Titel Logo
Mitteilungsblatt für die Gemeinde Weimar
Ausgabe 33/2023
Amtliche Bekanntmachungen
Zurück zur vorigen Seite
Zurück zur ersten Seite der aktuellen Ausgabe
-

Bauleitplanung der Gemeinde Weimar (Lahn), Gemarkung Allna

Bebauungsplan „Solarpark Allna“ sowie

Änderung des Flächennutzungsplanes in diesem Bereich

Bekanntmachung zur Beteiligung der Öffentlichkeit gemäß § 3 Abs.2 BauGB

(1)

Die Gemeindevertretung der Gemeinde Weimar (Lahn) hat am 20.06.2023 gemäß § 3 Abs. 2 BauGB den Bebauungsplan „Solarpark Allna“ und die dazugehörige FNP-Änderung in der Gemarkung Allna für die Entwurfsoffenlage beschlossen.

(2)

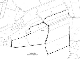
Der Geltungsbereich des Bebauungsplanes und der FNP-Änderung ist den nachfolgenden Übersichtskarten zu entnehmen und umfasst die Flurstücke 41/1, 43, 44, 45, 50, 51, 52/1, 69, 103 und 121/46 in der Flur 15, jeweils Gemarkung Allna. Die externen Ausgleichsflächen liegen in der Flur 11, Flurstück 77/1tlw. in der Gemarkung Allna und in der Gemeinde Lohra, Gemarkung Nanz-Willershausen in der Flur 4, Flurstück 2tlw..

(3)

Planziel ist die Ausweisung eines Sondergebietes im Sinne § 11 Abs.2 Baunutzungsverordnung (BauNVO) für Anlagen (Fotovoltaikanlagen), die der Nutzung von Sonnenenergie dienen. Auf Ebene des Flächennutzungsplanes werden entsprechend Sonderbauflächen (§ 1 Abs.1 Nr.4 BauNVO) dargestellt. Ziel der Planung ist die Errichtung eines Solarparks, um eine nachhaltige Energieversorgung aufzubauen. Die Belange von Natur und Landschaft sind gemäß § 1a BauGB im Rahmen der Bauleitplanung zu behandeln. Neben der Ausweisung von Bauflächen werden grünordnerische Maßnahmen im Plangebiet festgesetzt, um den Eingriff in Natur und Landschaft zu minimieren. Die Ziele gelten analog für die Änderung des Flächennutzungsplanes.

(4)

Gemäß § 2 Abs. 4 und § 2a BauGB muss eine Umweltprüfung durchgeführt werden, in der die voraussichtlich erheblichen Umwelteinwirkungen ermittelt und in einem Umweltbericht beschrieben und bewertet werden. Der Umweltbericht ist gemäß § 2a BauGB in die Begründung des Bebauungsplanes bzw. der FNP-Änderung zu integrieren. Die Unterrichtung nach § 3 Abs.1 BauGB erfolgte gemäß den Vorgaben des Baugesetzbuches (BauGB) und diente im Hinblick auf die Ermittlung des erforderlichen Umfangs und Detaillierungsgrades der Umweltprüfung nach § 2 Abs.4 BauGB, die jetzt im Umweltbericht dokumentiert und zusammen mit den umweltrelevanten Stellungnahmen im Internet veröffentlicht und in der Gemeindeverwaltung ausgelegt werden.

Folgende Arten umweltbezogener Informationen liegen vor:

Umweltbericht mit integriertem landschaftspflegerischem Planungsbeitrag. Der Umweltbericht umfasst neben einem einleitenden Kapitel zu den Inhalten, Zielen und Festsetzungen des Bebauungsplanes, der Einordnung des Plangebietes und den in den einschlägigen Fachgesetzen und Fachplänen festgelegten Zielen des Umweltschutzes, eine Beschreibung und Bewertung der voraussichtlichen erheblichen Umweltauswirkungen der Planung einschließlich der Maßnahmen zu ihrer Vermeidung, Verringerung bzw. ihrem Ausgleich. Die Betrachtung der umweltrelevanten Schutzgüter und Informationen umfasst in § 1 Abs.6 Nr.7a-j BauGB:

