Titel Logo
Neuhofer Rundschau
Ausgabe 19/2023
Amtliche Bekanntmachungen
Zurück zur vorigen Seite
Zurück zur ersten Seite der aktuellen Ausgabe

Bebauungsplan Nr. 6_An den Eichen_Hauswurz_Satzungsbeschluss

DER GEMEINDEVORSTAND  —  Neuhof, 05.05.2023

N E U H O F  —  610.20 Me

Bekanntmachung

Bauleitplanung der Gemeinde Neuhof

1. Änderung des Bebauungsplans Nr. 6 „An den Eichen“, Hauswurz

Inkrafttreten des Bebauungsplans

Die Gemeindevertretung der Gemeinde Neuhof hat in ihrer Sitzung am 04.05.2023 die 1. Änderung des Bebauungsplans Nr. 6 „An den Eichen“, Hauswurz, als Satzung gemäß § 10 Abs. 1 des Baugesetzbuches (BauGB) beschlossen.

Mit dieser Bekanntmachung tritt der Bebauungsplan in Kraft (§ 10 Abs. 3 BauGB).

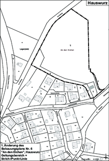
Der Geltungsbereich ist dem nachstehenden Planauszug zu entnehmen.

Die 1. Änderung des Bebauungsplans Nr. 6 „An den Eichen“, Hauswurz, wird mit der Begründung während der Sprechstunden der Gemeinde Neuhof in der Gemeindeverwaltung Neuhof, Außenstelle, Beethovenstraße 12, Bauabteilung, 1. Obergeschoss, Zimmer 04, zu jedermanns Einsicht bereitgehalten, über den Inhalt wird auf Verlangen Auskunft gegeben (§ 10 Abs. 3 BauGB).

Sprechstunden sind:

Montag, Dienstag

8:00 Uhr bis 12:00 Uhr

Mittwoch

15:00 Uhr bis 18:00 Uhr

Donnerstag, Freitag

8:00 Uhr bis 12:00 Uhr

Gemäß § 44 Abs. 5 BauGB wird darauf hingewiesen, dass der Entschädigungsberechtigte nach § 44 Abs. 3 BauGB Entschädigung verlangen kann, wenn die in den §§ 39 bis 42 BauGB bezeichneten Vermögensnachteile eingetreten sind. Er kann die Fälligkeit des Anspruchs dadurch herbeiführen, dass er die Leistung der Entschädigung schriftlich bei dem Entschädigungspflichtigen beantragt.

Ein Entschädigungsanspruch erlischt, wenn nicht innerhalb von drei Jahren nach Ablauf des Kalenderjahres, in dem die in Absatz 3 Satz 1 bezeichneten Vermögensnachteile eingetreten sind, die Fälligkeit des Anspruchs herbeigeführt wird (§ 44 Abs. 4 BauGB).

Gemäß § 215 Abs. 2 BauGB wird darauf hingewiesen, dass eine nach § 214 Abs. 1 Satz 1 Nr. 1 bis 3 beachtliche Verletzung der dort bezeichneten Verfahrens- und Formvorschriften, eine unter Berücksichtigung des § 214 Abs. 2 beachtliche Verletzung der Vorschriften über das Verhältnis des Bebauungsplans und des Flächennutzungsplans, nach § 214 Abs. 3 Satz 2 beachtliche Mängel des Abwägungsvorgangs und beachtliche Fehler nach § 214 Abs. 2 a gemäß § 215 Abs. 1 unbeachtlich werden, wenn sie nicht innerhalb eines Jahres seit dieser Bekanntmachung schriftlich gegenüber der Gemeinde unter Darlegung des die Verletzung begründenden Sachverhalts geltend gemacht worden sind.

gez. Stolz

Bürgermeister