Titel Logo
Schöffengrunder Nachrichten
Ausgabe 34/2024
Amtliche Bekanntmachungen
Zurück zur vorigen Seite
Zurück zur ersten Seite der aktuellen Ausgabe

Bauleitplanung der Gemeinde Schöffengrund 6. Änderung und Erweiterung des Bebauungsplanes „Laufdorf Nr. 1“ (Teil-Änderung), Gemarkung Laufdorf

6. Änderung und Erweiterung des Bebauungsplanes „Laufdorf Nr. 1“ (Teil-Änderung), Gemarkung Laufdorf

Hier: Beteiligung der Öffentlichkeit gemäß § 3 Abs. 2 BauGB

Die Gemeindevertretung hat den Beschluss zur Durchführung des Verfahrens nach § 3 Abs. 2 BauGB (Veröffentlichung der Bauleitplanung im Internet und öffentliche Auslegung) beschlossen.

Die Unterlagen der Bauleitplanung werden in der Zeit

vom 26.08.2024 bis einschließlich 11.10.2024

(Dauer der Veröffentlichungsfrist)

auf der Internetseite der Gemeinde Schöffengrund unter „www.schoeffengrund.de/rathaus-politik/bauen/bebauungsplaene“ veröffentlicht und stehen unter dem Internetportal des Landes Hessen unter https://bauleitplanung.hessen.de zur Verfügung.

Sie können eingesehen bzw. im PDF-Format heruntergeladen werden.

Dies gilt auch für diese Bekanntmachung.

Zusätzlich zur Veröffentlichung im Internet werden die Unterlagen während der Öffnungszeiten in der Gemeindeverwaltung, Neukirchener Straße 5, 35641 Schöffengrund, Zimmer 9, im oben genannten Zeitraum öffentlich ausgelegt.

Die Einsicht in die Unterlagen kann auch außerhalb der Besuchszeiten nach vorheriger Terminvereinbarung erfolgen.

Folgende Unterlagen werden veröffentlicht: Planzeichnung des Bebauungsplanes, textliche Festsetzungen, Begründung, Umweltbericht mit den Anlagen Artenschutzrechtlicher Fachbeitrag“ einschl. Tabelle zur Darstellung der Betroffenheit allgemein häufiger Vogelarten und Karte Artenschutz sowie die bereits vorliegenden umweltbezogenen Stellungnahmen.

Die Öffentlichkeit kann Stellungnahmen während der Dauer der Veröffentlichungsfrist abgeben.

Die Stellungnahmen sollten elektronisch an folgende Mail-Adresse abgegeben werden: stellungnahmen@buero-zillinger.de.

Bei Bedarf können sie aber auch auf anderem Wege abgegeben werden, zum Beispiel schriftlich, adressiert an die Gemeindeverwaltung Schöffengrund, oder zur Niederschrift.

Stellungnahmen, die nicht fristgerecht abgegeben werden, können bei der Beschlussfassung über den Bauleitplan unberücksichtigt bleiben.

Die Stellungnahmen werden ausgewertet und in nicht-öffentlichen und öffentlichen Sitzungen beraten. Die Verarbeitung der personenbezogenen Daten erfolgt nur im Rahmen des Planungsprozesses und im Übrigen unter Beachtung der Datenschutzverordnung.

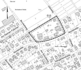
Der Bebauungsplan wird für den in nachfolgender Abbildung dargestellten Geltungsbereich aufgestellt:

Die Flächen des Geltungsbereiches liegen in der Gemarkung Laufdorf, im Flur 4 und werden wie folgt abgegrenzt:

Im Nordwesten:

landwirtschaftliche Fläche (Flurstück 77/1)

Im Nordosten:

Höhweg

Im Südosten:

Nordstraße

Im Südwesten:

Brunkelweg

Die Flächen liegen innerhalb der 1. Änderung des Bebauungsplanes Nr. 1, rechtskräftig seit 1968, welcher bereits mehrfach teilweise geändert wurde.

Insgesamt handelt es sich um die 6. Änderung, allerdings erst um die 2. Änderung für den Geltungsbereich.

Folgende umweltbezogene Informationen liegen vor:

  • Im Geltungsbereich gibt es 2 Altstandorte: Nordstraße 24 und Höhstraße 17/19.
  • Der Geltungsbereich ist von 2 Bergwerksfeldern, in denen Untersuchungsarbeiten durchgeführt und Rohstoffvorkommen nachgewiesen wurden, betroffen. Die Fundstellen liegen außerhalb des Planungsbereiches.
  • Die Flächen des Geltungsbereiches sowie die nördlich gelegenen landwirtschaftlichen Flächen sind stark erosionsgefährdet.
  • In 2022 wurde ein artenschutzrechtlicher Fachbeitrag erstellt.
    Da der Geltungsbereich des Bebauungsplanes bis auf das Flurstück 145/2 bereits bebaut ist und nur für dieses Flurstück Baumaßnahmen bekannt sind, beschränkten sich die intensiven Bestandsaufnahmen gemäß Abstimmung mit der unteren Naturschutzbehörde auf dieses Grundstück.
    Das Flurstück 145/2 wurde zur Erhebung der Vögel viermal begangen und wird insgesamt avifaunistisch als stark verarmt eingestuft.
    Für die Amsel und den Buchfinken ist gemäß Artenschutzbeitrag eine Bauzeitenregelung erforderlich, da sie im Untersuchungsbereich brüten.
    Auch die Kohlmeise wurde mit dem Status „Brutverdacht“ belegt, allerdings mit dem Hinweis, dass durch die Bebauung keine Empfindlichkeit besteht. Weitere Arten konnten lediglich als Nahrungsgäste beobachtet werden.

Es wird darauf hingewiesen, dass das Ingenieurbüro Zillinger, Gießen, mit der Durchführung des Verfahrens beauftragt wurde.

Der Gemeindevorstand der Gemeinde Schöffengrund
Michael Peller, Bürgermeister