Titel Logo
Mitteilungsblatt der Gemeinde Steffenberg
Ausgabe 27/2025
Amtliche Bekanntmachungen
Zurück zur vorigen Seite
Zurück zur ersten Seite der aktuellen Ausgabe

Bauleitplanung des Zweckverbandes Interkommunales Gewerbegebiet Angelburg / Steffenberg

Ortsteil Angelburg-Gönnern und Steffenberg-Niedereisenhausen

Bebauungsplan „Interkommunales Gewerbegebiet“ -
1. Bauabschnitt - 1.Änderung

sowie Änderung des Flächennutzungsplanes in diesem Bereich

Bekanntmachung der Beteiligung der Öffentlichkeit gemäß § 3 Abs.2 BauGB - Entwurfsoffenlage

(1)

Die Verbandsversammlung des Zweckverbandes Interkommunales Gewerbegebiet Angelburg / Steffenberg hat am 06.12.2022 gemäß § 3 Abs.2 BauGB die Entwurfsoffenlage des Bebauungsplanes „Interkommunales Gewerbegebiet“ - 1. Bauabschnitt - 1.Änderung in den Ortsteilen Angelburg-Gönnern und Steffenberg-Niedereisenhausen sowie Änderung des Flächennutzungsplanes der Gemeinden Angelburg und Steffenberg in diesem Bereich beschlossen.

(2)

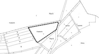
Die Abgrenzung des räumlichen Geltungsbereiches des Bebauungsplanes ist der nachfolgenden Übersichtskarte 1 zu entnehmen. Betroffen sind die Flurstücke 155/4, 156, 156/1, 157-160, 162-166 in der Flur 2 (Gemarkung Gönnern) sowie die Flurstücke 160/6, 281/10, 371/2, 375tlw., 376-378 in der Flur 16 Gemarkung Niedereisenhausen. Hinzu kommt die externe Ausgleichsfläche für den Artenschutz in der Gemarkung Niedereisenhausen Flur 6, Flurstück 32 (Übersichtskarte 2).

(3)

Ziel der Planung ist die Umwandlung der bisherigen Ausweisung eines Industriegebietes gemäß § 9 BauNVO in ein Gewerbegebiet i.S.d. § 8 BauNVO, einer Fläche für den Gemeinbedarf mit der Zweckbestimmung Kirchen und kirchlichen Zwecken dienende Einrichtungen und Gebäude i.S.d. § 9 Abs.1 Nr.5 BauGB sowie eine Sondergebiet Zweckbestimmung Senioreneinrichtungen gemäß § 11 Abs.2 BauNVO. Neben den gewerblichen Nutzungen sollen in den Gebieten auch Gebäude und Einrichtungen für kirchliche, medizinische, therapeutische und pflegerische Zwecke ermöglicht werden, die bisher nicht oder nur ausnahmsweise zulässig waren. Das Gebiet ist bereits im Flächennutzungsplan als gewerbliche Baufläche dargestellt und muss in Teilbereichen angepasst werden. Die textlichen Festsetzungen werden auf die aktuellen gesetzlichen Grundlagen und auf das Planziel ausgerichtet, der Flächennutzungsplan wird im Parallelverfahren geändert.

(4)

Gemäß § 2 Abs. 4 und § 2a BauGB musste eine Umweltprüfung durchgeführt werden, in der die voraussichtlich erheblichen Umwelteinwirkungen ermittelt und in einem Umweltbericht beschrieben und bewertet werden. Der Umweltbericht und die umweltrelevanten Informationen und Stellungnahmen werden mit öffentlich ausgelegt.

Folgende umweltrelevante Informationen sind verfügbar und liegen ebenfalls öffentlich aus: Umweltbericht mit integriertem landschaftspflegerischem Fachbeitrag und Aussagen zu den umweltrelevanten Schutzgütern gemäß § 1 Abs. 6 Nr.7a-j BauGB u.a. die Schutzgüter Boden und Wasser, Klima und Luft, Tiere und Pflanzen, Biologische Vielfalt, Landschaft, Gebiete gemeinschaftlicher Bedeutung und Europäische Vogelschutzgebiete, Mensch, Gesundheit und Bevölkerung, Kultur- und sonstige Sachgüter sowie Gebiete zur Erhaltung der bestmöglichen Luftqualität.

