Titel Logo
Die Ortsschelle
Ausgabe 8/2026
Amtliche Bekanntmachungen
Zurück zur vorigen Seite
Zurück zur ersten Seite der aktuellen Ausgabe

Bebauungsplan Nr. 2 „Bielstraße Hilmes“, Gemeinde Schenklengsfeld, Gemarkung Hilmes und 15. Flächennutzungsplanänderung in diesem Bereich

Genehmigung der Änderung des Flächennutzungsplans und Satzungsbeschluss des Bebauungsplans

Im Bereich der „Bielstraße“ im Schenklengsfelder Ortsteil Hilmes soll auf einer Fläche von ca. 0,45 ha eine neue Wohnbaufläche entstehen. Die Gemeinde Schenklengsfeld möchte damit der Nachfrage an Bauplätzen entgegenkommen und zur Eigentumsbildung in der Bevölkerung beitragen. Das geplante Vorhaben entspricht dem Grundsatz des § 1 (6) Nr. 2 Baugesetzbuch (BauGB), wonach den Wohnbedürfnissen der Bevölkerung, insbesondere auch von Familien mit mehreren Kindern, der Schaffung und Erhaltung sozial stabiler Bewohnerstrukturen, der Eigentumsbildung weiter Kreise der Bevölkerung und den Anforderungen kostensparenden Bauens sowie der Bevölkerungsentwicklung, Rechnung zu tragen ist. Hierfür wird im Norden der Ortslage von Hilmes ein „Allgemeines Wohngebiet“ gem. § 4 Baunutzungsverordnung (BauNVO) ausgewiesen.

Mit dem Bebauungsplanverfahren ist zugleich eine Änderung des Flächennutzungsplans der Gemeinde Schenklengsfeld im Parallelverfahren erforderlich. Mit der 15. Änderung des Flächennutzungsplans wird der bisher als „Fläche für die Landwirtschaft“ und als „Mischbaufläche“ dargestellte Bereich in eine „Wohnbaufläche“ umgewidmet.

Der Geltungsbereich des Plangebiets umfasst rund 0,45 ha und befindet sich am nördlichen Rand des Ortsteils Hilmes. Das Areal wird im Osten durch die Bielstraße begrenzt, südlich und nördlich grenzt Bebauung an. Im Westen schließen landwirtschaftliche Ackerflächen an. Der räumliche Geltungsbereich beinhaltet die nachfolgenden Flurstücke in der Gemarkung Schenklengsfeld, Flur 1: Nr. 100 tlw., 103/1 tlw. und 214/1 tlw.

Für den naturschutzrechtlichen Ausgleich ist eine externe Fläche vorgesehen. Es erfolgt eine Kompensation über eine Grünlandextensivierung in der Gemarkung Hilmes, Flur 1, Flurstück 154 tlw.

Bekanntmachung der Genehmigung der 15. Änderung des Flächennutzugsplans gem. § 6 (5) BauGB

Die Gemeindevertretung der Gemeinde Schenklengsfeld hat in ihrer Sitzung am 12.06.2025 den Feststellungsbeschluss zur 15. Änderung des Flächennutzungsplans für den Bereich des Bebauungsplans Nr. 2 „Bielstraße Hilmes“ gefasst und die Begründung einschließlich Umweltbericht hierzu gebilligt.

Die Genehmigung der Flächennutzungsplanänderung, erteilt am 07.10.2025 (Geschäftszeichen 0030-21-061a10.03. 19-00002#2025-00001) durch das Regierungspräsidium Kassel, wird hiermit gem. § 6 (5) BauGB bekannt gegeben.

Mit dieser Bekanntmachung wird die vorgenannte 15. Änderung des Flächennutzungsplans wirksam.

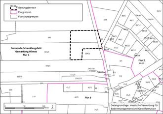
Die Abgrenzung des Änderungsbereiches ist in der nachstehenden Übersichtskarte dargestellt.

