Titel Logo
Lahnau Nachrichten
Ausgabe 25/2023
Amtliche Bekanntmachungen
Zurück zur vorigen Seite
Zurück zur ersten Seite der aktuellen Ausgabe

Inkrafttreten des Bebauungsplanes gemäß § 10 Abs. 3 Baugesetzbuch

Bauleitplanung der Gemeinde Lahnau, Ortsteil Dorlar

Bebauungsplan „Gewerbegebietserweiterung Beim Eberacker / Am Römerlager“

Die Gemeindevertretung der Gemeinde Lahnau hat am 16.02.2023 den Bebauungsplan „Gewerbegebietserweiterung Beim Eberacker / Am Römerlager“ im Ortsteil Dorlar gemäß § 10 Abs. 1 BauGB (Baugesetzbuch) i.V.m. § 5 HGO (Hessische Gemeindeordnung) und i.V.m. § 9 Abs. 4 BauGB i.V.m. § 91 HBO (Hessische Bauordnung) sowie § 37 Abs. 4 HWG (Hessisches Wassergesetz) als Satzung beschlossen und die Begründung hierzu gebilligt.

Der Geltungsbereich ist der nachfolgenden Übersichtskarte zu entnehmen.

Der Bebauungsplan ist gemäß § 8 Abs. 2 BauGB aus der am 07.06.2023 vom Regierungspräsidium Gießen genehmigten Flächennutzungsplanänderung entwickelt.

Gemäß § 10 Abs. 3 Satz 4 BauGB tritt der Bebauungsplan mit integrierter Orts- und Gestaltungssatzung und wasserrechtlichen Festsetzungen mit dieser Bekanntmachung in Kraft.

Der Bebauungsplan und die Begründung inkl. Umweltbericht hierzu kann im Rathaus der Gemeindeverwaltung Lahnau, Rathausplatz 1-5, Bauverwaltung Haus-Nr. 2, Dachgeschoss, Zimmer 10, 35633 Lahnau, während der allgemeinen Dienststunden sowie nach Vereinbarung eingesehen werden (§ 10 Abs. 3 Satz 3 BauGB). Über den Inhalt wird auf Verlangen Auskunft erteilt (§ 10 Abs.3 Satz 2 BauGB).

Gemäß § 10a Abs. 2 BauGB kann der rechtskräftige Bebauungsplan mit Begründung und zusammen-fassender Erklärung ergänzend auf der Homepage der Gemeinde Lahnau www.lahnau.de/Aktuelles-Termine/Bekanntmachungen eingesehen und heruntergeladen werden. Gleichzeitig kann der Plan über das zentrale Internetportal des Landes Hessen (www.bauleitplanung.hessen.de) eingesehen und heruntergeladen werden.

Gemäß § 10a Abs. 1 BauGB wird dem Bebauungsplan eine zusammenfassende Erklärung beigefügt, aus der die Art und Weise hervorgeht, wie die Umweltbelange und die Ergebnisse der Öffentlichkeits- und Behördenbeteiligung in dem Bebauungsplan berücksichtigt wurden, und aus welchen Gründen der Plan nach Abwägung mit den geprüften in Betracht kommenden anderweitigen Planungsmöglichkeiten gewählt wurde.

Gemäß § 215 Abs. 2 BauGB wird darauf hingewiesen, dass eine nach § 214 Abs. 1 Satz 1 Nr. 1 bis 3 BauGB beachtliche Verletzung der dort bezeichneten Verfahrens- und Formvorschriften, eine unter Berücksichtigung des § 214 Abs. 2 BauGB beachtliche Verletzung der Vorschriften über das Verhältnis des Bebauungsplanes und des Flächennutzungsplanes und nach § 214 Abs. 3 Satz 2 BauGB beachtliche Mängel des Abwägungsvorgangs gemäß § 215 Abs. 1 BauGB unbeachtlich werden, wenn sie nicht innerhalb von einem Jahr seit dieser Bekanntmachung schriftlich gegenüber der Gemeinde unter Darlegung des die Verletzung begründenden Sachverhalts geltend gemacht worden sind.

Auf die Vorschriften der §§ 44 Abs. 3 Satz 1 und 2 sowie Abs. 4 BauGB über die fristgemäße Geltend-machung etwaiger Entschädigungsansprüche für Eingriffe in eine bisher zulässige Nutzung durch diesen Bebauungsplan und über das Erlöschen von Entschädigungsansprüchen wird hingewiesen.

Bauleitplanung der Gemeinde Lahnau, Ortsteil Dorlar

Bebauungsplan „Gewerbegebietserweiterung Beim Eberacker / Am Römerlager“

Übersichtskarten

Räumlicher Geltungsbereich (Baugebiet)

hier: Räumliche Geltungsbereiche zu den Ausgleichsflächen

Plankarte 2.1 (Renaturierung Gänsbach)

Ausschnitt genordet, ohne Maßstab

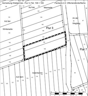
Plankarte 2.2: Offenlandbrüterfläche 1

Ausschnitt genordet, ohne Maßstab

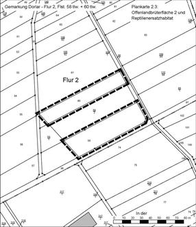
Plankarte 2.3: Offenlandbrüterfläche 2 und Reptilienersatzhabitat

Ausschnitt genordet, ohne Maßstab

Plankarte 2.4: Steinkauzfläche 1

Ausschnitt genordet, ohne Maßstab

Plankarte 2.5: Steinkauzfläche 2

Ausschnitt genordet, ohne Maßstab

Räumliche Übersichtskarte 1: Geltungsbereich (B-Plan und FNP-Änderung, inkl. Tauschfläche)

Ausschnitt genordet, ohne Maßstab

Übersichtskarte Ausgleichsflächen

Ausschnitt genordet, ohne Maßstab

Lahnau, 19.06.2023

Der Gemeindevorstand
der Gemeinde Lahnau
Wrenger-Knispel, Bürgermeisterin