Titel Logo
Die Ortsschelle
Ausgabe 17/2024
Amtliche Bekanntmachungen
Zurück zur vorigen Seite
Zurück zur ersten Seite der aktuellen Ausgabe

Amtliche Bekanntmachung Bauleitplanung der Gemeinde Schenklengsfeld

Der Gemeindevorstand

der Gemeinde Schenklengsfeld

Amtliche Bekanntmachung

Bauleitplanung der Gemeinde Schenklengsfeld

Vorhabenbezogener Bebauungsplan „Nr. 5 Oberlengsfeld Seniorenresidenz“ und Teiländerung des Bebauungsplans „Nr. 4 Gemarkung Oberlengsfeld“ sowie 14. Änderung des Flächennutzungsplans (FNP) im Parallelverfahren.

Genehmigung der 14. FNP-Änderung und Satzungsbeschluss des vorhabenbezogenen Bebauungsplans

Die Exsos GmbH beabsichtigt, in Schenklengsfeld eine Wohn- und Pflegeeinrichtung für Senioren zu errichten. Das Plangebiet mit einer Größe von ca. 1,8 ha befindet sich am nordwestlichen Ortsrand, in der Gemarkung Oberlengsfeld, nördlich der Friedewalder Straße und in Richtung Westen unmittelbar an den bestehenden Lebensmittelmarkt anschließend. Die Fläche wird derzeit landwirtschaftlich genutzt.

Da eine geringe Teilfläche im Süden des Geltungsbereichs bereits durch den Bebauungsplan „Nr. 4 Gemarkung Oberlengsfeld“ beplant ist, erfolgt im Zuge der Bebauungsplanaufstellung eine Teiländerung des zuvor genannten Bebauungsplans.

Der Ausgleich, der durch das Vorhaben verursachte, unvermeidbare Eingriff wird zu einem kleineren Teil innerhalb des Geltungsbereiches und darüber hinaus über eine externe Ausgleichsmaßnahme sowie über eine vertraglich gesicherte externe Kompensationsmaßnahmen ausgeglichen.

Das Plangebiet ist im rechtskräftigen Flächennutzungsplan der Gemeinde Schenklengsfeld als „Sondergebiet Gartenbaubetrieb“ dargestellt. Da das Vorhaben derzeit nicht aus dem Flächennutzungsplan entwickelt werden kann, ist eine entsprechende Änderung des Flächennutzungsplans erforderlich.

Hier:

Bekanntmachung der Genehmigung der Änderung des Flächennutzugsplans gem. § 6 (5) Baugesetzbuch (BauGB)

Die Gemeindevertretung der Gemeinde Schenklengsfeld hat in ihrer Sitzung am 21.12.2023 den Feststellungsbeschluss zu der 14. Flächennutzungsplanänderung zum Vorhabenbezogenen Bebauungsplan „Nr. 5 Oberlengsfeld Seniorenresidenz“ und Teiländerung des Bebauungsplans „Nr. 4 Gemarkung Oberlengsfeld“ beschlossen und die Begründung einschließlich Umweltbericht mit integriertem Landschaftspflegerischen Fachbeitrag sowie den hierzu dazugehörigen Unterlagen gebilligt.

Die Genehmigung der 14. Flächennutzungsplanänderung, erteilt am 25.03.2024 (Geschäftszeichen RPKS-21-61 a 1319/1-2024/1) durch das Regierungspräsidium Kassel, wird hiermit gem. § 6 (5) BauGB bekannt gegeben.

Mit dieser Bekanntmachung wird die vorgenannte Änderung des Flächennutzungsplans wirksam.

Hier:

Inkrafttreten des Bebauungsplans gem. 10 (3) Baugesetzbuch (BauGB)

Die Gemeindevertretung der Gemeinde Schenklengsfeld hat in ihrer Sitzung am 21.12.2023 den o. g. vorhabenbezogenen Bebauungsplan und den dazugehörigen Unterlagen. § 10 BauGB als Satzung beschlossen und die Begründung einschließlich Umweltbericht mit integriertem Landschaftspflegerischen Fachbeitrag und den dazugehörigen Unterlagen gebilligt.

Der Satzungsbeschluss für den vorhabenbezogenen Bebauungsplan wird hiermit ortsüblich bekannt gemacht. Gem. § 10 (3) BauGB tritt der vorhabenbezogene Bebauungsplan „Nr. 5 Oberlengsfeld Seniorenresidenz“ und Teiländerung des Bebauungsplans „Nr. 4 Gemarkung Oberlengsfeld“ mit dieser Bekanntmachung in Kraft.

