Titel Logo
Mitteilungsblatt für die Gemeinde Weimar
Ausgabe 14/2023
Amtliche Bekanntmachungen
Zurück zur vorigen Seite
Zurück zur ersten Seite der aktuellen Ausgabe

​​​​​​​Bauleitplanung der Gemeinde Weimar (Lahn), Gemarkung AllnaBebauungsplan „Solarpark Allna“

Bebauungsplan „Solarpark Allna“

sowie Änderung des Flächennutzungsplanes in diesem Bereich

Bekanntmachung des Aufstellungsbeschlusses gemäß § 2 Abs.1 Satz 2 BauGB und der frühzeitigen Beteiligung der Öffentlichkeit gemäß § 3 Abs.1 BauGB

(1) Die Gemeindevertretung der Gemeinde Weimar (Lahn) hat am 05.05.2022 gemäß § 2 Abs.1 BauGB die Aufstellung des Bebauungsplanes „Solarpark Allna“ in der Gemarkung Allna sowie die Änderung des Flächennutzungsplanes in diesem Bereich beschlossen.

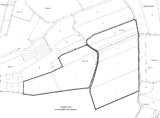
(2) Der Geltungsbereich des Bebauungsplanes ist der nachfolgenden Übersichtskarte zu entnehmen und umfasst die Flurstücke 41/1, 43, 44, 45, 50, 51, 52/1, 69, 103 und 121/46 in der Flur 15, jeweils Gemarkung Allna.

(3) Planziel ist die Ausweisung eines Sondergebietes im Sinne § 11 Abs.2 Baunutzungsverordnung (BauNVO) für Anlagen (Fotovoltaikanlagen), die der Nutzung von Sonnenenergie dienen. Auf Ebene des Flächennutzungsplanes werden entsprechend Sonderbauflächen (§ 1 Abs.1 Nr.4 BauNVO) dargestellt. Ziel der Planung ist die Errichtung eines Solarparks, um eine nachhaltige Energieversorgung aufzubauen. Die Belange von Natur und Landschaft sind gemäß § 1a BauGB im Rahmen der Bauleitplanung zu behandeln. Neben der Ausweisung von Bauflächen werden grünordnerische Maßnahmen im Plangebiet festgesetzt, um den Eingriff in Natur und Landschaft zu minimieren. Die Ziele gelten analog für die Änderung des Flächennutzungsplanes.

(4) Der Aufstellungsbeschluss für den Bebauungsplan und die FNP-Änderung wird hiermit gemäß § 2 Abs.1 Satz 2 BauGB ortsüblich bekanntgemacht.

(5) Die Aufstellung des Bebauungsplanes und der FNP-Änderung erfolgen im zweistufigen Regelverfahren. Gemäß § 2 Abs. 4 und § 2a BauGB wird eine Umweltprüfung für die Bauleitplanverfahren durchgeführt, in der die voraussichtlich erheblichen Umwelteinwirkungen ermittelt und in einem Umweltbericht beschrieben und bewertet werden. Die Unterrichtung der Öffentlichkeit gemäß § 3 Abs.1 BauGB erfolgt gemäß den Vorgaben des BauGB (Baugesetzbuch) und dient im Hinblick auf die Ermittlung des erforderlichen Umfangs und Detaillierungsgrades der Umweltprüfung nach § 2 Abs.4 BauGB. Der Umweltbericht ist gemäß § 2a BauGB in die Begründung des Bebauungsplanes und der FNP-Änderung zu integrieren.

(6) Gemäß § 3 Abs.1 BauGB (frühzeitige Beteiligung der Öffentlichkeit) liegen der Planvorentwurf des Bebauungsplanes und der Flächennutzungsplanänderung, jeweils einschließlich Begründung, zu jedermanns Einsicht in der Zeit vom

13.04.2023 - 17.05.2023 einschließlich

im Bauamt der Gemeinde Weimar (Lahn), Bauamt, Alte Bahnhofstr. 31, 35096 Weimar (Lahn), während der allgemeinen Dienstzeiten sowie nach Vereinbarung öffentlich aus. Jedermann hat in dieser Auslegungsfrist die Gelegenheit zur Information sowie zur Äußerung von Anregungen und Hinweisen schriftlich oder zu Protokoll. Die Stellungnahmen können auch, unter Angabe des Bebauungsplanes, per E-Mail (fischer@fischer-plan.de) abgegeben werden.

(7) Die Planunterlagen werden zusätzlich in das Internet eingestellt und können auf der Homepage der Gemeinde (www.gemeinde-weimar.de) unter der Rubrik Leben in Weimar / Bauen und Wohnen / Bauleitplanung eingesehen werden.

(8) Gemäß § 4b BauGB ist das Planungsbüro Fischer aus 35435 Wettenberg mit der Durchführung des Verfahrens nach BauGB beauftragt.

Bauleitplanung der Gemeinde Weimar (Lahn), Gemarkung Allna

Bebauungsplan „Solarpark Allna“

sowie Änderung des Flächennutzungsplanes in diesem Bereich

Übersichtskarte