Titel Logo
Mitteilungsblatt der Gemeinde Steffenberg
Ausgabe 50/2025
Amtliche Bekanntmachungen
Zurück zur vorigen Seite
Zurück zur ersten Seite der aktuellen Ausgabe

Bauleitplanung des Zweckverbandes Interkommunales Gewerbegebiet Angelburg / Steffenberg

Ortsteil Angelburg-Gönnern und Steffenberg-Niedereisenhausen

Bebauungsplan „Interkommunales Gewerbegebiet“ - 1. Bauabschnitt - 1.Änderung sowie Änderung des Flächennutzungsplanes in diesem Bereich

Erneute eingeschränkte Beteiligung der Öffentlichkeit gemäß § 3 Abs. 2 BauGB in Verbindung mit § 4a Abs. 3 Baugesetzbuch (BauGB)

(1)

Die Verbandsversammlung des Zweckverbandes Interkommunales Gewerbegebiet Angelburg / Steffenberg hat am 06.12.2022 gemäß § 3 Abs. 2 BauGB die Entwurfsoffenlage des Bebauungsplanes „Interkommunales Gewerbegebiet“ - 1. Bauabschnitt - 1.Änderung in den Ortsteilen Angelburg-Gönnern und Steffenberg-Niedereisenhausen sowie Änderung des Flächennutzungsplanes der Gemeinden Angelburg und Steffenberg in diesem Bereich beschlossen. Der Entwurf des Bebauungsplanes wurde gemäß § 3 Abs. 2 BauGB i.V.m. § 4 Abs. 2 BauGB vom 09.07.2025 - 15.08.2025 im Internet veröffentlicht und zusätzlich in der Verwaltung ausgelegt. Im Rahmen der Entwurfsoffenlage kamen seitens der Oberen Landesplanungsbehörde (Dez. 31) Einwände hinsichtlich der Anpassung der Planung an die Ziele der Raumordnung. Die Änderungen lauten:

a.

Ausführliche Auseinandersetzung mit alternativen Standorten.

b.

Darüber hinaus wurde die geforderte Immissionsprognose erstellt und in den Entwurf 2.Offenlage eingearbeitet und Emissionskontingente für das Gewerbegebiet festgelegt.

c.

Auch externe Ausgleichsflächen für den Artenschutz wurden neu mit in die Planung aufgenommen (Plankarte 3) aufgenommen.

Durch diese Änderungen werden die Grundzüge der Planung berührt, sodass eine erneute Entwurfsoffenlage gemäß § 4 Abs. 2 BauGB und § 3 Abs. 2 BauGB i.V.m. § 4a Abs. 3 BauGB erfolgt. Die Dauer der Beteiligung wird auf zwei Wochen verkürzt (§ 4a Abs. 3 Satz 3 BauGB). Es wird in Bezug auf die o.g. Änderungen oder Ergänzungen und ihre möglichen Auswirkungen Gelegenheit zur Stellungnahme nur zu den unter (1) a-c. aufgeführten Punkten gegeben (§ 4a Abs. 3 Satz 2 BauGB).

(2)

Die Abgrenzung des räumlichen Geltungsbereiches des Bebauungsplanes und FNP-Änderung ist der nachfolgenden Plankarte 1 zu entnehmen. Betroffen sind die Flurstücke 155/4, 156, 156/1, 157-160, 162-166 in der Flur 2 (Gemarkung Gönnern) sowie die Flurstücke 160/6, 281/10, 371/2, 375tlw., 376-378 in der Flur 16 Gemarkung Niedereisenhausen. Hinzu kommt die externe Ausgleichsfläche für den Artenschutz in der Gemarkung Niedereisenhausen Flur 6, Flurstück 32 (Plankarte 2) sowie in der Gemarkung Gönnern Flur 2, Flurstücke 63/4, 63/6 und 87 (Plankarte 3).