Ferner umfasst der Umweltbericht Angaben zu Maßnahmen zur Vermeidung, Verringerung und zum Ausgleich der nachteiligen Auswirkungen der Planung, zur Entwicklung des Umweltzustandes bei Durchführung bzw. Nichtdurchführung der Planung, zu den in Betracht kommenden anderweitigen Planungsmöglichkeiten sowie zur Überwachung der Umweltauswirkungen, die aufgrund des Bebauungsplans auftreten können.

Weitere umweltbezogene Informationen liegen vor: Artenschutzrechtlicher Fachbeitrag (PlanÖ v. 04/2025) in Bezug auf Vögel, Reptilien und Maculinea-Arten (Schmetterlinge).

Im Rahmen der Beteiligungsverfahren gemäß § 3 Abs.1 und § 4 Abs.1 BauGB sind umweltrelevante Stellungnahmen von Behörden und sonstigen Trägern öffentlicher Belange eingegangen. Wesentliche Sachverhalte, die sich auf den Geltungsbereich des Bebauungsplans sowie der Flächennutzungsplanänderung beziehen, werden vorliegend zusammenfassend aufgeführt:

Deutsche Telekom (Schutzgüter Mensch, Gesundheit und Bevölkerung, sonstige Sachgüter): Hinweise zu Telekommunikationsanlagen und dem Umgang im Rahmen der Erschließungsplanung.

Gemeinde Breidenbach (Schutzgüter Mensch, Gesundheit und Bevölkerung, sonstige Sachgüter): Hinweise zur Planung eines ärztlichen Versorgungsangebotes in Breidenbach und auf eine mögliche Konkurrenzsituationen.

Hessen Mobil, Straßen- und Verkehrsmanagement (Schutzgüter Wasser, Pflanzen, Mensch, Gesundheit und sonstige Schutzgüter): Hinweise zu möglichen Emissionen, die von der Landesstraße ausgehen können. Weitere Hinweise zur Bauverbots- und Baubeschränkungszone, zum Oberflächenwasser, zu Pflanzungen und zu Solar- und Photovoltaikanlagen.

Kreisausschuss des Landkreises Marburg-Biedenkopf, Bauen, Naturschutz (Schutzgüter Klima und Luft, Tiere und Pflanzen, Biologische Vielfalt, Landschaft, Gebiete gemeinschaftlicher Bedeutung und Europäische Vogelschutzgebiete, Mensch, Gesundheit und Bevölkerung): Hinweise zum Ausgleich und zu angrenzenden Kompensationsflächen (geschützte LRT-Flächen und Feuchtwiese), zu Versickerungsmulden und zu Anpflanzungen.

Kreisausschuss des Landkreises Marburg-Biedenkopf, Wasser- und Bodenschutz (Schutzgüter Klima und Luft, Boden und Wasser, Tiere und Pflanzen, Biologische Vielfalt, Landschaft, Gebiete gemeinschaftlicher Bedeutung und Europäische Vogelschutzgebiete, Mensch, Gesundheit und Bevölkerung): Hinweis auf die Lage außerhalb eines Trinkwasserschutzgebietes, zu den betroffenen Gewässern im Plangebiet, zum Gewässerabstand, zum angrenzenden Überschwemmungsgebiet und zum Einzugsbereich der Kläranlage.

Kreisausschuss des Landkreises Marburg-Biedenkopf, FB Ländlicher Raum (Schutzgüter Tiere und Pflanzen, Biologische Vielfalt, Landschaft): Hinweise zu Solar- und Photovoltaikanlagen und zu den Ausgleichsflächen und mögliche Auswirkungen auf die Agrarstruktur.

