Titel Logo
Amtsblatt Lollar
Ausgabe 28/2025
Amtliche Bekanntmachungen
Zurück zur vorigen Seite
Zurück zur ersten Seite der aktuellen Ausgabe

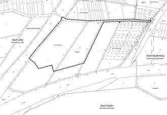
Bauleitplanung der Stadt Lollar, Gemarkung Lollar

genordet ohne Maßstab

Bebauungsplan „Batteriespeicher Auf dem Rußland“ sowie Änderung des Flächennutzungsplanes in diesem Bereich

Bekanntmachung des Aufstellungsbeschlusses gemäß § 2 Abs. 1 Satz 2 BauGB sowie Bekanntmachung der frühzeitigen Beteiligung der Öffentlichkeit gemäß § 3 Abs. 1 BauGB

(1)

Die Stadtverordnetenversammlung der Stadt Lollar hat am 22.05.2025 gemäß § 2 Abs.1 BauGB die Aufstellung des Bebauungsplanes „Batteriespeicher Auf dem Rußland“ sowie die Änderung des Flächennutzungsplanes in diesem Bereich in der Gemarkung Lollar beschlossen.

(2)

Der Geltungsbereich umfasst den auf der beiliegenden Übersichtskarte abgegrenzten Bereich, Flurstücke: 17/2tlw., 18/1tlw., 155/1tlw., 157/1tlw., 159/1tlw., 162/1 und 202 in der Flur 8 in der Gemarkung Lollar. Das Plangebiet grenzt an das Dreieck der Verkehrsachsen Bundesstraße B3 und Bundesautobahn A 480 an.

(3)

Planziel ist die Ausweisung eines Sonstigen Sondergebietes im Sinne § 11 Abs.2 Baunutzungsverordnung (BauNVO) für Anlagen (Batteriespeicher und Umspannwerk), die der Speicherung von Strom dienen. Auf Ebene des Flächennutzungsplanes werden entsprechend Sonderbauflächen (§ 1 Abs.1 Nr.4 BauNVO) dargestellt. Ziel der Planung ist die Errichtung eines Batteriespeichers, um eine nachhaltige Energieversorgung aufzubauen und zu sichern. Neben der Ausweisung von Bauflächen werden grünordnerische Maßnahmen im Plangebiet festgesetzt, um den Eingriff in Natur und Landschaft zu minimieren. Zusätzlich werden zum Entwurf naturschutzrechtliche Ausgleichsflächen und Maßnahmen festgesetzt, um den Eingriff zu kompensieren. Durch das im Norden und Osten angrenzende FFH-Gebiet „Feuchtwiesen bei Daubringen“ ist eine FFH-Verträglichkeitsprognose erforderlich. Die Ziele gelten analog für die Änderung des Flächennutzungsplanes.

(4)

Der Aufstellungsbeschluss für den Bebauungsplan und die FNP-Änderung wird hiermit gemäß § 2 Abs.1 Satz 2 BauGB ortsüblich bekanntgemacht.

(5)

Die Aufstellung des Bebauungsplanes erfolgt im zweistufigen Regelverfahren. Gemäß § 2 Abs. 4 und § 2a BauGB wird eine Umweltprüfung für die Bauleitplanverfahren durchgeführt, in der die voraussichtlich erheblichen Umwelteinwirkungen ermittelt und in einem Umweltbericht beschrieben und bewertet werden. Die Unterrichtung der Öffentlichkeit gemäß § 3 Abs.1 BauGB erfolgt gemäß den Vorgaben des BauGB (Baugesetzbuch) und dient im Hinblick auf die Ermittlung des erforderlichen Umfangs und Detaillierungsgrades der Umweltprüfung nach § 2 Abs.4 BauGB. Der Umweltbericht ist gemäß § 2a BauGB in die Begründung des Bebauungsplanes und der FNP-Änderung zu integrieren.

(6)

Gemäß § 3 Abs.1 BauGB (frühzeitige Beteiligung der Öffentlichkeit) liegt der Planvorentwurf des Bebauungsplanes sowie der Flächennutzungsplan-Änderung einschließlich Begründung und Umweltbericht zu jedermanns Einsicht öffentlich in der Zeit vom

14.07.2025 - 15.08.2025

im Internet unter der Adresse www.lollar.de/aktuelles/bauleitplanungen sowie über das zentrale Internetportal des Landes Hessen (www.bauleitplanung.hessen.de) eingestellt und können eingesehen sowie heruntergeladen werden.

Zusätzlich zur Veröffentlichung im Internet erfolgt gemäß § 3 Abs. 1 BauGB eine öffentliche Auslegung der oben genannten Unterlagen in der Stadtverwaltung Lollar, Holzmühler Weg 76, 35457 Lollar, Bauabteilung, Raum 25, während der Dienststunden der Verwaltung sowie nach Vereinbarung. Jedermann hat in dieser Auslegungsfrist die Gelegenheit zur Information sowie zur Äußerung von Anregungen und Hinweisen (z.B. schriftlich, zu Protokoll oder per E-Mail).

(7)

Die Stellungnahmen können auch per E-Mail (beteiligung@fischer-plan.de) beim Planungsbüro abgegeben werden.

(8)

Gemäß § 4b BauGB hat die Stadt Lollar das Planungsbüro Fischer aus 35435 Wettenberg mit der Durchführung des Verfahrens nach BauGB beauftragt.

Bauleitplanung der Stadt Lollar, Gemarkung Lollar

Bebauungsplan „Batteriespeicher Auf dem Rußland“ sowie Änderung des Flächennutzungsplanes in diesem Bereich

Übersichtskarte zum räumlichen Geltungsbereich

Der Magistrat der Stadt Lollar
Jan-Erik Dort, Bürgermeister