Titel Logo
Selterser Kurier
Ausgabe 5/2026
Amtliche Bekanntmachungen
Zurück zur vorigen Seite
Zurück zur ersten Seite der aktuellen Ausgabe

Bauleitplanung der Gemeinde Selters (Taunus)

6. Bebauungsplanänderung „Flur 5 und 6 - Goethestraße 2a“ in Niederselters, gemäß den Vorgaben des § 13 BauGB (vereinfachtes Verfahren) : Nr. 109/2, 129/3 und 234/1 in der Flur 5 und das Flurstück 126/4 tlw. in der Flur 14

Hier: Satzungsbeschluss und Bekanntmachung des Inkrafttretens gem. § 10 Baugesetzbuch (BauGB)

Die Gemeindevertretung der Gemeinde Selters (Taunus) hat in Ihrer Sitzung am 30.09.2025 aufgrund des § 10 Abs. 1 Baugesetzbuch (BauGB) und den § 5 und § 51 der Hessischen Gemeindeordnung (HGO) die 6. Bebauungsplanänderung „Flur 5 und 6 – Goethestraße 2a“, als Satzung beschlossen und der Begründung zugestimmt.

Zugleich wurden örtliche Bauvorschriften nach § 91 Abs. 1 Hessische Bauordnung (HBO) als Satzung beschlossen, die als Festsetzungen in den Bebauungsplan aufgenommen sind (§ 91 Abs. 4 HBO; § 9 Abs. 4 BauGB).

Der Bebauungsplan wird hiermit gem. § 10 Abs. 3 BauGB bekannt gemacht.

Mit dieser Bekanntmachung tritt die 6. Bebauungsplanänderung „Flur 5 und 6 - Goethestraße 2a“ in Kraft.

Die Bekanntmachung tritt an die Stelle der sonst für Satzungen vorgeschriebenen Veröffentlichung.

Das Verfahren wurde gem. § 13 BauGB im vereinfachten Verfahren durchgeführt.

Gem. § 13 Abs. 2 BauGB wurde von der frühzeitigen Unterrichtung und Erörterung nach § 3 Absatz 1 BauGB und § 4 Absatz 1 BauGB abgesehen.

Es wurde unter Anwendung des § 13 Absatz 3 BauGB von der Umweltprüfung nach § 2 Absatz 4 BauGB, von dem Umweltbericht nach § 2a BauGB und von der Angabe nach § 3 Absatz 2 Satz 4 BauGB, welche Arten umweltbezogener Informationen verfügbar sind, sowie von der zusammenfassenden Erklärung nach § 10a Absatz 1 BauGB, abgesehen. § 4 c BauGB (Überwachung) ist nicht anzuwenden.

Bei der Beteiligung nach § 13 Absatz 2 Nr. 2 BauGB wurde darauf hingewiesen, dass von einer Umweltprüfung abgesehen wird.

Der betroffenen Öffentlichkeit wurde Gelegenheit zur Stellungnahme innerhalb angemessener Frist gegeben. Den berührten Behörden und sonstigen Trägern öffentlicher Belange wurde Gelegenheit zur Stellungnahme zum Änderungsbereich innerhalb angemessener Frist gegeben. Es wurde eine Veröffentlichung im Internet gem. § 3 Abs, 2 BauGB und § 4 Abs. 2 BauGB durchgeführt sowie die Papierunterlagen zur Einsichtnahme an einer leicht zugänglichen Stelle im Rathaus bereit gehalten.

Der Bebauungsplan, bestehend aus Planzeichnung einschließlich Begründung wird ab sofort während der nachfolgenden allgemeinen Dienststunden Gemeindeverwaltung Selters (Taunus), Brunnenstraße 46, 65618 Selters (Taunus), Bauamt: Zimmer 4, zu jedermanns Einsicht bereitgehalten. Über den Inhalt wird auf Verlangen Auskunft gegeben.

