Titel Logo
Lahnau Nachrichten
Ausgabe 7/2026
Amtliche Bekanntmachungen
Zurück zur vorigen Seite
Zurück zur ersten Seite der aktuellen Ausgabe

Bauleitplanung der Gemeinde Lahnau, Ortsteil Waldgirmes

Bebauungsplan „Vor dem Polstück IV“ sowie

Änderung des Flächennutzungsplanes in diesem Bereich

Bekanntmachung Beteiligung der Öffentlichkeit gemäß § 3 Abs.2 BauGB - Entwurfsoffenlage

(1)

Die Gemeindevertretung der Gemeinde Lahnau hat am 13.09.2018 gemäß § 3 Abs.2 BauGB die Entwurfsoffenlage des Bebauungsplanes „Vor dem Polstück IV“ sowie die FNP-Änderung in diesem Bereich im Ortsteil Waldgirmes beschlossen. Am 11.09.25 wurde der Geltungsbereich zum Entwurf um weitere Grundstücke im Nordosten durch die Gemeindevertretung erweitert.

(2)

Die Geltungsbereiche des Bebauungsplanes (Teilplan 1/2 und 2/2) und der Flächennutzungsplanänderung sind den nachfolgenden Übersichtskarten zu entnehmen. Betroffen sind im Teilplan 1/2 die Flurstücke 3/3, 3/4, 4/1, 5-19, 90/8tlw., 90/9, 92/3, 188/2, 188/6, 188/8, 188/50tlw., 191, 192, 220-223, 224tlw., 225-229, 230/1, 230/2, 231/1, 234, 235/1, 235/2, 236-240, 241/1, 242/1, 244tlw., 253 und 253/1, jeweils Flur 20. Hinzu kommt, leicht abgesetzt vom Plangebiet, die Flurstücke 70, 230-232, 234-238 in der Flur 19, alle Gemarkung Waldgirmes.

Im Teilplan 2/2 die Flurstücke 135 und 136 (Flur 25) Gemarkung Atzbach (Plankarte 1), die Flurstücke 10/1, 51, 138/2tlw. und 149tlw. (Flur 11) und Flurstück 124tlw. (Flur 10), Gemarkung Atzbach (Plankarte 2), die Flurstücke 191, 193-195, (Flur 18), Gemarkung Dorlar (Plankarte 3), die Flurstücke 1tlw., 165/2tlw. und 166/2tlw., (Flur 17), Gemarkung Dorlar (Plankarte 4), und das Flurstück 85, (Flur 14), Gemarkung Atzbach (Plankarte 5).

(3)

Ziel der Aufstellung des Bebauungsplanes ist die Erweiterung des bestehenden Gewerbegebietes für die dort ansässigen Firmen sowie die Schaffung von Erweiterungsflächen für vor Ort bestehende Betriebe. Südlich angrenzend wird eine Fläche für ein Regenrückhaltebecken ausgewiesen. Der Bebauungsplan ist nicht aus dem wirksamen Flächennutzungsplan entwickelt, so dass im Parallelverfahren im Sinne des § 8 Abs.3 BauGB eine Änderung des Flächennutzungsplanes erfolgt. Die Belange von Natur und Landschaft sind gemäß §§ 1a und 2a BauGB im Rahmen der Bauleitplanung zu behandeln. Neben der Ausweisung von Eingrünungsflächen werden grünordnerische Maßnahmen im Plangebiet und externe Ausgleichsflächen ausgewiesen. Die Planziele gelten analog für die Änderung des Flächennutzungsplanes, der die Flächen derzeit als lw. Nutzflächen darstellt.

(4)

Gemäß § 2 Abs. 4 und § 2a BauGB muss eine Umweltprüfung durchgeführt werden, in der die voraussichtlich erheblichen Umwelteinwirkungen ermittelt und in einem Umweltbericht beschrieben und bewertet werden. Der Umweltbericht und die umweltrelevanten Informationen und Stellungnahmen werden mit öffentlich ausgelegt.

