Titel Logo
Amtsblatt VG Edenkoben
Ausgabe 23/2024
Amtlicher Teil
Zurück zur vorigen Seite
Zurück zur ersten Seite der aktuellen Ausgabe

Bebauungsplan „Weinstraße 21“

Planaufstellungsbeschluss gemäß § 2 Abs. 1 Satz 1 Baugesetzbuch (BauGB) in der Fassung der Bekanntmachung vom 3. November 2017 (BGBl. I S. 3634), das zuletzt durch Artikel 3 des Gesetzes vom 20. Dezember 2023 (BGBl. 2023 I Nr. 394) geändert worden ist und die Beteiligung der Öffentlichkeit, der Behörden und sonstigen Träger öffentlicher Belange im Rahmen des beschleunigten Verfahrens gemäß § 13 a in Verbindung mit §§ 3 Abs. 2 und 4 Abs. 2 BauGB.

Der Stadtrat Edenkoben hat in seiner Sitzung vom 22. Mai 2024 den Planaufstellungsbeschluss für den Bebauungsplan „Weinstraße 21“ gefasst. Zudem wurde der Entwurf des Bebauungsplanes gebilligt und beschlossen, dass die Beteiligung der Öffentlichkeit, der Behörden und sonstigen Träger öffentlicher Belange durchgeführt werden soll.

Die Stadt Edenkoben ist bestrebt, die zur Verfügung stehenden Innenentwicklungspotenziale im Stadtgebiet nutzbar zu machen und somit einerseits eine Nachverdichtung zu fördern und gleichzeitig Außenentwicklungen und deren negativen Auswirkungen zu minimieren. Aus diesem Grund soll die nicht mehr genutzte landwirtschaftliche Maschinenhalle im hinteren Bereich des Plangebietes bis auf den Keller der Halle abgebrochen und einer Wohnnutzung zugeführt werden.

Das Bebauungsplanverfahren wird im beschleunigten Verfahren gem. § 13 a BauGB ohne Durchführung einer Umweltprüfung nach § 2 Abs. 4 BauGB durchgeführt.

Die Veröffentlichung der Unterlagen zum Bebauungsplanentwurf „Weinstraße 21“ einschließlich der Begründung erfolgt gemäß § 3 Abs. 2 BauGB in der Zeit vom vom 14. Juni 2024 bis einschließlich 15. Juli 2024. auf der Internetseite der Verbandsgemeinde Edenkoben (www.vg-edenkoben.de unter der Rubrik Bauen in der Verbandsgemeinde –Bürger- und Behördenbeteiligung - https://www.vg-edenkoben.de/service/bauen/buerger-und-behoerdenbeteiligung/).

Ebenso besteht eine Verlinkung vom Geoportal des Landes Rheinland-Pfalz (www.geoportal.rlp.de).

Es wird darauf hingewiesen,

  1. dass Stellungnahmen während der Dauer der Veröffentlichungsfrist abgegeben werden können,
  2. dass Stellungnahmen elektronisch übermittelt werden sollen, bei Bedarf aber auch auf anderem Weg abgegeben werden können. Stellungnahmen sollen bevorzugt elektronisch an die Adresse bauleitplanung@vg-edenkoben.de bis zum 15. Juli 2024 vorgebracht werden. Darüber hinaus können Stellungnahmen auch schriftlich der Verbandsgemeindeverwaltung (Fachbereich Bauen und Umwelt, Poststraße 23, 67480 Edenkoben) zugesandt oder in der Verwaltung zur Niederschrift abgegeben werden,
  3. dass nicht fristgerecht abgegebene Stellungnahmen bei der Beschlussfassung über den Bauleitplan unberücksichtigt bleiben können und

dass die Unterlagen zum Entwurf des Bebauungsplans bei der Verbandsgemeindeverwaltung Edenkoben (Poststraße 23, 67480 Edenkoben) nach vorheriger Terminvereinbarung eingesehen werden können. Zwecks Terminabsprache wenden Sie sich bitte an Herrn Andy Wenzel, Tel.Nr.: 06323 959-131, Mail: bauleitplanung@vg-edenkoben.de.

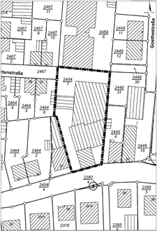
Der Geltungsbereich umfasst teilweise das Flurstück 2454/7 und ist auf dem abgedruckten Auszug der Flurkarte auf der Seite XX mit einer Linie stark umrandet.

Der Inhalt der Bekanntmachung ist ab dem 14. Juni 2024 ebenfalls unter der oben aufgeführten Internetseite abrufbar.

Edenkoben, 04.06.2024
gez. Ludwig Lintz, Stadtbürgermeister