Titel Logo
Villmarer Bote
Ausgabe 49/2024
Amtliche Bekanntmachungen
Zurück zur vorigen Seite
Zurück zur ersten Seite der aktuellen Ausgabe

Bauleitplanung des Marktfleckens Villmar, Gemarkung Villmar

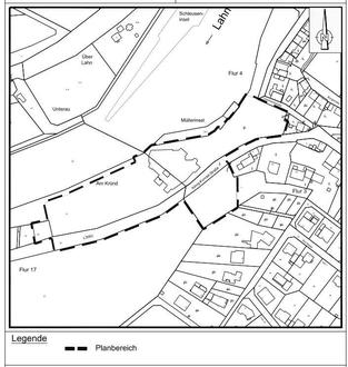
Die Lage der Abgrenzung hat keine Rechtsverbindlichkeit und kennzeichnet nur die Lage  des Planungsbereiches.

Die Lage der Abgrenzung hat keine Rechtsverbindlichkeit und kennzeichnet nur die Lage  des Planungsbereiches.

Die Lage der Abgrenzung hat keine Rechtsverbindlichkeit und kennzeichnet nur die Lage des Planungsbereiches.

Aufstellung eines Bebauungsplanes mit paralleler Flächennutzungsplanänderung für den Bereich „Tourismus - links der Lahn“, Entwicklungsabschnitt I,

Öffentliche Auslegung gemäß § 3 Abs. 2 Baugesetzbuch (BauGB)

Die Gemeindevertretung des Marktfleckens Villmar hat in ihrer Sitzung am 24.09.2015 die Aufstellung des Bebauungsplanes mit Flächennutzungsplanänderung für den Bereich „Tourismus - links der Lahn“, Gemarkung Villmar, beschlossen.

Die frühzeitige Beteiligung gem. § 3 Abs. 1 BauGB fand vom 03.08.2020 bis 11.09.2020 statt.

Der Bau- und Umweltausschuss der Gemeinde Villmar hat in seiner öffentlichen Sitzung am 30.10.2024 die vorgelegten Unterlagen zum öffentlichen Auslegungsverfahren gem. § 3 Abs. 2 BauGB und unter Berücksichtigung der eingereichten Stellungnahmen zur frühzeitigen Beteiligung abgewogen. Der daraus resultierende Entwurf des Bebauungsplanes (Planzeichnung und Begründung mit Umweltbericht) wurden in dieser Sitzung ebenfalls gebilligt.

Es ist geplant, den bereits vorhandenen Wohnmobilstellplatz attraktiv und funktionell, dem heutigen Standard entsprechend zu gestalten.

Die König-Konrad Halle soll in Ihrem Bestand mit den zugehörigen Parkflächen abgesichert werden.

Der Flächennutzungsplan wird im Parallelverfahren entsprechend der Planung geändert.

Der betroffenen Öffentlichkeit wird Gelegenheit zur Stellungnahme innerhalb angemessener Fristen gegeben.

Der Entwurf des Bebauungsplanes, die Begründung einschließlich Umweltbericht und die nach Einschätzung der Gemeinde wesentlichen, bereits vorliegenden umweltbezogenen Stellungnahmen und Informationen werden in der Zeit vom

09. Dezember 2024 bis einschl. 17. Januar 2025

(Dauer der Öffentlichkeitsbeteiligung: 40 Tage)

unter nachgenannten Links im Internet digital veröffentlicht und sind innerhalb der Veröffentlichungsfrist einsehbar, die amtliche Bekanntmachung ist vom Tag ihres Erscheinens bis Ende der Beteiligungsfrist einsehbar:

-

Internetportal der Gemeinde Villmar: www.marktflecken-villmar.de/rathaus/bauamt-bauleitplanung/

-

zentrales Internetportal für die Bauleitplanung Hessen: https://bauleitplanung.hessen.de

Zusätzlich liegen die Unterlagen in Papierform in der Gemeindeverwaltung Villmar, König-Konrad-Straße 12, 65606 Villmar zu jedermanns Einsichtnahme und Unterrichtung öffentlich aus (leicht zu erreichende Zugangsmöglichkeit).

Die Dienststunden der Gemeindeverwaltung sind:

Montag bis Donnerstag

von 08.00 Uhr bis 12.00 Uhr

Donnerstag

von 14.00 Uhr bis 18.00 Uhr

Freitag

von 08.00 Uhr bis 12.30 Uhr

Es besteht prinzipiell an allen Werktagen in den Dienstzeiten die Möglichkeit zur telefonischen Termin-Vereinbarung, um im Rahmen der Auslegung die Planunterlagen stets zur Einsicht zur Verfügung zu stellen.