Die Abgrenzung des FNP-Änderungsbereiches sowie die Planbereiche des vorhabenbezogenen Bebauungsplans „Nr. 5 Oberlengsfeld Seniorenresidenz“ und Teiländerung des Bebauungsplans „Nr. 4 Gemarkung Oberlengsfeld“ sind in den nachstehenden Übersichtskarten dargestellt.

Abbildung 1:

Geltungsbereich der FNP-Änderung sowie des Bebauungsplans (Hauptgeltungsbereich A)

Der Geltungsbereich des vorhabenbezogenen Bebauungsplans (Hauptgeltungsbereich A) umfasst eine Fläche von ca. 1,8 ha im Gewann „Im Melm“. Der räumliche Geltungsbereich des vorhabenbezogenen Bebauungsplans beinhaltet die folgenden Flurstücke (Flst.): Gemarkung Oberlengsfeld, Flur 1, Flst. 51/1 (tlw.), 90/1 (tlw.), 90/3 (tlw.), 97 (tlw.), 98/3 (tlw.), 98/4 (tlw.) und 99/5 (tlw.) sowie Gemarkung Schenklengsfeld, Flur 4, Flst. 89/1 (tlw.).

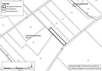
Abbildung 2:

Geltungsbereich des Bebauungsplans (Teilgeltungsbereich B, Ausgleichsfläche)

Der räumliche Geltungsbereich (Teilgeltungsbereich B) hat eine Gesamtgröße von 1.068 m2 und beinhaltet die das folgende Flurstück: Gemarkung Konrode, Flur 14, das Flurstück mit der Nummer 18.

Hier:

Einsichtnahme und Hinweise

Die Planunterlagen zu den oben genannten Bauleitplanverfahren mit den zugehörigen Unterlagen sowie den zusammenfassenden Erklärungen nach § 6a (1) bzw. § 10a (1) BauGB werden ab sofort im Rathaus der Gemeinde Schenklengsfeld, Rathausstraße 2, 36277 Schenklengsfeld, Zimmer 1 (Bürgerbüro), während der Dienststunden:

Montag

8:00 Uhr bis 12:00 Uhr

Dienstag

8:00 Uhr bis 12:00 Uhr

14:00 Uhr bis 16 Uhr

Mittwoch

8:00 Uhr bis 12:00 Uhr

Donnerstag

8:00 Uhr bis 12:00 Uhr

14:00 Uhr bis 16 Uhr

Freitag

8:00 Uhr bis 12:00 Uhr

für jede Person zur Einsicht bereitgehalten. Über den Inhalt wird auf Verlangen Auskunft erteilt. Die Dauer der Auslegung ist zeitlich nicht begrenzt.

Die Unterlagen zur Bauleitplanung können auch auf der Homepage der Gemeinde Schenklengsfeld unter folgendem Link www.schenklengsfeld.de eingesehen und heruntergeladen werden. Ein entsprechender Verweis auf diese Seite erfolgt darüber hinaus im zentralen Internetportal des Landes Hessen unter https://bauleitplanung.hessen.de/.

Gem. § 215 (1) BauGB werden

1

eine nach § 214 (1) S. 1 Nr.1 bis 3 BauGB beachtliche Verletzung der dort bezeichneten Verfahrens- und Formvorschriften,

2

eine unter Berücksichtigung des § 214 (2) BauGB beachtliche Verletzung der Vorschriften über das Verhältnis des Bebauungsplanes und des Flächennutzungsplanes und

3

nach § 214 (3) S. 2 BauGB beachtliche Mängel des Abwägungsvorganges

unbeachtlich, wenn sie nicht innerhalb eines Jahres seit dieser Bekanntmachung schriftlich gegenüber der Gemeinde Schenklengsfeld unter Darlegung des die Verletzung begründeten Sachverhalts geltend gemacht worden sind.

Gem. § 44 (5) BauGB wird darauf hingewiesen, dass der Entschädigungsberechtigte nach § 44 (3) BauGB Entschädigung verlangen kann, wenn die in den §§ 39 - 42 BauGB bezeichneten Vermögensnachteile eingetreten sind. Er kann die Fälligkeit des Anspruchs dadurch herbeiführen, dass er die Leistung der Entschädigung schriftlich bei dem Entschädigungspflichtigen beantragt. Nach § 44 (4) BauGB erlischt der Entschädigungsanspruch, wenn nicht innerhalb von drei Jahren nach Ablauf des Kalenderjahres, in dem die o. g. Vermögensnachteile eingetreten sind, die Fälligkeit des Anspruchs herbeigeführt wird.

Schenklengsfeld, den 26.04.2024

DER GEMEINDEVORSTAND DER
GEMEINDE SCHENKLENGSFELD
Möller
Bürgermeister