Titel Logo
Lindener Nachrichten
Ausgabe 13/2026
Amtliche Bekanntmachungen
Zurück zur vorigen Seite
Zurück zur ersten Seite der aktuellen Ausgabe

Bauleitplanung der Stadt Linden, Stadtteil Großen-Linden

Bebauungsplan Nr.69 „Gewerbegebiet Am Bergwerkswald"

Bekanntmachung der Beteiligung der Öffentlichkeit gemäß § 3 Abs.2 BauGB

(1)

  Die Stadtverordnetenversammlung der Stadt Linden hat am 10.02.2026 gemäß § 3 Abs.2 BauGB die Entwurfsoffenlage des Bebauungsplanes Nr.69 „Gewerbegebiet Am Bergwerkswald" im Stadtteil Großen-Linden beschlossen.

(2)

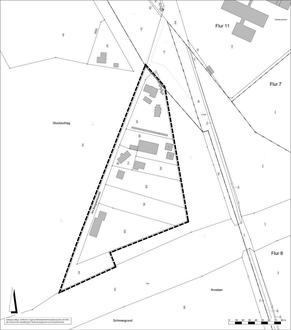
  Der Geltungsbereich des Bebauungsplanes ist der nachfolgenden Übersichtskarte zu entnehmen. Betroffen sind die Flurstücke in der Gemarkung Großen-Linden, 14/17tlw., 14/19, 14/23, 14/24, 14/25, 14/26, 14/27 und 14/28 in der Flur 12. Die Flächen werden über die Straße Am Bergwerkswald erschlossen.

(3)

  Ziel des Bebauungsplanes ist die bauplanungsrechtliche Sicherung und städtebauliche Ordnung der verschiedenen Firmengelände, um eine einheitliche und den Örtlichkeiten angepasste Genehmigungsgrundlage zu schaffen. Geplant sind die Nutzungen Gewerbebetrieb / Lagerflächen / Lagerräume / Werkstätten / Büro / Betriebswohnungen.

 

  Der Bebauungsplan ist aus dem wirksamen FNP der Stadt Linden und aus dem Regionalplan Mittelhessen 2010 entwickelt.

 

  Aufgrund der immissionsschutzrechtlichen, artenschutzrechtlichen, bergbau- und bodenschutzrechtlichen Anforderungen, den angrenzenden Grünstrukturen (Naturschutz- und FFH-Gebiet) und des Eingriffs in Grund und Boden sind die Belange von Natur und Landschaft besonders zu würdigen und somit gemäß § 1a BauGB im Rahmen der Bauleitplanung zu behandeln. Eine Umweltprüfung ist somit durchzuführen.

(4)

  Gemäß § 2 Abs.4 und § 2a BauGB wurde eine Umweltprüfung durchgeführt, in der die voraussichtlich erheblichen Umwelteinwirkungen ermittelt und in einem Umweltbericht beschrieben und bewertet werden. Der Umweltbericht ist gemäß § 2a BauGB in die Begründung des Bebauungsplanes zu integrieren. Die Unterrichtung nach § 3 Abs.1 und § 4 Abs.1 BauGB erfolgte gemäß den Vorgaben des Baugesetzbuches (BauGB) und diente im Hinblick auf die Ermittlung des erforderlichen Umfangs und Detaillierungsgrades der Umweltprüfung nach § 2 Abs. 4 BauGB, die jetzt im Umweltbericht dokumentiert und zusammen mit den umweltrelevanten Stellungnahmen im Internet veröffentlicht und in der Verwaltung ausgelegt werden.

 

  Folgende Arten umweltbezogener Informationen und Stellungnahmen liegen vor:

 

a)

Umweltbericht mit integriertem landschaftspflegerischem Planungsbeitrag. Der Umweltbericht umfasst neben einem einleitenden Kapitel zu den Inhalten, Zielen und Festsetzungen des Bebauungsplanes, der Einordnung des Plangebietes und den in den einschlägigen Fachgesetzen und Fachplänen festgelegten Zielen des Umweltschutzes, eine Beschreibung und Bewertung der voraussichtlichen erheblichen Umweltauswirkungen der Planung einschließlich der Maßnahmen zu ihrer Vermeidung, Verringerung bzw. ihrem Ausgleich. Die Betrachtung der umweltrelevanten Schutzgüter und Informationen umfasst in § 1 Abs.6 Nr.7a-j BauGB:

 

 

Boden und Wasser: Charakterisierung von Bodentypen und Bodeneigenschaften, Bodenfunktionsbewertung sowie Hinweise zur Betroffenheit von oberirdischen Gewässern. Bewertung der Planung im Hinblick auf den Eingriff in den Boden- und Wasserhaushalt.

