Titel Logo
Amtsblatt Lollar
Ausgabe 15/2025
Amtliche Bekanntmachungen
Zurück zur vorigen Seite
Zurück zur ersten Seite der aktuellen Ausgabe

Bekanntmachung der FNP-Genehmigung gemäß § 6 Abs. 5 Baugesetzbuch

Bauleitplanung der Stadt Lollar, Stadtteil Lollar

Änderung des Flächennutzungsplanes im Bereich des Bebauungsplanes „Solarpark Auf dem kleinen Sändchen“

Gemäß § 6 BauGB wurde dem Regierungspräsidium in Gießen die von der Stadtverordnetenversammlung der Stadt Lollar am 12.12.2024 festgestellte Änderung des Flächennutzungsplanes in dem Stadtteil Lollar im Bereich des Bebauungsplanes „Solarpark Auf dem kleinen Sändchen“ mit Schreiben vom 06.02.2025, eingegangen beim Regierungspräsidium Gießen am 17.02.2025, zur Genehmigung vorgelegt.

Das Regierungspräsidium Gießen hat die Flächennutzungsplan-Änderung geprüft und mit Schreiben vom 10.03.2025, GZ 1060-31-61-a-0100-01-00081#2022-00001 genehmigt.

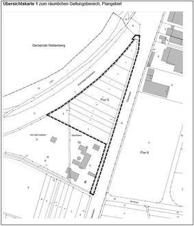
Der Geltungsbereich ist den nachfolgenden Übersichtskarten zu entnehmen.

Die Erteilung der Genehmigung wird hiermit gemäß § 6 Abs.5 Satz 1 BauGB bekannt gemacht, die Änderung des Flächennutzungsplanes wird mit dieser Bekanntmachung wirksam.

Jedermann kann die genehmigte Änderung des Flächennutzungsplanes und die Begründung sowie den Umweltbericht in der Stadtverwaltung Lollar, Holzmühler Weg 76, 35457 Lollar, Bauabteilung, Raum 25 während der allg. Dienststunden der Verwaltung sowie nach Vereinbarung einsehen. Über den Inhalt wird auf Verlangen Auskunft erteilt (§ 6 Abs.5 Satz 3 BauGB).

Gemäß § 6a Abs.1 BauGB wird der Flächennutzungsplan-Änderung eine zusammenfassende Erklärung beigefügt, aus der hervorgeht, über die Art und Weise, wie die Umweltbelange und die Ergebnisse der Öffentlichkeits- und Behördenbeteiligung in dem Flächennutzungsplan berücksichtigt wurden, und aus welchen Gründen der Plan in der Abwägung mit den geprüften, in Betracht kommenden anderweitigen Planungsmöglichkeiten gewählt wurde. Gemäß § 6a Abs.2 BauGB kann die Flächennutzungsplan-Änderung mit Begründung und zusammenfassender Erklärung ergänzend auf der Homepage der Stadtverwaltung unter www.lollar.de/Aktuelles/Bauleitplanungen eingesehen und heruntergeladen sowie über das zentrale Internetportal des Landes Hessen unter https://bauleitplanung.hessen.de/ eingesehen werden.

Gemäß § 215 Abs.2 BauGB wird darauf hingewiesen, dass eine nach § 214 Abs.1 Satz 1 Nr. 1 bis 3 BauGB beachtliche Verletzung der dort bezeichneten Verfahrens- und Formvorschriften, eine unter Berücksichtigung des § 214 Abs.2 BauGB beachtliche Verletzung der Vorschriften über das Verhältnis des Bebauungsplanes und des Flächennutzungsplanes und nach § 214 Abs.3 Satz 2 BauGB beachtliche Mängel des Abwägungsvorgangs gemäß § 215 Abs.1 BauGB unbeachtlich werden, wenn sie nicht innerhalb von einem Jahr seit dieser Bekanntmachung schriftlich gegenüber der Stadt unter Darlegung des die Verletzung begründenden Sachverhalts geltend gemacht worden sind.

Übersichtskarte Plangebiet

Bauleitplanung der Stadt Lollar, Stadtteil Lollar

Änderung des Flächennutzungsplanes im Bereich des Bebauungsplanes „Auf dem kleinen Sändchen“

Lollar, 04.04.2025

Der Magistrat der Stadt Lollar
Jan-Erik Dort, Bürgermeister