Folgende umweltrelevante Informationen sind verfügbar und liegen ebenfalls öffentlich aus: Umweltbericht mit integriertem landschaftspflegerischem Fachbeitrag und Aussagen zu den umweltrelevanten Schutzgütern gemäß § 1 Abs. 6 Nr.7a-j BauGB u.a. die Schutzgüter Boden und Wasser, Klima und Luft, Tiere und Pflanzen, Biologische Vielfalt, Landschaft, Gebiete gemeinschaftlicher Bedeutung und Europäische Vogelschutzgebiete, Mensch, Gesundheit und Bevölkerung, Kultur- und sonstige Sachgüter sowie Gebiete zur Erhaltung der bestmöglichen Luftqualität.

Ferner umfasst der Umweltbericht Angaben zu Maßnahmen zur Vermeidung, Verringerung und zum Ausgleich der nachteiligen Auswirkungen der Planung, zur Entwicklung des Umweltzustandes bei Durchführung bzw. Nichtdurchführung der Planung, zu den in Betracht kommenden anderweitigen Planungsmöglichkeiten sowie zur Überwachung der Umweltauswirkungen, die aufgrund des Bebauungsplans auftreten können.

Hinzu kommt eine Eingriffs- und Ausgleichsplanung zu dem durch den Bebauungsplan bauplanungsrechtlich vorbereiteten Eingriff in Natur und Landschaft und dessen Ausgleich. Diesbezüglich wird der naturschutzfachliche, biotop- und artenschutzrechtliche Ausgleich anhand von umfangreichen Flächen für Maßnahmen zum Schutz, zur Pflege und zur Entwicklung von Boden, Natur und Landschaft erbracht.

Weitere umweltbezogene Informationen liegen vor:

1.

Artenschutzrechtlicher Fachbeitrag bestehend aus einem faunistischen Gutachten. Aus der Analyse sind als artenschutzrechtlich besonders zu prüfende Vogelart Bluthänfling und Feldlerche hervorgegangen. (PlanÖ, Februar 2026).

2.

Verkehrsgutachten, Zick-Hessler Ingenieure, Dez. 2021

3.

Archäologische Untersuchungen, 08/09 2020

(5)

Im Rahmen der Beteiligungsverfahren gemäß § 3 Abs.1 und § 4 Abs.1 BauGB sind umweltrelevante Stellungnahmen von Behörden und sonstigen Trägern öffentlicher Belange eingegangen. Wesentliche Sachverhalte werden zusammenfassend aufgeführt:

Avacon (Schutzgüter Pflanzen, Mensch, Gesundheit und Bevölkerung): Hinweise auf die Hochspannungsfreileitung im Planbereich sowie allgemeine Hinweise.

Deutsche Telekom Technik GmbH (Schutzgüter Boden und Wasser, Mensch, Gesundheit und Bevölkerung): Hinweise auf das Vorkommen von Telekommunikationslinien der Telekom im Planbereich sowie allgemeine Hinweise.

EAM Netz GmbH (Schutzgüter Boden und Wasser, Mensch, Gesundheit und Bevölkerung): Hinweise auf Versorgungsanlagen im Planbereich. Allgemeine Hinweise zur Sicherstellung der Stromversorgung.

Hessen Mobil (Schutzgüter Boden und Wasser, Mensch, Gesundheit und Bevölkerung): Hinweise auf die Bauverbotszone, auf das Verkehrsaufkommen und die Leistungsfähigkeit des Knotenpunktes, auf mögliche Blendwirkungen und der Abfluss des Oberflächenwassers.

Kreisausschuss des LDK, Amt für den ländlichen Raum Forsten (Schutzgüter Boden und Wasser, Klima und Luft, Tiere und Pflanzen, Biologische Vielfalt, Landschaft, Mensch, Gesundheit und Bevölkerung, Kultur- und sonstige Sachgüter): Hinweise zur Inanspruchnahme landwirtschaftlicher Flächen. Hinweis auf Vermeidung der Ausgleichsplanung auf landwirtschaftlichen Flächen, Hinweise zum Klima (Kaltluftabfluss) und zur Nachverdichtung und Bodenversiegelung.

Kreisausschuss des LDK, Bauen und Wohnen Forsten (Schutzgüter Wasser, Kultur- und sonstige Sachgüter): Hinweis auf die Vermaßung, Hinweis auf Gewässerrandstreifen, auf die Bauverbotszone und Untersuchungen von Bodendenkmälern.

