Titel Logo
Amtsblatt Lollar
Ausgabe 33/2025
Amtliche Bekanntmachungen
Zurück zur vorigen Seite
Zurück zur ersten Seite der aktuellen Ausgabe

Bauleitplanung der Stadt Lollar, Stadtteil Ruttershausen

Bebauungsplan Nr. 2.7 "Ober dem Hohlweg / Auf dem Klinkgraben" - 3. Änderung sowie Änderung des Flächennutzungsplanes in diesem Bereich

Bekanntmachung der Beteiligung der Öffentlichkeit gemäß § 3 Abs. 2 BauGB - Entwurfsoffenlage

(1) Die Stadtverordnetenversammlung der Stadt Lollar hat am 14.09.2023 gemäß § 3 Abs. 2 BauGB die Entwurfsoffenlage der 3. Änderung des Bebauungsplanes Nr. 2.7 "Ober dem Hohlweg / Auf dem Klinkgraben" im Stadtteil Ruttershausen beschlossen. Eine Änderung des Flächennutzungsplanes in diesem Bereich erfolgt im Parallelverfahren gemäß § 8 Abs. 3 BauGB.

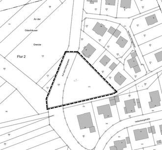
(2) Das Plangebiet liegt am westlichen Ortsrand von Ruttershausen, östlich der Straße Auf dem Klinkgraben. Die Lage und Abgrenzung des Geltungsbereiches des Bebauungsplanes sowie der FNP-Änderung sind der nachfolgenden Übersichtskarte in Abbildung 1 zu entnehmen und beschränkt sich auf die Flurstücke 375 und 376/1 tlw., in der Flur 2 (Gemarkung Ruttershausen).

In der Abbildung 2 wird der räumliche Geltungsbereich der externen Ausgleichsfläche dargestellt. Diese umfasst die Flurstücke 13/2tlw. und 21tlw. in der Flur 9, Gemarkung Lollar. Diese ist nicht Teil der Flächennutzungsplanänderung.

Die Abbildung 3 zeigt die räumliche Verortung des Plangebietes und der externen Ausgleichsfläche auf.

(3) Das Flurstück 375 ist bereits über den Ursprungsbebauungsplan bauplanungsrechtlich gesichert und wird hier als öffentliche Grünfläche mit der Zweckbestimmung Parkanlage ausgewiesen. Ziel der Bebauungsplanänderung ist in diesem Bereich die Ausweisung eines Allgemeinen Wohngebietes i.S.d. § 4 BauNVO, um ergänzend Wohnbauflächen im Siedlungsgefüge zu schaffen. Die Erschließung ist bereits über die Straße Auf dem Klinkgraben im westlichen Bereich gegeben.

Die Planziele gelten analog für die Änderung des Flächennutzungsplanes der Stadt, der die Fläche als eine Grünfläche mit der Zweckbestimmung Parkanlage darstellt. Die Änderung des Flächennutzungsplanes erfolgt im Parallelverfahren gemäß § 8 Abs. 3 BauGB.

(4) Gemäß § 2 Abs. 4 und § 2a BauGB muss eine Umweltprüfung durchgeführt werden, in der die voraussichtlich erheblichen Umwelteinwirkungen ermittelt und in einem Umweltbericht beschrieben und bewertet werden. Der Umweltbericht ist gemäß § 2a BauGB in die Begründung des Bebauungsplanes bzw. der FNP-Änderung zu integrieren. Die bisherige Unterrichtung nach § 3 und § 4 BauGB erfolgte gemäß den Vorgaben des Baugesetzbuches (BauGB) und diente im Hinblick auf die Ermittlung des erforderlichen Umfangs und Detaillierungsgrades der Umweltprüfung nach § 2 Abs. 4 BauGB, die jetzt im Umweltbericht dokumentiert und zusammen mit den umweltrelevanten Stellungnahmen im Internet veröffentlicht und in der Stadtverwaltung ausgelegt werden.

