Titel Logo
Neuhofer Rundschau
Ausgabe 18/2024
Amtliche Bekanntmachungen
Zurück zur vorigen Seite
Zurück zur ersten Seite der aktuellen Ausgabe

Bebauungsplan Nr. 22: Alte Gärtnerei II Neuhof Aufstellung und Auslegung

DER GEMEINDEVORSTAND —  Neuhof, 26.04.2024

N E U H O F  —  610.20 Me

Bekanntmachung

Bauleitplanung der Gemeinde Neuhof

Aufstellung des Bebauungsplans Nr. 22 „Alte Gärtnerei II“, Neuhof

(Bebauungsplan der Innenentwicklung gemäß § 13a Baugesetzbuch)

a)

Bekanntmachung des Aufstellungsbeschlusses gemäß § 2 (1) BauGB

b)

Öffentliche Auslegung gemäß § 3 (2) BauGB

a)

Die Gemeindevertretung der Gemeinde Neuhof hat in ihrer Sitzung am 25.04.2024 den Beschluss zur Aufstellung des Bebauungsplans Nr. 22 „Alte Gärtnerei II“, Neuhof, gefasst. Der Aufstellungsbeschluss wird hiermit gemäß § 2 (1) Baugesetzbuch (BauGB) bekannt gemacht.

Der Bebauungsplan dient der Errichtung eines Wohn- und Geschäftshauses.

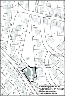
Der Geltungsbereich in der Gemarkung Neuhof, Flur 4, wird wie folgt begrenzt:

Im Norden

durch den Bebauungsplan Nr. 19 „Alte Gärtnerei“, Neuhof

Im Osten

durch die Flurstücke 457/1, 458 und 459

Im Süden

durch das Flurstück 246/23 („Niederkalbacher Straße“)

Im Westen

durch das Flurstück 50/4

Er hat eine Größe von ca. 0,12 ha und umfasst das Grundstück in der Gemarkung Neuhof, Flur 4, Flurstück 50/5 (teilweise).

Der Geltungsbereich ist der anliegenden Abbildung zu entnehmen.

b)

Gemäß § 13a (2) Nr. 1 BauGB i.V.m. § 13 (2) Nr. 1 BauGB wird von der frühzeitigen Unterrichtung der Öffentlichkeit und der Behörden gemäß § 3 (1) und § 4 (1) BauGB abgesehen. Der Öffentlichkeit sowie den Behörden und den sonstigen Trägern öffentlicher Belange wird Gelegenheit zur Stellungnahme gemäß § 13 (2) Satz 1 Nr. 2 und Nr. 3 BauGB i.V.m. § 3 (2) und § 4 (2) BauGB gegeben. Der Bebauungsplan wird im beschleunigten Verfahren aufgestellt. Es wird darauf hingewiesen, dass gemäß § 13a (2) Nr. 1 BauGB i.V.m. § 13 (3) Nr. 1 BauGB von der Umweltprüfung (§ 2 (4) BauGB), vom Umweltbericht (§ 2a BauGB), von der Angabe, welche Arten umweltbezogener Informationen verfügbar sind (§ 3 (2) Satz 2 BauGB) sowie von der zusammenfassenden Erklärung nach § 10a (1) BauGB abgesehen wird.

Der Planentwurf einschließlich der zugehörigen Begründung sowie bereits vorliegende umweltbezogene Stellungnahmen werden auf die Dauer eines Monats öffentlich zu jedermanns Einsicht während der Dienststunden

vom 06.05.2024 bis 07.06.2024 einschließlich

beim Gemeindevorstand der Gemeinde Neuhof, 36119 Neuhof, Beethovenstraße 12, Erdgeschoss, Zimmer EG-09 (Besprechungsraum), ausgelegt und kann zu folgenden Zeiten eingesehen werden:

Montag, Dienstag

von 8:00 Uhr bis 12:00 Uhr

Mittwoch

von 15:00 Uhr bis 18:00 Uhr

Donnerstag, Freitag

von 8:00 Uhr bis 12:00 Uhr

sofern nicht auf einen der genannten Tage ein gesetzlicher oder ortsüblicher Feiertag fällt.

Während der Auslegungsfrist wird Gelegenheit zur Stellungnahme gegeben. Anregungen können schriftlich oder zur Niederschrift beim Gemeindevorstand der Gemeinde Neuhof, Lindenplatz 4, 36119 Neuhof, innerhalb der Dienststunden der Gemeindeverwaltung vorgebracht werden.

Der Planentwurf sowie die Begründung können während der Auslegungsfrist über das lnternetportal der Gemeinde Neuhof unter

www.neuhof-fulda.de/leben-wohnen/wohnen/bauen/bauleitplanung/

sowie über das Internetportal des Landes Hessen unter

https://bauleitplanung.hessen.de/

gemäß § 4a (4) BauGB eingesehen und heruntergeladen werden.

Gemäß § 3 (2) Satz 2 BauGB wird darauf hingewiesen, dass Stellungnahmen während der Auslegungsfrist abgegeben werden können und dass nicht fristgerecht abgegebene Stellungnahmen bei der Beschlussfassung über den Bauleitplan unberücksichtigt bleiben können.

Gemäß § 4a (6) BauGB wird darauf hingewiesen, dass nicht innerhalb der Offenlegungsfrist abgegebene Stellungnahmen bei der Beschlussfassung über den Bauleitplan unberücksichtigt bleiben können, sofern die Gemeinde deren Inhalt nicht kannte oder hätte kennen müssen und deren Inhalt für die Rechtmäßigkeit des Bauleitplans nicht von Bedeutung ist.

Es wird darauf hingewiesen, dass die Vorbereitung und Durchführung von Verfahrensschritten gemäß § 4b BauGB an ein Planungsbüro übertragen wurde.

gez. Stolz

Bürgermeister