Titel Logo
Schöffengrunder Nachrichten
Ausgabe 6/2025
Amtliche Bekanntmachungen
Zurück zur vorigen Seite
Zurück zur ersten Seite der aktuellen Ausgabe

Bauleitplanung der Gemeinde Schöffengrund 6. Änderung und Erweiterung des Bebauungsplanes „Laufdorf Nr. 1“ (Teil-Änderung), Gemarkung Laufdorf

Bauleitplanung der Gemeinde Schöffengrund

6. Änderung und Erweiterung des Bebauungsplanes „Laufdorf Nr. 1“ (Teil-Änderung), Gemarkung Laufdorf

hier:
  1. ) Bekanntmachung gemäß § 10 (3) BauGB (Inkrafttreten des Bebauungsplanes)
  2. ) Integrierte Orts- und Gestaltungssatzung gemäß § 91 (3) HBO (Inkrafttreten der Satzung)
a) Bekanntmachung gem. § 10 (3) BauGB

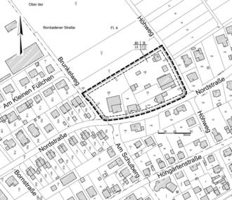
Die Gemeindevertretung der Gemeinde Schöffengrund hat den o. g. Bebauungsplan für den in nachfolgender Abbildung dargestellten Geltungsbereich am 05.12.2024 als Satzung beschlossen, s. folgende Abbildung.

Der Bebauungsplan tritt mit dieser Bekanntmachung in Kraft.

Gemäß § 215 Abs. 2 BauGB wird darauf hingewiesen, dass

  • eine nach § 214 Abs. 1 Satz 1 Nr. 1 bis 3 BauGB beachtliche Verletzung der dort bezeichneten Verfahrens- und Formvorschriften,
  • eine unter Berücksichtigung des § 214 Abs. 2 BauGB beachtliche Verletzung der Vorschriften über das Verhältnis des Bebauungsplanes und des Flächennutzungsplanes und
  • nach § 214 Abs. 3 Satz 2 BauGB beachtliche Mängel des Abwägungsvorgangs gemäß § 215 Abs. 1 BauGB unbeachtlich werden, wenn sie nicht innerhalb eines Jahres seit dieser Bekanntmachung schriftlich gegenüber dem Gemeindevorstand der Gemeinde Schöffengrund, Neukirchener Straße Nr. 5, 35641 Schöffengrund, unter Darlegung des die Verletzung begründenden Sachverhalts geltend gemacht worden sind.

Auf die Vorschriften des § 44 Abs. 3 Satz 1 und 2 sowie des Absatzes 4 BauGB für die fristgerechte Geltendmachung etwaiger Entschädigungsansprüche bei Eingriffen des oben genannten Bebauungsplanes in eine bisher zulässige Nutzung und über das Erlöschen solcher Ansprüche wird hingewiesen.

Dem Bebauungsplan ist eine zusammenfassende Erklärung über die Art und Weise beigefügt, wie die Umweltbelange und die Ergebnisse der Öffentlichkeits- und Behördenbeteiligung in der Bauleitplanung berücksichtigt wurden. Es sind die Gründe enthalten, weswegen der Plan nach Abwägung mit den geprüften, in Betracht kommenden anderweitigen Planungsmöglichkeiten gewählt wurde.

Der Bebauungsplan, die Begründung und die zusammenfassende Erklärung werden gemäß § 10 (3) BauGB während der Dienststunden im Rathaus der Gemeinde Schöffengrund zu jedermanns Einsicht bereitgehalten.

Jedermann kann dieses Planwerk einsehen und über seinen Inhalt Auskunft verlangen.

Diese Unterlagen können auch auf der Internetseite der Gemeinde Schöffengrund eingesehen und heruntergeladen werden.

b) Integrierte Orts- und Gestaltungssatzung gemäß § 91 (3) HBO

Die Festsetzungen im B-Plan nach § 91 Abs. 3 HBO in Verbindung mit § 9 Abs. 4 BauGB wurden als Gestaltungssatzung beschlossen.

Die Gestaltungssatzung wird mit dieser Bekanntmachung rechtskräftig.

Der Gemeindevorstand der Gemeinde Schöffengrund
Michael Peller, Bürgermeister