Die Stadtverordnetenversammlung der Stadt Lollar hat am 09.09.2021 gemäß § 2 Abs. 1 i.V.m. § 13a BauGB die Aufstellung des Bebauungsplanes Nr. 2.7 "Ober dem Hohlweg / Auf dem Klinkgraben" - 3. Änderung im Stadtteil Ruttershausen (Bebauungsplan der Innenentwicklung) beschlossen. Das Verfahren wurde mit Beschluss der Stadtverordnetenversammlung der Stadt Lollar vom 14.09.2023 zum Entwurf in ein zweistufiges Regelverfahren mit parallel erfolgender Änderung des Flächennutzungsplanes umgestellt und die bereits erfolgte Beteiligung als frühzeitige Beteiligung i.S.d. § 3 Abs. 1 und § 4 Abs. 1 BauGB angerechnet.

Folgende umweltrelevante Informationen liegen vor:

a)

Umweltbericht mit integriertem landschaftspflegerischem Planungsbeitrag. Der Umweltbericht umfasst neben einem einleitenden Kapitel zu den Inhalten, Zielen und Festsetzungen des Bebauungsplanes, der Einordnung des Plangebietes und den in den einschlägigen Fachgesetzen und Fachplänen festgelegten Zielen des Umweltschutzes, eine Beschreibung und Bewertung der voraussichtlichen erheblichen Umweltauswirkungen der Planung einschließlich der Maßnahmen zu ihrer Vermeidung, Verringerung bzw. ihrem Ausgleich. Die Betrachtung der umweltrelevanten Schutzgüter und Informationen umfasst in § 1 Abs.6 Nr.7a-j BauGB:

  • Boden und Wasser: Charakterisierung von Bodentypen und Bodeneigenschaften, Bodenfunktionsbewertung, Lage Außerhalb von Wasser- oder Trinkwasserschutzgebieten sowie außerhalb von Überschwemmungsgebieten, Bewertung der Planung im Hinblick auf den Eingriff in den Boden- und Wasserhaushalt.
  • Klima und Luft: Auswirkungen des Plangebietes für die Kalt- und Frischluftbildung sowie das Lokal- bzw. Kleinklima.
  • Pflanzen, Biotop- und Nutzungstypen: Bestandsbeschreibung der Biotop- und Nutzungstypen, Eingriffsbewertung.
  • Tiere und artenschutzrechtliche Belange: Bestandsbeschreibung, Verweise auf gesetzliche Regelungen zum Artenschutz.
  • Natura-2000-Gebiete und sonstige Schutzgebiete: Lage außerhalb von Natura 2000-Gebieten oder sonstigen Schutzgebiete. Hinweis auf das nächstgelegene Landschaftsschutzgebiet „Auenverbund Lahn-Ohm“ in rd. 300 m östlicher Entfernung.
  • Biologische Vielfalt: Feststellung keiner erheblichen nachteiligen Wirkungen des Plangebietes für die biologische Vielfalt.
  • Landschaft: Auswirkungen der Planung auf das Landschafts- bzw. Ortsbild.
  • Mensch, Gesundheit und Bevölkerung: Keine zusätzlichen erheblichen negativen Auswirkungen des Plangebietes auf die angrenzenden Nutzungen. Keine erheblichen Konflikte für die menschliche Gesundheit oder die Wohnqualität erkennbar.
  • Kultur- und sonstige Sachgüter: Hinweis auf gesetzliche Regelungen zum Umgang mit Bodendenkmälern.
  • Erhaltung der bestmöglichen Luftqualität: Beeinträchtigungen der bestehenden und zu erhaltenden bestmöglichen Luftqualität im Zuge der Planung ist nicht zu erwarten.

b)

Artenschutzrechtlicher Fachbeitrag (Plan Ö, Stand 09/2024) in Bezug auf Vögel, baumbewohnende Fledermäuse, Reptilien und Maculinea Arten. Aus der Analyse sind als artenschutzrechtlich besonders zu prüfende Vogelarten Feldlerche, Girlitz, Goldammer, Grünfink und Stieglitz hervorgegangen. Potenzielle Quartierbäume für baumbewohnende Fledermäuse, Maculinea-Arten oder artenschutzrechtlich besonders zu prüfende Reptilien wurden nicht nachgewiesen. Das Eintreten der Verbotstatbestände nach § 44 Abs. 1 Nr. 1 BNatSchG, § 44 Abs. 1 Nr. 2 BNatSchG und § 44 Abs. 1 Nr. 3 BNatSchG kann für Feldlerche, Girlitz, Goldammer, Grünfink und Stieglitz ausgeschlossen werden.

