Titel Logo
Amtsblatt VG Edenkoben
Ausgabe 11/2024
Amtlicher Teil
Zurück zur vorigen Seite
Zurück zur ersten Seite der aktuellen Ausgabe

Öffentliche Bekanntmachung einer Allgemeinverfügung nach § 35 S. 2 VwVfG

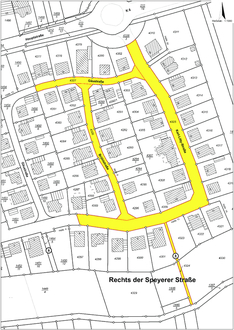
Lageplan zur Widmung Rechts der Speyerer Straße

Vollzug des Landesstraßengesetzes für Rheinland-Pfalz (LStrG); Widmung von Gemeindestraßen

Die Verbandsgemeindeverwaltung Edenkoben erlässt als zuständige Behörde namens und im Auftrag der Ortsgemeinde Altdorf folgende

Widmungsverfügung.

Die nachfolgenden Verkehrsflächen werden gem. § 36 Abs. 1 in Verbindung mit § 14 des Landesstraßengesetzes (LStrG) für Rheinland-Pfalz in der Fassung vom 01.08.1977 (GVBl. S. 273), zuletzt geändert durch § 84 des Gesetzes vom 07.12.2022 (GVBl. S. 413), als Gemeindestraße im Sinne des § 3 Ziffer 3 LStrG dem öffentlichen Verkehr gewidmet:

a) als Gemeindestraße

b) als Fußweg

Der beigefügte Lageplan ist Bestandteil dieser Widmungsverfügung.

Die Widmung erfolgt mit sofortiger Wirkung; die Verkehrsübergabe ist bereits erfolgt.

Die Widmungsunterlagen können während der Dienstzeiten

Montag – Freitag 8.30 – 12.00 Uhr

Dienstag 14.00 – 16.00 Uhr

Donnerstag 14.00 – 18.00 Uhr

bei der Verbandsgemeindeverwaltung Edenkoben, Zimmer 126, Poststraße 23, 67480 Edenkoben eingesehen werden.

Der Fachbereich 2 – Finanzen – bittet um vorherige Terminvereinbarung mit Frau Gauweiler-Herz, (06323) 959-246 oder simone.gauweiler-herz@vg-edenkoben.de.

Rechtsbehelfsbelehrung:

Gegen diesen Bescheid kann innerhalb eines Monats nach Bekanntgabe Widerspruch bei der Verbandsgemeindeverwaltung Edenkoben, Poststraße 23, 67480 Edenkoben schriftlich oder nach Maßgabe des § 3a Absatz 2 des Verwaltungsverfahrensgesetzes in elektronischer Form oder zur Niederschrift erhoben werden.

Edenkoben, 11. März 2024
gez. Daniel Salm, Bürgermeister

Der Lageplan zur Widmung findet sich auf Seite......