Titel Logo
Lindener Nachrichten
Ausgabe 27/2025
Amtliche Bekanntmachungen
Zurück zur vorigen Seite
Zurück zur ersten Seite der aktuellen Ausgabe

Bauleitplanung der Stadt Linden, Stadtteil Großen-Linden

Bebauungsplan „Am Wetzlarer Weg / Brückenhohl“ – 1. Änderung und Erweiterung

Inkrafttreten des Bebauungsplanes gemäß § 10 Abs.3 Baugesetzbuch

Die Stadtverordnetenversammlung der Stadt Linden hat am 19.11.2024 den o.g. Bebauungsplan gemäß § 10 Abs.1 BauGB (Baugesetzbuch) i.V.m. § 9 Abs.4 BauGB, § 5 HGO und § 91 HBO (integrierte Orts- und Gestaltungssatzung) und wasserrechtliche Festsetzungen (§ 37 Abs. 4 HWG) als Satzung beschlossen und die Begründung hierzu gebilligt.

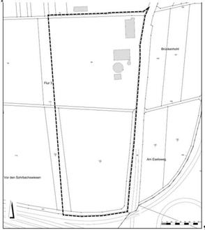
Der Geltungsbereich ist der beigefügten Übersichtskarte zu entnehmen.

Die im Parallelverfahren durchgeführte Flächennutzungsplan-Änderung wurde nun vom Regierungspräsidium Gießen Dez.31 mit Schreiben 28.02.2025 genehmigt. Somit ist der vorliegende Bebauungsplan gemäß § 8 Abs.2 BauGB aus dem Flächennutzungsplan entwickelt. Gemäß § 10 Abs.3 BauGB (Baugesetzbuch) tritt der Bebauungsplan mit integrierter Orts- und Gestaltungssatzung und wasserrechtlichen Festsetzungen mit dieser Bekanntmachung in Kraft.

Der Bebauungsplan und die Begründung sowie der Umweltbericht werden in der Stadtverwaltung Linden, Konrad-Adenauer-Straße 25, Zimmer 307, während der allg. Dienststunden der Verwaltung, vorzugsweise nach Vereinbarung, bereitgehalten. Über den Inhalt wird auf Verlangen Auskunft erteilt (§ 10 Abs.3 Satz 2 BauGB). Gemäß § 10a Abs.2 BauGB kann der rechtskräftige Bebauungsplan mit Begründung und zusammenfassender Erklärung ergänzend auf der Homepage der Stadt Linden unter www.linden.de unter der Rubrik Umwelt, Bauen & Wirtschaft / Bebauungspläne : Bebauungspläne im Verfahren eingesehen und heruntergeladen sowie über das zentrale Internetportal des Landes Hessen unter https://bauleitplanung.hessen.de/ eingesehen werden.

Gemäß § 10a Abs.1 BauGB wird dem Bebauungsplan eine zusammenfassende Erklärung beigefügt, aus der hervorgeht, über die Art und Weise, wie die Umweltbelange und die Ergebnisse der Öffentlichkeits- und Behördenbeteiligung in dem Bebauungsplan berücksichtigt wurden, und aus welchen Gründen der Plan in der Abwägung mit den geprüften, in Betracht kommenden anderweitigen Planungsmöglichkeiten, gewählt wurde.

Gemäß § 215 Abs.2 BauGB wird darauf hingewiesen, dass eine nach § 214 Abs.1 Satz 1 Nr. 1 bis 3 BauGB beachtliche Verletzung der dort bezeichneten Verfahrens- und Formvorschriften, eine unter Berücksichtigung des § 214 Abs.2 BauGB beachtliche Verletzung der Vorschriften über das Verhältnis des Bebauungsplanes und des Flächennutzungsplanes und nach § 214 Abs.3 Satz 2 BauGB beachtliche Mängel des Abwägungsvorgangs gemäß § 215 Abs.1 BauGB unbeachtlich werden, wenn sie nicht innerhalb von einem Jahr seit dieser Bekanntmachung schriftlich gegenüber der Stadt unter Darlegung des die Verletzung begründenden Sachverhalts geltend gemacht worden sind.

Auf die Vorschriften der §§ 44 Abs.3 Satz 1 und 2 sowie Abs.4 BauGB über die fristgemäße Geltendmachung etwaiger Entschädigungsansprüche für Eingriffe in eine bisher zulässige Nutzung durch diesen Bebauungsplan und über das Erlöschen von Entschädigungsansprüchen wird hingewiesen.

Übersichtskarte Plangebiet

Bauleitplanung der Stadt Linden, Stadtteil Großen-Linden

Änderung des Flachennutzungsplanes im Bereich des Bebauungsplanes „Am Wetzlarer Weg / Brückenhohl" - 1. Änderung und Erweiterung