(3)

Ziel der Planung ist die Umwandlung der bisherigen Ausweisung eines Industriegebietes gemäß § 9 BauNVO in ein Gewerbegebiet i.S.d. § 8 BauNVO, einer Fläche für den Gemeinbedarf mit der Zweckbestimmung Kirchen und kirchlichen Zwecken dienende Einrichtungen und Gebäude i.S.d. § 9 Abs. 1 Nr.5 BauGB sowie ein Sondergebiet Zweckbestimmung Senioreneinrichtungen mit Dienstleistungen der Gesundheitsbranche gemäß § 11 Abs. 2 BauNVO. Neben den gewerblichen Nutzungen sollen in den Gebieten auch Gebäude und Einrichtungen für kirchliche, medizinische, therapeutische und pflegerische Zwecke ermöglicht werden, die bisher nicht oder nur ausnahmsweise zulässig waren. Das Gebiet ist bereits im Flächennutzungsplan als gewerbliche Baufläche dargestellt und muss in Teilbereichen angepasst werden. Die textlichen Festsetzungen werden auf die aktuellen gesetzlichen Grundlagen und auf das Planziel ausgerichtet, der Flächennutzungsplan wird im Parallelverfahren geändert.

(4)

Gemäß § 2 Abs. 4 und § 2a BauGB musste eine Umweltprüfung durchgeführt werden, in der die voraussichtlich erheblichen Umwelteinwirkungen ermittelt und in einem Umweltbericht beschrieben und bewertet werden. Der Umweltbericht und die umweltrelevanten Informationen und Stellungnahmen werden mit öffentlich ausgelegt.

Folgende umweltrelevante Informationen sind verfügbar und liegen ebenfalls öffentlich aus: Umweltbericht mit integriertem landschaftspflegerischem Fachbeitrag und Aussagen zu den umweltrelevanten Schutzgütern gemäß § 1 Abs. 6 Nr.7a-j BauGB u.a. die Schutzgüter Boden und Wasser, Klima und Luft, Tiere und Pflanzen, Biologische Vielfalt, Landschaft, Gebiete gemeinschaftlicher Bedeutung und Europäische Vogelschutzgebiete, Mensch, Gesundheit und Bevölkerung, Kultur- und sonstige Sachgüter sowie Gebiete zur Erhaltung der bestmöglichen Luftqualität.

Ferner umfasst der Umweltbericht Angaben zu Maßnahmen zur Vermeidung, Verringerung und zum Ausgleich der nachteiligen Auswirkungen der Planung, zur Entwicklung des Umweltzustandes bei Durchführung bzw. Nichtdurchführung der Planung, zu den in Betracht kommenden anderweitigen Planungsmöglichkeiten sowie zur Überwachung der Umweltauswirkungen, die aufgrund des Bebauungsplans auftreten können.

Weitere umweltbezogene Informationen liegen vor:

  1. Artenschutzrechtlicher Fachbeitrag (PlanÖ v. 04/2025) in Bezug auf Vögel, Reptilien und Maculinea-Arten (Schmetterlinge).
  2. Immissionsprognose Nr. 5960-2, Schalltechnisches Büro Pfeifer vom 10.11.2025.

Im Rahmen der Beteiligungsverfahren gemäß § 3 Abs. 1 und 2 sowie § 4 Abs. 1 und 2 BauGB sind umweltrelevante Stellungnahmen von Behörden und sonstigen Trägern öffentlicher Belange eingegangen. Wesentliche Sachverhalte, die sich auf den Geltungsbereich des Bebauungsplans sowie der Flächennutzungsplanänderung beziehen, werden vorliegend zusammenfassend aufgeführt:

Deutsche Telekom (Schutzgüter Mensch, Gesundheit und Bevölkerung, sonstige Sachgüter): Hinweise zu Telekommunikationsanlagen und dem Umgang im Rahmen der Erschließungsplanung.

EAM Netz (Schutzgüter Mensch, Gesundheit und Bevölkerung, sonstige Sachgüter): Hinweise zu Versorgungsanlagen und dem Umgang im Rahmen der Erschließungsplanung.

Gemeinde Breidenbach (Schutzgüter Mensch, Gesundheit und Bevölkerung, sonstige Sachgüter): Hinweise zur Planung eines ärztlichen Versorgungsangebotes in Breidenbach und auf eine mögliche Konkurrenzsituationen.