Abb. 1

Geltungsbereich der 15. Änderung des Flächennutzungsplans Schenklengsfeld.

Bekanntmachung des Satzungsbeschlusses gem. 10 (3) BauGB, Inkrafttreten des Bebauungsplans

Die Gemeindevertretung der Gemeinde Schenklengsfeld hat in ihrer Sitzung am 12.06.2025 den Bebauungsplan Nr. 2 „Bielstraße Hilmes“ gem. § 10 (1) BauGB als Satzung beschlossen und die Begründung einschließlich Umweltbericht gebilligt.

Der Satzungsbeschluss wird hiermit ortsüblich bekannt gemacht. Gem. § 10 (3) BauGB tritt der Bebauungsplan Nr. 2 „Bielstraße Hilmes“ mit dieser Bekanntmachung in Kraft.

Der Planbereich des Bebauungsplans und der Ausgleichsfläche kann den nachstehenden Übersichtskarten entnommen werden.

Abb. 2

Geltungsbereich des Bebauungsplans Nr. 2 „Bielstraße Hilmes“ (Plangebiet).

Abb. 3

Geltungsbereich des Bebauungsplans Nr. 2 „Bielstraße Hilmes“ (Ausgleichsfläche).

Einsichtnahme und Hinweise

Die Planunterlagen (Plankarte mit Begründung) zu den oben genannten Bauleitplanungen und die zusammenfassenden Erklärungen nach § 6a (1) bzw. § 10a (1) BauGB werden ab sofort in der Gemeindeverwaltung der Gemeinde Schenklengsfeld, Rathausstraße 2, 36277 Schenklengsfeld während der allgemeinen Dienststunden:

Montag bis Freitag

08.00 - 12.00 Uhr

Dienstag und Donnerstag

14.00 - 16.00 Uhr

für jede Person zur Einsicht bereitgehalten. Über den Inhalt wird auf Verlangen Auskunft erteilt.

Die Unterlagen zur Bauleitplanung sind auch in das Internet eingestellt und können online unter https://www.schenklengsfeld.de/seite/350607/bebauungspläne.html und im Geoportal Hessen unter https://www.gdi-nordosthessen.de/de/viewer-bplan-schenklengsfeld.html eingesehen werden. Ein entsprechender Verweis auf diese Seite erfolgt darüber hinaus über das zentrale Internetportal des Landes Hessen unter https://bauleitplanung.hessen.de.

Gem. § 215 (1) BauGB werden

eine nach § 214 (1) S. 1 Nr.1 bis 3 BauGB beachtliche Verletzung der dort bezeichneten Verfahrens- und Formvorschriften,

eine unter Berücksichtigung des § 214 (2) BauGB beachtliche Verletzung der Vorschriften über das Verhältnis des Bebauungsplanes und des Flächennutzungsplanes und

nach § 214 (3) S. 2 BauGB beachtliche Mängel des Abwägungsvorganges

unbeachtlich, wenn sie nicht innerhalb eines Jahres seit dieser Bekanntmachung schriftlich gegenüber der Gemeinde Schenklengsfeld unter Darlegung des die Verletzung begründeten Sachverhalts geltend gemacht worden sind.

Gem. § 44 (5) BauGB wird darauf hingewiesen, dass der Entschädigungsberechtigte nach § 44 (3) BauGB Entschädigung verlangen kann, wenn die in den §§ 39 - 42 BauGB bezeichneten Vermögensnachteile eingetreten sind. Er kann die Fälligkeit des Anspruchs dadurch herbeiführen, dass er die Leistung der Entschädigung schriftlich bei dem Entschädigungspflichtigen beantragt. Nach § 44 (4) BauGB erlischt der Entschädigungsanspruch, wenn nicht innerhalb von drei Jahren nach Ablauf des Kalenderjahres, in dem die o. g. Vermögensnachteile eingetreten sind, die Fälligkeit des Anspruchs herbeigeführt wird.

Schenklengsfeld, den 20.02.2026

gez. Beate Lüders
1. Beigeordnete