Titel Logo
Knotenrundschau
Ausgabe 48/2025
Amtliche Bekanntmachungen
Zurück zur vorigen Seite
Zurück zur ersten Seite der aktuellen Ausgabe

Bauleitplanung der Gemeinde Mengerskirchen - Bebauungsplan „Escherweg“ im Ortsteil Winkels -

--------------------------------------------------------------------------------------------------------

1. Bekanntmachung des Aufstellungsbeschlusses gem. § 2 (1) BauGB

2. Bekanntmachung der frühzeitigen Bürgerbeteiligung gem. § 3 (1)

BauGB

- Öffentliche Auslegung des Planentwurfs -

--------------------------------------------------------------------------------------------------------

Die Gemeindevertretung der Gemeinde Mengerskirchen hat in ihrer Sitzung am 12. September 2023 gem. § 2 (1) BauGB die Durchführung eines Bauleitplanverfahrens zur Aufstellung des Bebauungsplans „Escherweg“ im Ortsteil Winkels beschlossen. Der Beschluss zur Durchführung des Bauleitplanverfahrens wird hiermit gemäß § 2 (1) BauGB öffentlich bekannt gemacht.

Die Planaufstellung dient der Entwicklung eines kleinen Wohngebiets am östlichen Ortsrand von Winkels.

Der Vorentwurf des Bebauungsplans liegt zur frühzeitigen Beteiligung der Bürger an der Planung gem. § 3 (1) BauGB zu jedermanns Einsicht

von Montag, den 01.12.2025 bis einschließlich Freitag, den 19.12.2025

in der Gemeindeverwaltung Mengerskirchen, Hauptamt, Schloßstraße 3, Zimmer 14, 35794 Mengerskirchen öffentlich aus. Die Unterlagen können während der allgemeinen Öffnungszeiten sowie nach Vereinbarung eingesehen werden. Dabei kann über die voraussichtlichen Auswirkungen der Planung unterrichtet werden, den Bürgern wird Gelegenheit zur Äußerung und Erörterung gegeben. Anregungen und Bedenken können zu Protokoll gegeben werden. Die Planunterlagen können auch auf der Homepage der Gemeinde Mengerskirchen unter https://www.mengerskirchen.de (Rathaus, Bürgerservice und Politik / Öffentliche Bekanntmachungen / Bauleitplanverfahren) eingesehen und heruntergeladen werden.

Die Öffnungszeiten der Gemeindeverwaltung sind:

Montag bis Freitag von 8.00 Uhr bis 12.00 Uhr

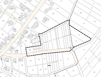
Der Geltungsbereich des Bebauungsplans ist aus den unten abgebildeten, unmaßstäblichen Karten ersichtlich.

Er umfasst in der Gemarkung Winkels folgende Flurstücke.

In Flur 1 die Flurstücke 135 bis 145, 147/2, 147/3, 148/2, 149/2 und 152/2 jeweils vollständig und die Wegeparzellen 134, 146 und 155 jeweils teilweise.

In Flur 5 die Flurstücke 103 und 104 jeweils vollständig und die Wegeparzelle 93 teilweise.

Mengerskirchen, den 20.11.2025

Melchert
Bürgermeister