Titel Logo
Lindener Nachrichten
Ausgabe 31/2025
Amtliche Bekanntmachungen
Zurück zur vorigen Seite
Zurück zur ersten Seite der aktuellen Ausgabe

Bauleitplanung Bebauungsplan Nr. 69 Bergwerkswald

Bauleitplanung der Stadt Linden, Stadtteil Großen-Linden

Bebauungsplan Nr.69 „Gewerbegebiet Am Bergwerkswald“

Bekanntmachung des Aufstellungsbeschlusses gemäß § 2 Abs.1 BauGB sowie der frühzeitigen Beteiligung der Öffentlichkeit gemäß § 3 Abs.1 BauGB

(1)

Die Stadtverordnetenversammlung der Stadt Linden hat am 01.07.2025 gemäß § 2 Abs.1 BauGB die Aufstellung des Bebauungsplanes Nr.69 „Gewerbegebiet Am Bergwerkswald“ im Stadtteil Großen-Linden beschlossen.

(2)

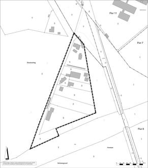
Der Geltungsbereich des Bebauungsplanes ist der nachfolgenden Übersichtskarte zu entnehmen. Betroffen sind die Flurstücke in der Gemarkung Großen-Linden, 14/17tlw., 14/19, 14/23, 14/24, 14/25, 14/26, 14/27 und 14/28 in der Flur 12. Die Flächen werden über die Straße Am Bergwerkswald erschlossen.

(3)

Der Aufstellungsbeschluss für den Bebauungsplan wird hiermit gemäß § 2 Abs.1 Satz 2 BauGB ortsüblich bekannt gemacht.

(4)

Ziel des Bebauungsplanes ist die bauplanungsrechtliche Sicherung und städtebauliche Ordnung der verschiedenen Firmengelände, um eine einheitliche und den Örtlichkeiten angepasste Genehmigungsgrundlage zu schaffen. Geplant sind die Nutzungen Gewerbebetrieb / Lagerflächen / Lagerräume / Werkstätten / Büro / Betriebswohnungen.

Der Bebauungsplan ist aus dem wirksamen FNP der Stadt Linden und aus dem Regionalplan Mittelhessen 2010 entwickelt.

Aufgrund der immissionsschutzrechtlichen, artenschutzrechtlichen, bergbau- und bodenschutzrechtlichen Anforderungen, den angrenzenden Grünstrukturen (Naturschutzgebiet) und des Eingriffs in Grund und Boden sind die Belange von Natur und Landschaft besonders zu würdigen und somit gemäß § 1a BauGB im Rahmen der Bauleitplanung zu behandeln. Eine Umweltprüfung ist somit durchzuführen.

(5)

Die Aufstellung des o.g. Bauleitplanverfahrens erfordert eine Umweltprüfung i.S. des § 2 Abs.4 BauGB, in der die voraussichtlichen erheblichen Umwelteinwirkungen ermittelt und in einem Umweltbericht beschrieben und bewertet werden. Der Umweltbericht ist gemäß § 2a BauGB in die Begründung des Bebauungsplanes zu integrieren.

(6)

In Ausführung des § 3 Abs.1 BauGB (frühzeitige Beteiligung der Öffentlichkeit) werden die Planunterlagen des Bebauungsplanes (Plankarte, Begründung, Umweltbericht und Artenschutzrechtlicher Fachbeitrag) in der Zeit vom

06.08.2025 – 12.09.2025 einschließlich

im Internet auf der Homepage der Stadt www.linden.de unter der Rubrik Umwelt, Bauen & Wirtschaft: Bebauungspläne - Bebauungspläne im Verfahren veröffentlicht und können ebenfalls über das zentrale Internetportal des Landes Hessen (https://bauleitplanung.hessen.de/) eingesehen werden. Zusätzlich zur Veröffentlichung im Internet erfolgt eine öffentliche Auslegung der oben genannten Unterlagen in der Stadtverwaltung Linden, Konrad-Adenauer-Straße 25, Zimmer 307, während der üblichen Dienststunden, vorzugsweise nach Terminvereinbarung, zu jedermanns Einsicht. In dieser Zeit ist Gelegenheit gegeben, sich über die allgemeinen Ziele und Zwecke der Planung zu informieren und sich schriftlich oder zu Protokoll zu äußern. Es wird darauf hingewiesen, dass Stellungnahmen elektronisch übermittelt werden sollen, bei Bedarf aber auch auf anderem Weg, zum Beispiel schriftlich, in Textform oder zur Niederschrift, abgegeben werden können. Die elektronische Abgabe der Stellungnahmen ist zum Beispiel unter der E-Mail-Adresse beteiligung@fischer-plan.de oder bauleitplanung@linden.de möglich.

(7)

Gemäß § 4 b BauGB wurde das Planungsbüro Fischer aus 35435 Wettenberg mit der Durchführung des Bauleitplanverfahrens beauftragt.

Übersichtskarte

Bauleitplanung der Stadt Linden, Stadtteil Großen-Linden

Bebauungsplan Nr.69 „Gewerbegebiet Am Bergwerkswald“