Titel Logo
Villmarer Bote
Ausgabe 26/2024
Amtliche Bekanntmachungen
Zurück zur vorigen Seite
Zurück zur ersten Seite der aktuellen Ausgabe

Satzung des Marktfleckens Villmar über die Grenzen für den im Zusammenhang bebauten Ortsteil Langhecke, Bereich zwischen der Straße Am Schulberg und dem Waldrand

Aufgrund des § 34 Absatz 4, Nr. 1 Baugesetzbuch (BauGB), neu gefasst durch Bekanntmachung vom 03.11.2017, zuletzt geändert durch Art. 1 G v. 28.07.2023 I Nr. 221 und § 50 Hess. Gemeindeordnung (HGO) in der Fassung der Bekanntmachung vom 7. März 2005, zuletzt geändert durch Artikel 2 des Gesetzes vom 16. Februar 2023 (GVBl. S. 90, 93).

hat die Gemeindevertretung des Marktfleckens Villmar in ihrer Sitzung am 13.06.2024

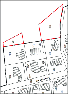
die Grenzen für den im Zusammenhang bebauten Ortsteil Langhecke für den Teilbereich der Grundstücke Flur 1, Flst. 10/22 und 10/24 beschlossen.

§ 1)

Die Grenzen des im Zusammenhang bebauten Ortsteil Langhecke werden gemäß der in dem beigefügten Lageplan ersichtlichen Darstellung festgelegt. Dieser Lageplan ist Bestandteil dieser Satzung (Ausschnitt mit neuen Grenzen siehe Abbildung).

§ 2)

Die Zulässigkeit eines Vorhabens innerhalb eines im Zusammenhang bebauten Ortsteils richtet sich nach § 34 Abs. 4 Baugesetzbuch (BauGB).

§ 3)

Soweit in dem nach § 1 umschriebenen Gebiet Bebauungspläne nach § 30 BauGB zukünftig Rechtskraft erlangen, werden diese Bereiche von der Satzung nicht erfasst.

§ 4)

Diese Satzung tritt nach Vollendung ihrer Bekanntmachung in Kraft.

Begründung:

Mit dieser Klarstellungssatzung wird für den Ortsteil Langhecke Außenbereich dem Innenbereich zugesprochen. Damit ist die Zulässigkeit von Vorhaben in diesem Teil des Gemeindegebietes strukturell geklärt.

Der Bereich der Klarstellungssatzung ist im Flächennutzungsplan zum Teil als Wald- und Forstfläche und zum Teil als landwirtschaftliche Fläche dargestellt. Es soll hier lediglich der Bereich der landwirtschaftlichen Fläche zum Innenbereich zugesprochen werden. Unzutreffender Weise wurde die Fläche im Flächennutzungsplan als Ackerfläche ausgewiesen. Damit ist die Zulässigkeit von Vorhaben in diesem Teil des Gemeindegebiets strukturell geklärt.

Villmar, den 27.06.2024

Der Gemeindevorstand
Cornelia Peter-Beeck