Titel Logo
Stadtkurier Reichelsheim
Ausgabe 39/2023
Amtliche Bekanntmachungen
Zurück zur vorigen Seite
Zurück zur ersten Seite der aktuellen Ausgabe
-

Bauleitplanung der Stadt Reichelsheim - Stadtteil Reichelsheim

Bebauungsplan Nr. 1.12 „Bereich Ladestraße / Bahnstraße“ - 2. Änderung

Hier: Bekanntmachung des Satzungsbeschlusses

In ihrer Sitzung am 13.09.2023 hat die Stadtverordnetenversammlung der Stadt Reichelsheim die 2. Änderung des Bebauungsplans 1.12 „Bereich Ladestraße / Bahnstraße“ gem. § 10 BauGB als Satzung beschlossen.

Gem. § 10 Abs. 3 BauGB wird der Satzungsbeschluss hiermit bekannt gemacht. Mit Vollendung der Bekanntmachung tritt die Satzung in Kraft.

Die Satzung mit Begründung werden zu jedermanns Einsicht bereitgehalten und können im Rathaus der Stadt Reichelsheim, Bauverwaltung, Zum Rathaus 1, 61203 Reichelsheim während der Dienststunden eingesehen werden. Über den Inhalt wird auf Verlangen Auskunft erteilt. Ebenfalls zur Einsicht bereitgehalten werden die in den Bebauungsplan eingeführten Regelwerke, Verordnungen und DIN-Vorschriften.

Mit dieser Bekanntmachung wird insbesondere auf die § 44 und 215 BauGB aufmerksam gemacht. Es wird darauf hingewiesen, dass gemäß § 44 Abs. 3 BauGB ein Entschädigungsberechtigter Entschädigung verlangen kann, wenn die in den §§ 39-42 BauGB bezeichneten Vermögensnachteile eingetreten sind. Er kann die Fälligkeit des Anspruchs dadurch herbeiführen, dass er die Leistung der Entschädigung schriftlich bei dem Entschädigungspflichtigen beantragt. Gemäß § 44 Abs. 4 BauGB erlischt ein Entschädigungsanspruch, wenn nicht innerhalb von drei Jahren nach Ablauf des Kalenderjahrs, in dem die bezeichneten Vermögensnachteile eingetreten sind, die Fälligkeit des Anspruchs herbeigeführt wird.

Gemäß § 215 Abs. 2 BauGB wird darauf hingewiesen, dass eine nach § 214 Abs. 1 Satz 1 Nr. 1 bis 3 BauGB beachtliche Verletzung der dort bezeichneten Verfahrens- und Formvorschriften, eine unter Berücksichtigung des § 214 Abs. 2 BauGB beachtliche Verletzung der Vorschriften über das Verhältnis des Bebauungsplans und des Flächennutzungsplans und nach § 214 Abs. 3 Satz 2 BauGB beachtliche Mängel des Abwägungsvorganges unbeachtlich werden, wenn sie nicht innerhalb eines Jahres seit dieser Bekanntmachung schriftlich gegenüber der Gemeinde unter Darlegung des die Verletzung begründenden Sachverhalts geltend gemacht worden sind. Dies gilt auch entsprechend, wenn Fehler nach § 214 Abs. 2a BauGB beachtlich sind.

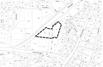
Der Geltungsbereich der Satzung ist in der abgedruckten unmaßstäblich verkleinerten Karte durch eine unterbrochene Linie kenntlich gemacht.

Reichelsheim, den 29.09.2023

Lena Herget, Bürgermeisterin