Titel Logo
Solmser Stadtnachrichten
Ausgabe 14/2024
Amtliche Bekanntmachungen
Zurück zur vorigen Seite
Zurück zur ersten Seite der aktuellen Ausgabe

Bebauungsplan „Westlich Oberndorfer Straße“

Bauleitplanung der Stadt Solms, Stadtteile Burgsolms / Oberndorf

Bebauungsplan „Westlich Oberndorfer Straße“

(Bebauungsplan der Innenentwicklung gemäß § 13a BauGB)

Die Stadtverordnetenversammlung der Stadt Solms hat auf ihrer Sitzung am 20.02.2024 den o.g. Bebauungsplan „Westlich Oberndorfer Straße“ gemäß § 10 Abs. 1 BauGB (Baugesetzbuch) i.V.m. § 5 HGO (Hess. Gemeindeordnung) und § 9 Abs. 4 BauGB i.V.m. § 91 HBO (integrierte Orts- und Gestaltungssatzung) als Satzung beschlossen und die Begründung hierzu gebilligt.

Der Bebauungsplan wurde im beschleunigten Verfahren gemäß § 13a BauGB (Bebauungsplan der Innenentwicklung) aufgestellt.

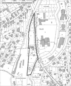
Gemäß § 10 Abs. 3 BauGB tritt der Bebauungsplan mit integrierter Orts- und Gestaltungssatzung mit dieser Bekanntmachung in Kraft. Die Abgrenzung des Geltungsbereiches ist der beiliegenden Übersichtskarte zu entnehmen.

Der Bebauungsplan „Westlich Oberndorfer Straße“ und die Begründung hierzu werden während der Dienststunden in der Stadtverwaltung Solms, Oberndorfer Straße 20, 35606 Solms, Bauamt, Zimmer 4, zu jedermanns Einsicht bereitgehalten. Über den Inhalt wird auf Verlangen Auskunft erteilt (§ 10 Abs.3 Satz 2 BauGB). Gemäß § 10a Abs. 2 BauGB werden die Unterlagen des rechtskräftigen Bebauungsplans mit Begründung ergänzend auf der Internetseite der Stadt Solms unter www.solms.de unter der Rubrik Bauen und Wirtschaft/Bauen/Bebauungspläne eingestellt und über ein zentrales Internetportal des Landes Hessen https://bauleitplanung.hessen.de/ zugänglich gemacht.

Das Verfahren wurde im beschleunigten Verfahren gemäß § 13a BauGB durchgeführt. Gemäß § 13a Abs.2 Nr.1 BauGB i.V.m. § 13 Abs. 3 Satz 1 BauGB ist der Bebauungsplan ohne Durchführung einer Umweltprüfung nach § 2 Abs. 4 BauGB aufgestellt worden, eine zusammenfassende Erklärung gemäß § 10a Abs. 1 BauGB, in der über die Art und Weise, wie die Umweltbelange und die Ergebnisse der Öffentlichkeitsbeteiligung in dem Bebauungsplan berücksichtigt wurden, erfolgt nicht.

Gemäß § 215 Abs. 2 BauGB wird darauf hingewiesen, dass eine nach § 214 Abs. 1 Satz 1 Nr. 1 bis 3 BauGB beachtliche Verletzung der dort bezeichneten Verfahrens- und Formvorschriften, eine unter Berücksichtigung des § 214 Abs. 2 BauGB beachtliche Verletzung der Vorschriften über das Verhältnis des Bebauungsplanes und des Flächennutzungsplanes und nach § 214 Abs. 3 Satz 2 BauGB beachtliche Mängel des Abwägungsvorgangs gemäß § 215 Abs. 1 BauGB unbeachtlich werden, wenn sie nicht innerhalb von einem Jahr seit dieser Bekanntmachung schriftlich gegenüber der Stadt unter Darlegung des die Verletzung begründenden Sachverhalts geltend gemacht worden sind. Dies gilt entsprechend, wenn Fehler nach § 214 Abs. 2a BauGB beachtlich sind.

Auf die Vorschriften der §§ 44 Abs. 3 Satz 1 und 2 sowie Abs. 4 BauGB über die fristgemäße Geltendmachung etwaiger Entschädigungsansprüche für Eingriffe in eine bisher zulässige Nutzung durch diesen Bebauungsplan und über das Erlöschen von Entschädigungsansprüchen wird hingewiesen.

Bauleitplanung der Stadt Solms, Stt. Burgsolms und Oberndorf

Bebauungsplan „Westlich Oberndorfer Straße“

genordet, ohne Maßstab