Titel Logo
Amtsblatt Blickpunkt Petersberg
Ausgabe 11/2026
Öffentliche Bekanntmachungen
Zurück zur vorigen Seite
Zurück zur ersten Seite der aktuellen Ausgabe

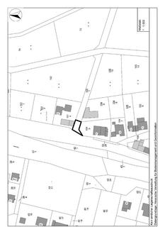
Einziehung einer öffentlichen Wegefläche in der Gemarkung Steinau

Nach § 6 des Hessischen Straßengesetzes (HStrG) in der Fassung der Bekanntmachung vom 8. Juni 2003 (GVBl. I S. 166), zuletzt geändert durch Artikel 9 des Gesetzes vom 16. Dezember 2025 (GVBl. 2025 Nr. 110) wird auf Grundlage der Beschlussfassung des Gemeindevorstands vom 28. Oktober 2025 die im abgebildeten Lageplan schwarz umrandet dargestellte Teilfläche von ca. 123 m² der öffentlichen Verkehrsfläche Gemarkung Steinau, Flur 5, Flurstück 103/1 für jeglichen Verkehr eingezogen.

Mit Bekanntmachung vom 03.12.2025 ist die Einziehung der Teilfläche der öffentlichen Verkehrsfläche Gemarkung Steinau, Flur 5, Flurstück 103/1 angekündigt worden. Die Einziehung erfolgt, da kein Verkehrsbedürfnis mehr besteht (§ 6 Absatz 1 Hessisches Straßengesetz (HStrG)). Die Einziehung für den öffentlichen Verkehr erfolgt zum 31.03.2026.

Rechtsbehelfsbelehrung

Gegen diese Einziehungsverfügung kann innerhalb eines Monats nach Bekanntgabe schriftlich oder zur Niederschrift beim Gemeindevorstand Petersberg, Rathausplatz 1, 36100 Petersberg Widerspruch erhoben werden.

Petersberg, 11.03.2026

Der Gemeindevorstand
der Gemeinde Petersberg
Claudia Brandes
Bürgermeisterin