Titel Logo
Die Ortsschelle
Ausgabe 34/2024
Amtliche Bekanntmachungen
Zurück zur vorigen Seite
Zurück zur ersten Seite der aktuellen Ausgabe

Bauleitplanung der Gemeinde Schenklengsfeld

Abb. 1 → Geltungsbereich der FNP-Änderung und des Bebauungsplans

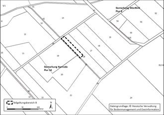
Abb. 2 → Lage des Teilgeltungsbereiches B (Ausgleich)

Abb. 3 → Lage der Teilgeltungsbereiche C und D (Ausgleich)

Der Gemeindevorstand

der Gemeinde Schenklengsfeld

Bauleitplanung der Gemeinde Schenklengsfeld

Bebauungsplan „Nr. 9.1 Gewerbegebiet „In der Aue“ sowie 12. Änderung des Flächennutzungsplans (FNP) im Parallelverfahren

Genehmigung der 12. FNP-Änderung und Satzungsbeschluss zum Bebauungsplan

Die Gemeinde Schenklengsfeld beabsichtigt, die Gewerbeentwicklung in der Kerngemeinde Schenklengsfeld weiterzuführen. Das Plangebiet befindet sich am südöstlichen Rand der Schenklengsfelder Ortslage und liegt östlich des bereits bestehenden Gewerbegebiets „Die Aue“. Die Vorhabenfläche ist nach drei Seiten umgeben von landwirtschaftlich genutzten Flächen. Mit etwas Abstand liegt im Norden das Bahnhofs- und Betriebsgelände der ehemaligen Kreisbahn und im Süden verläuft die Landesstraße (L) 3171. Die Erschließung des Plangebiets erfolgt über einen Anschluss an die bereits bestehende Gewerbegebietsstraße „In der Aue“, die hierfür erweitert wird.

Das Plangebiet ist im rechtskräftigen Flächennutzungsplan der Gemeinde Schenklengsfeld aus dem Jahr 1979 als „landwirtschaftliche Fläche“ dargestellt. Da das Vorhaben aus diesem Grund nicht aus dem Flächennutzungsplan entwickelt werden kann, ist eine entsprechende Änderung des Flächennutzungsplans erforderlich. Der Geltungsbereich der FNP-Änderung entspricht dem räumlichen Hauptgeltungsbereich des Bebauungsplans. Dieser umfasst eine Größe von ca. 1,8 ha und beinhaltet in der Gemarkung Oberlengsfeld, Flur 6, die Flurstücke Nr. 80/1 (tlw.), 82/1, 82/2, 82/3 sowie in der Gemarkung Schenklengsfeld, Flur 12, das Flurstück 79/3 (tlw.).

Der Ausgleich der mit der Umsetzung des Bebauungsplans einhergehenden Eingriffe ist durch externe Kompensationsmaßnahmen innerhalb von Zusatzgeltungsbereichen (Teil B, C und D) vorgesehen. Der Teilgeltungsbereich B umfasst in der Gemarkung Konrode, Flur 14, das Flurstück 18 (tlw.) und die Teilgeltungsbereiche C und D beinhalten in der Gemarkung Hilmes, Flur 2 das Flurstück 22/1 (tlw.). Die zugeordneten Ausgleichsflächen umfassen insgesamt eine Fläche von ca. 1,43 ha.

Der Geltungsbereich der FNP-Änderung und des Bebauungsplanes sowie die Lage der Ausgleichsflächen sind in den nachstehenden Lageplänen dargestellt.

Bekanntmachung der Genehmigung der 12. Änderung des Flächennutzugsplans im Bereich des Bebauungsplans Nr. 9.1 Gewerbegebiet „In der Aue“

Die Gemeindevertretung der Gemeinde Schenklengsfeld hat in ihrer Sitzung am 21.12.2023 den Feststellungsbeschluss zu der 12. Flächennutzungsplanänderung zum Bebauungsplan „Nr. 9.1 Gewerbegebiet „In der Aue“ gefasst und die Begründung einschließlich Umweltbericht gebilligt.

