Titel Logo
Stadtkurier Reichelsheim
Ausgabe 25/2023
Amtliche Bekanntmachungen
Zurück zur vorigen Seite
Zurück zur ersten Seite der aktuellen Ausgabe

Bauleitplanung der Stadt Reichelsheim – Stadtteil Reichelsheim

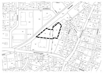
Geltungsbereich Bebauungsplan Nr. 1.12 „Bereich Ladestraße / Bahnstraße“ - 2. Änderung

Bebauungsplan Nr. 1.12 „Bereich Ladestraße / Bahnstraße“ - 2. Änderung

1.

Bekanntmachung des Aufstellungsbeschlusses gemäß § 2 Abs. 1 BauGB

Die Stadtverordnetenversammlung der Stadt Reichelsheim hat in ihrer Sitzung am 26.01.2023 den Beschluss zur 2. Änderung des Bebauungsplans 1.12 „Bereich Ladestraße / Bahnstraße“, in Reichelsheim gefasst.

Der Aufstellungsbeschluss wird hiermit gem. § 2 Abs. 1 BauGB ortsüblich bekannt gemacht.

Die Abgrenzung des Bebauungsplans ist in der nachstehenden unmaßstäblichen Übersichtskarte (gestrichelt umrandeter Bereich) kenntlich gemacht.

Die Planänderung wurde erforderlich, um auf aktuelle Nutzungserfordernisse zu reagieren und u.a. die planungsrechtlichen Voraussetzungen für aktuelle Nutzungserfordernisse aufgrund eines geplanten Geschäftshauses mit Schwerpunkt Gesundheit (Apotheke, Versandapotheke, Arztpraxen, Familienzentrum) und eines Mehrfamilienhauses zu schaffen.

2.

Bekanntmachung der Öffentlichen Auslegung gem. § 3 Abs. 2 BauGB i.V.m. § 4 Abs. 2 BauGB

Der am 26.01.2023 durch die Stadtverordnetenversammlung der Stadt Reichelsheim gefasste Beschluss zur 2. Änderung des Bebauungsplans 1.12 „Bereich Ladestraße / Bahnstraße“ betrifft Flächen und Festsetzungen, die bereits im Geltungsbereich eines rechtskräftigen Bebauungsplans liegen. Mit der Änderung der 2020 rechtskräftig gewordenen 1. Änderung soll auf aktuelle Nutzungserfordernisse reagiert werden. Die Änderung betrifft in erster Linie die beiden noch unbebauten Grundstücke an der Raiffeisenstraße im nordwestlichen Teilbereich des Bebauungsplans Nr. 1.12. Mit in den Änderungsbereich einbezogen wird die zwischen den beiden Baugebieten befindliche öffentliche Verkehrsfläche. Die Planänderung ist mit verschiedenen redaktionellen Anpassungen der Festsetzungen verbunden und wird als eigenständiger Planteil aufgestellt. Die nicht von der 2. Änderung betroffenen Festsetzungen der rechtskräftigen 1. Bebauungsplanänderung behalten unverändert ihre Gültigkeit.

Die Planung mit Begründung wird in der Zeit vom

03.07.2023 bis einschließlich 04.08.2023

während der allgemeinen Dienststunden (Montag bis Freitag von 8 h – 12 h, Montag und Dienstag von 14 h – 16 h, Donnerstag von 14 h -18 h) im Rathaus der Stadt Reichelsheim, Zum Rathaus 1, 61203 Reichelsheim, im Zimmer 208 öffentlich ausgelegt. Obwohl keine Corona-Schutzmaßnahmen mehr gelten, muss vor dem Betreten des Rathauses geklingelt werden. Um Wartezeiten zu vermeiden, wird eine telefonische Terminvereinbarung (Frau Klöppel, Tel: 06035/1001-17) empfohlen.

Wichtige Gründe, die eine angemessene Verlängerung der gem. § 3 Abs. 2 BauGB einzuhaltenden Dauer der öffentlichen Auslegung notwendig gemacht hätten, liegen nicht vor.

Im gleichen Zeitraum können die Planungsunterlagen auf dem Bauleitplanungsportal Hessen

(bauleitplanung.hessen.de/bebauungsplan) über die Homepage der Stadt Reichelsheim bzw. direkt unter www.stadt-reichelsheim.de in der Rubrik Leben & Wohnen unter „Bauen & Wohnen / Bauen / Bauleitplanverfahren“ eingesehen und heruntergeladen werden.

Da durch die 2. Änderung die Grundzüge der Planung nicht berührt werden und außerdem die Zulässigkeit von Vorhaben, die einer Pflicht zur Durchführung einer Umweltverträglichkeitsprüfung unterliegen, nicht vorbereitet oder begründet wird, keine Anhaltspunkte für eine Beeinträchtigung der Schutzgüter bestehen und keine Anhaltspunkte dafür bestehen, dass bei der Planung Pflichten zur Vermeidung oder Begrenzung der Auswirkungen von schweren Unfällen zu beachten sind, kann das vereinfachte Verfahren gem. § 13 BauGB angewendet werden. Im vereinfachten Verfahren kann von den frühzeitigen Unterrichtungen und Beteiligungen abgesehen werden und die Auslegung nach § 3 Abs. 2 bzw. die Beteiligung nach § 4 Abs. 2 durchgeführt werden. Außerdem wird von der Umweltprüfung im Rahmen des Umweltberichts, von der Angabe welche Arten umweltbezogener Informationen verfügbar sind, vom Monitoring sowie von der zusammenfassenden Erklärung abgesehen.

Äußerungen zur Änderungsplanung können während der o.g. Frist schriftlich oder zur Niederschrift vorgebracht werden. Der Geltungsbereich geht aus der nachstehenden unmaßstäblichen Übersichtskarte (gestrichelt umrandeter Bereich) hervor.

Gleichzeitig werden die Stellungnahmen der Behörden und sonstigen Träger öffentlicher Belange, deren Aufgabenbereich durch die Planänderung berührt werden kann, gem. § 4 Abs. 2 BauGB eingeholt.

Es wird darauf hingewiesen, dass nicht fristgerecht abgegebene Stellungnahmen bei der Beschlussfassung über den Bebauungsplan unberücksichtigt bleiben können.

Der Magistrat der Stadt Reichelsheim
Lena Herget, Bürgermeisterin