c)

Im Rahmen der bisherigen Beteiligung der Öffentlichkeit gemäß § 3 BauGB sowie der Behörden und sonstigen Träger öffentlicher Belange gemäß § 4 BauGB (vor der Verfahrensumstellung als Beteiligung nach § 3 Abs. 2 und § 4 Abs. 2 BauGB i.V.m. § 13a BauGB durchgeführt) sind folgende Stellungnahmen mit umweltrelevanten Informationen eingegangen bzw. umweltrelevante Themen angesprochen worden:

  • EAM Netz Mitte GmbH (07.10.2021): Hinweise zu vorhandenen Gasleitungen.
  • Hess. Gesellschaft für Ornithologie und Naturschutz e.V. (28.11.2021): Hinweise zur Erholungsfunktion und zum vorhandenen Grünland sowie Baumbestand. Hinweise zu fehlenden Ausführungen zum Artenschutz, Hinweise zur Flächeninanspruchnahme, zur Durchgrünung und zur Nutzung von Solarenergie. Hinweise zu Pflanzungen und zum Ausschluss von Schottergärten.
  • Kreisausschuss des LK Gießen, FD Gefahrenabwehr (13.10.2021): Allgemeine Hinweise zum Brandschutz sowie zur Löschwasserversorgung.
  • Kreisausschuss des LK Gießen, FD Naturschutz (25.11.2021): Anregung zum Erhalt bestehender Bäume sowie Hinweis zur Durchführung einer artenschutzrechtlichen Erfassung.
  • Kreisausschuss des LK Gießen, FD Verkehr (16.11.2021): Hinweis auf ausreichenden Ausbau des Erschließungsweges entsprechend den bestehenden Vorschriften und Richtlinien.
  • Kreisausschuss des LK Gießen, FD Wasser und Bodenschutz (11.10.2021) und (28.10.2021): Hinweis auf keine Betroffenheit von Trinkwasser- oder Heilquellenschutzgebieten sowie keine Betroffenheit von oberirdischen Gewässern. Allgemeine Hinweise zur Abwasserbeseitigung und zu bodenschutzrechtlichen Bestimmungen, der Standortbeurteilung für Erdwärmenutzung sowie der Wasserversorgung und Abwasserentsorgung.
  • Landesamt für Denkmalpflege (25.10.2021) und (03.11.2021): Allgemeine Hinweise zum Umgang mit Bodendenkmälern.
  • Regierungspräsidium Darmstadt, Kampfmittelräumdienst (15.11.2021): Kein Hinweis auf Kampfmittel im Plangebiet. Hinweise auf Umgang im Falle eines Vorkommens.
  • Regierungspräsidium Gießen (10.12.2021): Hinweise auf Darstellung und Funktion eines Vorranggebiet Siedlung Bestand sowie Vorbehaltsgebiet für besondere Klimafunktionen im RPM 2010. Lage außerhalb von Wasserschutzgebieten. Hinweis auf Starkregen-Hinweiskarte. Kein Hinweis auf Altlasten im Plangebiet. Hinweis auf Lage im Gebiet eines erloschenen Bergwerksfeldes. Keine Hinweise auf immissionsschutzrechtliche Konflikte oder Betroffenheit von forstlichen Belangen.
  • Zweckverband Lollar-Staufenberg (11.10.2021): Anschlussmöglichkeit an die bestehenden Wasserversorgungsanlagen sowie Abstimmungsbedarf zur Detailplanung von Trinkwasserversorgungs- und Entwässerungsplanung, sowie zu Retentionszisternen. Hinweise zur Berücksichtigung des Gebietes in der SMUSI-Berechnung.
  • Bürger (27.11.2021): Hinweise zur Steuerung der Höhenentwicklung, Abstände von Pflanzungen und zur Leistungsfähigkeit der Abwasserablagen.

