Titel Logo
Amtsblatt VG Edenkoben
Ausgabe 3/2023
Amtlicher Teil
Zurück zur vorigen Seite
Zurück zur ersten Seite der aktuellen Ausgabe

Bebauungsplan „Gewerbegebiet in den Seewiesen, Teilgebiet Venningen – 3. Änderung“

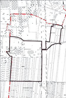
Geltungsbereich Bebauungsplan „Gewerbegebiet in den Seewiesen, Teilgebiet Venningen – 3. Änderung“

Vollzug des Baugesetzbuches (BauGB) gemäß § 10 Abs. 3 Baugesetzbuch (BauGB) in Fassung der Bekanntmachung vom 3. November 2017 (BGBl. I S. 3634), das zuletzt durch Artikel 2 des Gesetzes vom 4. Januar 2023 (BGBl. I Nr. 6) geändert worden ist.

Der Gemeinderat Venningen hat in seiner Sitzung vom 28.11.2022 den Bebauungsplan „Gewerbegebiet in den Seewiesen, Teilgebiet Venningen - 3. Änderung“ als Satzung beschlossen. Der Bebauungsplan wird hiermit gemäß § 10 Abs. 3 BauGB bekannt gemacht.

Der Bebauungsplan kann bei der Verbandsgemeindeverwaltung 67480 Edenkoben, Poststraße 23, Zimmer 306, während der üblichen Dienststunden eingesehen werden. Über den Inhalt wird auf Verlangen Auskunft erteilt.

Der Bebauungsplan ist, gemäß § 10a Abs.2 BauGB, auch auf der Internetseite der Verbandsgemeinde Edenkoben (www.vg-edenkoben.de) unter der Rubrik Service - Bauen -Bebauungspläne veröffentlicht.

Im Geltungsbereich des Plangebietes liegen die Flurstücke und Teilflächen der Flurstücke mit den Plannummern 7174/3, 7178/3, 7182/1, 7181/2, 7177/3, 7175/3, 7176/1, 7180/2, 7180/4, 7180/5, 7180/6, 7183/3, 7185/1, 7183/2, 7188/1, 7190/1, 7219, 7228, 7229/3, 8737, 8736, 8735, 8734, 8741, 7193, 7194, 7195, 7196, 7197, 7198, 7199, 7200, 7201, 7202, 7203, 7204, 7205, 7206, 7207, 7208, 7209, 7210, 7211, 7212, 7213, 7214, 7215, 7216/2 und 7216/4.

Der Geltungsbereich ist auf dem abgedruckten Auszug der Flurkarte auf der Seite XX mit einer Linie stark umrandet.

Auf die Voraussetzungen in § 215 Abs. 1 BauGB für die Geltendmachung der Verletzung von Vorschriften wird hingewiesen. Danach sind die in § 214 Abs. 1 Satz 1 Nr. 1 bis 3 und Abs. 2 BauGB bezeichneten Verfahrens- und Formvorschriften bzw. nach § 214 Abs.3 Satz 2 BauGB beachtliche Mängel des Abwägungsvorganges dann unbeachtlich, wenn sie nicht innerhalb eines Jahres seit dieser Bekanntmachung schriftlich gegenüber der Gemeinde unter Darlegung des die Verletzung begründeten Sachverhalts geltend gemacht worden sind. Dies gilt auch für die nach § 214 Abs. 2a BauGB beachtlichen Mängel.

Auf die Vorschriften des § 44 Abs. 3 Satz 1 und Satz 2 sowie Absatz 4 BauGB über die Entschädigung von durch den Bebauungsplan eintretenden Vermögensnachteilen sowie über die Fälligkeit und das Erlöschen entsprechender Entschädigungsansprüche wird hingewiesen.

Auf die örtlichen Bauvorschriften, die als Festsetzung in den Bebauungsplan aufgenommen wurden, wird gemäß § 88 Abs. 6 der Landesbauordnung Rheinland-Pfalz (LBauO) ebenfalls hingewiesen.

Außerdem wird darauf aufmerksam gemacht, dass eine Verletzung der Bestimmungen bei Ausschließungsgründen nach § 22 Abs. 1 der Gemeindeordnung Rheinland-Pfalz (GemO) und die Einberufung und Tagesordnung von Sitzungen des Gemeinderates nach § 34 GemO unbeachtlich ist, wenn sie nicht innerhalb eines Jahres seit dieser Bekanntmachung schriftlich unter Bezeichnung der Tatsachen, die eine solche Rechtsverletzung begründen können, gegenüber der Gemeinde geltend gemacht worden ist.

Venningen, 16.01.2023
gez. Jürgen Leibfried, Ortsbürgermeister