Titel Logo
Amtsblatt Blickpunkt Petersberg
Ausgabe 9/2023
Aus dem Rathaus wird berichtet
Zurück zur vorigen Seite
Zurück zur ersten Seite der aktuellen Ausgabe

Kanalarbeiten in der L3418, Bergstraße in Petersberg

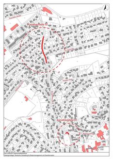
Vorankündigung: Kanalarbeiten in der L3418, Bergstraße in Petersberg

Aufgrund von Schäden im Kanalbereich wird ein Teilstück des in der Landesstraße L3418, Kreuzung „Bergstraße/Brauhausstraße“ zur „Schmittsgasse“, verlaufenden Kanals erneuert. Im Vorfeld des ab 2024 geplanten Straßenneubaus der L3418 sollen einzelne Kanalbauarbeiten bereits ab 2023 durchgeführt werden.

Der Abwasserverband Fulda wird daher als erste Maßnahme die Erneuerung eines ca. 50 m langen Kanalabschnittes im Zeitraum von 27.03.2023 bis voraussichtlich 28.04.2023 durchführen (siehe Plan, Baustelle 1).

Hierzu wird eine Vollsperrung und großräumige Umfahrung dieses Bereiches erforderlich. Die Zufahrtsmöglichkeiten zu den einzelnen Grundstücken soll weitestgehend erhalten bleiben. Die Umleitungen werden wir rechtzeitig bekannt geben.

Weiterhin kündigen wir bereits jetzt Kanalarbeiten in der Bergstraße/Eichzagel in Höhe des Weiherwegs an (siehe Plan, Baustelle 2). Diese werden voraussichtlich in den Sommerferien durchgeführt und erfolgen ebenfalls unter Vollsperrung. Ausführliche Informationen dazu folgen in den kommenden Wochen.

Es wird sicherlich zu Behinderungen während der Bauzeit kommen. Dafür bitten wir schon jetzt um Ihr Verständnis. Sollten Sie Fragen zum Bauablauf bzw. zur Ausführung haben, können Sie sich auch an den Abwasserverband Fulda, Herrn Manuel Hensler wenden, Tel.: 0661/8397-23.