  • Boden und Wasser: Charakterisierung von Bodentypen und Bodeneigenschaften, Bodenfunktionsbewertung, Hinweise zur Betroffenheit von oberirdischen Gewässern sowie Lage außerhalb von Wasserschutzgebieten. Bewertung der Planung im Hinblick auf den Eingriff in den Boden- und Wasserhaushalt.
  • Klima und Luft: Auswirkungen des Plangebietes für die Kalt- und Frischluftbildung sowie das Lokal- bzw. Kleinklima.
  • Tiere und Pflanzen: Bestandsbeschreibung der Biotop- und Nutzungstypen, Eingriffsbewertung, Beschreibung des naturschutzrechtlichen und artenschutzrechtlichen Ausgleichs innerhalb und außerhalb des Plangebietes, Verweise auf gesetzliche Regelungen zum Artenschutz.
  • Biologische Vielfalt: Feststellung keiner nachteiligen Wirkungen des Plangebietes für die biologische Vielfalt.
  • Landschaft: Auswirkungen der Planung auf das Landschafts- bzw. Ortsbild.
  • Natura-2000-Gebiete: Betroffenheit von Natura-2000-Gebieten ist nicht gegeben, Auswirkungen auf die Schutzziele der nächstgelegenen Schutzgebiete sind nicht zu erwarten.
  • Sonstige Schutzgebiete: Betroffenheit von sonstigen Schutzgebieten (Naturschutzgebieten) ist nicht gegeben.
  • Mensch, Gesundheit und Bevölkerung: Keine zusätzlichen negativen Auswirkungen des Plangebietes auf die angrenzenden Nutzungen. Immissionsschutzrechtliche Konflikte sind aufgrund der Entfernung zu der Ortslage nicht zu erwarten. Keine Bedeutung des Plangebietes für die Erholungsfunktion.
  • Kultur- und sonstige Sachgüter: Hinweis auf gesetzliche Regelungen zum Umgang mit Bodendenkmälern.
  • Gebiete zur Erhaltung der bestmöglichen Luftqualität: Beeinträchtigungen der bestehenden und zu erhaltenden bestmöglichen Luftqualität im Zuge der Planung ist nicht zu erwarten.

Hinzu kommt eine Eingriffs- und Ausgleichsbewertung zu dem teilweise durch den Bebauungsplan bauplanungsrechtlich vorbereiteten Eingriff in Natur und Landschaft und dessen Ausgleich. Die vorliegende Planung sieht Flächen für Maßnahmen zum Schutz, zur Pflege und zur Entwicklung von Boden, Natur und Landschaft mit verschiedenen Entwicklungszielen innerhalb und außerhalb des Plangebietes vor. Ferner umfasst der Umweltbericht Angaben zu Maßnahmen zur Vermeidung, Verringerung und zum Ausgleich der nachteiligen Auswirkungen der Planung, zur Entwicklung des Umweltzustandes bei Durchführung bzw. Nichtdurchführung der Planung, zu den in Betracht kommenden anderweitigen Planungsmöglichkeiten sowie zur Überwachung der Umweltauswirkungen, die aufgrund des Bauleitplans auftreten können.

Als weitere umweltbezogene Informationen liegen vor:

Ein Artenschutzrechtlicher Fachbeitrag (BIOPLAN Marburg 08/2023) in Bezug auf die Tiergruppe der Vögel (Avifauna) (Baumpieper, Bluthänfling, Dohle, Feldlerche, Goldammer, Klappergrasmücke, Neuntöter, Rebhuhn, Stieglitz, Wachtel) wurden nach Überprüfung der vorhandenen Habitatstrukturen als potenziell betroffen artenschutzrechtlich relevanten Artengruppen beurteilt. Der Fachbeitrag ist Teil des Umweltberichtes. Darüber hinaus liegt ein Blendgutachten (SolPEG GmbH 08/2023) vor.

Im Rahmen der Beteiligungsverfahren gemäß § 3 Abs.1 und § 4 Abs.1 BauGB sind umweltrelevante Stellungnahmen von Behörden und sonstigen Trägern öffentlicher Belange eingegangen. Wesentliche Sachverhalte und Verfasser der Stellungnahmen werden zusammenfassend aufgeführt:

Boden und Wasser:

Hinweis auf die Inanspruchnahme von landwirtschaftlichen Flächen, auf den Bodenschutz, Flächenverbrauch und auf die Agrarstruktur, Hinweise auf Eingriffe in Natur und Landschaft und Erforderlichkeit einer Eingriffs- und Ausgleichsbilanzierung, Waldabstandsbereich, die Einhaltung von Gewässerrandstreifen sowie die Lage außerhalb von Überschwemmungsgebieten und Trinkwasserschutzgebieten, grundsätzliche Hinweise zum Baugrund und Bodenschutz, keine Hinweise auf Altlasten im Plangebiet, Bewertung der Planung im Hinblick auf den Eingriff in den Boden- und Wasserhaushalt (KA LK Marburg-Biedenkopf, FD Naturschutz, FD Wasser- und Bodenschutz, Amt für den ländlichen Raum, Kreisbauernverband, RP Gießen Dez. Abfallwirtschaft und Abfallentsorgungsanlagen, RP Gießen Dez. Grundwasserschutz und Wasserversorgung, Altlasten, Bodenschutz, Dez. Oberirdische Gewässer und Hochwasserschutz)

Gebiete zur Erhaltung der bestmöglichen Luftqualität:

Zu diesem Schutzgut liegen keine Stellungnahmen vor.

Klima und Luft:

Zu diesem Schutzgut liegen keine Stellungnahmen vor.

Tiere und Pflanzen:

Hinweise zur Eingriffs-Ausgleichbilanzierung und zum Artenschutz (Modulabstände, Grünland) (KA Marburg Biedenkopf FD Naturschutz)

Biologische Vielfalt:

Beeinträchtigung des Landschaftsbildes

(KA LK Marburg-Biedenkopf, FD Naturschutz)

Landschaft:

Zu diesem Schutzgut liegen keine Stellungnahmen vor.