Die Gemeinde kann wie folgt erreicht werden:

Telefon: Frau Rau

Telefonnummer: 06482 - 9121-11

E-Mail: eva.rau@villmar.de.de

Homepage: www.marktflecken-villmar.de

Es wird gem. § 3 Abs. 2 Satz 4 BauGB darauf hingewiesen, dass zum Bebauungsplan mit paralleler Flächennutzungsplanänderung:

1.

Stellungnahmen und Anregungen während der Dauer der Veröffentlichungsfrist mündlich, zur Niederschrift oder schriftlich vorgebracht werden können.

2.

Stellungnahmen elektronisch übermittelt werden sollen, bei Bedarf aber auch auf anderem Weg abgegeben werden können.

3.

Nicht fristgerecht abgegebene Stellungnahmen bei der Beschlussfassung über den Bauleitplan unberücksichtigt bleiben können.

4.

Eine leicht zu erreichende Zugangsmöglichkeit besteht durch eine öffentliche Auslegung in der Gemeindeverwaltung (s.o.).

Über die fristgemäß eingegangenen Stellungnahmen, Hinweise und Anregungen wird die Gemeindevertretung der Gemeinde nach Prüfung entscheiden. Das Ergebnis ist gem. den Vorgaben des § 3 Abs. 2 Satz 6 BauGB mitzuteilen bzw. kann gem. § 3 Abs. 2 Satz 7 BauGB während der Dienststunden im Bauamt der Kommune eingesehen werden.

Die betroffenen Behörden und die sonstigen Träger öffentlicher Belange (TöB) werden parallel zur Öffentlichkeit beteiligt.

Es wird darauf hingewiesen, dass ein Planungsbüro (Ingenieurbüro SLE Schönherr) mit der Durchführung des Verfahrens gem. § 4b BauGB beauftragt worden ist.

Die Lage des Plangebietes sowie die Angabe der umfassten Flurstücke kann der Anlage 1 entnommen werden.

Ausgelegt wird gemäß § 3 Abs. 2 BauGB der Bebauungsplan mit paralleler Flächennutzungsplan-Änderung bestehend aus:

-

Plankarten mit Planzeichnung und textlichen Festsetzungen (Bestandsplan, Bebauungsplan, Flächennutzungsplanänderung)

-

Begründung und Umweltbericht mit Artenschutzrechtlicher Prüfung

-

Rückläufe umweltbezogener abwägungsrelevanter Stellungnahmen: TöB siehe nachfolgend

-

Rückläufe privater Stellungnahmen: Fördergemeinschaft für Natur- und Vogelschutz Villmar e.V.

-

Gutachten:

-

Kurzgutachten Bauen im Überschwemmungsgebiet, erstellt von Ruiz Rodriguez, Zeisler und Blank im Mai 2023

-

Artenschutzrechtliche Bewertung, erstellt durch Plan Ö GmbH im Juli 2021

Umweltbezogene Informationen sind in den nachfolgend genannten Stellungnahmen zu folgenden Umweltbelangen und Themenfeldern vorhanden. Die Aufzählung beinhaltet Schreiben sowohl zum Bebauungsplan wie auch zum Flächennutzungsplan. Aufgeführt sind unter den jeweiligen Themenkomplexen die Hinweisgeber und ihre Themen:

-

Fläche / Boden / Landschaft / Land- und Fortwirtschaft

-

Schreiben des RP Gießen: Landwirtschaft: nicht betroffen; Forstwirtschaft: Gehölze im Uferbereich sowie im Bereich südlich der König-Konrad-Straße planungsrechtlich Wald.

-

Kulturgüter / sonstige Sachgüter

-

Schreiben Wasserstraßen und Schifffahrtsverwaltung des Bundes: nicht betroffen.

-

Schreiben Landesamt für Denkmalpflege: Hinweise zu Bodendenkmälern, nicht betroffen.

-

Immissionen / Emissionen

-

Schreiben des RP Gießen: Immissionsschutz: nicht betroffen.

-

Flora / Fauna / Artenschutz / Naturschutz

-

Schreiben Kreisausschuss Limburg-Weilburg Naturschutz: Hinweise zu Gehölzdarstellungen i.V. mit dem angrenzenden FFH-Gebiet, zum Artenschutz, insbesondere Zauneidechse und Nattern, zur Ufervegetation, zum Monitoring, zum Detaillierungsgrad des Umweltbericht, zur Eingriffsbilanzierung und Kompensation und zur Durchgrünung.