Handwerkskammer Kassel (Schutzgüter Mensch, Gesundheit und Bevölkerung, sonstige Sachgüter): Hinweise zur Planung und zu möglichen immissionsschutzrechtlichen Konflikten zw. Gewerbe und Wohnen, die durch ein Gutachten zu überprüfen sind.

Hessen Mobil, Straßen- und Verkehrsmanagement (Schutzgüter Wasser, Pflanzen, Mensch, Gesundheit und sonstige Schutzgüter): Hinweise zu möglichen Emissionen, die von der Landesstraße ausgehen können. Weitere Hinweise zur Bauverbots- und Baubeschränkungszone, zum Oberflächenwasser, zu Pflanzungen und zu Solar- und Photovoltaikanlagen.

IHK (Schutzgüter Mensch, Gesundheit und Bevölkerung, sonstige Sachgüter): Hinweise zur Planung und zu möglichen immissionsschutzrechtlichen Konflikten zw. Gewerbe und Wohnen, die durch ein Gutachten zu überprüfen sind. Hinweise auf die Erforderlichkeit von Gewerbeflächen im Allgemeinen.

Kreisausschuss des Landkreises Marburg-Biedenkopf, Bauen, Naturschutz (Schutzgüter Klima und Luft, Tiere und Pflanzen, Biologische Vielfalt, Landschaft, Gebiete gemeinschaftlicher Bedeutung und Europäische Vogelschutzgebiete, Mensch, Gesundheit und Bevölkerung): Hinweise zum Ausgleich und zu angrenzenden Kompensationsflächen (geschützte LRT-Flächen und Feuchtwiese), zu speziellen Pflanzenarten, zu Versickerungsmulden, zu Anpflanzungen und zu den zu verwendeten Arten für die Anpflanzungen. Weitere Hinweise zum Artenschutz (Feldlerche und Rebhuhn).

Kreisausschuss des Landkreises Marburg-Biedenkopf, Bauen, Wasser- und Bodenschutz (Schutzgüter Klima und Luft, Boden und Wasser, Tiere und Pflanzen, Biologische Vielfalt, Landschaft, Gebiete gemeinschaftlicher Bedeutung und Europäische Vogelschutzgebiete, Mensch, Gesundheit und Bevölkerung): Hinweise zur Höhe des Gebäudes. Hinweis auf die Lage außerhalb eines Trinkwasserschutzgebietes, zu den betroffenen Gewässern im Plangebiet, zum Gewässerabstand, zum angrenzenden Überschwemmungsgebiet und zum Einzugsbereich der Kläranlage.

Kreisausschuss des Landkreises Marburg-Biedenkopf, FB Ländlicher Raum (Schutzgüter Tiere und Pflanzen, Biologische Vielfalt, Landschaft): Hinweise zu Solar- und Photovoltaikanlagen und zu den Ausgleichsflächen und mögliche Auswirkungen auf die Agrarstruktur.

Kreisausschuss des Landkreises Marburg-Biedenkopf, FB Kreisentwicklung und Klimaschutz, Wirtschaftsförderung (Schutzgüter Mensch, Gesundheit und Bevölkerung, sonstige Sachgüter): Hinweise zum Radverkehrentwicklungsplan und Hinweise zu den Entwicklungsperspektiven für ansässige und neue Unternehmen.

Kreisausschuss des Landkreises Marburg-Biedenkopf, FB Gefahrenabwehr (Schutzgüter Mensch, Gesundheit und Bevölkerung, sonstige Sachgüter): Hinweise zur Gefahrenabwehr.

RP Darmstadt Kampfmittelräumdienst (Schutzgut: Boden)

Keine Hinweise auf Kampfmittel im Plangebiet.

RP Gießen, Obere Landesplanungsbehörde (Schutzgüter: Boden, Wasser, Luft, Klima, Landschaft): Hinweise auf Darstellung als VRG Industrie und Gewerbe (Planung) und auf mögliche Alternativen und Baulücken. Hinweise zur Sondergebietsnutzung und zu den Ausgleichsflächen

RP Gießen, Grundwasserschutz, Wasserversorgung (Schutzgüter: Boden und Wasser): Hinweis auf Lage des Plangebietes außerhalb eines Trinkwasserschutzgebietes.

