Gremien der Dorfentwicklung, den Fachausschüssen der Gemeindevertretung und dem Geschichtsverein Lahnau e. V. ein zukunftsfähiges und modernes Nutzungskonzept zu erarbeiten, welches das gesamte Areal umfasst. Auch die Barrierefreiheit bei Toiletten und Zugang sollen hierbei beachtet werden. Der Auftrag umfasst auch die Sicherstellung geeigneter Depotflächen.

Beschluss:

Die Gemeindevertretung beschließt, dass das Heimatmuseum in Waldgirmes in den nächsten Jahren auf Grundlage der Ergebnisse der Dorfentwicklung zu einem der attraktiven kulturellen Mittelpunkte von Lahnau weiterentwickelt werden soll. Der Gemeindevorstand wird beauftragt gemeinsam mit den Gremien der Dorfentwicklung, den Fachausschüssen der Gemeindevertretung und dem Geschichtsverein Lahnau e. V. ein zukunftsfähiges und modernes Nutzungskonzept zu erarbeiten, welches das gesamte Areal umfasst. Auch die Barrierefreiheit bei Toiletten und Zugang sollen hierbei beachtet werden. Der Auftrag umfasst auch die Sicherstellung geeigneter Depotflächen.

Abstimmungsergebnis:

( 23 ) Ja-Stimmen (9 SPD, 8 CDU, 3 4U, 3 FWG)

( / ) Nein-Stimmen

( / ) Enthaltungen

13.

Neufassung des öffentlich-rechtlichen Vertrages zum Betrieb eines Wertstoffhofes und zur Bereitstellung von Glas-Depotcontainerstandplätzen zwischen dem Lahn-Dill-Kreis/Eigenbetrieb Abfallwirtschaft Lahn-Dill und der Gemeinde Lahnau

VL-237/2025

1. Ergänzung

Aus dem Haupt- und Finanzausschuss berichtet Herr Ronald Döpp, dieser empfiehlt die Annahme einstimmig.

Beschluss:

Der Neufassung des öffentlich-rechtlichen Vertrages zum Betrieb eines Wertstoffhofes und zur Bereitstellung von Glas-Depotcontainerstandplätzen zwischen dem Lahn-Dill-Kreis/Eigenbetrieb Abfallwirtschaft Lahn-Dill und der Gemeinde Lahnau wird in der vorliegenden Form (Stand: 29.10.2025) zugestimmt.

Abstimmungsergebnis:

( 23 ) Ja-Stimmen (9 SPD, 8 CDU, 3 4U,3 FWG)

( / ) Nein-Stimmen

( / ) Enthaltungen

14.

Überprüfung der Baukostenschätzung von Hessen Mobil zur B49 Wetzlar- Umfahrungslösung

hier: Beauftragung des Büros RegioConsult, Marburg

VL-245/2025

Der Bürgermeister erläutert, man befinde sich noch in der Vorplanung. Das Thema falle in die ausschließliche Zuständigkeit der Gemeindevertretung.

Herr Johannes Volkmann teile die Meinung des Bürgermeisters vollumfänglich. Das Bundesverkehrsministerium habe hier eine sehr starre Vorstellung wie Planungen zu erfolgen haben. Er werde die Thematik in einem persönlichen Gespräch auch nochmals anbringen.

Auch Herr Markus Velten hält die Thematik für sehr dringend und appelliert daran, dem Beschlussvorlage zuzustimmen.

Für die SPD spricht Herr Dr. Klaus Rauber. Auch diese unterstütze den Antrag, je früher die Gemeinde dagegen vorgehe, umso bessere Möglichkeiten habe sie.

Herr Beitz erläutert, dass die Gemeindevertretung hier Verantwortung für den Bürger übernehmen müsse und das Thema daher aufgreifen müsse, auch die CDU stimme daher zu.

Frau Mandler schließe sich ihren Vorrednern an, die FWG werde ebenfalls zustimmen.

Der Vorsitzende der Gemeindevertretung lässt über den Tagesordnungspunkt abstimmen.

Beschluss:

Das Büro RegioConsult, Marburg wird mit der Überprüfung der Baukostenschätzung von Hessen Mobil zur B49 Wetzlar - Umfahrungslösung gemäß Angebot vom 05.12.2025 mit einer vorläufigen Auftragssumme von brutto 11.620,35 € beauftragt.

Abstimmungsergebnis:

( 23 ) Ja-Stimmen (9 SPD, 8 CDU, 3 4U, 3 FWG)

( / ) Nein-Stimmen

( / ) Enthaltungen

15.

Verwaltungskostensatzung der Gemeinde Lahnau

VL-239/2025

Der Bürgermeister ergänzt, dass die alte Satzung etwas in die Jahre gekommen sei. Auf Ebene der Kreiskommunen, habe man eine gemeinsame Mustersatzung erarbeitet.

Aus dem Haupt- und Finanzausschuss berichtet Herr Dr. Klaus Rauber über die einstimmige Empfehlung.

Beschluss:

Die Verwaltungskostensatzung der Gemeinde Lahnau wird in der vorgelegten Form beschlossen.

Abstimmungsergebnis:

( 23 ) Ja-Stimmen (9 SPD, 8 CDU, 3 4U, 3 FWG)

( / ) Nein-Stimmen

( / ) Enthaltungen

16.

(weitere) Mitteilungen

16.1

a) des Vorsitzenden

Der Vorsitzende erinnert nochmals an die Fahrt nach Geraberg am kommenden Samstag. Es haben sich 27 Personen angemeldet. Abfahrt sei pünktlich um 9:00 Uhr. Wer noch spontan mitfahren möchte, habe noch die Möglichkeit sich anzumelden.

Im Anschluss an die Sitzung lädt er zum Essen in den kleinen Saal ein. Getränke gibt es in Selbstbedienung an der Theke.

16.2

b) des Gemeindevorstandes

16.3

c) aus der Gemeindevertretung

16.4

Anpassungen des Vertrags mit der Fa. Qair nach Beschlussfassung durch die Gemeindevertretung am 06.11.2025

MI-24/2025

Die Gemeindevertretung nimmt die Anpassung zur Kenntnis.

17.

Anfragen an den Gemeindevorstand

Frau Mandler möchte wissen, ob es bereits eine Benutzungsordnung für den SOFA-Raum gebe.

Der Bürgermeister antwortet, dass diese noch erstellt werde.

Weitere Anfragen gibt es nicht.

Der Vorsitzender der Gemeindevertretung Ronald Döpp schließt die Sitzung der Gemeindevertretung der Gemeinde Lahnau um 20:05 Uhr und bedankt sich bei den Mitgliedern für ihre Teilnahme.

Außerdem bedankt er sich für die schnelle und konstruktive Zusammenarbeit im Jahr 2025 und wünscht allen Anwesenden frohe Weihnachten und einen guten Rutsch ins neue Jahr.

Lahnau, 16.12.2025

Vorsitzender der Gemeindevertretung  —  Schriftführerin
Ronald Döpp  —  Alena Böttcher
 — Schriftführer
 — Klaus Scharmann