-

Schreiben Kreisausschuss Limburg-Weilburg Landentwicklung-Denkmalschutz: nicht betroffen

-

Schreiben des RP Gießen: Naturschutz: FFH-Gebiet, LSG Ausweisung.

-

Sammelschreiben der Naturschutzverbände: Hinweise zur Kompensation, zu Photovoltaik, zum Artenschutz auch i.V. mit Immissionsschutz (Licht), zu den Lahnufergehölzen, und zur Eingrünung.

-

Schreiben der Fördergemeinschaft für Natur- und Vogelschutz Villmar e.V.: Hinweise zum Kompensationsbedarf, zum Artenschutz (v.a. Vögel), zur Parkplatzeingrünung und zu den Lahnufergehölzen.

-

Wasserwirtschaft

-

Schreiben Kreisausschuss Limburg-Weilburg Wasser-Boden-Immissionsschutz: Hinweise hinsichtlich des dargestellten Überschwemmungsgebietes i.V. mit den Vorgaben des Wasserhaushaltsgesetz und zur ordnungsgemäßen Abwasserbeseitigung

-

Schreiben des RP Gießen: Grundwasser/Wasserversorgung: nicht betroffen; Gewässer/Hochwasserschutz: Überschwemmungsgebiet; Abwasser/Gewässergüte: nicht betroffen;

-

Übergeordnete Planungen

-

Schreiben des RP Gießen: hinsichtlich der Festlegungen des Regionalplans Mittelhessen 2010 (RPM 2010). Hier: Vorbehaltsgebiet (VBG) für Landwirtschaft und kleinflächig (0,2 ha südlich der König-Konrad-Straße) als Vorranggebiet (VRG) für Forstwirtschaft, überlagert durch ein VRG für den vorbeugenden Hochwasserschutz sowie ein VBG für besondere Klimafunktionen. . Insgesamt mit den Vorgaben des RPM 2010 vereinbar.

-

Bergaufsicht:

-

Schreiben des RP Gießen: Bergamt: drei erloschene Bergwerksfelder, örtliche Lage nicht bekannt.

-

Abfälle / Abwasser:

-

Schreiben des RP Gießen: Industrielles Abwasser Altlasten Bodenschutz: Brandlöschung im Bereich König-Konrad Halle altlastenverdächtige Fläche; Abfallentsorgungsanlagen nicht betroffen.

Die Begründung enthält Angaben zu:

  • Standortwahl / Siedlungsentwicklung und Städtebaulichem Konzept und Grünordnung.
  • Immissionsschutzrechtlichen Fragestellungen und Verkehrstechnischer Erschließung, allgemeiner Verkehrsbelange.
  • Wasserwirtschaftlicher Belange und Altlasten und Altstandorten.
  • Ver- und Entsorgung sowie Belangen des Bergbaus und zu Archäologischen Belangen und Denkmalschutz.

Der Umweltbericht ermittelt und bewertet die umweltrelevanten Auswirkungen auf folgende Schutzgüter:

  • Bedarf an Grund und Boden sowie natürliche Grundlagen und deren Leistungsfähigkeit/Funktion im Landschaftshaushalt.
  • Die Schutzgüter: Geologie, Boden, Fläche; Klima; Wasserhaushalt; Flora und Fauna; Landschaft; Mensch; Kultur- und Sachgüter; deren Umweltauswirkungen sowie Minderungs- und Ausgleichsmaßnahmen und Prognosen.
  • Planungsalternativen und Monitoring.

