Titel Logo
Nüsttal Nachrichten
Ausgabe 16/2025
Aus dem Rathaus wird berichtet
Zurück zur vorigen Seite
Zurück zur ersten Seite der aktuellen Ausgabe

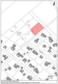
Grundstück in Morles zu verkaufen

Zum Verkauf steht das Grundstück „Erfurter Straße 4“, es liegt in der Gemarkung Morles, Flur 2, Flurstück 70 und ist 974 m² groß.

Der Kaufpreis beträgt dabei 89,34 Euro/m².

Bei Kaufinteresse wenden sie sich gerne bis zum 19.05.2025 an die Bürgermeisterin Marion Frohnapfel, Tel. 06684 9605 12, E-Mail: buergermeisterin@nuesttal.de.