Kreisausschuss des Landkreises Marburg-Biedenkopf, FB Gefahrenabwehr (Schutzgüter Mensch, Gesundheit und Bevölkerung, sonstige Sachgüter): Hinweise zum Brandschutz und zur Gefahrenabwehr.

RP Darmstadt Kampfmittelräumdienst (Schutzgut: Boden)

Keine Hinweise auf Kampfmittel im Plangebiet.

RP Gießen, Obere Landesplanungsbehörde (Schutzgüter: Boden, Wasser, Luft, Klima, Landschaft): Hinweise auf Darstellung als VRG Industrie und Gewerbe (Planung) und auf mögliche Alternativen.

RP Gießen, Grundwasserschutz, Wasserversorgung (Schutzgüter: Boden und Wasser): Hinweis auf Lage des Plangebietes außerhalb eines Trinkwasserschutzgebietes.

Regierungspräsidium Gießen, Oberirdische Gewässer, Hochwasserschutz (Schutzgüter: Boden, Wasser, Luft, Mensch, Gesundheit und Bevölkerung): Allgemeine Hinweise zum Thema Starkregen und zu Starkregenereignissen, Fließpfade und zum im Plangebiet verlaufenden Graben.

Regierungspräsidium Gießen, Oberirdische Gewässer, Kommunales Abwasser, Gewässergüte (Schutzgüter: Boden, Wasser, Luft, Mensch, Gesundheit und Bevölkerung): Hinweise zum Trennsystem und zur Ableitung des Niederschlagswassers.

Regierungspräsidium Gießen, Nachsorgender Bodenschutz Schutzgüter: Boden, Wasser, Luft, Mensch, Gesundheit und Bevölkerung): Im Plangebiet sind keine Altlasten bekannt. Hinweise auf Umgang im Falle eines Auftretens von Altlasten.

RP Gießen, Vorsorgender Bodenschutz (Schutzgüter: Boden, Wasser und Luft): Hinweise zum vorsorgenden Bodenschutz, Hinweise zu Bodenfunktionen und Formeln zum Ableiten des Bodeneingriffs.

RP Gießen, Kommunale Abfallentsorgung, Abfallentsorgungsanlagen (Schutzgüter: Mensch, Tiere, Gesundheit und Bevölkerung): Hinweise zum Umgang mit Abfall und der Abfallentsorgung. Hinweise zum Umgang von Bodenaushubmaterial bei Erdarbeiten.

RP Gießen, Immissionsschutz II (Mensch, Tiere, Gesundheit und Bevölkerung): Keine Hinweise.

RP Gießen, Bergaufsicht (Schutzgüter: Boden, Wasser, Landschaft, Mensch, Kultur- und sonstigen Sachgütern): Hinweis auf Lage des Plangebietes im Gebiet eines Bergwerksfeldes.

RP Gießen, Landwirtschaft (Schutzgüter: Tiere und Pflanzen, Biologische Vielfalt, Landschaft, Boden und Wasser, Landschaft): Hinweise auf die Inanspruchnahme von landwirtschaftlichen Flächen, speziell für die anstehenden Ausgleichsmaßnahmen.

RP Gießen, Obere Naturschutzbehörde (Schutzgüter Boden und Wasser, Klima und Luft, Biologische Vielfalt, Landschaftsbild, Gebiete gemeinschaftlicher Bedeutung und Mensch, Gesundheit und Bevölkerung, Gebiete zur Erhaltung der bestmöglichen Luftqualität): Hinweise, dass keine Landschaftsschutzgebiete und Naturschutzgebiete betroffen sind.

RP Gießen, Bauleitplanung (Schutzgüter: Boden, Wasser, Landschaft, Mensch, Kultur- und sonstigen Sachgütern): Hinweise zum Standort und zur Art der Nutzung.

Die Stellungnahmen werden zusammen mit der Umweltprüfung (Umweltbericht), in der die Aspekte der Kompensation und Regelungen nach Bundesnaturschutzgesetz (BNatSchG) und dem Hess. Naturschutzgesetz (HeNatG) behandelt sind, und den o.a. Umweltinformationen mit dem Artenschutzrechtlichen Fachbeitrag (PlanÖ 04/2025) öffentlich ausgelegt.