Natura-2000-Gebiete:

Keine Hinweise auf Natura-2000-Gebiete

(RP Gießen Obere Naturschutzbehörde).

Sonstige Schutzgebiete:

Keine Hinweise auf Schutzgebiete

(RP Gießen Obere Naturschutzbehörde

Mensch, Gesundheit und Bevölkerung:

Hinweis auf Einhaltung Waldabstandsbereich, Hinweise zur Verkehrssicherheit im Hinblick auf Blendwirkung und Art und Lage der Anbindung an die Bundesstraße B255, es liegen keine Hinweise auf Kampfmittel im Plangebiet vor, keine Hinweise auf Altlastenverdachtsflächen im Plangebiet, Allgemeine Hinweise zum Thema Abfall, Starkregen sowieso zu Starkregenereignissen (Hessen Forst Kirchhain, Hessen Mobil Dillenburg, RP Darmstadt KMRD, RP Gießen Altlasten, Bodenschutz, Abfall)

Kultur- und sonstige Sachgüter, kulturelles Erbe:

Zu diesem Schutzgut liegen keine Stellungnahmen vor.

Sonstiges:

Keine Hinweise auf Telekommunikationslinien der Deutschen Telekom AG, weitere Hinweise des Amtes für Gefahrenabwehr in Bezug auf den Brandschutz, Anregungen seitens des Ortsbeirates Allna zur Schaffung von Speichermöglichkeiten,

Die umweltrelevanten Stellungnahmen werden zusammen mit der Umweltprüfung (Umweltbericht), in der die Aspekte der Kompensation und Regelungen nach Bundesnaturschutzgesetz (BNatSchG) und dem Hess. Naturschutzgesetzes behandelt sind, sowie dem Gutachten zum Thema Artenschutz und der Gutachterlichen Stellungnahme zur potentiellen Blendwirkung im Internet auf der Homepage der Gemeinde und öffentlich ausgelegt.

(5)

In Ausführung des § 3 Abs. 2 BauGB (Beteiligung der Öffentlichkeit) werden die Planunterlagen des Bebauungsplanes und der FNP-Änderung (Plankarte und Begründung) einschließlich Umweltbericht, Artenschutzrechtlicher Fachbeitrag, Gutachterlichen Stellungnahme zur potentiellen Blendwirkung und den o.g. umweltrelevanten Stellungnahmen der Fachbehörden in der Zeit vom

25.08.2023 – 29.09.2023 einschließlich

im Internet auf der Homepage der Gemeinde (www.gemeinde-weimar.de) unter der Rubrik Leben in Weimar / Bauen und Wohnen / Bauleitplanung veröffentlicht und können ebenfalls über das zentrale Internetportal des Landes Hessen (https://bauleitplanung.hessen.de/) eingesehen werden. Zusätzlich zur Veröffentlichung im Internet erfolgt eine öffentliche Auslegung der oben genannten Unterlagen im Bauamt der Gemeinde Weimar (Lahn), Bauamt, Alte Bahnhofstr. 31, 35096 Weimar (Lahn) während der allg. Dienststunden der Verwaltung sowie nach Vereinbarung. Während der oben genannten Dauer der Veröffentlichungsfrist können Stellungnahmen abgegeben werden. Es wird darauf hingewiesen, dass Stellungnahmen elektronisch übermittelt werden sollen, bei Bedarf aber auch auf anderem Weg, zum Beispiel schriftlich, in Textform oder zur Niederschrift, abgegeben werden können. Die elektronische Abgabe der Stellungnahmen ist zum Beispiel unter der E-Mail-Adresse info@fischer-plan.de möglich.

(6)

Gemäß § 3 Abs. 2 Satz 4 Nr. 3 BauGB wird darauf hingewiesen, dass Stellungnahmen zu dem Bauleitplanverfahren während der Auslegungsfrist abgebeben werden können und das nicht fristgerecht abgegebene Stellungnahmen bei der Beschlussfassung über den Bauleitplan unberücksichtigt bleiben können.

(7)

Für die FNP-Änderung gilt, dass eine Vereinigung im Sinne des § 4 Abs. 3 Satz 1 Nummer 2 des Umwelt-Rechtsbehelfsgesetzes in einem Rechtsbehelfsverfahren nach § 7 Abs. 2 des Umwelt-Rechtsbehelfsgesetzes gemäß § 7 Abs. 3 Satz 1 des Umwelt-Rechtsbehelfsgesetzes mit allen Einwendungen ausgeschlossen ist, die sie im Rahmen der Auslegungsfrist nicht oder nicht rechtzeitig geltend gemacht hat, aber hätte geltend machen können.

(8)

Die Gemeinde Weimar (Lahn) hat gemäß § 4b BauGB das Planungsbüro Fischer aus 35435 Wettenberg mit der Durchführung des Bauleitplanverfahrens beauftragt.