Titel Logo
Amtsblatt Blickpunkt Petersberg
Ausgabe 50/2022
Öffentliche Bekanntmachungen
Zurück zur vorigen Seite
Zurück zur ersten Seite der aktuellen Ausgabe

BAULEITPLANUNG DER GEMEINDE PETERSBERG

Bebauungsplan Nr. 18, OT Petersberg „Igelstück/Stockacker“, 6. Änderung im Bereich „Sportplatz Landwehr“

Bekanntmachung des Satzungsbeschlusses gemäß § 10 Abs. 3 Baugesetzbach (BauGB) - Inkrafttreten des Bebauungsplanes

Die Gemeindevertretung der Gemeinde Petersberg hat in ihrer Sitzung am 10.11.2022 die 6. Änderung des Bebauungsplanes Nr. 18 „Igelstück/Stockacker“ im Ortsteil Petersberg gemäß § 10 Abs. 1 BauGB als Satzung beschlossen. Die Begründung zum Bebauungsplan wurde gebilligt. Weiterhin wurden die bauordnungsrechtlichen Festsetzungen gemäß § 5 HGO (Hessische Gemeindeordnung) und § 91 HBO (Hessische Bauordnung) beschlossen. Die Beschlüsse werden hiermit bekannt gemacht.

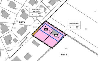
Das Planänderungsgebiet befindet sich im Osten der Ortslage Petersberg, im südöstlichen Anschluss an die Anliegerstraße „Neuwiesenfeld“. Im Nordosten grenzen Ackerflächen an, im Südosten befindet sich der Sportplatz „Landwehr“ und im Südwesten grenzt der Feuerwehrstützpunkt von Petersberg an. In den Geltungsbereich der Änderungsplanung fällt das Flurstück 89/17 in der Flur 6 sowie das Flurstück 195/2 in der Flur 7, jeweils teilweise. Der Geltungsbereich hat eine Größe von ca. 1.550 m², er ist auf der nachfolgenden Abbildung dargestellt.

Abbildung: Geltungsbereich der 6. Änderung des Bebauungsplanes Nr. 18 „Igelstück/Stockacker“ im Ortsteil Petersberg (Abbildung: unmaßstäblich, genordet)

Mit der Bekanntmachung tritt die 6. Änderung des Bebauungsplanes Nr. 18 „Igelstück/Stockacker“ im Ortsteil Petersberg gemäß § 10 Abs. 3 BauGB in Kraft.

Der Bebauungsplan mit den dazugehörigen textlichen Festsetzungen sowie die Begründung werden im Rathaus Petersberg (36100 Petersberg, Rathausplatz 1, Bauabteilung), während der üblichen Dienststunden zu jedermanns Einsicht bereitgehalten. Über den Inhalt der Planung wird auf Verlangen Auskunft erteilt.

Die o.a. Unterlagen sind auch auf der Internetseite der Gemeinde Petersberg unter „www.petersberg.de“ (Rubrik: Leben & Wohnen/Bauen in Petersberg/Bauleitplanung) einsehbar. Weiterhin sind die Unterlagen über das Bauleitplanungsportal Hessen unter

„https://bauleitplanung.hessen.de/bauleitplanung/bebauungsplan“

aufrufbar.

Gemäß § 215 BauGB wird darauf hingewiesen, dass die Verletzung der in § 214 Abs. 1 Satz 1 Nr. 1 bis 3 BauGB bezeichneten Verfahrens- und Formvorschriften, eine unter Berücksichtigung des § 214 Abs. 2 BauGB beachtliche Verletzung der Vorschriften über das Verhältnis des Bebauungsplanes und des Flächennutzungsplanes und nach § 214 Abs. 3 Satz 2 BauGB beachtliche Mängel des Abwägungsvorgangs nur beachtlich sind, wenn sie innerhalb eines Jahres seit dieser Bekanntmachung schriftlich gegenüber der Gemeinde unter Darlegung des die Verletzung begründeten Sachverhaltes geltend gemacht worden sind; § 215 Abs. 1 Satz 1 BauGB gilt entsprechend, wenn Fehler nach § 214 Abs. 2a BauGB beachtlich sind.

Gemäß § 44 Abs. 5 BauGB wird darauf hingewiesen, dass der Entschädigungsberechtigte nach § 44 Abs. 3 BauGB Entschädigung verlangen kann, wenn die in den §§ 39 bis 42 BauGB bezeichneten Vermögensnachteile eingetreten sind. Er kann die Fälligkeit des Anspruchs dadurch herbeiführen, dass er die Leistung der Entschädigung schriftlich bei dem Entschädigungspflichtigen beantragt. Nach § 44 Abs. 4 BauGB erlischt der Entschädigungsanspruch, wenn nicht innerhalb von drei Jahren nach Ablauf des Kalenderjahres, in dem die v. g. Vermögensnachteile eingetreten sind, die Fälligkeit des Anspruchs herbeigeführt wird.

Petersberg, 14.12.2022

Der Gemeindevorstand
der Gemeinde Petersberg
Froß
Bürgermeister