Sonstiges: Hinweise der Deutschen Telekom und der Mittelhessen Netz GmbH zu vorhandenen Leitungen.

Die umweltrelevanten Stellungnahmen werden zusammen mit der Umweltprüfung (Umweltbericht), in der die Aspekte der Kompensation und Regelungen nach Bundesnaturschutzgesetz (BNatSchG) und dem Hess. Naturschutzgesetzes behandelt sind, und dem Artenschutzrechtlichen Fachbeitrag ins Internet eingestellt und ergänzend öffentlich ausgelegt.

(5) Gemäß § 3 Abs. 2 BauGB (Beteiligung der Öffentlichkeit) werden die Planunterlagen des Bebauungsplanes und der Flächennutzungsplanänderung (jeweils Plankarte und Begründung) sowie der Umweltbericht und der Artenschutzrechtlicher Fachbeitrag sowie alle vorliegenden Stellungnahmen mit umweltrelevanten Informationen in der Zeit vom

18.08.2025 - 19.09.2025 einschl.

im Internet auf der Homepage der Stadt unter www.lollar.de -> Aktuelles -> Bauleitplanungen veröffentlicht und können ebenfalls über das zentrale Internetportal des Landes Hessen unter https://bauleitplanung.hessen.de/ eingesehen werden. Zusätzlich zur Veröffentlichung im Internet erfolgt gemäß § 3 Abs. 2 Satz 4 Nr. 4 BauGB eine öffentliche Auslegung der oben genannten Unterlagen in der Stadtverwaltung Lollar, Holzmühler Weg 76, 35457 Lollar, Bauamt, Zimmer 26, während der Dienststunden der Verwaltung, sowie nach Vereinbarung.

Während der oben genannten Dauer der Veröffentlichungsfrist können Stellungnahmen abgegeben werden. Es wird darauf hingewiesen, dass Stellungnahmen elektronisch übermittelt werden sollen, bei Bedarf aber auch auf anderem Weg, zum Beispiel schriftlich, in Textform oder zur Niederschrift, abgegeben werden können. Die elektronische Abgabe der Stellungnahmen ist zum Beispiel unter der E-Mail-Adresse beteiligung@fischer-plan.de möglich.

(6) Für die Flächennutzungsplanänderung gilt, dass eine Vereinigung im Sinne des § 4 Abs. 3 Satz 1 Nummer 2 des Umwelt-Rechtsbehelfsgesetzes in einem Rechtsbehelfsverfahren nach § 7 Abs. 2 des Umwelt-Rechtsbehelfsgesetzes gemäß § 7 Abs. 3 Satz 1 des Umwelt-Rechtsbehelfsgesetzes mit allen Einwendungen ausgeschlossen ist, die sie im Rahmen der Auslegungsfrist nicht oder nicht rechtzeitig geltend gemacht hat, aber hätte geltend machen können.

(7) Gemäß § 3 Abs. 2 Satz 4 Nr. 3 BauGB wird darauf hingewiesen, dass nicht fristgerecht abgegebene Stellungnahmen bei der Beschlussfassung über den Bauleitplan unberücksichtigt bleiben können.

(8) Gemäß § 4b BauGB wurde das Planungsbüro Fischer aus 35435 Wettenberg mit der Durchführung des Bauleitplanverfahrens nach BauGB beauftragt.

Bauleitplanung der Stadt Lollar, Stadtteil Ruttershausen

Bebauungsplan Nr. 2.7 "Ober dem Hohlweg / Auf dem Klinkgraben" - 3. Änderung

sowie Änderung des Flächennutzungsplanes in diesem Bereich

Abb. 1: Räumlicher Geltungsbereich des Plangebietes

Abb. 2: Geltungsbereich der externen Ausgleichsfläche (Gemarkung Lollar)

Abb. 3: Überischtskarte zur Verortung der Geltungsbereiche

genordet, ohne Maßstab