Hinweise: Es wird darauf hingewiesen, dass

  • gemäß § 3 Abs. 2 Satz 1 BauGB die Entwürfe der Bauleitpläne mit der Begründung und den nach Einschätzung der Gemeinde wesentlichen, bereits vorliegenden umweltbezogenen Stellungnahmen für die Dauer eines Monats, mindestens jedoch für die Dauer von 30 Tagen, oder bei Vorliegen eines wichtigen Grundes für die Dauer einer angemessenen längeren Frist im Internet zu veröffentlichen sind,
  • gemäß § 3 Abs. 2 Satz 2 BauGB zusätzlich zur Veröffentlichung im Internet nach § 3 Abs. 2 Satz 1 BauGB eine oder mehrere andere leicht zu erreichende Zugangsmöglichkeiten, etwa durch öffentlich zugängliche Lesegeräte oder durch eine öffentliche Auslegung der in § 3 Abs. 2 Satz 1 BauGB genannten Unterlagen zur Verfügung zu stellen sind,
  • gemäß § 3 Abs. 3 BauGB bei Flächennutzungsplänen ergänzend zu dem Hinweis nach § 3 Abs. 2 Satz 4 zweiter Halbsatz BauGB darauf hinzuweisen ist, dass eine Vereinigung im Sinne des § 4 Absatz 3 Satz 1 Nummer 2 des Umwelt-Rechtsbehelfsgesetzes in einem Rechtsbehelfsverfahren nach § 7 Abs. 2 des Umwelt-Rechtsbehelfsgesetzes gemäß § 7 Abs. 3 Satz 1 des Umwelt-Rechtsbehelfsgesetzes mit allen Einwendungen ausgeschlossen ist, die sie im Rahmen der Veröffentlichungsfrist nicht oder nicht rechtzeitig geltend gemacht hat, aber hätte geltend machen können,
  • gemäß § 3 Abs. 2 Satz 4 Nr. 3 BauGB in Verbindung mit § 4a Abs. 5 BauGB Stellungnahmen, die im Verfahren der Öffentlichkeitsbeteiligung nicht rechtzeitig abgegeben worden sind, bei der Beschlussfassung über den Bauleitplan unberücksichtigt bleiben können, sofern die Gemeinde deren Inhalt nicht kannte und nicht hätte kennen müssen und deren Inhalt für die Rechtmäßigkeit des Bauleitplans nicht von Bedeutung ist.

Informationen zur Datenverarbeitung in der Bauleitplanung gemäß Artikel 13 und Artikel 15 der Datenschutzgrundverordnung (DS-GVO):

Im Rahmen der Abgabe verarbeitet die Kommune personenbezogene Daten nach § 3 Baugesetzbuch (BauGB) und Artikel 6 Absatz 1 Satz 1 Nr. e) Datenschutz-Grundverordnung (DS-GVO) zur Wahrnehmung einer Aufgabe, die im öffentlichen Interesse liegt und im Rahmen der gemeindlichen Planungshoheit.

Im Rahmen einer Stellungnahme zu Bauleitplanverfahren werden persönliche Daten mit vollständigem Namen, Anschrift, Telefonnummer und E-Mailadresse benötigt, um den Umfang der persönlichen Betroffenheit oder das sonstige Interesse hinsichtlich des Bauleitplanverfahrens beurteilen zu können.

Alle Daten werden zur Bearbeitung der Stellungnahme verwendet. Zudem werden persönlichen Daten verwendet, um nach Abschluss der Beteiligung der Öffentlichkeit (nach § 3 Absatz 1 Baugesetzbuch und § 3 Absatz 2 Baugesetzbuch) während eines Bauleitplanverfahrens, die Stellungnehmer über das Ergebnis der Prüfung Ihrer Stellungnahme und deren Berücksichtigung zu informieren.

Aufgrund der gesetzlich vorgeschriebenen beziehungsweise zugelassenen oder durch Ihre Einwilligung legitimierten Datenerhebung ist die Verarbeitung Ihrer personenbezogenen Daten rechtmäßig.

Sofern die rechtlichen Voraussetzungen erfüllt sind, haben betroffene Personen gem. Art. 15 Datenschutz-Grundverordnung das Recht eine Auskunft über die sie betreffenden verarbeiteten Daten einzuholen und das Recht auf Berichtigung, Löschung und Einschränkung der Datenverarbeitung zu, sowie das Recht, Widerspruch gegen die Verarbeitung der personenbezogenen Daten einzulegen, bzw. die Einwilligung zur Datenverarbeitung zu widerrufen oder die Datenübertragung zu fordern. Sollte eine betroffene Person der Meinung sein, das ein datenschutzrechtlicher Verstoß vorliegt, besteht das Recht auf Beschwerde bei der zuständigen Aufsichtsbehörde.

Anlage 1

Plangebietsabgrenzung Bebauungsplan (ohne Maßstab).

Folgende Flurstücke sind umfasst:

  • Flur 3, Flurstücke 1 tlw. (Parkplatz), 5/4 tlw. (König-Konrad-Straße),
  • Flur 4, Flurstück 34/6,
  • Flur 17, Flurstücke 31 tlw., 36 tlw. (König-Konrad-Straße), 35

Anlage 2

Plangebietsabgrenzung Flächennutzungsplanänderung (ohne Maßstab).

Anlage 3

Ausschnitt aus der Topographischen Karte zum Überblick der Lage (ohne Maßstab)

Der Gemeindevorstand der Gemeinde Villmar

Villmar, den - 2024

(Alicia Bokler)
Bürgermeisterin