Titel Logo
Amtsblatt Lollar
Ausgabe 48/2025
Amtliche Bekanntmachungen
Zurück zur vorigen Seite
Zurück zur ersten Seite der aktuellen Ausgabe

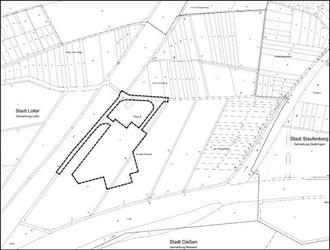
​​​​​​​Bauleitplanung der Stadt Lollar, Gemarkung Lollar

genordet, ohne Maßstab

genordet, ohne Maßstab

Bebauungsplan „Batteriespeicher Auf dem Rußland“ und Änderung des Flächennutzungsplanes in diesem Bereich

Bekanntmachung der Beteiligung der Öffentlichkeit gemäß § 3 Abs. 2 BauGB - Entwurfsoffenlage

(1)

Die Stadtverordnetenversammlung der Stadt Lollar hat am 30.10.2025 gemäß § 3 Abs. 2 BauGB die Entwurfsoffenlage des Bebauungsplanes „Batteriespeicher Auf dem Rußland“ und die Änderung des Flächennutzungsplanes in diesem Bereich in der Gemarkung Lollar beschlossen.

(2)

Die Abgrenzung des Geltungsbereiches ist der beiliegenden Übersichtskarte zu entnehmen und umfasst die Flurstücke 17/6tlw., 18/1tlw., 155/1tlw., 157/1tlw. und 202tlw. in der Flur 8 in der Gemarkung Lollar. Das Plangebiet grenzt an das Dreieck der Verkehrsachsen Bundesstraße B3 und Bundesautobahn A 480 an.

Der naturschutzrechtliche Ausgleich wird über die Durchführung einer Maßnahme, die im Rahmen des Waldgutachtens der Stadt Lollar als Naturwaldentwicklungsfläche „Buchenaltholz“ konzipiert wurde, geleistet und ist nachfolgend in der Plankarte 2 verortet. Der Ausgleich erfolgt auf dem Flurstück 128/50tlw., Flur 1 der Gemarkung Odenhausen/Lahn. Die Fläche befindet sich im Stadtwald nördlich von Lollar am „Stoßkopf“ und dem „Neuen Schlag“, angrenzend am FFH-Gebiet „Krofdorfer Forst“. In der Waldabteilung (308B1) ist als Ausgleichsmaßnahme die Waldnutzung stillgelegt worden.

(3)

Planziel ist die Ausweisung eines Sonstigen Sondergebietes im Sinne § 11 Abs.2 Baunutzungsverordnung (BauNVO) für Anlagen (Batteriespeicher und Umspannwerk), die der Speicherung von Strom dienen. Auf Ebene des Flächennutzungsplanes werden entsprechend Sonderbauflächen (§ 1 Abs.1 Nr.4 BauNVO) dargestellt. Ziel der Planung ist die Errichtung eines Batteriespeichers, um eine nachhaltige Energieversorgung aufzubauen und zu sichern. Neben der Ausweisung von Bauflächen werden grünordnerische Maßnahmen im Plangebiet festgesetzt, um den Eingriff in Natur und Landschaft zu minimieren. Zusätzlich werden zum Entwurf naturschutzrechtliche Ausgleichsflächen und Maßnahmen festgesetzt, um den Eingriff zu kompensieren. Durch das im Norden und Osten angrenzende FFH-Gebiet „Feuchtwiesen bei Daubringen“ ist eine FFH-Verträglichkeitsprognose erforderlich. Die Ziele gelten analog für die Änderung des Flächennutzungsplanes.

(4)

Gemäß § 2 Abs. 4 und § 2a BauGB musste eine Umweltprüfung durchgeführt werden, in der die voraussichtlich erheblichen Umwelteinwirkungen ermittelt und in einem Umweltbericht beschrieben und bewertet werden. Der Umweltbericht und die umweltrelevanten Informationen und Stellungnahmen werden mit öffentlich ausgelegt.

Folgende umweltrelevante Informationen sind verfügbar und liegen ebenfalls öffentlich aus: Umweltbericht mit integriertem landschaftspflegerischem Fachbeitrag und Aussagen zu den umweltrelevanten Schutzgütern gemäß § 1 Abs. 6 Nr.7a-j BauGB u.a. die Schutzgüter Boden und Wasser, Klima und Luft, Tiere und Pflanzen, Biologische Vielfalt, Landschaft, Gebiete gemeinschaftlicher Bedeutung und Europäische Vogelschutzgebiete, Mensch, Gesundheit und Bevölkerung, Kultur- und sonstige Sachgüter sowie Gebiete zur Erhaltung der bestmöglichen Luftqualität.

