Titel Logo
Germersheimer Stadtanzeiger
Ausgabe 12/2024
Amtliche Bekanntmachungen
Zurück zur vorigen Seite
Zurück zur ersten Seite der aktuellen Ausgabe

Bekanntmachung der Stadt Germersheim: Bebauungsplan Nr. 36 "Verbindungsstraße L 539 - B35", 1. Teiländerung

Aufstellungsbeschluss

Der Rat der Stadt Germersheim hat in seiner Sitzung am 07.03.2024 beschlossen, die oben genannte Bebauungsplanteiländerung aufzustellen.

Für die Stadt Germersheim ist in den kommenden Jahren ein steigender Bedarf an Kita-Plätzen zu erwarten. Die Bereitstellung ausreichender Plätze ist Teil der Daseinsvorsorge, deren Sicherung in der Verantwortung der Stadt liegt. Nach Prüfung möglicher Alternativen wurde für den Stadtteil Germersheim der Bereich „In der kleinen Au“ als geeigneter Standort ausgemacht.

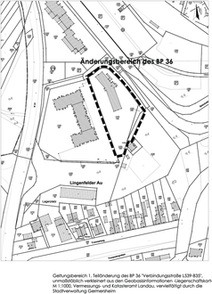
Der Geltungsbereich umfasst die Flurstücke 1220/105, 1220/140 und teilweise das Flurstück 1220/241. Auf dem Flurstück 1220/105 ist derzeit ein Allgemeines Wohngebiet mit einem großzügigen Baufenster festgesetzt. Die südlich daran angrenzende Fläche (Flurstück 1220/140 und teilweise 1220/241) sind als Mischgebiet festgesetzt und dienen teilweise auch als Zufahrt für das Privatgebäude im rückwärtigen Bereich.

Geplant ist, den südlichen Bereich zukünftig als „Fläche für den Gemeinbedarf“ gem. § 9 (1) Nr. 5 BauGB mit eigenem Baufenster festzusetzen.

Der Bebauungsplan soll im beschleunigten Verfahren nach § 13a BauGB aufgestellt werden.

Der Aufstellungsbeschluss wird hiermit bekanntgemacht. Die geplanten Grenzen des Bebauungsplans sind dem hier abgebildeten Lageplan zu entnehmen.

Germersheim, den 14.03.2024
Stadtverwaltung
gez. Dr. Sascha Hofmann
Erster Beigeordneter