Mit Bescheid vom 30.07.2024, Dokument-Nr. RPKS - 21-61 a 1319/1-2024/2, hat das Regierungspräsidium Kassel die von der Gemeindevertretung beschlossene 12. Flächennutzungsplanänderung gem. § 6 (1) BauGB genehmigt. Die Erteilung der Genehmigung wird hiermit gem. § 6 (5) BauGB ortsüblich bekannt gemacht. Mit dieser Bekanntmachung wird die vorgenannte Änderung des Flächennutzungsplans wirksam.

Bekanntmachung des Satzungsbeschlusses zum Bebauungsplan Nr. 9.1 Gewerbegebiet „In der Aue“

Die Gemeindevertretung der Gemeinde Schenklengsfeld hat in ihrer Sitzung am 21.12.2023 den o. g. Bebauungsplan als Satzung beschlossen und die Begründung einschließlich Umweltbericht und Landschaftspflegerischem Fachbeitrag gebilligt.

Der Satzungsbeschluss wird hiermit ortsüblich bekannt gemacht. Mit dieser Bekanntmachung tritt der Bebauungsplan Nr. 9.1 Gewerbegebiet „In der Aue“ gem. § 10 (3) BauGB in Kraft.

Einsichtnahme und Hinweise

Die oben genannten Bauleitpläne einschließlich Begründung (mit Umweltbericht und Landschaftspflegerischem Fachbeitrag) sowie die zusammenfassenden Erklärungen nach § 6a (1) bzw. § 10a (1) BauGB werden ab sofort im Rathaus der Gemeinde Schenklengsfeld, Rathausstraße 2, 36277 Schenklengsfeld, Zimmer 1 (Bürgerbüro), während der Dienststunden:

Montag

8:00 Uhr bis 12:00 Uhr

Dienstag

8:00 Uhr bis 12:00 Uhr

14:00 Uhr bis 16 Uhr

Mittwoch

8:00 Uhr bis 12:00 Uhr

Donnerstag

8:00 Uhr bis 12:00 Uhr

14:00 Uhr bis 16 Uhr

Freitag

8:00 Uhr bis 12:00 Uhr

für jede Person zur Einsicht bereitgehalten. Über den Inhalt wird auf Verlangen Auskunft erteilt. Die Dauer der Auslegung ist zeitlich nicht begrenzt.

Die Unterlagen zur Bauleitplanung sind auch in das Internet eingestellt und können online unter https://www.schenklengsfeld.de/seite/350607/bebauungspläne.html und unter https://www.gdi-nordosthessen.de/de/viewer-bplan-schenklengsfeld.html eingesehen werden. Ein entsprechender Link auf diese Seite erfolgt auch über das zentrale Internetportal des Landes Hessen unter https://bauleitplanung.hessen.de/bebauungsplaene-in-hessen-a-z/s-u.

Gem. § 215 (1) BauGB werden

1

eine nach § 214 (1) S. 1 Nr.1 bis 3 BauGB beachtliche Verletzung der dort bezeichneten Verfahrens- und Formvorschriften,

2

eine unter Berücksichtigung des § 214 (2) BauGB beachtliche Verletzung der Vorschriften über das Verhältnis des Bebauungsplanes und des Flächennutzungsplanes und

3

nach § 214 (3) S. 2 BauGB beachtliche Mängel des Abwägungsvorganges

unbeachtlich, wenn sie nicht innerhalb eines Jahres seit dieser Bekanntmachung schriftlich gegenüber der Gemeinde Schenklengsfeld unter Darlegung des die Verletzung begründeten Sachverhalts geltend gemacht worden sind.

Gem. § 44 (5) BauGB wird darauf hingewiesen, dass der Entschädigungsberechtigte nach § 44 (3) BauGB Entschädigung verlangen kann, wenn die in den §§ 39 - 42 BauGB bezeichneten Vermögensnachteile eingetreten sind. Er kann die Fälligkeit des Anspruchs dadurch herbeiführen, dass er die Leistung der Entschädigung schriftlich bei dem Entschädigungspflichtigen beantragt. Nach § 44 (4) BauGB erlischt der Entschädigungsanspruch, wenn nicht innerhalb von drei Jahren nach Ablauf des Kalenderjahres, in dem die o. g. Vermögensnachteile eingetreten sind, die Fälligkeit des Anspruchs herbeigeführt wird.

Schenklengsfeld, den 23.08.2024

DER GEMEINDEVORSTAND DER
GEMEINDE SCHENKLENGSFELD
Wenzel
Bürgermeister