Ferner umfasst der Umweltbericht Angaben zu Maßnahmen zur Vermeidung, Verringerung und zum Ausgleich der nachteiligen Auswirkungen der Planung, zur Entwicklung des Umweltzustandes bei Durchführung bzw. Nichtdurchführung der Planung, zu den in Betracht kommenden anderweitigen Planungsmöglichkeiten sowie zur Überwachung der Umweltauswirkungen, die aufgrund des Bebauungsplans auftreten können.

Weitere umweltbezogene Informationen liegen vor: Faunistisches Gutachten (Büro Grenz, Stand 07/2025) in Bezug auf Vögel. Aus der Analyse sind in den an das Plangebiet angrenzenden als artenschutzrechtlich besonders zu prüfende Vogelarten wie z.B. Feldlerche, Goldammer, Stieglitz, Star, Neuntöter und der Sumpfrohrsänger hervorgegangen. Im Geltungsbereich selbst wurden keine artenschutzrechtlich besonders zu prüfenden Arten verortet. Dementsprechend sind artenschutzrechtliche Konflikte im Plangebiet nicht zu erwarten.

Im Rahmen der Beteiligungsverfahren gemäß § 3 Abs.1 und § 4 Abs.1 BauGB sind umweltrelevante Stellungnahmen von Behörden und sonstigen Trägern öffentlicher Belange eingegangen. Wesentliche Sachverhalte, die sich auf den Geltungsbereich des Bebauungsplans sowie der Flächennutzungsplanänderung beziehen, werden vorliegend zusammenfassend aufgeführt:

Amt für Bodenmanagement Marburg: Anpassung und Aktualisierung des Katasterbestandes.

Avacon Netz GmbH: Betroffenheit der 110-kV-Hochspannungsfreileitung im Eigentum der Gesellschaft. Hinweise zum Umgang mit der Leitungsinfrastruktur für den Vorhabenträger in der Erschließungsplanung und der Baueinrichtungsphase.

Autobahn GmbH des Bundes: Hinweise zum Verlauf von Fernmeldekabeln im direkten Einflussbereich des geplanten Batteriespeichers. Ausschluss von elektromagnetischen Einflüssen durch die Errichtung des Batteriespeichers auf die vorhandene Leitungsinfrastruktur. Hinweise auf die Bauverbots- und Baubeschränkungszonen entlang der Autobahn A480.

Hessen Mobil, Dillenburg: Äußere verkehrliche Erschließung ist über das örtliche Wirtschaftswegenetz gegeben. Behelfsabfahrt von der Bundesstraße B3 ist für die Baueinrichtungsphase vorgesehen. Hinweise über die Bauverbots- und Baubeschränkungszone (20 Meter bzw. 40 Meter) entlang der Bundesstraße B3. Zugangs- und Zufahrtsverbot aus dem Plangebiet zur freien Strecke der B 3 entlang der Bundesstraße mit der Signatur „Bereich ohne Ein- und Ausfahrt“ ist darzustellen. Blendwirkung auf die Bundesstraße B3 muss ausgeschlossen sein.

HGON (Hessische Gesellschaft für Ornithologie und Naturschutz e.V.) und Nabu Landesverband: Hinweise zu Bodenversiegelungen und Verlust landwirtschaftlicher Nutzfläche. Hinweise zu den FFH-Gebieten „Feuchtwiesen bei Daubringen“ nordöstlich sowie „Hangelstein“ südlich des Geltungsbereiches. Plangebiet befindet sich in einem anthropogen vorgeprägten und durch Lärm, Immissionen und Reifenabrieb belasteten Bereich. Hinweise zu Ausgleichsmaßnahmen und deren Pflege. Anregung zur Umlage des Plangebietes in Richtung Wegeparzelle. Hinweise zu den Bauverbots- und Baubeschränkungszonen entlang B3 und Autobahn A480.

Kreisausschuss des Lahn-Dill-Kreis, Landwirtschaft / Forsten: Kritik an der Standortwahl, da landwirtschaftliche Nutzfläche beeinträchtigt wird. Hinweise zum sparsamen Umgang mit Grund und Boden gem. § 1a BauGB. Hinweise auf Flächen in Gewerbegebieten, versiegelte Flächen oder Konversionsflächen sowie allgemein zur Alternativflächenprüfung. Landwirtschaftliche Flächen bei der Ausweisung von Ausgleichsmaßnahmen schonen.

