Titel Logo
Schöffengrunder Nachrichten
Ausgabe 9/2023
Amtliche Bekanntmachungen
Zurück zur vorigen Seite
Zurück zur ersten Seite der aktuellen Ausgabe

Bauleitplanung der Gemeinde Schöffengrund

6. Änderung und Erweiterung des Bebauungsplanes „Laufdorf Nr. 1“ (Teil-Änderung), Gemarkung Laufdorf

hier:

Aufstellungsbeschluss gemäß § 2 (1) Baugesetzbuch (BauGB)

Allgemeine Ziele und Zwecke

Beteiligung der Öffentlichkeit gemäß § 3 (1) BauGB

Aufstellungsbeschluss gemäß § 2 (1) BauGB

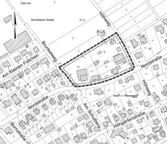
Die Gemeindevertretung hat die Aufstellung des o.g. Planes beschlossen. Die Grenzen des Geltungsbereiches sind aus nachfolgender Abbildung ersichtlich.

Die Flächen des Geltungsbereiches liegen in der Gemarkung Laufdorf, im Flur 4 und werden wie folgt abgegrenzt:

Im Nordwesten:

landwirtschaftliche Fläche (Flurstück 77/1)

Im Nordosten:

Höhweg

Im Südosten:

Nordstraße

Im Südwesten:

Brunkelweg

Die Flächen liegen innerhalb der 1. Änderung des Bebauungsplanes Nr. 1, rechtskräftig seit 1968, welcher bereits mehrfach teilweise geändert wurde.

Insgesamt handelt es sich um die 6. Änderung, allerdings erst um die 2. Änderung für den Geltungsbereich.

Allgemeine Ziele und Zwecke

Der Geltungsbereich ist im rechtskräftigen Bebauungsplan überwiegend als Gewerbegebiet festgesetzt. Die Flurstücke 144 und 145/2 sind hierin als Dorfgebiet ausgewiesen. Das Flurstück 145/2 liegt nur teilweise im Geltungsbereich des rechtskräftigen Bebauungsplanes.

Im festgesetzten Gewerbegebiet existiert keine gewerbliche Nutzung. Die letzte gewerbliche Nutzung wurde vor etwa 10 Jahren eingestellt (Zimmerei).

Das Flurstück 145/2, teilweise im ausgewiesenen Dorfgebiet und teilweise im Außengebiet gelegen, wird gewerblich, aber nicht störend, genutzt.

Bei dem heutigen Bestand handelt es sich daher um ein Mischgebiet.

Das Flurstück 145/2 ist bereits vollständig eingezäunt, obwohl es nur teilweise innerhalb des rechtskräftigen Bebauungsplanes liegt. Die Flächen, die außerhalb des rechtskräftigen Bebauungsplanes liegen, sind teilweise bebaut und werden teilweise als Hausgarten genutzt.

Im Bereich dieser Freifläche ist eine Nachverdichtung durch Bau eines Hauses vorgesehen.

Wegen der geplanten Bebauung und unter Würdigung des Bestandes (Hausgarten) wird der Geltungsbereich erweitert, sodass das Flurstück 145/2 vollständig innerhalb des Geltungsbereiches liegt.

Auch wird eine Änderung der Art der baulichen Nutzung vorgenommen. Sie wird entsprechend Bestand und Planungsziel als Mischgebiet vorgesehen.

Die Änderung und Ergänzung des Bebauungsplanes schafft die bauordnungsrechtlichen Voraussetzungen. Der Bebauungsplan dient vor allem der städtebaulichen Ordnung im Planbereich einschließlich der grünordnerischen Maßnahmen.

Beteiligung der Öffentlichkeit gemäß § 3 (1) BauGB

Die Unterrichtung über die allgemeinen Ziele und Zwecke der Planung und der voraussichtlichen Auswirkungen erfolgt in der Zeit vom 13.03.2023 bis einschließlich 24.03.2023 während der Öffnungszeiten oder nach Vereinbarung im Rathaus Schöffengrund, Ortsteil Schwalbach, Neukirchener Straße Nr. 5 im Zimmer 8.

Während dieses Zeitraumes hat die Öffentlichkeit auch Gelegenheit zur Äußerung und Erörterung, auch im Hinblick auf den erforderlichen Umfang und Detaillierungsgrad der Umweltprüfung nach § 2 Absatz 4 BauGB.

Die Öffentlichkeit kann sich informieren und durch Wünsche und Anregungen die Planung beeinflussen.

Öffnungszeiten des Rathauses:

Montag und Dienstag:

08:00 - 12:00 Uhr und 14:00 bis 15:30 Uhr

Donnerstag:

08:00 - 12:00 Uhr und 15:00 bis 18:00 Uhr

Freitag:

08:00 - 12:00 Uhr

Die Stellungnahmen werden ausgewertet und in nicht-öffentlichen und öffentlichen Sitzungen beraten. Die Verarbeitung der personenbezogenen Daten erfolgt nur im Rahmen des Planungsprozesses und im Übrigen unter Beachtung der Datenschutzverordnung.

Es wird darauf hingewiesen, dass ein Planungsbüro mit der Durchführung des Verfahrens beauftragt wurde.

Der Gemeindevorstand der Gemeinde Schöffengrund
Michael Peller, Bürgermeister