Titel Logo
Germersheimer Stadtanzeiger
Ausgabe 36/2024
Amtliche Bekanntmachungen
Zurück zur vorigen Seite
Zurück zur ersten Seite der aktuellen Ausgabe

Bekanntmachung der Stadt Germersheim

Bebauungsplan Nr. 36 "Verbindungsstraße „L539 – B35“,

1.Teiländerung; Bekanntmachung der Durchführung der Öffentlichkeitsbeteiligung (§ 3 (2) BauGB i.V.m. § 3 (1) PlanSiG)

Der Rat der Stadt Germersheim hat in seiner Sitzung vom 29.08.2024 den Entwurf des o.g. Bebauungsplans gebilligt und die öffentliche Auslegung § 3 (2) BauGB beschlossen.

Für die Stadt Germersheim ist in den kommenden Jahren ein steigender Bedarf an Kita-Plätzen zu erwarten. Die Bereitstellung ausreichender Plätze ist Teil der Daseinsvorsorge, deren Sicherung in der Verantwortung der Stadt Germersheim liegt. Nach Prüfung möglicher Alternativen wurde für den Stadtteil Germersheim der Bereich „In der kleinen Au“ als geeigneter Standort ausgemacht.

Auf dem Grundstück des bestehenden Wohnheims (Flurstück 1220/105) ist derzeit ein Allgemeines Wohngebiet mit einem großzügigen Baufenster festgesetzt, das einer möglichen Erweiterung vorbehalten war. Um die südliche Teilfläche einer sinnvollen Bebauung zuführen zu können, ist jedoch die Anpassung des Baufensters erforderlich. Der südliche Teil soll zukünftig als „Fläche für den Gemeinbedarf“ gem. § 9 (1) Nr. 5 BauGB und die nördliche Fläche als Urbanes Gebiet i.S.d. § 6a BauNVO festgesetzt werden.

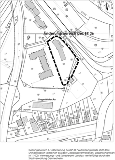
Die geplanten Grenzen des Bebauungsplans sind dem hier abgebildeten Lageplan zu entnehmen.

Beteiligung der Öffentlichkeit

Gemäß § 3 (2) BauGB i.V.m. § 3 (1) Plansicherstellungsgesetz (PlanSiG) wird hiermit öffentlich bekannt gemacht, dass der Entwurf des Bebauungsplans in der Zeit vom 16.09.2024 bis einschließlich 18.10.2024 auf der Homepage der Stadt Germersheim www.germersheim.eu unter dem Menüpunkt Verwaltung & Bürgerservice {{gt}} Stadtentwicklung {{gt}} Bauleitplanung {{gt}} Bauleitpläne im Verfahren abrufbar sein wird.

Die Veröffentlichung im Internet ersetzt gem. § 3 (1) PlanSiG die übliche öffentliche Auslegung gem. § 3 (2) BauGB.

Zusätzlich kann in dieser Zeit nach vorheriger Terminvereinbarung mit dem zuständigen Sachbearbeiter (marco.diehl@germersheim.eu, Tel.: 07274 960262) Einsicht in die Unterlagen genommen werden.

Während der Auslegungsfrist können Stellungnahmen, vorzugsweise per E-Mail an planverfahren@germersheim.eu, während der Dauer der Veröffentlichungsfrist abgegeben werden. Es wird ausdrücklich darauf hingewiesen, dass nicht fristgerecht abgegebene Stellungnahmen bei der Beschlussfassung über den Bauleitplan unberücksichtigt bleiben können.

Der Entwurf des Bebauungsplans umfasst folgende Unterlagen:

  • Planzeichnung inkl. Planzeichenerklärung (Stadt Germersheim, August 2024)
  • Textliche Festsetzungen (Stadt Germersheim, August 2024)
  • Begründung (Stadt Germersheim, August 2024)
Germersheim, den 02.09.2024
Stadtverwaltung
gez. Dr. Sascha Hofmann
Erster Beigeordneter