Kreisausschuss des LK Gießen, FD Brandschutz: Hinweise zur Löschwasserbevorratung für den Vorhabenträger. Anforderungen für die Befestigung von Zufahrten für Feuerwehrfahrzeuge sowie deren Dimensionierung. Positionierung des Löschwasserbeckens.

Kreisausschuss des LK Gießen, FD Naturschutz: Hinweise zur Standortwahl zugunsten des Landschaftsbildes. Gestaltungshinweise zum Vorhaben zur Eingriffsminimierung ins Landschaftsbild. Hinweise zur Ausgestaltung der Flächen für Maßnahmen, zum Schutz, zur Pflege und zur Entwicklung von Boden, Natur und Landschaft. Nähe zum FFH-Gebiet „Feuchtwiesen bei Daubringen“ sowie mögliche Beeinträchtigung (Staubbelastung) während der Bauphase sowie mögliche artenschutzrechtliche Konflikte. Hinweise zur Außenbeleuchtung. Inhaltliche Anregungen zu den Planunterlagen (Begründung, Umweltbericht, Textliche Festsetzungen).

Kreisausschuss des LK Gießen, Untere Denkmalschutzbehörde: Betroffenheit von Bodendenkmälern i.S.d. § 2 Abs. 2 HDSchG kann zum jetzigen Planstand nicht ausgeschlossen werden. Bodenuntersuchungen sind durchzuführen.

Kreisausschuss des Landkreises Gießen, FD Wasser- und Bodenschutz: Wasserschutzgebiete sind nicht betroffen. Löschwasserversorgungssicherheit in der Eigenverantwortung des Erschließungsträgers. Abwassertechnische Erschließung aufgrund Planziels nicht vorgesehen. Verweise auf Fachgesetze (HWG, WHG).

Landesamt für Denkmalpflege Hessen, Archäologie: Hinweise zu Bodendenkmälern und Kulturdenkmäler, Begutachtung des Plangebietes ist durchzuführen.

Landesamt für Denkmalpflege, Bau- und Kunstdenkmalpflege: Hinweise zu Kleindenkmälern im Landkreis Gießen.

Mittelhessen Netz GmbH: Laufendes Konzessionsverfahren für die Stromversorgung in Lollar.

RP Darmstadt, Kampfmittelräumdienst: Es liegen Hinweise vor, dass sich das Plangebiet in einem Bombenabwurfgebiet befindet.

RP Gießen, Obere Landesplanungsbehörde: Allg. Hinweise auf die raumordnerischen Vorgaben für das Plangebiet. Planung ist aktuell nicht an die Ziele der Raumordnung angepasst.

RP Gießen, Grundwasser, Wasserversorgung, Oberirdische Gewässer, Hochwasserschutz: Das Plangebiet liegt nicht im Überschwemmungsgebiet oder innerhalb eines Wasserschutzgebietes

RP Gießen, Nachsorgender und Vorsorgender Bodenschutz: Hinweise zum Bodenschutz.

RP Gießen, Kommunale Abfallwirtschaft, Abfallentsorgungsanlagen: Hinweise zum Umgang mit Abfall und der Abfallentsorgung. Hinweise zum Umgang von Bodenaushubmaterial bei Erdarbeiten und Abrissarbeiten.

RP Gießen, Bergaufsicht: Geltungsbereich liegt im Gebiet eines erloschenen Bergwerksfeldes, Hinweise zum Umgang mit Altbergbau.

RP Gießen, Landwirtschaft: Kritik an der Planung, da landwirtschaftliche Ackerflächen überplant werden. Planung ist nicht an das Vorranggebiet für Landwirtschaft angepasst.

RP Gießen, Obere Naturschutzbehörde: Hinweise auf die Lage des FFH-Gebietes „Hangelstein“ südlich sowie des FFH-Gebietes „Feuchtwiesen bei Daubringen“ nördlich und östlich des Geltungsbereiches.

RP Gießen, Obere Forstbehörde: Hinweise zur Alternativflächenprüfung in der Begründung.

RP Gießen, Bauleitplanung: Hinweise zur Alternativflächenprüfung.

Stadt Lollar, Straßenverkehrsbehörde: Keine Mehrbelastung des örtlichen Verkehrsnetzes zu erwarten.

