Titel Logo
Amtsblatt Blickpunkt Petersberg
Ausgabe 3/2023
Öffentliche Bekanntmachungen
Zurück zur vorigen Seite
Zurück zur ersten Seite der aktuellen Ausgabe

BAULEITPLANUNG DER GEMEINDE PETERSBERG

  • 31. Änderung des Flächennutzungsplanes der Gemeinde Petersberg
  • Bebauungsplan Nr. 8, Ortsteil Steinhaus, „Aufm Streich“ im Ortsteil Steinhaus

1.)

Bekanntmachung der Aufstellungsbeschlüsse

2.)

Bekanntmachung der frühzeitigen Beteiligung der Öffentlichkeit

zu 1.) Bekanntmachung der Aufstellungsbeschlüsse

Die Gemeindevertretung der Gemeinde Petersberg hat in ihrer Sitzung am 09.12.2021 gemäß § 2 Abs. 1 Baugesetzbuch (BauGB) die Beschlüsse zur Aufstellung der 31. Änderung des Flächennutzungsplanes sowie zur Aufstellung des Bebauungsplanes Nr. 8, OT Steinhaus, „Aufm Streich“ gefasst.

Der Geltungsbereich der Planvorhaben befindet sich am nördlichen Ortsrand von Steinhaus, im direkten westlichen Anschluss an die K 12 „Hünfelder Straße“.

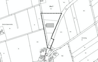
Der Geltungsbereich der 31. Änderung des Flächennutzungsplans umfasst den südlichen Teil des Flurstückes 72/3, in der Flur 7, Gemarkung Steinhaus, mit einer Fläche von ca. 0,9 ha. Die Lage und Abgrenzung des Planänderungsgebietes ist auf der nachfolgenden Abbildung dargestellt.

Abbildung:

Geltungsbereich der 31. Änderung des Flächennutzungsplans der Gemeinde Petersberg (Darstellung vor Änderung; Karte unmaßstäblich, genordet)

Der Geltungsbereich des Bebauungsplanes Nr. 31, OT Steinhaus „Aufm Streich“, befindet sich im Bereich des zuvor beschriebenen Geltungsbereiches der Änderung des Flächennutzungsplanes.

Der Geltungsbereich des Bebauungsplanes umfasst in der Gemarkung Steinhaus, Flur 7, die Flurstücke: 72/3 (teils Bebauung, teils Ackerland), 128/34 (Hünfelder Straße), 128/38 (K 12) und 129/1 (Wirtschaftsweg) - alle Flurstücke werden nur teilweise betroffen. Der Geltungsbereich umfasst eine Fläche von ca. 1,05 ha, er ist auf der nachfolgenden Abbildung dargestellt.

Abbildung:

Geltungsbereich des Bebauungsplanes Nr. 8, OT Steinau, „Aufm Streich“ (Karte unmaßstäblich, genordet)

Ziel der Änderung des Flächennutzungsplanes und der Aufstellung des Bebauungsplanes ist die Neuausweisung von gewerblichen Bauflächen zur Sicherung und Fortentwicklung des hier bestehenden Gewerbebetriebes.

zu 2.) Frühzeitige Beteiligung der Öffentlichkeit gemäß § 3 Abs. 1 BauGB

Die Beteiligung der Öffentlichkeit gemäß § 3 Abs. 1 BauGB findet im Zeitraum vom

Mittwoch den 25.01.2023 bis einschl. Mittwoch den 01.03.2023

statt. Während dieser Zeit können der Vorentwurf der 31. Änderung des Flächennutzungsplanes und der Vorentwurf des Bebauungsplanes Nr. 31 „Aufm Streich“ mit Begründung im Rathaus Petersberg (36100 Petersberg, Rathausplatz 1, Bauamt Zimmer 2.11) während der nachfolgend aufgeführten Dienststunden:

Montag-Donnerstag

von 08:00 Uhr

-

12:00 Uhr

von 14:00 Uhr

-

15:30 Uhr

Mittwoch zusätzlich

von 15:30 Uhr

-

18:00 Uhr

Freitag

von 08:00 Uhr

-

12:00 Uhr

sowie nach Terminvereinbarung eingesehen werden, sofern nicht auf die genannten Tage ein gesetzlicher oder ortsüblicher Feiertag fällt.

Während dieser Beteiligungsfrist hat die Öffentlichkeit die Gelegenheit sich zu informieren und durch Änderungs- und Ergänzungswünsche die Planung zu beeinflussen. Die Äußerung kann schriftlich erfolgen, wünscht ein Bürger die Protokollierung seiner Äußerung oder die Erörterung des Vorentwurfes, so kann dies geschehen. Im betreffenden Zeitraum können von jedermann Stellungnahmen auch per E-Mail bei der Gemeinde Petersberg (gemeinde@petersberg.de) sowie beim beauftragten Planungsbüro (R.Hofmann@Hofmann-Plan.de) unter Angabe des Betreffs „31. FNPÄ und BP Nr. 8 OT Steinhaus“, vorgebracht werden.

Der Inhalt dieser Bekanntmachung sowie die Vorentwürfe der Änderung des Flächennutzungsplanes und des Bebauungsplanes einschl. der Begründungen, können auch auf der Internetseite der Gemeinde Petersberg unter „www.petersberg.de“ (Rubrik: Leben & Wohnen / Bauen in Petersberg / Bauleitplanung) eingesehen und heruntergeladen werden. Ein entsprechender Verweis auf diese Seite erfolgt auch auf dem zentralen Internetportal des Landes Hessen unter „https://bauleitplanung.hessen.de/“.

Gemäß § 3 Abs. 3 BauGB wird hinsichtlich der Änderung des Flächennutzungsplanes darauf hingewiesen, dass eine Vereinigung im Sinne des § 4 Abs. 3 Satz 1 Nr. 2 des Umwelt-Rechtsgesetzes in einem Rechtsbehelfsverfahren nach § 7 Abs. 2 Umwelt-Rechtsgesetzes gemäß § 7 Abs. 3 Satz 1 Umwelt-Rechtsgesetzes mit allen Einwendungen ausgeschlossen ist, die sie im Rahmen der Auslegungsfrist nicht oder nicht rechtzeitig geltend gemacht hat, aber hätte geltend machen können.

Abschließend wird darauf hingewiesen, dass Dritte (Privatpersonen) mit der Abgabe einer Stellungnahme der Verarbeitung ihrer angegebenen Daten, wie z. B. Name, Anschrift, Telefonnummer, E-Mail-Adresse etc. zustimmen. Gemäß Artikel 6 Abs. 1c und 1e der Datenschutz-Grundverordnung (DSGVO) werden die Daten im Rahmen des Bauleitplanverfahrens für die gesetzlich bestimmten Dokumentationspflichten und für die Informationspflicht ihnen gegenüber genutzt.

Die Vorbereitung und Durchführung von Verfahrensschritten gemäß § 4b BauGB wurden dem Planungsbüro Hofmann, aus 35410 Hungen übertragen. Das Büro fungiert hierbei als Verwaltungshelfer ohne Entscheidungsbefugnis.

Petersberg, 18.01.2023

Der Gemeindevorstand
der Gemeinde Petersberg
Froß
Bürgermeister