Regierungspräsidium Gießen, Oberirdische Gewässer, Hochwasserschutz (Schutzgüter: Boden, Wasser, Luft, Mensch, Gesundheit und Bevölkerung): Allgemeine Hinweise zum Thema Starkregen und zu Starkregenereignissen, Fließpfade und zum im Plangebiet verlaufenden Graben und dessen Verlegung.

Regierungspräsidium Gießen, Oberirdische Gewässer, Kommunales Abwasser, Gewässergüte (Schutzgüter: Boden, Wasser, Luft, Mensch, Gesundheit und Bevölkerung): Hinweise zum Trennsystem und zur Ableitung des Niederschlagswassers.

Regierungspräsidium Gießen, Nachsorgender Bodenschutz Schutzgüter: Boden, Wasser, Luft, Mensch, Gesundheit und Bevölkerung): Im Plangebiet sind keine Altlasten bekannt. Hinweise auf Umgang im Falle eines Auftretens von Altlasten.

RP Gießen, Vorsorgender Bodenschutz (Schutzgüter: Boden, Wasser und Luft): Hinweise zum vorsorgenden Bodenschutz, Hinweise zu Bodenfunktionen und Formeln zum Ableiten des Bodeneingriffs.

RP Gießen, Kommunale Abfallentsorgung, Abfallentsorgungsanlagen (Schutzgüter: Mensch, Tiere, Gesundheit und Bevölkerung): Hinweise zum Umgang mit Abfall und der Abfallentsorgung. Hinweise zum Umgang von Bodenaushubmaterial bei Erdarbeiten.

RP Gießen, Immissionsschutz II (Mensch, Tiere, Gesundheit und Bevölkerung): Hinweise zur Ausarbeitung einer schalltechnischen Immissionsprognose.

RP Gießen, Bergaufsicht (Schutzgüter: Boden, Wasser, Landschaft, Mensch, Kultur- und sonstigen Sachgütern): Hinweis auf Lage des Plangebietes im Gebiet eines Bergwerksfeldes.

RP Gießen, Landwirtschaft (Schutzgüter: Tiere und Pflanzen, Biologische Vielfalt, Landschaft, Boden und Wasser, Landschaft): Hinweise auf die Inanspruchnahme von landwirtschaftlichen Flächen, speziell für die anstehenden Ausgleichsmaßnahmen.

RP Gießen, Obere Naturschutzbehörde (Schutzgüter Boden und Wasser, Klima und Luft, Biologische Vielfalt, Landschaftsbild, Gebiete gemeinschaftlicher Bedeutung und Mensch, Gesundheit und Bevölkerung, Gebiete zur Erhaltung der bestmöglichen Luftqualität): Hinweise, dass keine Landschaftsschutzgebiete und Naturschutzgebiete betroffen sind.

RP Gießen, Bauleitplanung (Schutzgüter: Boden, Wasser, Landschaft, Mensch, Kultur- und sonstigen Sachgütern): Hinweise zum Standort und zur Art der Nutzung. Hinweise auf Darstellung als VRG Industrie und Gewerbe (Planung) und auf mögliche Alternativen und Baulücken. Hinweise zur Sondergebietsnutzung.

Die Stellungnahmen werden zusammen mit der Umweltprüfung (Umweltbericht), in der die Aspekte der Kompensation und Regelungen nach Bundesnaturschutzgesetz (BNatSchG) und dem Hess. Naturschutzgesetz (HeNatG) behandelt sind, und den o.a. Umweltinformationen mit dem Artenschutzrechtlichen Fachbeitrag (PlanÖ 04/2025) und der Immissionsprognose öffentlich ausgelegt. Die DIN 45691 wird ebenfalls in der Gemeindeverwaltung Steffenberg ausgelegt.