 

 

Klima und Luft: Auswirkungen des Plangebietes für die Kalt- und Frischluftbildung sowie das Lokal- bzw. Kleinklima.

 

 

Pflanzen, Biotop- und Nutzungstypen: Bestandsbeschreibung der Biotop- und Nutzungstypen, Eingriffsbewertung und Beschreibung eingriffsminimierender Maßnahmen und des Ausgleichs.

 

 

Tiere und artenschutzrechtliche Belange: Bestandsbeschreibung und Verweise auf gesetzliche Regelungen und eingriffsminimierende Maßnahmen zum Artenschutz.

 

 

Natura-2000-Gebiete und sonstige Schutzgebiete: Betroffenheit von Natura-2000-Gebieten (FFH-Gebiet) und dem Naturschutzgebiet ist indirekt gegeben, Auswirkungen auf die Schutzziele der Schutzgebiete sind aber nicht zu erwarten. Betroffenheit von sonstigen Schutzgebieten (Vogelschutzgebiet, Landschaftsschutzgebiet) ist nicht gegeben.

 

 

Biologische Vielfalt: Feststellung keiner erheblichen nachteiligen Wirkungen des Plangebietes für die biologische Vielfalt bei Berücksichtigung der festgesetzten Vermeidungs- und Kompensationsmaßnahmen.

 

 

Landschaft: Auswirkungen der Planung auf das Landschafts- bzw. Ortsbild, Eingriffsbewertung.

 

 

Mensch, Gesundheit und Bevölkerung: Keine zusätzlichen erheblichen negativen Auswirkungen des Plangebietes auf die angrenzenden Nutzungen. Immissionsschutzrechtliche Konflikte sind nicht zu erwarten. Keine negativen Auswirkungen des Plangebietes auf die Erholungsfunktion.

 

 

Kultur- und sonstige Sachgüter: Hinweis auf gesetzliche Regelungen zum Umgang mit Bodendenkmälern.

 

 

Erhaltung der bestmöglichen Luftqualität: Beeinträchtigungen der bestehenden und zu erhaltenden bestmöglichen Luftqualität im Zuge der Planung ist nicht zu erwarten.

 

 

Hinzu kommt eine Eingriffs- und Ausgleichsbewertung zu dem durch den Bebauungsplan bauplanungsrechtlich vorbereiteten Eingriff in Natur und Landschaft und dessen Ausgleich. Die vorliegende Planung sieht für die Kompensation des Eingriffs Flächen für Maßnahmen zum Schutz, zur Pflege und zur Entwicklung von Boden, Natur und Landschaft mit den Entwicklungszielen Schlingnatterbiotop und gelenkte Sukzession innerhalb des Plangebietes vor. Das verbleibende Eingriffsdefizit wird durch Zuordnung einer Ökokontomaßnahme der Ökoagentur für Hessen der Hess. Landgesellschaft (F2 - Landwirtschaft und Naturschutz) kompensiert. Hierbei handelt es sich um eine bereits anerkannte Maßnahme in der Gemarkung Lißberg (Stadt Ortenberg, Wetteraukreis).

 

 

Ferner umfasst der Umweltbericht Angaben zu Maßnahmen zur Vermeidung, Verringerung und zum Ausgleich der nachteiligen Auswirkungen der Planung, zur Entwicklung des Umweltzustandes bei Durchführung bzw. Nichtdurchführung der Planung, zu den in Betracht kommenden anderweitigen Planungsmöglichkeiten sowie zur Überwachung der Umweltauswirkungen, die aufgrund des Bauleitplans auftreten können.

 

b)

Als weitere umweltbezogene Informationen liegen vor:

 

 

I.

Artenschutzrechtlicher Fachbeitrag (Plan Ö, Stand 01/2026):

 

 

 

In Bezug auf Vögel, Fledermäuse, Haselmaus, Reptilien, Amphibien.

 

 

 

Aus der Analyse sind als artenschutzrechtlich besonders zu prüfende Vogelarten Grauspecht, Grünspecht, Mittelspecht und als artenschutzrechtlich besonders zu prüfende Fledermausarten (insgesamt 8 Arten) wie z.B. Abendsegler, Großes Mausohr und Rauhautfledermaus hervorgegangen. Dementsprechend sind artenschutzrechtliche Konflikte zu bewerten.

 

 

II.

Markscheiderisch-geotechnische Stellungnahmen (2 Gutachten) zur Bewertung der vorhandenen baulichen Anlagen auf mögliche Nachwirkungen des Altbergbaus auf den Flurstücken 14/19, 14/23, 14/24, 14/25 und 14/28 des Büro Dr.-Ing. Michael Clostermann, Hauert 6, 44227 Dortmund, aus dem Jahr 2024.

 

 

III.