Kreisausschuss des LDK, Brandschutz (Schutzgüter: Mensch, Gesundheit und Bevölkerung): Hinweise zur Sicherung der Löschwasserversorgung.

Kreisausschuss des LDK, Gesundheitsamt Schutzgüter: Wasser, Mensch, Gesundheit und Bevölkerung): Hinweise zum Trinkwasser und Regenwassernutzungsanlagen.

Kreisausschuss des LDK, Umwelt, Natur und Wasser (Schutzgüter Boden und Wasser, Klima und Luft, Tiere und Pflanzen, Biologische Vielfalt, Landschaft, Mensch, Gesundheit und Bevölkerung, Kultur- und sonstige Sachgüter): Hinweise zum Klima, zu den Kompensationsflächen, zum Artenschutz, zum Wildkorridor, sowie Hinweise zur Entwässerung, zum Grundwasser, zu den Gewässern im Plangebiet, zur Abwasserableitung, zur Berücksichtigung der Vorgaben zum besonderen Schutz des Oberbodens und zum Regenrückhaltebecken und der Lage am Rande des Hochwasserrisikogebietes.

Landesamt für Denkmalpflege Hessen (Schutzgüter Boden, Kultur- und sonstige Sachgüter): Anregung zur Berücksichtigung bodendenkmalschützender Belange, da sich im Plangebiet Bodendenkmäler befinden können. Hinweise zum Umgang mit bodenschützenden Belangen nach stattgefundener Abstimmung mit dem Landesamt für Denkmalpflege.

Magistrat der Stadt Wetzlar (Schutzgüter Tiere, Klima, Mensch, Kultur- und sonstige Sachgüter): Hinweise zum interkommunalen Gewerbegebiet, zur Erschließung, zum Wildtierkorridor und Freiraumentwicklung.

Naturschutzverbände des Lahn-Dill-Kreises und der Stadt Wetzlar (Schutzgüter Pflanzen, Tiere, Klima, Mensch, Kultur- und sonstige Sachgüter): Hinweise zum Wildtierkorridor, zu angrenzenden Schutzgebieten, zum vorhandenen Längebach, zum Regionalen Grünzug und zu Kaltluftabflussgebieten.

RP Gießen, Obere Landesplanungsbehörde (Schutzgüter: Boden und Wasser, Luft, Klima und Landschaft, sonstige Sachgüter): Hinweise auf Vereinbarkeit mit den Zielen der Raumordnung. Hinweis auf Maßgaben der Abweichungsentscheidung, Hinweise zur Durchgrünung, zum Gewässer, zur Verkehrserschließung, zu Bodendenkmälern und zu den geplanten Nutzungen.

RP Gießen, Grundwasser (Schutzgüter: Boden, Wasser): Hinweis auf Gewässerrandstreifen.

RP Gießen, Nachsorgender Bodenschutz (Schutzgüter: Boden, Wasser, Luft, Mensch, Gesundheit und Bevölkerung): Kein Hinweis auf Altlasten im Plangebiet. Hinweise auf Umgang im Falle eines Vorkommens.

RP Gießen, Vorsorgender Bodenschutz (Schutzgüter: Boden, Wasser und Luft): Hinweise zum vorsorgenden Bodenschutz. Hinweise zu Vorkehrungsmaßnahmen zum Schutz des Bodens. Hinweis auf Forderung einer Bodenkundlichen Baubegleitung ab der Planungsphase.

RP Gießen, Kommunale Abfallentsorgung, Abfallentsorgungsanlagen (Schutzgüter: Mensch, Tiere, Gesundheit und Bevölkerung): Hinweise zum Umgang mit Abfall und der Abfallentsorgung.

RP Gießen, Immissionsschutz (Schutzgüter: Mensch, Tiere, Gesundheit und Bevölkerung): Hinweis auf den Abstand zur Freileitung und eine Empfehlung der Erstellung eines Gutachtens zum Verkehrslärm.

RP Gießen, Bergaufsicht (Schutzgüter: Boden, Wasser, Landschaft, Mensch, Kultur- und sonstigen Sachgütern): Hinweise auf Vorkommen eines Bergwerksfeldes.

RP Gießen, Obere Naturschutzbehörde (Schutzgüter: Pflanzen, Schutzgebiete): Hinweise auf das angrenzende Landschaftsschutzgebiet.