Stadt Staufenberg: Hinweise zur Erschließung des Plangebietes und Bitte um frühzeitige Abstimmung, sofern die Erschließung über Staufenberger Stadtgebiet erfolgen soll.

Die Stellungnahmen werden zusammen mit der Umweltprüfung (Umweltbericht), in der die Aspekte der Kompensation und Regelungen nach Bundesnaturschutzgesetz (BNatSchG) und dem Hess. Naturschutzgesetz (HeNatG) behandelt sind, den o.a. Umweltinformationen sowie dem Faunistischen Gutachten (07/2025) im Internet veröffentlich und in der Stadtverwaltung öffentlich ausgelegt.

(5)

Gemäß § 3 Abs.2 BauGB (Beteiligung der Öffentlichkeit) werden die Planunterlagen des Bebauungsplanes und der Flächennutzungsplanänderung (Plankarten, Begründungen, Umweltbericht, Artenschutzrechtlicher Fachbeitrag) sowie alle vorliegenden umweltbezogenen Stellungnahmen und umweltbezogenen Informationen in der Zeit vom

01.12.2025 – 16.01.2026

im Internet unter der Adresse www.lollar.de -> Aktuelles -> Bauleitplanungen der Stadt Lollar sowie über das zentrale Internetportal des Landes Hessen (www.bauleitplanung.hessen.de) eingestellt und können eingesehen und heruntergeladen werden. Zusätzlich zur Veröffentlichung im Internet erfolgt gemäß § 3 Abs. 2 Satz 4 Nr.4 BauGB eine öffentliche Auslegung der oben genannten Unterlagen in der Stadtverwaltung Lollar, Holzmühler Weg 76, 35457 Lollar, Bauabteilung, Raum 26, während der Dienststunden der Verwaltung, sowie nach Vereinbarung. Jedermann hat in dieser Auslegungsfrist die Gelegenheit zur Information sowie zur Abgabe einer Stellungnahme mit Anregungen und Hinweisen (z.B. schriftlich, zu Protokoll oder per E-Mail).

(6)

Es wird darauf hingewiesen, dass Stellungnahmen elektronisch übermittelt werden sollen, bei Bedarf aber auch auf anderem Weg, zum Beispiel schriftlich, in Textform oder zur Niederschrift, abgegeben werden können. Die elektronische Abgabe der Stellungnahmen ist zum Beispiel unter der E-Mail-Adresse beteiligung@fischer-plan.de oder rathaus@lollar.info möglich.

(7)

Für die Flächennutzungsplanänderung gilt, dass eine Vereinigung im Sinne des § 4 Abs. 3 Satz 1 Nummer 2 des Umwelt-Rechtsbehelfsgesetzes in einem Rechtsbehelfsverfahren nach § 7 Abs. 2 des Umwelt-Rechtsbehelfsgesetzes gemäß § 7 Abs. 3 Satz 1 des Umwelt-Rechtsbehelfsgesetzes mit allen Einwendungen ausgeschlossen ist, die sie im Rahmen der Auslegungsfrist nicht oder nicht rechtzeitig geltend gemacht hat, aber hätte geltend machen können.

(8)

Gemäß § 3 Abs.2 Satz 4 Nr.3 BauGB wird darauf hingewiesen, dass Stellungnahmen zu dem Bauleitplanverfahren während der Auslegungsfrist abgebeben werden können und das nicht fristgerecht abgegebene Stellungnahmen bei der Beschlussfassung über den Bauleitplan unberücksichtigt bleiben können

(9)

Gemäß § 4b BauGB wurde das Planungsbüro Fischer aus 35435 Wettenberg mit der Durchführung des Bauleitplanverfahrens nach BauGB beauftragt.

Bauleitplanung der Stadt Lollar, Gemarkung Lollar

Bebauungsplan „Batteriespeicher Auf dem Rußland“ sowie Änderung des Flächennutzungsplanes in diesem Bereich

Übersichtskarte des Geltungsbereiches, Plankarte 1 – Bebauungsplan

Bauleitplanung der Stadt Lollar, Gemarkung Lollar

Bebauungsplan „Batteriespeicher Auf dem Rußland“ sowie Änderung des Flächennutzungsplanes in diesem Bereich

Übersichtskarte des Geltungsbereiches, Plankarte 2 – Ausgleichsmaßnahme

Bauleitplanung der Stadt Lollar, Gemarkung Lollar

Bebauungsplan „Batteriespeicher Auf dem Rußland“ sowie Änderung des Flächennutzungsplanes in diesem Bereich

Übersichtskarte der Geltungsbereiche im Stadtgebiet Lollar