Die Dienststunden der Gemeindeverwaltung sind:

Montag bis Freitag

von 8.00 Uhr bis 12.00 Uhr

Donnerstag

von 14.00 Uhr bis 18.00 Uhr

Kontaktdaten:

Benjamin Zabel

Telefon:06483/9122-11

E-Mail: benjamin.zabel@selters-taunus.de

Gemäß § 10a Abs. 2 BauGB wird der Bebauungsplan auf der Internetseite der Gemeinde Selters (www.selters-taunus.de) eingestellt und über das zentrale Internetportal des Landes Hessen zugänglich gemacht.

Auf die Voraussetzungen für die Geltendmachung der Verletzung von Verfahrens- und Formvorschriften und von Mängeln der Abwägung sowie auf die Rechtsfolgen des § 215 Abs. 1 BauGB wird hingewiesen.

Gemäß § 215 Abs. 1 BauGB werden unbeachtlich:

  1. eine nach § 214 Abs. 1 Satz 1 Nr. 1 bis 3 BauGB beachtliche Verletzung der dort bezeichneten Verfahrens- und Formvorschriften,
  2. eine unter Berücksichtigung des § 214 Abs. 2 BauGB beachtliche Verletzung der Vorschriften über das Verhältnis des Bebauungsplanes und des Flächennutzungsplanes und
  3. nach § 214 Abs. 3 Satz 2 BauGB beachtliche Mängel des Abwägungsvorganges

wenn sie nicht innerhalb eines Jahres seit Bekanntmachung des Flächennutzungsplanes oder der Satzung schriftlich gegenüber der Kommune unter Darlegung des die Verletzung begründenden Sachverhalts geltend gemacht wurden.

Es wird ferner gem. § 44 Abs. 5 BauGB darauf hingewiesen, dass:

  • gemäß § 44 Abs. 3 Satz 1 und 2 BauGB:
  • Der Entschädigungsberechtigte kann Entschädigung verlangen, wenn die in den §§ 39 und 42 bezeichneten Vermögensanteile eingetreten sind. Er kann die Fälligkeit des Anspruchs dadurch herbeiführen, dass er die Leistung der Entschädigung schriftlich bei dem Entschädigungspflichtigen beantragt.
  • gemäß § 44 Abs. 4 BauGB:
  • Ein Entschädigungsanspruch erlischt, wenn nicht innerhalb von 3 Jahren nach Ablauf des Kalenderjahres, in dem die in §§ 44 Absatz 3 Satz 1 BauGB bezeichneten Vermögensnachteile eingetreten sind, die Fälligkeit des Anspruches herbeigeführt wird.

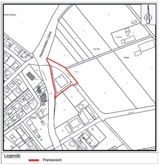
1.

Plangebietsabgrenzung 6. Bebauungsplanänderung „Flur 5 und 6 - Goethestraße 2 a“ Ortsteil Niederselters (ohne Maßstab). Quelle: Ingenieurbüro SLESchönherr.

Die Abgrenzung hat keine Rechtsverbindlichkeit, sondern kennzeichnet nur die Lage des Planungsbereiches.

Folgende Flurstücke sind durch die Planung umfasst: Nr. 109/2, 129/3 und 234/1 in der Flur 5 und das Flurstück 126/4 tlw. in der Flur 14

2.

Ausschnitt aus der Topographischen Karte (ohne Maßstab) zum Überblick der Lage des Planbereichs 6.Bebauungsplanänderung „Flur 5 und 6 - Goethestraße 2 a“ Quelle: www.geoportal-hessen.de

Die Abgrenzung hat keine Rechtsverbindlichkeit, sondern kennzeichnet vielmehr die Lage des Planungsbereiches im Raum.

Es wird bestätigt, dass der Inhalt dieser Satzung mit dem/den hierzu ergangenen Beschluss/Beschlüssen der Gemeindevertretung übereinstimmt und dass die für die Rechtswirksamkeit maßgebenden Verfahrensvorschriften eingehalten wurden.

Selters, den 21.01.2026

Der Gemeindevorstand
der Gemeinde Selters (Taunus)
Benjamin Zabel, Bürgermeister