RP Darmstadt, Kampfmittelräumdienst (Schutzgüter Boden und Wasser; Mensch, Gesundheit und Bevölkerung): Kein Verdacht auf Vorkommen von Kampfmittel.

(6)

Gemäß § 3 Abs.2 BauGB (Beteiligung der Öffentlichkeit) werden die Planunterlagen des Bebauungsplanes und der Flächennutzungsplanänderung (Plankarten, Begründung, Umweltbericht, Artenschutzrechtlicher Fachbeitrag, Verkehrsuntersuchung und archäologische Untersuchungen) in der Zeit vom

16.02.2026 - 20.03.2026 einschließlich

auf der Homepage der Gemeinde unter www.lahnau.de unter der Rubrik Aktuelles-Termine/Bekanntmachungen sowie über das zentrale Internetportal des Landes Hessen (www.bauleitplanung.hessen.de) eingestellt und können eingesehen und heruntergeladen werden. Zusätzlich zur Veröffentlichung im Internet erfolgt gemäß § 3 Abs. 2 Satz 4 Nr.4 BauGB eine öffentliche Auslegung der oben genannten Unterlagen in der Gemeindeverwaltung Lahnau, Rathausplatz 1-5, Bauverwaltung Haus-Nr. 2, Dachgeschoss, Zimmer 10, 35633 Lahnau, während der Dienststunden der Verwaltung, sowie nach Vereinbarung. Jedermann hat in dieser Auslegungsfrist die Gelegenheit zur Information sowie zur Äußerung und Abgabe einer Stellungnahme mit Anregungen und Hinweisen, z.B. schriftlich, elektronisch (E-Mail) oder zu Protokoll. Die Stellungnahmen können auch per E-Mail (fischer@fischer-plan.de) beim Planungsbüro abgegeben werden.

(7)

Die Gemeinde Lahnau hat gemäß § 4b BauGB das Planungsbüro Fischer aus 35435 Wettenberg mit der Durchführung des Bauleitplanverfahrens beauftragt.

(8)

Gemäß § 3 Abs. 2 Satz 2 BauGB wird darauf hingewiesen, dass Stellungnahmen zu dem Bebauungsplan während der Auslegungsfrist abgegeben werden können und das nicht fristgerecht abgegebene Stellungnahmen bei der Beschlussfassung über den Bebauungsplan unberücksichtigt bleiben können.

(9)

Für die Flächennutzungsplanänderung gilt, dass eine Vereinigung im Sinne des § 4 Abs. 3 Satz 1 Nummer 2 des Umwelt-Rechtsbehelfsgesetzes in einem Rechtsbehelfsverfahren nach § 7 Abs. 2 des Umwelt-Rechtsbehelfsgesetzes gemäß § 7 Abs. 3 Satz 1 des Umwelt-Rechtsbehelfsgesetzes mit allen Einwendungen ausgeschlossen ist, die sie im Rahmen der Auslegungsfrist nicht oder nicht rechtzeitig geltend gemacht hat, aber hätte geltend machen können.

Bauleitplanung der Gemeinde Lahnau, Ortsteil Waldgirmes

Bebauungsplan „Vor dem Polstück IV“ sowie

Änderung des Flächennutzungsplanes in diesem Bereich

Übersichtskarte Teilplan 1/2

Gewerbegebiet

genordet, ohne Maßstab

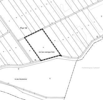
Übersichtskarten Teilplan 2/2

Flurstücke 135 und 136 (Flur 25) Gemarkung Atzbach (Plankarte 1)

Flurstücke 10/1, 51, 138/2tlw. und 149tlw. (Flur 11) und Flurstück 124tlw. (Flur 10), Gemarkung Atzbach (Plankarte 2)

Flurstücke 191, 193-195, (Flur 18), Gemarkung Dorlar (Plankarte 3)

Flurstücke 1tlw., 165/2tlw. und 166/2tlw., (Flur 17), Gemarkung Dorlar (Plankarte 4)

Flurstück 85, (Flur 14), Gemarkung Atzbach (Plankarte 5)

Lahnau, den 12.02.2026

Der Gemeindevorstand
der Gemeinde Lahnau
Walendsius, Bürgermeister