Untersuchungen zur Standsicherheit (2 Gutachten) der baulichen Anlagen auf den Flurstücken 14/19, 14/23, 14/24, 14/25 und 14/28 des Büro Dr.-Ing. Michael Clostermann, Hauert 6, 44227 Dortmund, aus dem Jahr 2025.

 

 

IV.

Berichte zur Kampfmittelsondierungen der Firma Kampfmittelsondierung Maximilian Becker, Idarer Str. 13, 55743 Idar-Oberstein, in fünf Bohrfeldern auf den Flurstücken 14/19, 14/23, 14/24 und 14/25 aus dem Jahr 2025.

 

 

V.

Umwelttechnische Boden-, Bodenluft- und Grundwasseruntersuchungen (3 Gutachten) auf den Flurstücken 14/19, 14/23, 14/24, 14/25 und 14/28 der Geonorm GmbH, Ursulum 18, 35396 Gießen, aus den Jahren 2023 und 2024.

 

 

VI.

Stellungnahme der Pfeiffer x Schmidt Ingenieurgesellschaft mbH, Am Richtsberg 72 a, 35039 Marburg vom 07.04.2025 zur Bewertung des Gebäudebestandes Am Bergwerkswald 2 in Großen-Linden in statischer Hinsicht."

 

c)

Im Rahmen der frühzeitigen Beteiligung der Öffentlichkeit gemäß § 3 Abs. 1 BauGB sowie der Behörden und sonstigen Träger öffentlicher Belange gemäß § 4 Abs. 1 BauGB sind folgende Stellungnahmen mit umweltrelevanten Informationen eingegangen bzw. umweltrelevante Themen angesprochen worden:

 

 

Die Autobahn GmbH (03.09.2025): Hinweise zur Anbauverbotszone und zu Baubeschränkungszone zur Autobahn, zur Blendwirkung von Photovoltaikanlagen, zur möglichen Staubentwicklung während der Bautätigkeiten, Hinweise zur Beleuchtung von Werbeanlagen und zur Fassadengestaltung sowie zur Außenwerbung im Bereich der Baubeschränkungszone. Allg. Hinweise zu Ausgleichsflächen der Autobahn GmbH, zum Niederschlagswasser und zum Immissionsschutz.

 

 

HessenForst – Forstamt Wettenberg (22.08.2025): Hinweise zum das Plangebiet umgebenden Wald, zum Waldabstand und zu Gefahren, die vom Wald ausgehen bzw. auf den Wald einwirken können.

 

 

Hessen Mobil, Straßen- und Verkehrsmanagement Dillenburg (04.09.2025): Hinweise zur äußeren Erschließung.

 

 

IHK (08.09.2025): Hinweise zur potenziellen Erweiterungsflächen.

 

 

Kreisausschuss des LK Gießen, FD Brandschutz (18.09.2025): Hinweise zur erforderlichen Löschwasserversorgung, zu Rettungswegen und Aufstellflächen für die Feuerwehr.

 

 

Kreisausschuss des LK Gießen, FD Naturschutz (16.09.2025): Hinweise zum Artenschutz (konkret zur Schlingnatter und zu Fledermäusen), zu artenschutzrechtlichen Vermeidungsmaßnahmen, zu Lichtemissionen, zu den Anpflanzungsflächen und Gestaltung der Grundstücksfreiflächen, zu den Artenlisten, zur Eingriffs- und Ausgleichsbilanzierung und zur Bewertung des Bodens.

 

 

Kreisausschuss des LK Gießen, FD Wasser- und Bodenschutz (04.09.2025): Hinweise zum Grundwasserschutz, zu einem hydrogeologisch ungünstigen Gebiet, zur Wasserversorgung und Abwasserentsorgung sowie zum Entwässerungskonzept.

 

 

Kreisausschuss des LDK, FD Landwirtschaft und Forsten (13.08.2025): Hinweise zur künftigen Inanspruchnahme landwirtschaftlicher Flächen für Ausgleichsmaßnahmen.

 

 

Landesamt für Denkmalpflege, hessenArchäologie (27.08.2025): Hinweise zur Sicherung von Bodendenkmälern.

 

 

Magistrat der Stadt Gießen (11.09.2025): Hinweise zur verkehrlichen Anbindung des Plangebietes an die Landesstraße L 3130, zu der Befahrung von Waldwegen, zu dem angrenzenden FFH-Gebiet, zur Abwasserentsorgung, zu den Entwässerungsgenehmigungen und zur Straßenunterhaltung sowie über die Katastersituation einzelner Bereiche.

 

 

Nabu Linden (10.09.2025): Hinweise zum Eingriff und zu den entsprechenden Festsetzungen hierzu, zum Artenschutz (konkret zur Schlingnatter), zu artenschutzrechtlichen Vermeidungsmaßnahmen, zu den befestigten und nicht befestigten Flächen, zum Erhalt von Strukturen und zur Reduzierung von Flächen und zum Ausschluss umweltgefährdender Lagermaterialien.

