Titel Logo
Solmser Stadtnachrichten
Ausgabe 40/2023
Amtliche Bekanntmachungen
Zurück zur vorigen Seite
Zurück zur ersten Seite der aktuellen Ausgabe

Bauleitplanung der Stadt Solms, Stadtteile Burgsolms / Oberndorf

Bebauungsplan „Westlich Oberndorfer Straße“

(Bebauungsplan der Innenentwicklung gemäß § 13a BauGB)

Bekanntmachung des Aufstellungsbeschlusses gemäß § 2 Abs. 1 Satz 2 BauGB und der Beteiligung der Öffentlichkeit gemäß § 3 Abs.2 BauGB - Entwurfsoffenlage

(1)

Die Stadtverordnetenversammlung der Stadt Solms hat am 17.11.2020 gemäß § 2 Abs. 1 i.V.m. § 13a BauGB die Aufstellung des Bebauungsplanes „Westlich Oberndorfer Straße“ in den Stadtteilen Burgsolms und Oberndorf im beschleunigten Verfahren als Bebauungsplan der Innenentwicklung gemäß § 13a BauGB beschlossen.

(2)

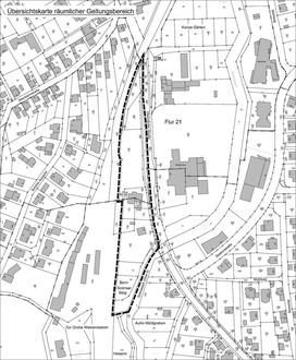
Die Abgrenzung des Geltungsbereiches ist der nachfolgenden Übersichtskarte zu entnehmen und umfasst folgende Flurstücke: Gemarkung Burgsolms Flur 21, Flurstücke 34/7, 34/9-34/13, 35/2, 35/3, 35/5, 36/4, 36/6, 36/7, 36/8, 36/9, 36/10.

Gemarkung Oberndorf Flur 1, Flurstücke 10/2, 10/3, 10/5, 10/6, 11/1, 12/1, 13/1, 14/2, 14/3, 15, 16, 21/1 und 21/2.

Die Flächen liegen westlich der Oberndorfer Straße gegenüber der Stadthalle bzw. der Stadtverwaltung.

(3)

Mit der Aufstellung des Bebauungsplanes soll der nur teilweise bebaute Bereich einer städtebaulich ergänzenden Innenbereichsentwicklung zugeführt werden. Zur Ausweisung gelangt daher ein Urbanes Gebiet i.S.d. § 6a BauNVO im Norden des Plangebietes sowie ein Mischgebiet gemäß § 6 BauNVO m Süden, um auch von der geplanten Nutzungsart flexibel zu bleiben. Die Fläche ist aus dem wirksamen Flächennutzungsplan der Stadt entwickelt. Die Erschließung erfolgt von Osten her über die Oberndorfer Straße. Neben der Ausweisung von Bauflächen werden grünordnerische Maßnahmen im Plangebiet ausgewiesen. Das Plangebiet befindet sich in der Ortslage, so dass ein Bebauungsplan der Innenentwicklung zur Anwendung kommt (§ 13a BauGB).

(4)

Der Aufstellungsbeschluss wird hiermit gemäß § 2 Abs.1 Satz 2 BauGB ortsüblich bekannt gemacht.

(5)

Gemäß § 13a Abs.2 Nr.1 BauGB i.V.m. § 13 Abs. 2 Satz 1 Nr.1 BauGB wird von der frühzeitigen Unterrichtung der Öffentlichkeit und Behörden gemäß § 3 Abs. 1 und § 4 Abs.1 BauGB abgesehen. Der Öffentlichkeit sowie den Behörden und sonstigen Trägern öffentlicher Belange wird Gelegenheit zur Stellungnahme gemäß § 13 Abs. 2 Satz 1 Nr. 2 und 3 BauGB i.V.m. § 3 Abs. 2 und § 4 Abs. 2 BauGB gegeben.

(6)

Gemäß § 13a Abs.2 Nr.1 BauGB i.V.m. § 13 Abs. 3 Satz 1 BauGB wird darauf hingewiesen, dass von der Umweltprüfung nach § 2 Abs. 4 BauGB, von dem Umweltbericht nach § 2a BauGB und von der Angabe nach § 3 Abs. 2 Satz 4 BauGB, welche Arten umweltbezogener Informationen verfügbar sind, abgesehen wird. Das vereinfachte Verfahren ist auch zulässig, da durch den Bebauungsplan kein Vorhaben vorbereitet wird, dass einer Pflicht zur Durchführung einer Umweltverträglichkeitsprüfung nach dem Gesetz über die Umweltverträglichkeitsprüfung oder nach Landesrecht unterliegt.

(7)

In Ausführung des § 3 Abs. 2 BauGB (Beteiligung der Öffentlichkeit) werden die Planunterlagen des Bebauungsplanes (Plankarte, Begründung, Landschaftspflegerischer Fachbeitrag, Artenschutzrechtliche Prüfung und Faunistisches Gutachten) in der Zeit vom

13.10.2023 - 17.11.2023 einschließlich

im Internet unter der Adresse https://www.solms.de/bauen-wirtschaft/bauen/aktuelle-offenlagen-in-bauleitplanverfahren/aktuelle-offenlagen/ sowie über das zentrale Internetportal des Landes Hessen (www.bauleitplanung.hessen.de) eingestellt und können eingesehen und heruntergeladen werden. Zusätzlich zur Veröffentlichung im Internet erfolgt gemäß § 3 Abs.2 Satz 4 Nr.4 BauGB eine öffentliche Auslegung der oben genannten Unterlagen in der Stadtverwaltung Solms, Oberndorfer Straße 20, 35606 Solms, Bauamt, Zimmer 4, während der Dienststunden der Verwaltung, sowie nach Vereinbarung. Jedermann hat in dieser Auslegungsfrist die Gelegenheit zur Information sowie zur Abgabe einer Stellungnahme mit Anregungen und Hinweisen (z.B. schriftlich, zu Protokoll oder per E-Mail).

(8)

Es wird darauf hingewiesen, dass Stellungnahmen elektronisch übermittelt werden sollen, bei Bedarf aber auch auf anderem Weg, zum Beispiel schriftlich, in Textform oder zur Niederschrift, abgegeben werden können. Die elektronische Abgabe der Stellungnahmen ist zum Beispiel unter der E-Mail-Adresse info@fischer-plan.de oder stadtverwaltung@solms.de möglich.

(9)

Gemäß § 4b BauGB wurde das Planungsbüro Fischer aus 35435 Wettenberg mit der Durchführung des Bauleitplanverfahrens nach BauGB beauftragt.

(10)

Gemäß § 3 Abs.2 Satz 4 Nr.3 BauGB wird darauf hingewiesen, dass Stellungnahmen zu dem Bauleitplanverfahren während der Auslegungsfrist abgegeben werden können und das nicht fristgerecht abgegebene Stellungnahmen bei der Beschlussfassung über den Bauleitplan unberücksichtigt bleiben können.

Bauleitplanung der Stadt Solms, Stt. Burgsolms und Oberndorf

Bebauungsplan „Westlich Oberndorfer Straße“

genordet, ohne Maßstab