(5)

Gemäß § 3 Abs.2 BauGB (Beteiligung der Öffentlichkeit) werden die Planunterlagen des Bebauungsplanes und Flächennutzungsplanänderung (Begründung, Umweltbericht, Artenschutzrechtlicher Fachbeitrag) sowie alle vorliegenden umweltbezogenen Stellungnahmen und Informationen in der Zeit vom

09.07.2025 - 15.08.2025 einschließlich

im Internet auf der Homepage www.steffenberg.de unter der Rubrik Rathaus, Politik und Bürgerservice / Amtliche Bekanntmachung sowie über das zentrale Internetportal des Landes Hessen (www.bauleitplanung.hessen.de) eingestellt und können eingesehen und heruntergeladen werden.

Zusätzlich zur Veröffentlichung im Internet erfolgt gemäß § 3 Abs.2 Satz 4 Nr.4 BauGB eine öffentliche Auslegung der oben genannten Unterlagen in der Gemeindeverwaltung der Gemeinde Steffenberg, Rathaus OT. Niedereisenhausen Bauhofstr. 1, Zimmer Nr. 3 (Bauverwaltung), 35239 Steffenberg, während der Dienststunden der Verwaltung, sowie nach Vereinbarung. Jedermann hat in dieser Auslegungsfrist die Gelegenheit zur Information sowie zur Abgabe einer Stellungnahme mit Anregungen und Hinweisen (z.B. schriftlich, zu Protokoll oder per E-Mail).

(6)

Es wird darauf hingewiesen, dass Stellungnahmen elektronisch übermittelt werden sollen, bei Bedarf aber auch auf anderem Weg, zum Beispiel schriftlich, in Textform oder zur Niederschrift, abgegeben werden können. Die elektronische Abgabe der Stellungnahmen ist zum Beispiel unter der E-Mail-Adresse beteiligung@fischer-plan.de oder gemeindeverwaltung@steffenberg.de möglich.

(7)

Für die Flächennutzungsplanänderung gilt, dass eine Vereinigung im Sinne des § 4 Abs. 3 Satz 1 Nummer 2 des Umwelt-Rechtsbehelfsgesetzes in einem Rechtsbehelfsverfahren nach § 7 Abs. 2 des Umwelt-Rechtsbehelfsgesetzes gemäß § 7 Abs. 3 Satz 1 des Umwelt-Rechtsbehelfsgesetzes mit allen Einwendungen ausgeschlossen ist, die sie im Rahmen der Auslegungsfrist nicht oder nicht rechtzeitig geltend gemacht hat, aber hätte geltend machen können.

(8)

Gemäß § 3 Abs.2 Satz 4 Nr.3 BauGB und § 4a Abs.5 BauGB wird darauf hingewiesen, dass Stellungnahmen zu dem Bauleitplanverfahren während der Auslegungsfrist abgebeben werden können und das nicht fristgerecht abgegebene Stellungnahmen bei der Beschlussfassung über den Bauleitplan unberücksichtigt bleiben können

(9)

Gemäß § 4b BauGB wurde das Planungsbüro Fischer aus 35435 Wettenberg vom Zweckverband mit der Durchführung des Bauleitplanverfahrens nach BauGB beauftragt.

Bauleitplanung des Zweckverbandes Interkommunales Gewerbegebiet Angelburg / Steffenberg

Ortsteil Angelburg-Gönnern und Steffenberg-Niedereisenhausen

Bebauungsplan „Interkommunales Gewerbegebiet“ - 1. Bauabschnitt - 1.Änderung

sowie Änderung des Flächennutzungsplanes in diesem Bereich

Plankarte 1 - Plangebiet

Ausschnitt genordet, ohne Maßstab

Plankarte 2 - Ausgleichsfläche, Gemarkung Niedereisenhausen Flur 6, Flurstück 32

Ausschnitt genordet, ohne Maßstab