 

 

RP Darmstadt, Kampfmittelräumdienst (02.09.2025): Es liegen Erkenntnisse über Bombenabwurfgebiete und Kampfmittel im Plangebiet vor.

 

 

Regierungspräsidium Gießen (11.09.2025): Hinweise zum Vorbehaltsgebiet Landwirtschaft, Grundwasserschutz und besondere Klimafunktionen, zu den Vorranggebieten Natur und Landschaft, Forstwirtschaft und Regionaler Grünzug. Hinweise zur Altlastensituation, zur Niederschlagswasserbewirtschaftung und zum nachsorgenden und vorsorgenden Bodenschutz, allg. Hinweise zur Abfallwirtschaft, allgemeine Hinweise zum Umgang und der Entsorgung von Bauabfällen, Hinweise zum ehemaligen Bergbau, Hinweise seitens der Landwirtschaft für künftige Ausgleichsmaßnahmen, Hinweise zum das Plangebiet umgebenden Wald, zum Waldabstand und zu Gefahren, die vom Wald ausgehen bzw. auf den Wald einwirken können, zu Naturschutz- und FFH-Gebieten in der Umgebung.

 

 

Wasserverband Kleebach (04.09.2025): Hinweise zum Abwasser und zur Kläranlage.

 

 

Zweckverband Mittelhessische Wasserwerke (11.09.2025): Hinweise zur Wasserversorgung und zu Trasse einer Versorgungsleitung.

 

 

Öffentlichkeit / Bürger: Hinweise zur weiteren Bebauung des Gebietes und zur Erschließung sowie zu den bisherigen Voruntersuchungen im Plangebiet. Zum sparsamen Umgang mit Grund und Boden (§ 1a BauGB),

 

 

Die umweltrelevanten Stellungnahmen und Informationen (Gutachten) werden zusammen mit der Umweltprüfung (Umweltbericht), in der die Aspekte der Kompensation und Regelungen nach Bundesnaturschutzgesetz (BNatSchG) und dem Hess. Naturschutzgesetzes behandelt sind, ins Internet eingestellt und ergänzend öffentlich ausgelegt.

(5)

 In Ausführung des § 3 Abs.2 BauGB (Beteiligung der Öffentlichkeit - Entwurfsoffenlage) werden die Planunterlagen des Bebauungsplanes (Plankarte, Begründung, Umweltbericht und Artenschutzrechtlicher Fachbeitrag und die weiter oben aufgeführten Gutachten) in der Zeit vom

 

30.03.2026 – 08.05.2026 einschließlich

 

  im Internet auf der Homepage der Stadt www.linden.de unter der Rubrik Umwelt, Bauen & Wirtschaft / Bebauungspläne - Bebauungspläne im Verfahren veröffentlicht und können ebenfalls über das zentrale Internetportal des Landes Hessen (https://bauleitplanung.hessen.de/) eingesehen werden. Zusätzlich zur Veröffentlichung im Internet erfolgt eine öffentliche Auslegung der oben genannten Unterlagen in der Stadtverwaltung Linden, Konrad-Adenauer-Straße 25, Zimmer 307, während der üblichen Dienststunden, vorzugsweise nach Terminvereinbarung, zu jedermanns Einsicht (§ 3 Abs.2 Satz 4 Nr.4 BauGB). In dieser Zeit ist Gelegenheit gegeben, sich über die allgemeinen Zielen und Zwecke der Planung zu informieren und schriftlich oder zu Protokoll zu äußern. Es wird darauf hingewiesen, dass Stellungnahmen elektronisch übermittelt werden sollen, bei Bedarf aber auch auf anderem Weg, zum Beispiel schriftlich, in Textform oder zur Niederschrift, abgegeben werden können. Die elektronische Abgabe der Stellungnahmen ist zum Beispiel unter der E-Mail-Adresse beteiligung@fischer-plan.de oder bauleitplanung@linden.de möglich.

(6)

 Gemäß § 3 Abs. 2 Satz 4 Nr. 3 BauGB wird darauf hingewiesen, dass nicht fristgerecht abgegebene Stellungnahmen bei der Beschlussfassung über den Bauleitplan unberücksichtigt bleiben können.

(7)

  Gemäß § 4b BauGB wurde das Planungsbüro Fischer aus 35435 Wettenberg mit der Durchführung des Bauleitplanverfahrens beauftragt.

Übersichtskarte

Bauleitplanung der Stadt Linden, Stadtteil Großen-Linden

Bebauungsplan Nr.69 „Gewerbegebiet Am Bergwerkswald"