(5)

Gemäß § 3 Abs. 2 BauGB (Beteiligung der Öffentlichkeit) werden die Planunterlagen des Bebauungsplanes und der Flächennutzungsplanänderung (Begründung, Umweltbericht, Artenschutzrechtlicher Fachbeitrag) sowie alle vorliegenden umweltbezogenen Stellungnahmen und Informationen (Immissionsprognose) in der Zeit vom

08.12.2025 - 23.12.2025 einschließlich

im Internet auf der Homepage www.steffenberg.de unter der Rubrik Rathaus, Politik und Bürgerservice / Amtliche Bekanntmachung sowie über das zentrale Internetportal des Landes Hessen (www.bauleitplanung.hessen.de) eingestellt und können eingesehen und heruntergeladen werden.

Zusätzlich zur Veröffentlichung im Internet erfolgt gemäß § 3 Abs. 2 Satz 4 Nr.4 BauGB eine öffentliche Auslegung der oben genannten Unterlagen in der Gemeindeverwaltung der Gemeinde Steffenberg, Rathaus OT. Niedereisenhausen Bauhofstr. 1, Zimmer Nr. 3 (Bauverwaltung), 35239 Steffenberg, während der Dienststunden der Verwaltung, sowie nach Vereinbarung. Jedermann hat in dieser Auslegungsfrist die Gelegenheit zur Information sowie zur Abgabe einer Stellungnahme mit Anregungen und Hinweisen zu den unter (1) a.-c. genannten Punkten (z.B. schriftlich, zu Protokoll oder per E-Mail).

(6)

Es wird darauf hingewiesen, dass Stellungnahmen elektronisch übermittelt werden sollen, bei Bedarf aber auch auf anderem Weg, zum Beispiel schriftlich, in Textform oder zur Niederschrift, abgegeben werden können. Die elektronische Abgabe der Stellungnahmen ist zum Beispiel unter der E-Mail-Adresse beteiligung@fischer-plan.de oder gemeindeverwaltung@steffenberg.de möglich.

(7)

Für die Flächennutzungsplanänderung gilt, dass eine Vereinigung im Sinne des § 4 Abs. 3 Satz 1 Nummer 2 des Umwelt-Rechtsbehelfsgesetzes in einem Rechtsbehelfsverfahren nach § 7 Abs. 2 des Umwelt-Rechtsbehelfsgesetzes gemäß § 7 Abs. 3 Satz 1 des Umwelt-Rechtsbehelfsgesetzes mit allen Einwendungen ausgeschlossen ist, die sie im Rahmen der Auslegungsfrist nicht oder nicht rechtzeitig geltend gemacht hat, aber hätte geltend machen können.

(8)

Gemäß § 3 Abs. 2 Satz 4 Nr.3 BauGB und § 4a Abs. 5 BauGB wird darauf hingewiesen, dass Stellungnahmen zu dem Bauleitplanverfahren während der Auslegungsfrist abgebeben werden können und das nicht fristgerecht abgegebene Stellungnahmen bei der Beschlussfassung über den Bauleitplan unberücksichtigt bleiben können

(9)

Gemäß § 4b BauGB wurde das Planungsbüro Fischer aus 35435 Wettenberg vom Zweckverband mit der Durchführung des Bauleitplanverfahrens nach BauGB beauftragt.

Bauleitplanung des Zweckverbandes Interkommunales Gewerbegebiet Angelburg / Steffenberg

Ortsteil Angelburg-Gönnern und Steffenberg-Niedereisenhausen

Bebauungsplan „Interkommunales Gewerbegebiet“ - 1. Bauabschnitt - 1.Änderung sowie Änderung des Flächennutzungsplanes in diesem Bereich

Plankarte 1 - Plangebiet

Ausschnitt genordet, ohne Maßstab

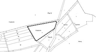
Plankarte 2 - Ausgleichsfläche, Gemarkung Niedereisenhausen Flur 6, Flurstück 32

Ausschnitt genordet, ohne Maßstab

Plankarte 3 - Ausgleichsfläche, Gemarkung Gönnern Flur 2, Flurstück 63/4, 63/6, 87

Ausschnitt genordet, ohne Maßstab